TRANSCRIBER NOTES:
The List of Illustrations on page vi has been added to this project as an aid to the reader. It does not appear in the original book.
Additional Transcriber Notes can be found at the end of this project
[Pg i]
SMITHSONIAN INSTITUTION
UNITED STATES NATIONAL MUSEUM
BULLETIN 253
WASHINGTON, D.C.
1968
[Pg ii]
[Pg iii]
An Archeological and Historical Investigation
of the
Port Town for Stafford County and the
Plantation of John Mercer, Including Data
Supplied by Frank M. Setzler and Oscar H. Darter
C. MALCOLM WATKINS
Curator of Cultural History
Museum of History and Technology
SMITHSONIAN INSTITUTION PRESS
SMITHSONIAN INSTITUTION · WASHINGTON, D.C. · 1968
[Pg iv]
Publications of the United States National Museum
The scholarly and scientific publications of the United States National Museum include two series, Proceedings of the United States National Museum and United States National Museum Bulletin.
In these series, the Museum publishes original articles and monographs dealing with the collections and work of its constituent museums—The Museum of Natural History and the Museum of History and Technology—setting forth newly acquired facts in the fields of anthropology, biology, history, geology, and technology. Copies of each publication are distributed to libraries, to cultural and scientific organizations, and to specialists and others interested in the different subjects.
The Proceedings, begun in 1878, are intended for the publication, in separate form, of shorter papers from the Museum of Natural History. These are gathered in volumes, octavo in size, with the publication date of each paper recorded in the table of contents of the volume.
In the Bulletin series, the first of which was issued in 1875, appear longer, separate publications consisting of monographs (occasionally in several parts) and volumes in which are collected works on related subjects. Bulletins are either octavo or quarto in size, depending on the needs of the presentation. Since 1902 papers relating to the botanical collections of the Museum of Natural History have been published in the Bulletin series under the heading Contributions from the United States National Herbarium, and since 1959, in Bulletins titled "Contributions from the Museum of History and Technology," have been gathered shorter papers relating to the collections and research of that Museum.
This work forms volume 253 of the Bulletin series.
Frank A. Taylor
Director, United States National Museum
For sale by the Superintendent of Documents, U.S. Government Printing Office
Washington, D.C. 20402—Price $3.75
[Pg v]
| Page | ||
| Preface | vii | |
| History | 3 | |
| I. | Official port towns in Virginia and origins of Marlborough | 5 |
| II. | John Mercer’s occupation of Marlborough, 1726-1730 | 15 |
| III. | Mercer’s consolidation of Marlborough, 1730-1740 | 21 |
| IV. | Marlborough at its ascendancy, 1741-1750 | 27 |
| V. | Mercer and Marlborough, from zenith to decline, 1751-1768 | 49 |
| VI. | Dissolution of Marlborough | 61 |
| Archeology and Architecture | 65 | |
| VII. | The site, its problem, and preliminary tests | 67 |
| VIII. | Archeological techniques | 70 |
| IX. | Wall system | 71 |
| X. | Mansion foundation (Structure B) | 85 |
| XI. | Kitchen foundation (Structure E) | 101 |
| XII. | Supposed smokehouse foundation (Structure F) | 107 |
| XIII. | Pits and other structures | 111 |
| XIV. | Stafford courthouse south of Potomac Creek | 115 |
| Artifacts | 123 | |
| XV. | Ceramics | 125 |
| XVI. | Glass | 145 |
| XVII. | Objects of personal use | 155 |
| XVIII. | Metalwork | 159 |
| XIX. | Conclusion | 173 |
| General Conclusions | 175 | |
| XX. | Summary of findings | 177 |
| Appendixes | 181 | |
| A. | Inventory of George Andrews, Ordinary Keeper | 183 |
| B. | Inventory of Peter Beach | 184 |
| C. | Charges to account of Mosley Battaley | 185 |
| D. | “Domestick Expenses,” 1725 | 186 |
| E. | John Mercer’s reading, 1726-1732 | 191 |
| F. | Credit side of John Mercer’s account with Nathaniel Chapman | 193 |
| G. | Overwharton Parish account | 194 |
| H. | Colonists identified by John Mercer according to occupation | 195 |
| I. | Materials listed in accounts with Hunter and Dick, Fredericksburg | 196 |
| J. | George Mercer’s expenses while attending college | 197 |
| K. | John Mercer’s library | 198 |
| L. | Botanical record and prevailing temperatures, 1767 | 209 |
| M. | Inventory of Marlborough, 1771 | 211 |
| Index | 213 | |
[Pg vi]
| Figure | |
| John Mercer's Bookplate | 1 |
| Survey plates of Marlborough | 2 |
| Portrait of John Mercer | 3 |
| The Neighborhood of John Mercer | 4 |
| King William Courthouse | 5 |
| Mother-of-pearl counters | 6 |
| John Mercer's Tobacco-cask symbols | 7 |
| Wine-bottle seal | 8 |
| French horn | 9 |
| Hornbook | 10 |
| Fireplace mantels | 11 |
| Doorways | 12 |
| Table-desk | 13 |
| Archeological survey plan | 14 |
| Portrait of Ann Roy Mercer | 15 |
| Advertisement of the services of Mercer's stallion Ranter | 16 |
| Page from Maria Sibylla Merian's Metamorphosis Insectorum Surinamensium efte Veranderung Surinaamsche Insecten | 17 |
| Aerial Photograph of Marlborough | 18 |
| Highway 621 | 19 |
| Excavation plan of Marlborough | 20 |
| Excavation plan of wall system | 21 |
| Looking north | 22 |
| Outcropping of stone wall | 23 |
| Junction of stone Wall A | 24 |
| Looking north in line with Walls A and A-II | 25 |
| Wall A-II | 26 |
| Junction of Wall A-I | 27 |
| Wall E | 28 |
| Detail of Gateway in Wall E | 29 |
| Wall B-II | 30 |
| Wall D | 31 |
| Excavation plan of Structure B | 32 |
| Site of Structure B | 33 |
| Southwest corner of Structure B | 34 |
| Southwest corner of Structure B | 35 |
| South wall of Structure B | 36 |
| Cellar of Structure B | 37 |
| Section of red-sandstone arch | 38 |
| Helically contoured red-sandstone | 39 |
| Cast-concrete block | 40 |
| Dressed red-sandstone block | 41 |
| Fossil-embedded black sedimentary stone | 42 |
| Foundation of porch at north end of Structure B | 43 |
| Plan of mansion house | 44 |
| The Villa of “the magnificent Lord Leonardo Emo” | 45 |
| Excavation plan of Structure E | 46 |
| Foundation of Structure E | 47 |
| Paved floor of Room X, Structure E | 48 |
| North wall of Structure E | 49 |
| Wrought-iron slab | 50 |
| Excavation plan of structures north of Wall D | 51 |
| Structure F | 52 |
| Virginia brick from Structure B | 53 |
| Structure D | 54 |
| Refuse found at exterior corner of Wall A-II and Wall D | 55 |
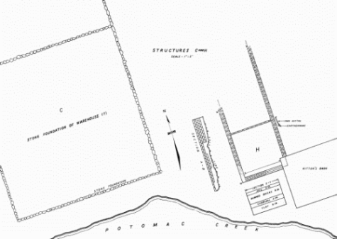
| Excavation plan of Structure H | 56 |
| Structure H | 57 |
| 1743 drawing showing location of Stafford courthouse | 58 |
| Enlarged detail from figure 58 | 59 |
| Excavation plan of Stafford courthouse foundation | 60 |
| Hanover courthouse | 61 |
| Plan of King William courthouse | 62 |
| Tidewater-type pottery | 63 |
| Miscellaneous common earthenware types | 64 |
| Buckley-type high-fired ware | 65 |
| Westerwald stoneware | 66 |
| Fine English stoneware | 67 |
| English Delftware | 68 |
| Delft plate | 69 |
| Delft plate | 70 |
| Whieldon-type tortoiseshell ware | 71 |
| Queensware | 72 |
| Fragment of Queensware | 73 |
| English white earthenwares | 74 |
| Polychrome Chinese porcelain | 75 |
| Blue-and-white Chinese porcelain | 76 |
| Blue-and-white Chinese porcelain | 77 |
| Wine bottle | 78 |
| Bottle seals | 79 |
| Octagonal spirits bottle | 80 |
| Snuff bottle | 81 |
| Glassware | 82 |
| Small metalwork | 83 |
| Personal miscellany | 84 |
| Cutlery | 85 |
| Metalwork | 86 |
| Ironware | 87 |
| Iron door and chest hardware | 88 |
| Tools | 89 |
| Scythe | 90 |
| Farm gear | 91 |
| Illustration | |
| Front and back cast-concrete block | 1 and 2 |
| Iron tie bar | 3 |
| Cross section of plaster cornice molding from Structure B | 4 |
| Reconstructed wine bottle | 5 |
| Fragment of molded white salt-glazed platter | 6 |
| Iron bolt | 7 |
| Stone scraping tool | 8 |
| Indian celt | 9 |
| Milk pan | 10 |
| Milk pan | 11 |
| Ale mug | 12 |
| Cover of jar | 13 |
| Base of bowl | 14 |
| Handle of pot lid or oven door | 15 |
| Buff-earthenware cup | 16 |
| High-fired earthenware pan rim | 17 |
| High-fired earthenware jar rim | 18 |
| Rim and base profiles of high-fired earthenware jars | 19 |
| Base sherd from unglazed red-earthenware water cooler | 20 |
| Rim of an earthenware flowerpot | 21 |
| Base of gray-brown, salt-glazed-stoneware ale mug | 22 |
| Stoneware jug fragment | 23 |
| Gray-salt-glazed-stoneware jar profile | 24 |
| Drab-stoneware mug fragment | 25 |
| Wheel-turned cover of white, salt-glazed teapot | 26 |
| Body sherds of molded, white salt-glaze-ware pitcher | 27 |
| English delftware washbowl sherd | 28 |
| English delftware plate | 29 |
| English delftware plate | 30 |
| Delftware ointment pot | 31 |
| Sherds of black basaltes ware | 32 |
| Blue-and-white Chinese porcelain saucer | 33 |
| Blue-and-white Chinese porcelain plate | 34 |
| Beverage bottle | 35 |
| Beverage-bottle seal | 36 |
| Complete beverage bottle | 37 |
| Cylindrical beverage bottle | 38 |
| Cylindrical beverage bottle | 39 |
| Octagonal, pint-size beverage bottle | 40 |
| Square gin bottle | 41 |
| Square snuff bottle | 42 |
| Wineglass, reconstructed | 43 |
| Cordial glass | 44 |
| Sherds of engraved-glass wine and cordial glasses | 45 |
| Clear-glass tumbler | 46 |
| Octagonal cut-glass trencher salt | 47 |
| Brass buckle | 48 |
| Brass knee buckle | 49 |
| Brass thimble | 50 |
| Chalk bullet mold | 51 |
| Fragments of tobacco-pipe bowl | 52 |
| White-kaolin tobacco pipe | 53 |
| Slate pencil | 54 |
| Fragment of long-tined fork | 55 |
| Fragment of long-tined fork | 56 |
| Fork with two-part handle | 57 |
| Trifid-handle pewter spoon | 58 |
| Wavy-end pewter spoon | 59 |
| Pewter teapot lid | 60 |
| Steel scissors | 61 |
| Iron candle snuffers | 62 |
| Iron butt hinge | 63 |
| End of strap hinge | 64 |
| Catch for door latch | 65 |
| Wrought-iron hasp | 66 |
| Brass drop handle | 67 |
| Wrought-iron catch or striker | 68 |
| Iron slide bolt | 69 |
| Series of wrought-iron nails | 70 |
| Series of wrought-iron flooring nails and brads | 71 |
| Fragment of clouting nail | 72 |
| Hand-forged spike | 73 |
| Blacksmith's hammer | 74 |
| Iron wrench | 75 |
| Iron scraping tool | 76 |
| Bit or gouge chisel | 77 |
| Jeweler's hammer | 78 |
| Wrought-iron colter from plow | 79 |
| Hook used with wagon | 80 |
| Bolt with wingnut | 81 |
| Lashing hook from cart | 82 |
| Hilling hoe | 83 |
| Iron reinforcement strip from back of shovel handle | 84 |
| Half of sheep shears | 85 |
| Animal trap | 86 |
| Iron bridle bit | 87 |
| Fishhook | 88 |
| Brass strap handle | 89 |
A number of people participated in the preparation of this study. The inspiration for the archeological and historical investigations came from Professor Oscar H. Darter, who until 1960 was chairman of the Department of Historical and Social Sciences at Mary Washington College, the women’s branch of the University of Virginia. The actual excavations were made under the direction of Frank M. Setzler, formerly the head curator of anthropology at the Smithsonian Institution. None of the investigation would have been possible had not the owners of the property permitted the excavations to be made, sometimes at considerable inconvenience to themselves. I am indebted to W. Biscoe, Ralph Whitticar, Jr., and Thomas Ashby, all of whom owned the excavated areas at Marlborough; and T. Ben Williams, whose cornfield includes the site of the 18th-century Stafford County courthouse, south of Potomac Creek.
For many years Dr. Darter has been a resident of Fredericksburg and, in the summers, of Marlborough Point on the Potomac River. During these years, he has devoted himself to the history of the Stafford County area which lies between these two locations in northeastern Virginia. Marlborough Point has interested Dr. Darter especially since it is the site of one of the Virginia colonial port towns designated by Act of Assembly in 1691. During the town’s brief existence, it was the location of the Stafford County courthouse and the place where the colonial planter and lawyer John Mercer established his home in 1726. Tangible evidence of colonial activities at Marlborough Point—in the form of brickbats and potsherds still can be seen after each plowing, while John Mercer’s “Land Book,” examined anew by Dr. Darter, has revealed the original survey plats of the port town.
In this same period and as early as 1938, Dr. T. Dale Stewart (then curator of physical anthropology at the Smithsonian Institution) had commenced excavations at the Indian village site of Patawomecke, a few hundred yards west of the Marlborough Town site. The aboriginal backgrounds of the area including Marlborough Point already had been investigated. As the result of his historical research connected with this project, Dr. Stewart has contributed fundamentally to the present undertaking by foreseeing the excavations of Marlborough Town as a logical step beyond his own investigation.
Motivated by this combination of interests, circumstances, and historical clues, Dr. Darter invited the Smithsonian Institution to participate in an archeological investigation of Marlborough. Preliminary tests made in August 1954 were sufficiently rewarding to justify such a project. Consequently, an application for funds was prepared jointly and was submitted by Dr. Darter through the University of Virginia to the American Philosophical Society. In January 1956 grant number 159, Johnson Fund (1955), for $1500 was assigned to the program. In addition, the Smithsonian Institution contributed the professional services necessary for field research and directed the purchase of microfilms and photostats, the drawing of maps and illustrations, and the preparation and publication of this report. Dr. Darter hospitably provided the use of his Marlborough Point cottage during the period of excavation, and Mary Washington College administered the grant. Frank Setzler directed the excavations during a six-week period in April and May 1956, while interpretation of cultural material and the searches of historical data related to it were carried out by C. Malcolm Watkins.
At the commencement of archeological work it was expected that traces of the 17th- and early 18th-century town would be found, including, perhaps, the foundations of the courthouse. This expectation was not realized, although what was found from the[Pg viii] Mercer period proved to be of greater importance. After completion, a report was made in the 1956 Year Book of the American Philosophical Society (pp. 304-308).
After the 1956 excavations, the question remained whether the principal foundation (Structure B) might not have been that of the courthouse. Therefore, in August 1957 a week-long effort was made to find comparative evidence by digging the site of the succeeding 18th-century Stafford County courthouse at the head of Potomac Creek. This disclosed a foundation sufficiently different from Structure B to rule out any analogy between the two.
It should be made clear that—because of the limited size of the grant—the archeological phase of the investigation was necessarily a limited survey. Only the more obvious features could be examined within the means at the project’s disposal. No final conclusions relative to Structure B, for example, are warranted until the section of foundation beneath the highway which crosses it can be excavated. Further excavations need to be made south and southeast of Structure B and elsewhere in search of outbuildings and evidence of 17th-century occupancy.
Despite such limitations, this study is a detailed examination of a segment of colonial Virginia’s plantation culture. It has been prepared with the hope that it will provide Dr. Darter with essential material for his area studies and, also, with the wider objective of increasing the knowledge of the material culture of colonial America. Appropriate to the function of a museum such as the Smithsonian, this study is concerned principally with what is concrete—objects and artifacts and the meanings that are to be derived from them. It has relied upon the mutually dependent techniques of archeologist and cultural historian and will serve, it is hoped, as a guide to further investigations of this sort by historical museums and organizations.
Among the many individuals contributing to this study, I am especially indebted to Dr. Darter; to the members of the American Philosophical Society who made the excavations possible; to Dr. Stewart, who reviewed the archeological sections at each step as they were written; to Mrs. Sigrid Hull who drew the line-and-stipple illustrations which embellish the report; Edward G. Schumacher of the Bureau of American Ethnology, who made the archeological maps and drawings; Jack Scott of the Smithsonian photographic laboratory, who photographed the artifacts; and George Harrison Sanford King of Fredericksburg, from whom the necessary documentation for the 18th-century courthouse site was obtained.
I am grateful also to Dr. Anthony N. B. Garvan, professor of American civilization at the University of Pennsylvania and former head curator of the Smithsonian Institution’s department of civil history, for invaluable encouragement and advice; and to Worth Bailey formerly with the Historic American Buildings Survey, for many ideas, suggestions, and important identifications of craftsmen listed in Mercer’s ledgers.
I am equally indebted to Ivor Noël Hume, director of archeology at Colonial Williamsburg and an honorary research associate of the Smithsonian Institution, for his assistance in the identification of artifacts; to Mrs. Mabel Niemeyer, librarian of the Bucks County Historical Society, for her cooperation in making the Mercer ledgers available for this report; to Donald E. Roy, librarian of the Darlington Library, University of Pittsburgh, for providing the invaluable clue that directed me to the ledgers; to the staffs of the Virginia State Library and the Alexandria Library for repeated courtesies and cooperation; and to Miss Rodris Roth, associate curator of cultural history at the Smithsonian, for detecting Thomas Oliver’s inventory of Marlborough in a least suspected source.
I greatly appreciate receiving generous permissions from the University of Pittsburgh Press to quote extensively from the George Mercer Papers Relating to the Ohio Company of Virginia, and from Russell & Russell to copy Thomas Oliver’s inventory of Marlborough.
To all of these people and to the countless others who contributed in one way or another to the completion of this study, I offer my grateful thanks.
C. Malcolm Watkins
Washington, D.C.
1967
ESTABLISHING THE PORT TOWNS
The dependence of 17th-century Virginia upon the single crop—tobacco—was a chronic problem. A bad crop year or a depressed English market could plunge the whole colony into debt, creating a chain reaction of overextended credits and failures to meet obligations. Tobacco exhausted the soil, and soil exhaustion led to an ever-widening search for new land. This in turn brought about population dispersal and extreme decentralization.
After the Restoration in 1660 the Virginia colonial government was faced not only with these economic hazards but also with the resulting administrative difficulties. It was awkward to govern a scattered population and almost impossible to collect customs duties on imports landed at the planters’ own wharves along hundreds of miles of inland waterways. The royal governors and responsible persons in the Assembly reacted therefore with a succession of plans to establish towns that would be the sole ports of entry for the areas they served, thus making theoretically simple the task of securing customs revenues. The towns also would be centers of business and manufacture, diversifying the colony’s economic supports and lessening its dependence on tobacco. To men of English origin this establishment of port communities must have seemed natural and logical.
The first such proposal became law in 1662,
establishing a port town for each of the major river
valleys and for the Eastern Shore. But the law’s
sponsors were doomed to disappointment, for the
towns were not built.[1] After a considerable lapse,
a new act was passed in 1680, this one better implemented
and further reaching. It provided for a port
town in each county, where ships were to deliver
their goods and pick up tobacco and other exports
from town warehouses for their return voyages.[2]
One of its most influential supporters was William
Fitzhugh of Stafford County, a wealthy planter and
distinguished leader in the colony.[3] “We have now
resolved a cessation of making Tobo next year,”
he wrote to his London agent, Captain Partis, in
1680. “We are also going to make Towns, if you
can meet with any tradesmen that will come and live[Pg 6]
[Pg 7]
at the Town, they may have privileges and immunitys.”[4]
Figure 2.—Survey plats of Marlborough as copied in
John Mercer’s Land Book showing at bottom, John
Savage’s, 1731; and top, William Buckner’s and
Theodorick Bland’s, 1691. (The courthouse probably
stood in the vicinity of lot 21.)
Some of these towns actually were laid out, each on a 50-acre tract of half-acre lots, but only 9 tracts were built upon. The Act soon lagged and collapsed. It was unpopular with the colonists, who were obliged to transport their tobacco to distant warehouses and to pay storage fees; it was ignored by shipmasters, who were in the habit of dealing directly with planters at their wharves and who were not interested in making it any easier for His Majesty’s customs collectors.[5]
Nevertheless, efforts to come up with a third act began in 1688.[6] William Fitzhugh, especially, was articulate in his alarm over Virginia’s one-crop economy, the effects of which the towns were supposed to mitigate. At this time he referred to tobacco as “our most despicable commodity.” A year later, he remarked, “it is more uncertain for a Planter to get money by consigned Tobo then to get a prize in a lottery, there being twenty chances for one chance.”[7]
In April 1691 the Act for Ports was passed, the House, significantly, recording only one dissenting vote.[8] Unlike its predecessor, which encouraged trades and crafts, this Act was justified purely on the basis of overcoming the “great opportunity ... given to such as attempt to import or export goods and merchandises, without entering or paying the duties and customs due thereupon, much practised by greedy and covetous persons.” It provided that all exports and imports should be taken up or set down at the specified ports and nowhere else, under penalty of forfeiting ship, gear, and cargo, and that the law should become effective October 1, 1692. The towns again were to be surveyed and laid out in 50-acre tracts. Feoffees, to be appointed, would grant half-acre lots on a pro rata first-cost basis. Grantees “shall within the space of four months next ensueing such grant begin and without delay proceed to build and finish on each half acre one good house, to containe twenty foot square at the least, wherein if he fails to performe them such grant to be void in law, and the lands therein granted lyable to the choyce and purchase of any other person.” Justices of the county courts were to fill vacancies among the feoffees and to appoint customs collectors.[9]
THE PORT TOWN FOR STAFFORD COUNTY
The difficulties confronting the central and local governing bodies in putting the Acts into effect are illustrated by the attempts to establish a port town for Stafford County. Under the act of 1680 a town was to be built at “Peace Point,” where the Catholic refugee Giles Brent had settled nearly forty years before, but there is no evidence that even so much as a survey was made there. The 1691 Act for Ports located the town at Potomac Neck, where Accokeek Creek and Potomac Creek converge on the Potomac River. Situated about three miles below the previously designated site, it was again on Brent property, lying within a tract leased for life to Captain Malachi Peale, former high sheriff of Stafford. On October 9, 1691, the Stafford Court “ordered that Mr. William Buckner deputy Surveyor of this County shall on Thursday next ... repair to the Malachy Peale neck being the place allotted by act of assembly for this Town and Port of this County and shall then and there Survey and Lay Out the said Towne or Port ... to the Interest that all the gentlemen of and all other of the Inhabitants may take up such Lot and Lots as be and they desire....” On the same day John Withers and Matthew Thompson, both justices of the peace, were appointed “Feoffees in Trust.” Young Giles Brent, “son and heir of Giles Brent Gent. late of this county deced” and not yet 21, selected Francis Hammersley as his guardian.[Pg 8] Hammersley in this capacity became the administrator of Brent’s affairs, and accordingly it was agreed that 13,000 pounds of tobacco should be paid to him in exchange for the 50 acres of town land owned by Brent.[10]
Actually, 52 acres were surveyed, “two of the said acres being the Land belonging to and laid out for the Court House according to a former Act of Assembly and the other fifty acres pursuant to the late Act for Ports.” The “former Act of Assembly” which had been passed in 1667 had stipulated the allotment of two-acre tracts for churches and court houses, which in case the lots “be deserted ye land shall revert to ye 1st proprietor....”[11] For the extra two acres Hammersley was given 800 pounds of tobacco in addition. Of the total of 13,800 pounds, 3450 were set aside to compensate Malachi Peale for the loss of his leasehold.
The order for the survey to be made was a formality, since the plat had actually been drawn ahead of time by Buckner on August 16, nearly two months before; clearly the Staffordians were eager to begin their town. Buckner’s plat was copied by his superior, Theodorick Bland, and entered in the now-missing Stafford Survey Book. John Savage, a later surveyor, in 1731 provided John Mercer with a duplicate of Bland’s copy, which has survived in John Mercer’s Land Book (fig. 2).[12]
On February 11, 1692, the feoffees granted 27 lots to 15 applicants. John Mercer’s later review of the town’s history in this period states that “many” of the lots were “built on and improved.”[13] Two ordinaries were licensed, one in 1691 and one in 1693, but no business activity other than the Potomac Creek ferry seems to have been conducted.[14] Any future the town might have had was erased by the same adverse reactions that had killed the previous port acts. The merchants and shippers used their negative influence and on March 22, 1693, a “bill for suspension of ye act for Ports &c. till their Majts pleasure shall be known therein or till ye next assembly” passed the house. In due course the act was reviewed and returned unsigned for further consideration. William Fitzhugh, on October 17, 1693, dutifully read the recommendation of the Committee of Grievances and Properties “That the appointment of Ports & injoyneing the Landing and Shipping of all goods imported or to be exported at & from the same will (considering the present circumstances of the Country) be very injurious & burthensome to the Inhabitants thereof and traders thereunto.”[15] Doubtless dictated by the Board of Trade in London, the recommendation was a defeat for those who, like Fitzhugh, sought by the establishment of towns to break tobacco’s strangle-hold on Virginia.
THE ACT FOR PORTS OF 1705 AND THE NAMING OF MARLBOROUGH
Nevertheless, the town idea was hard to kill. In 1705 Stafford’s port town, along with those in the other counties, was given a new lease on life when still another Act for Ports, introduced by Robert Beverley, was passed. This Act repeated in substance the provisions of its immediate forerunner, but provided in addition extravagant inducements to settlement. Those who inhabited the towns were exempted from three-quarters of the customs duties paid by others; they were freed of poll taxes for 15 years; they were relieved from military mustering outside the towns and from marching outside, excepting the “exigency” of war (and then only for a distance of no more than 50 miles). Goods and “dead provision” were not to be sold outside within a 5-mile radius, and ordinaries (other than those within the towns) were not permitted closer than 10 miles to the towns’ boundaries, except at courthouses and ferry landings. Each town was to be a free “burgh,” and, when it had grown to 30 families “besides ordinary keepers,” “eight principal inhabitants” were to be chosen by vote of the “freeholders and inhabitants of the town of twenty-one years of age and upwards, not being servants or apprentices,” to be called “benchers of the guild-hall.” These eight “benchers” would govern the town for life or until removal, selecting a “director” from among themselves. When 60 families had settled, “brethren assistants of the guild hall” were to be elected similarly to serve as a common council. Each town was to have two market days a week and an annual five-day fair. The towns listed under the Act were virtually the same as before, but this[Pg 9] time each was given an official name, the hitherto anonymous town for Stafford being called Marlborough in honor of the hero of the recent victory at Blenheim.[16]
The elaborate vision of the Act’s sponsors never was realized in the newly christened town, but there was in due course a slight resumption of activity in it. George Mason and William Fitzhugh, Jr. (the son of William Fitzhugh of Stafford County) were appointed feoffees in 1707, and a new survey was made by Thomas Gregg. The following year seven more lots were granted, and for an interval of two years Marlborough functioned technically as an official port.[17]
Inevitably, perhaps, history repeated itself. In 1710 the Act for Ports, like its predecessors, was rescinded. The reasons given in London were brief and straightforward; the Act, it was explained, was “designed to Encourage by great Priviledges the settling in Townships.” These settlements would encourage manufactures, which, in turn, would promote “further Improvement of the said manufactures, And take them off from the Planting of Tobacco, which would be of Very Ill consequence,” thus lessening the colony’s dependence on the Kingdom, affecting the import of tobacco, and prejudicing shipping.[18] Clearly, the Crown did not want the towns to succeed, nor would it tolerate anything which might stimulate colonial self-dependence. The Virginia colonists’ dream of corporate communities was not to be realized.
Most of the towns either died entirely or struggled on as crossroads villages. A meager few have survived to the present, notably Norfolk, Hampton, Yorktown, and Tappahannock. Marlborough lasted as a town until about 1720, but in about 1718 the courthouse and several dwellings were destroyed by fire and “A new Court House being built at another Place, all or most of the Houses that had been built in the said Town, were either burnt or suffered to go to ruin.”[19]
The towns were artificial entities, created by acts of assembly, not by economic or social necessity. In the few places where they filled a need, notably in the populous areas of the lower James and York Rivers, they flourished without regard to official status. In other places, by contrast, no law or edict sufficed to make them live when conditions did not warrant them. In sparsely settled Stafford especially there was little to nurture a town. It was easier, and perhaps more exciting, to grow tobacco and gamble on a successful crop, to go in debt when things were bad or lend to the less fortunate when things were better. In the latter case land became an acceptable medium for the payment of debts. Land was wealth and power, its enlargement the means of greater production of tobacco—tobacco again the great gamble by which one would always hope to rise and not to fall. When one could own an empire, why should one worry about a town?
ESTABLISHING COURTHOUSES
The administrative problems that contributed to the establishment of the port towns also called for the erection of courthouses. As early as 1624 lower courts had been authorized for Charles City and Elizabeth City in recognition of the colony’s expansion, and ten years later the colony had been divided into eight counties, with a monthly court established in each. By the Restoration the county courts possessed broadly expanded powers and were the administrative as well as the judicial sources of local government. In practice they were largely self-appointive and were responsible for filling most local offices. Since the courts were the vehicles of royal authority, it followed that the physical symbols of this authority should be emphasized by building proper houses of government. At Jamestown orders were given in 1663 to build a statehouse in lieu of the alehouses and ordinaries where laws had been made previously.[20]
In the same year, four courthouses annually were ordered for the counties, the burgesses having been empowered to “make and Signe agreements wth any that will undertake them to build, who are to give good Caution for the effecting thereof with good sufficient bricks, Lime, and Timber, and that the same be well wrought and after they are finished to be approved by an able surveyor, before order be given them for their pay.”[21] Such buildings were to [Pg 10]take the place of private dwellings and ordinaries in the same way as did the statehouse at Jamestown. It was no accident that legislation for houses of government coincided with that for establishing port towns. Each reflected the need for administering the far-flung reaches of the colony and for maintaining order and respect for the crown in remote places.
THE COURTHOUSE IN THE PORT TOWN FOR STAFFORD COUNTY
Stafford County, which had been set off from Westmoreland in 1664, was provided with a courthouse within a year of its establishment. Ralph Happel in Stafford and King George Courthouses and the Fate of Marlborough, Port of Entry, has given us a detailed chronicle of the Stafford courthouses, showing that the first structure was situated south of Potomac Creek until 1690, when it presumably burned.[22] The court, in any event, began to meet in a private house on November 12, 1690, while on November 14 one Sampson Darrell was appointed chief undertaker and Ambrose Bayley builder of a new courthouse. A contract was signed between them and the justices of the court to finish the building by June 10, 1692, at a cost of 40,000 pounds of tobacco and cash, half to be paid in 1691 and the remainder upon completion.[23]
With William Fitzhugh the presiding magistrate of the Stafford County court as well as cosponsor of the Act for Ports, it was foreordained that the new courthouse should be tied in with plans for the port town. The Act for Ports, however, was still in the making, and it was not possible to begin the courthouse until after its passage in the spring. On June 10, 1691, it was “Ordered by this Court that Capt. George Mason and Mr. Blande the Surveyor shall immediately goe and run over the ground where the Town is to Stand and that they shall then advise and direct Mr Samson Darrell the Cheife undertaker of the Court house for this County where he shall Erect and build the same.”[24]
The court’s order was followed by a hectic sequence that reflects, in general, the irresponsibilities, the lack of respect for law and order, and the frontier weaknesses which made it necessary to strengthen authority. It begins with Sampson Darrell himself, whose moral shortcomings seem to have been legion (hog-stealing, cheating a widow, and refusing to give indentured servants their freedom after they had earned it, to name a few). Darrell undoubtedly had the fastidious Fitzhugh’s confidence, for certainly without that he would not have been appointed undertaker at all. In his position in the court, Fitzhugh would have been instrumental in selecting both architect and architecture for the courthouse, and Darrell seems to have met his requirements. Fitzhugh, in fact, had sufficient confidence in Darrell to entrust him with personal business in London in 1688.[25]
Although several months elapsed before a site was chosen, enough of the new building was erected by October to shelter the court for its monthly assembly. In the course of this session, there occurred a “most mischievous and dangerous Riot,”[26] which rather violently inaugurated the new building. During this disturbance, the pastor of Potomac Parish, Parson John Waugh,[27] upbraided the court while it was “seated” and took occasion to call Fitzhugh a Papist. The court, taking cognizance of “disorders, misrules and Riots” and “the Fatal consequences of such unhappy malignant and Tumultuous proceeding,” thereupon restricted the sale of liquor on court days (thus revealing what was at least accessory to the disturbance).[28] Fitzhugh’s letter to the court concerning this episode mentions the “Court House” and the “Court house yard,” adding to Happel’s ample[Pg 11] documentation that the new building was by now in use.
During the November session, James Mussen was ordered into custody for having “dangerously wounded Mr. Sampson Darrell.”[29] This suggests that the sequence of disturbances may have been associated with the unfinished state of the courthouse, which, like the town, symbolized the purposes of Fitzhugh and the property-owning aristocracy. Certain it is that Darrell, publicly identified with Fitzhugh, was violently assaulted and that “a complaint was made to this Court that Sampson Darrell the chief undertaker of the building and Erecting of a Court house for this county had not performed the same according to articles of agreement.” He and Bayley accordingly were put under bond to finish the building by June 10, 1692. By February Bayley was complaining that he had not been paid for his work, “notwithstanding your petr as is well known to the whole County hath done all the carpenters work thereof and is ready to perform what is yet wanting.” On May 12, less than a month from the deadline for completion, Darrell was ordered to pay Bayley the money owing, and Bayley was instructed to go on with the work. Nearly six months later, on November 10, Darrell again was directed to pay Bayley the full balance of his wages, but only “after the said Ambrose Bayley shall have finished and Compleatly ended the Court house.”[30]
No description of the courthouse has been found. The Act of 1663 seems to have required a brick building, although its wording is ambiguous. Even if it did stipulate brick, the law was 28 years old in 1691, and its requirements probably were ignored. Although Bayley, the builder, was a carpenter, this would not preclude the possibility that he supervised bricklayers and other artisans. Brick courthouses were not unknown; one was standing in Warwick when the Act for Ports was passed in 1691. Yet, the York courthouse, built in 1692, was a simple building, probably of wood.[31] In any case, the Stafford courthouse was a structure large enough to have required more than a year and a half to build, but not so elaborate as to have cost more than 40,000 pounds of tobacco.
LOCATION OF THE STAFFORD COURTHOUSE
The location of the building is indicated by a notation on Buckner’s plat of the port town: “The fourth course (runs) down along by the Gutt between Geo: Andrew’s & the Court house to Potomack Creek.” A glance at the plat (fig. 2) will disclose that the longitudinal boundaries of all the lots south of a line between George Andrews’ “Gutt” run parallel to this fourth course. Plainly, the courthouse was situated near the head of the gutt, where the westerly boundary course changed, near the end of “The Broad Street Across the Town.” It may be significant that the foundation (Structure B) on which John Mercer’s mansion was later built is located in this vicinity.
In or about the year 1718 the courthouse “burnt Down,”[32] while it was reported as “being become ruinous” in 1720, with its “Situation very inconvenient for the greater part of the Inhabitants.” It was then agreed to build a new courthouse “at the head of Ocqua Creek.”[33] Aquia Creek was probably meant, but this must have been an error and the “head of Potomac Creek” intended instead. Happel shows that it was built on the south side of Potomac Creek. Thus, the burning of the Marlborough courthouse in 1718 merely speeded up the forces that led to the end of the town’s career.
MARLBOROUGH PROPERTY OWNERS
Not only was Marlborough foredoomed by external decrees and adverse official decisions, but much of its failure was rooted in the local elements by which it was constituted. The great majority of lot holders were the “gentlemen” who were so carefully distinguished from “all other of the Inhabitants” in the order to survey the town in 1691. Most were leading personages in Stafford, and we may assume that their purchases of lots were made in the interests of investment gains, not in establishing homes or businesses. Only three or four yeomen and ordinary keepers seem to have settled in the town.
Sampson Darrell, for example, held two lots, but he[Pg 12] lived at Aquia Creek.[34] Francis Hammersley was a planter who married Giles Brent’s widow and lived at “The Retirement,” one of the Brent estates.[35] George Brent, nephew of the original Giles Brent, was law partner of William Fitzhugh, and had been appointed Receiver General of the Northern Neck in 1690. His brother Robert also was a lot holder. Both lived at Woodstock, and presumably they did not maintain residences at the port town.[36] Other leading citizens were Robert Alexander, Samuel Hayward, and Martin Scarlett, but again there is little likelihood that they were ever residents of the town. John Waugh, the uproarious pastor of Potomac Parish, also was a lot holder, but he lived on the south side of Potomac Creek in a house which belonged to Mrs. Anne Meese of London. His failure to pay for that house after 11 years’ occupancy of it, which led to a suit in which Fitzhugh was the prosecutor, does not suggest that he ever arrived at building a house in the port town.[37]
Captain George Mason was a distinguished individual who lived at “Accokeek,” about a mile and a half from Marlborough. He certainly built in the town, for in 1691 he petitioned for a license to “keep an ordinary at the Town or Port for this county.” The petition was granted on condition that he “find a good and Sufficient maintenance and reception both for man and horse.” Captain Mason was grandfather of George Mason of Gunston Hall, author of the Virginia Bill of Rights, and was, at one time or another, sheriff, lieutenant colonel and commander in chief of the Stafford Rangers, and a burgess. He participated in putting down the uprising of Nanticoke Indians in 1692, bringing in captives for trial at the unfinished courthouse in March of that year.[38] Despite his interest in the town, however, it is unlikely that he ever lived there.
Another lot owner was Captain Malachi Peale, whose lease of the town land from the Brents had been purchased when the site was selected. He also was an important figure, having been sheriff. He may well have lived on one of his three lots, since he was a resident of the Neck to begin with. John Withers, one of the first feoffees and a justice of the peace, was a lot holder also. George Andrews and Peter Beach, somewhat less distinguished, were perhaps the only full-time residents from among the first grantees. After 1708 Thomas Ballard and possibly William Barber were also householders.
Thus, few of the ingredients of an active community were to be found at Marlborough, the skilled craftsmen or ship’s chandlers or merchants who might have provided the vitality of commerce and trade not having at any time been present.
HOUSING
It is likely that most of the houses in the town conformed to the minimum requirements of 20 by 20 feet. They were probably all of wood, a story and a half high with a chimney built against one end. Forman describes a 20-foot-square house foundation at Jamestown, known as the “House on Isaac Watson’s Land.” This had a brick floor and a fireplace large enough to take an 8-foot log as well as a setting for a brew copper. The ground floor consisted of one room, and there was probably a loft overhead providing extra sleeping and storage space.[39] The original portion of the Digges house at Yorktown, built following the Port Act of 1705 and still standing, is a brick house, also 20 feet square and a story and a half high. Yet, brick houses certainly were not the rule. In remote Stafford County, shortly before the port town was built, the houses of even well-placed individuals were sometimes extremely primitive. William Fitzhugh wrote in 1687 to his lawyer and merchant friend Nicholas Hayward in London, “Your brother Joseph’s building that Shell, of a house without Chimney or partition, & not one tittle of workmanship about it more than a Tobacco house work, carry’d him into those Arrears with your self & his other Employees, as you found by his Accots. at his death.”[40] Ancient English puncheon-type construction, with studs and posts set three feet into the ground, was still in use at Marlborough in 1691, as we know from the contract for building a prison[Pg 13] quoted by Happel.[41] No doubt the houses there varied in quality, but we may be sure that most were crude, inexpertly built, of frame or puncheon-type construction, and subject to deterioration by rot and insects.
FURNISHINGS OF TWO MARLBOROUGH HOUSES
Like George Mason, George Andrews ran an ordinary at the port town, having been licensed in 1693, and he also kept the ferry across Potomac Creek.[42] He died in 1698, leaving the property to his grandson John Cave. From the inventory of his estate recorded in the Stafford County records (Appendix A) we obtain a picture not only of the furnishings of a house in the port town, but also of what constituted an ordinary.[43] We are left with no doubt that as a hostelry Andrews’ house left much to be desired. There were no bedsteads, although six small feather beds with bolsters and one old and small flock bed are listed. (Flock consisted of tufted and fragmentary pieces of wool and cotton, while “Bed” referred not to a bedframe or bedstead but to the tick or mattress.) There were two pairs of curtains and valances. In the 17th century a valance was “A border of drapery hanging around the canopy of a bed.”[44] Curtains customarily were suspended from within the valance from bone or brass curtain rings on a rod or wire, and were drawn around the bed for privacy or warmth. Where high post bedsteads were used, the curtains and valances were supported on the rectangular frame of the canopy or tester. Since George Andrews did not list any bedsteads, it is possible that his curtains and valances were hung from bracketed frames above low wooden frames that held the bedding. Six of his beds were covered with “rugs,” one of which was “Turkey work.” There is no indication of sheets or other refinements for sleeping.
Andrews’ furniture was old, but apparently of good quality. Four “old” cane chairs, which may have dated back as far as 1660, were probably English, of carved walnut. The “old” table may have had a turned or a joined frame, or possibly may have been a homemade trestle table. An elegant touch was the “carpet,” which undoubtedly covered it. Chests of drawers were rare in the 17th century, so it is surprising to find one described here as “old.” A “cupboard” was probably a press or court cupboard for the display of plates and dishes and perhaps the pair of “Tankards” listed in the inventory. The latter may have been pewter or German stoneware with pewter mounts. The “couch” was a combination bed and settee. As in every house there were chests, but of what sort or quality we can only surmise. A “great trunk” provided storage.
Andrews’ hospitality as host is symbolized by his lignum vitae punchbowl. Punch itself was something of an innovation and had first made its appearance in England aboard ships arriving from India early in the 1600’s. It remained a sailor’s drink throughout most of the century, but had begun to gain in general popularity before 1700 in the colonies. What is more remarkable here, however, is the container. Edward M. Pinto states that such lignum vitae “wassail” bowls were sometimes large enough to hold five gallons of punch and were kept in one place on the table, where all present took part in the mixing. They were lathe-turned and usually stood on pedestals.[45] George Andrews’ nutmeg graters, silver spoons, and silver dram cup for tasting the spirits that were poured into the punch were all elegant accessories.
Another resident whose estate was inventoried was Peter Beach.[46] One of his executors was Daniel Beach, who was paid 300 pounds of tobacco annually from 1700 to 1703 for “sweeping” and “cleaning” the courthouse (Appendix B). Beach’s furnishings were scarcely more elaborate than Andrews’. Unlike Andrews, he owned four bedsteads, which with their curtains and fittings (here called “furniture”) varied in worth from 100 to 1500 pounds of tobacco. Here again was a cupboard, while there were nine chairs with “flag” seats and “boarded” backs (rush-seated chairs, probably of the “slat-back” or “ladder-back” variety). Eight more chairs and five stools were not described. A “parcel of old tables” was listed, but only one table appears to have been in use. There were pewter and earthenware, but a relatively few cooking utensils. An “old” pewter tankard was probably the most elegant drinking vessel, while one[Pg 14] candlestick was a grudging concession to the need for artificial light. The only books were two Bibles; the list mentions a single indentured servant.
THE GREGG SURVEY
In 1707, after the revival of the Port Act, the new county surveyor, Thomas Gregg, made another survey of the town. This was done apparently without regard to Buckner’s original survey. Since Gregg adopted an entirely new system of numbering, and since his survey was lost at an early date, it is impossible to locate by their description the sites of the lots granted in 1708 and after.
Forty years later John Mercer wrote:
It is certain that Thomas Gregg (being the Surveyor of Stafford County) did Sep 2d 1707 make a new Survey of the Town.... it is as certain that Gregg had no regard either to the bounds or numbers of the former Survey since he begins his Numbers the reverse way making his number 1 in the corner at Buckner’s 19 & as his Survey is not to be found its impossible to tell how he continued his Numbers. No scheme I have tried will answer, & the Records differ as much, the streets according to Buckner’s Survey running thro the House I lived in built by Ballard tho his whole lot was ditched in according to the Bounds made by Gregg.[47]
Whatever the intent may have been in laying out formal street and lot plans, Marlborough was essentially a rustic village. If Gregg’s plat ran streets through the positions of houses on the Buckner survey, and vice versa, it is clear that not much attention was paid to theoretical property lines or streets. Ballard apparently dug a boundary ditch around his lot, according to Virginia practice in the 17th century, but the fact that this must have encroached on property assigned to somebody else on the basis of the Buckner survey seems not to have been noted at the time. Rude houses placed informally and connected by lanes and footpaths, the courthouse attempting to dominate them like a village schoolmaster in a class of country bumpkins, a few outbuildings, a boat landing or two, some cultivated land, and a road leading away from the courthouse to the north with another running in the opposite direction to the creek—this is the way Marlborough must have looked even in its best days in 1708.
THE DEATH OF MARLBOROUGH AS A TOWN
Could this poor village have survived had the courthouse not burned? It was an unhappy contrast to the vision of a town governed by “benchers of the guild hall,” bustling with mercantile activity, swarming on busy market days with ordinaries filled with people. This fantasy may have pulsated briefly through the minds of a few. But, after the abrogation of the Port Act in 1710, there was little left to justify the town’s existence other than the courthouse. So long as court kept, there was need for ordinaries and ferries and for independent jacks-of-all-trades like Andrews. But with neither courthouse nor port activity nor manufacture, the town became a paradox in an economy and society of planters.
Remote and inaccessible, uninhabited by individuals whose skills could have given it vigor, Marlborough no longer had any reason for being. It lingered on for a short time, but when John Mercer came to transform the abandoned village into a flourishing plantation, “Most of the other Buildings were suffered to go to Ruin, so that in the year 1726, when your Petitioner [i.e., Mercer] went to live there, but one House twenty-feet square was standing.”[48]
FOOTNOTES:
[1] William Waller Hening, The Statutes at Large Being a Collection of All the Laws of Virginia (New York, 1823), vol. 2, pp. 172-176.
[2] Ibid., vol. 2, pp. 471-478.
[3] William Fitzhugh was founder of the renowned Virginia family that bear his name. As chief justice of the Stafford County court, burgess, merchant, and wealthy planter, he epitomized the landed aristocrat in 17th-century Virginia. See “Letters of William Fitzhugh,” Virginia Magazine of History & Biography (Richmond, 1894), vol. 1, p. 17 (hereinafter designated VHM), and William Fitzhugh and His Chesapeake World (1676-1701), edit. Richard Beale Davis (Chapel Hill: The University of North Carolina Press, for the Virginia Historical Society, 1963).
[4] VHM, op. cit., p. 30.
[5] Robert Beverley, The History and Present State of Virginia, edit. Louis B. Wright (Chapel Hill: The University of North Carolina Press, 1947), p. 88; Philip Alexander Bruce, Economic History of Virginia, 2nd ed. (New York: P. Smith, 1935), vol. 2, pp. 553-554.
[6] Journals of the House of Burgesses of Virginia (hereinafter designated JHB) 1659/60-1693, edit. H. R. McIlwaine (Richmond, Virginia: Virginia State Library, 1914), pp. 303, 305, 308, 315.
[7] “Letters of William Fitzhugh,” VHM (Richmond, 1895), vol. 2, pp. 374-375.
[8] JHB 1659/60-1693, op. cit. (footnote 6), p. 351.
[9] Hening, op. cit. (footnote 1), vol. 3, pp. 53-69.
[10] Stafford County Order Book, 1689-1694 (MS bound with order book for 1664-1688, but paginated separately), pp. 175, 177, 180, 189.
[11] “Mills,” VHM (Richmond, 1903), vol. 10, pp. 147-148.
[12] John Mercer’s Land Book (MS., Virginia State Library).
[13] JHB, 1742-1747; 1748-1749 (Richmond, 1909), pp. 285-286.
[14] Stafford County Order Book, 1689-1694, pp. 184, 357.
[15] Hening, op. cit. (footnote 1), vol. 3, pp. 108-109.
[16] Ibid., pp. 404-419.
[17] “Petition of John Mercer” (1748), (Ludwell papers, Virginia Historical Society), VHM (Richmond, 1898), vol. 5, pp. 137-138.
[18] Calendar of Virginia State Papers and Other Manuscripts, 1652-1781, edit. William P. Palmer, M.D. (Richmond, 1875), vol. 1, pp. 137-138.
[19] JHB, 1742-1747; 1748-1749 (Richmond, 1909), pp. 285-286.
[20] Hening, op. cit. (footnote 1), vol. 2, pp. 204-205.
[21] JHB, (1659/60-1693), op. cit. (footnote 6), p. 28.
[22] Ralph Happel, “Stafford and King George Courthouses and the Fate of Marlborough, Port of Entry,” VHM (Richmond, 1958), vol. 66, pp. 183-194.
[23] Stafford County Order Book, 1689-1694, p. 187.
[24] Ibid., p. 122.
[25] William Fitzhugh and His Chesapeake World (1676-1701), op. cit. (footnote 3), p. 241.
[26] Stafford County Order Book, 1689-1694, p. 194.
[27] Ibid., p. 182.
[28] In Virginia recurrent English fears of Catholic domination were reflected at this time in hysterical rumors that the Roman Catholics of Maryland were plotting to stir up the Indians against Virginia. In Stafford County these suspicions were inflamed by the harangues of Parson John Waugh, minister of Stafford Parish church and Chotank church. Waugh, who seems to have been a rabble rouser, appealed to the same small landholders and malcontents as those who, a generation earlier, had followed Nathaniel Bacon’s leadership. So seriously did the authorities at Jamestown regard the disturbance at Stafford courthouse that they sent three councillors to investigate. See “Notes,” William & Mary College Quarterly Historical Magazine (Richmond, 1907), 1st ser., vol. 15, pp. 189-190 (hereinafter designated WMQ) [1]; and Richard Beale Davis’ introduction to William Fitzhugh and His Chesapeake World, op. cit. (footnote 3), pp. 35-39, and p. 251.
[29] Stafford County Order Book, 1689-1694, p. 167.
[30] Ibid., pp. 194, 267, 313.
[31] Hening, op. cit. (footnote 1), vol. 3, p. 60; Edward M. Riley, “The Colonial Courthouses of York County, Virginia,” William & Mary College Quarterly Historical Magazine (Williamsburg, 1942), 2nd ser., vol. 22, pp. 399-404 (hereinafter designated WMQ [2]).
[32] Petition of John Mercer, loc. cit. (footnote 17).
[33] Executive Journals of the Council of Colonial Virginia (Richmond, 1930), vol. 2, p. 527.
[34] Stafford County Order Book, 1689-1694, p. 251.
[35] John Mercer’s Land Book, loc. cit. (footnote 12); William Fitzhugh and His Chesapeake World, op. cit. (footnote 3), p. 209.
[36] Ibid., pp. 76, 93, 162, 367.
[37] Stafford County Order Book, 1689-1694, p. 203; William Fitzhugh and His Chesapeake World, op. cit. (footnote 3), pp. 209, 211.
[38] Ibid., pp. 184, 230; John Mercer’s Land Book, op. cit. (footnote 12); William Fitzhugh and His Chesapeake World, op. cit. (footnote 3), p. 38.
[39] Henry Chandlee Forman, Jamestown and St. Mary’s (Baltimore, 1938), pp. 135-137.
[40] William Fitzhugh and His Chesapeake World, op. cit. (footnote 3), p. 203.
[41] Happel, op. cit. (footnote 22), p. 186; Stafford County Order Book, 1689-1694, pp. 210-211.
[42] Stafford County Order Book, 1689-1694, p. 195.
[43] Stafford County Will Book, Liber Z, pp. 168-169.
[44] A New English Dictionary on Historical Principles (Oxford, 1928), vol. 10, pt. 2, p. 18.
[45] Edward H. Pinto, Treen, or Small Woodware Throughout the Ages (London, 1949), p. 20.
[46] Stafford County Will Book, Liber Z, pp. 158-159.
[47] John Mercer’s Land Book, loc. cit. (footnote 12).
[48] Petition of John Mercer, loc. cit. (footnote 17).
MERCER’S ARRIVAL IN STAFFORD COUNTY
By 1723 Marlborough lay abandoned. George Mason (III), son of the late sheriff and ordinary keeper in the port town, held the now-empty title of feoffee, together with Rice Hooe. In that year Mason and Hooe petitioned the General Court “that Leave may be given to bring in a Bill to enable them to sell the said Land [of the town] the same not being built upon or Inhabited.” The petition was put aside for “consideration,” but within a week—on May 21, 1723—it was “ordered That Rice Hooe & George Mason be at liberty to withdraw their petition ... and that the Committee to whom it was referred be discharged from proceeding thereon.”[49]
This curious sequence remains unexplained. Had the committee informally advised the feoffees that their cause would be rejected, suggesting, therefore, that they withdraw their petition? Or had something unexpected occurred to provide an alternative solution to the problem of Marlborough?
Possibly it was the latter, and the unexpected occurrence may have been the arrival in Stafford County of young John Mercer. There is no direct evidence that Mercer was in the vicinity as early as 1723; but we know that he appeared before 1725, that he had by then become well acquainted with George Mason, and that he settled in Marlborough in 1726.
Mercer’s remarkable career began with his arrival in Virginia at the age of 16. Born in Dublin in 1704, the son of a Church Street merchant of English descent—also named John Mercer—and of Grace Fenton Mercer, John was educated at Trinity College, and then sailed for the New World in 1720.[50] How Mercer arrived in Virginia or what means he brought with him are lost to the record. From his own words written toward the end of his life we know that he was not overburdened with wealth:
“Except my education I never got a shilling of my fathers or any other relations estate, every penny I ever got has been by my own industry & with as much fatigue as most people have undergone.”[51]
From his second ledger (the first, covering the years 1720-1724, having been lost) we learn that he was engaged in miscellaneous trading, sailing up and down the rivers in his sloop and exchanging goods along the way. Where his home was in these early years we do not know, but it would appear that he had been active in the Stafford County region for some time, judging from the fact that by 1725 he had accumulated £322 4s. 5½d. worth of tobacco in a[Pg 16] warehouse at the falls of the Rappahannock.[52] He certainly had encountered George Mason before then, and probably Mason’s uncles, John, David, and James Waugh, the sons of Parson John Waugh, all of whom owned idle Marlborough properties.
Mercer’s friendship with the Masons was sufficiently well established by 1725 that on June 10 of that year he married George’s sister Catherine. This marriage, most advantageous to an aspiring young man, was celebrated at Mrs. Ann Fitzhugh’s in King George County with the Reverend Alexander Scott of Overwharton Parish in Stafford County officiating.[53] Thus, allied to an established family that was “old” by standards of the time and sponsored socially by a representative of the Fitzhughs, Mercer was admitted at the age of 21 to Virginia’s growing aristocracy.
In this animated and energetic youth, the Masons and Waughs probably saw the means of bringing Marlborough back to life. Mercer, for his part, no doubt recognized the advantages that Marlborough offered, with its sheltered harbor and landing, its fertile, flat fields, and airy situation. That it could be acquired piecemeal at a minimum of investment through the provisions of the Act for Ports was an added inducement.
JOHN MERCER AS A TRADER
During 1725 Mercer pressed ahead with his trading enterprises. From his ledger we learn that he sold Richard Ambler of Yorktown 710 pounds of “raw Deerskins” for £35 10s. and bought £200 worth of “sundry goods” from him. Between October 1725 and February 1726 he sold a variety of furnishings and equipment to Richard Johnson, ranging from a “horsewhip” and a “silk Rugg” to “½ doz. Shoemaker’s knives” and an “Ivory Comb.” In return he received two hogsheads of tobacco, “a Gallon of syder Laceground,” and raw and dressed deerskins. He maintained a similar long account with Mosley Battaley (Battaille) (Appendix C). From William Rogers of Yorktown[54] he bought £12 3s. 6d. worth of earthenware, presumably for resale. The tobacco which he had accumulated at the falls of the Rappahannock he sold for cash to the Gloucester firm of Whiting & Montague, paying Peter Kemp two pounds “for the extraordinary trouble of yr coming up so far for it.”
His sloop was the principal means by which Mercer conducted his business. Occasionally he rented it for hire, once sharing the proceeds of a load of oystershells with George Mason and one Edgeley, who had sailed the sloop to obtain the shells. Only one item shows that Mercer extended his mercantile activities to slaves: on February 18, 1726, he sold a mulatto[Pg 17] woman named Sarah to Philemon Cavanaugh “to be paid in heavy tobacco each hhd to weigh 300 Neat.”
That Mercer was turning in the direction of a legal career is revealed in his first account of “Domestick Expenses” for the fall of 1725 (Appendix D). We find that he was attending court sessions far and wide: “Cash for Exps at Stafford & Spotsylvania,” “Cash for Exps Urbanna,” the same for “Court Ferrage at Keys.” He already was reading in the law, and lent “March’s Actions of Slander,” “Washington’s Abridgmt of ye Statutes,” and “an Exposition of the Law Terms” to Mosley Battaley.
SETTING UP HOUSEKEEPING
Mercer’s domestic-expense account is full of evidence that he was preparing to set up housekeeping. He bought “1 China punch bowl,” 10s.; “6 glasses,” 3s.; “1 box Iron & heaters,” 2s. 6d.; “1 pr fine blankets,” 1s. 13d.; “Earthen ware,” 10s.; “5 Candlesticks,” 17s. 6d.; “1 Bed Cord,” 2s.; “3 maple knives & forks,” 2s.; “1 yew haft knife & fork & 1 pr Stilds [steelyards?],” 1s. 10½d.; “1 pr Salisbury Scissors,” 2s. 6d.; and “1 speckled knife & fork,” 5d.
In addition, he accepted as payment for various cloth and materials sold to Mrs. Elizabeth Russell the following furniture and furnishings:
| Ster. | £ | s. | d. | |
| By a writing desk | Do | 5 | ||
| By a glass & Cover | Do | 7 | 6 | |
| By 18l Pewter at ¼ | Do | 1 | 4 | |
| By 6 tea Cups & Sawcers 2/ | Do | 12 | ||
| By 2 Chocolate Cups 1/ | Do | 2 | ||
| By 2 Custard Cups 9d | Do | 1 | 6 | |
| By 1 Tea Table painted with fruit | Do | 14 | ||
| By 6 leather Chairs @ 7/ | 2 | 2 | ||
| By a small walnut eating table | 8 | |||
| By ½ doz. Candlemoulds | 10 | |||
| By a Tea table | 18 | |||
| By a brass Chafing dish | 5 | |||
| By 6 copper tart pans | 6 |
At the time of this purchase, the only house standing at Marlborough was that built by Thomas Ballard in 1708. It was inherited by his godson David Waugh,[55] who now apparently offered to let his niece Catherine and her new husband occupy it. Mercer later referred to it as “the House I lived in built by Ballard.”[56] From his own records we know that he moved to Marlborough in 1726. He did so probably in the summer, since on June 11 he settled with Charles McClelland for “cleaning out ye house.” Unoccupied for years and small in size, it was a humble place in which to set up housekeeping, and indeed must have needed “cleaning out.” It also must have needed extensive repairs, since Mercer purchased 1500 tenpenny nails “used about it.”
Throughout 1726 Mercer acquired household furnishings, made repairs and improvements, and obtained the necessities of a plantation. On February 1 he acquired “3 Ironbacks” (cast-iron firebacks for fireplaces) for £8 4s. 2d., as well as “2 pr hand Irons” for 15s. 5d., from Edmund Bagge. From George Rust he bought “3 Cows & Calves” for £7 10s., a featherbed for £3 10s., and an “Iron pot” for 5s.
His reckoning with John Dogge opens with a poignant note, “By a Child’s Coffin”: Mercer’s first-born child had died. On the same account was “an Oven,” bought for 17 shillings. Dogge also was credited with “bringing over 10 sheep from Sumners” (a plantation at Passapatanzy, south of Potomac Creek). Rawleigh Chinn was paid for “plowing up & fencing in my yard” and for “fetching 3 horses over the Creek.” Also credited to Chinn was an item revealing Mercer’s sporting enthusiasm: “went on ye main race ... 15/.”
From Alexander Buncle, Mercer acquired one dozen table knives, three chamber-door locks, two pairs of candle snuffers, and two broad axes. His account with Alexander McFarlane in 1726, the credit side of which is quoted here in part, is a further illustration of the variety of hardware and consumable goods that he required:
| £ | s. | d. | |
| 2 pr men’s Shooes | 9 | ||
| 1 Razor & penknife | 2 | 6 | |
| 2¼ gall Rum | 6 | 9 | |
| 9 gals. molasses | 13 | ||
| 121 brown Sugar | 6 | ||
| 6¼ double refined Do 20d | 10 | 5 | |
| 1 felt hat | 2 | 4 | |
| 1 qt Limejuice | 1 | ||
| 2 doz. Claret | 1 | 10 | |
| 2 lanthorns | 6 | ||
| 1 funnell | 7½ | ||
| [Pg 18]1 quart & 1 pint tin pot | 1 | 10½ | |
| * * * | |||
| By 2 doz & 8 bottles Claret | 2 | 8 | |
| By a woman’s horsewhip | 3 | ||
| By 1oz Gunpowder | |||
| By 10l Shot | |||
| By 1 woms bound felt [hat] |
Mercer’s comments, added three years later to this record, signify the complexities of credit accounting in the plantation economy: “In July 1729 I settled Accounts wth Mr McFarlane & paid him off & at the same time having Ed Barry’s note on him for 1412l Tobo (his goods being extravagantly dear) I paid him 1450l Tobo to Mr Thos Smith to ballns accts.”
Another of Mercer’s accounts was with Edward Simm. From Simm, Mercer acquired the following in 1726:
| £ | s. | d. | |
| 1 horsewhip | 4 | ||
| 1 fine hat | 12 | ||
| 9 yds bedtick ¾ | 1 | 10 | |
| 1 pr Spurs | 8 | ||
| 1 Curry Comb & brush | 2 | 9 | |
| 2 pr mens Shooes 5/ | 10 | ||
| 1 pr Chelloes | 1 | 10 | |
| 2 pr woms gloves 2/ | 4 | ||
| 2 pr Do thread hose | 9 | ||
| 2 pr mens worsted do | 8 | ||
| 2 pr chkr yarn | 3 | 4 | |
| 1 Sifter | 2 | ||
| 1 frying pan | 4 | 6 | |
| 7 quire of paper 1¼ | 9 | 8 | |
| 6 silk Laces 4d | 2 |
ACQUIRING LAND AND BUILDING A NEW HOUSE
Mercer’s first actual ownership of property came as a result of his marriage. In 1725 he purchased from his wife Catherine 885 acres of land near Potomac Church for £221 5s. and another tract of 1610 acres on Potomac Run for £322.[57] His occupancy of the Ballard house, meanwhile, was arranged on a most informal basis, three years having been allowed to pass before he paid his first and only rent—a total of 12 shillings—to his uncle-in-law David Waugh.
In January 1730 the following appears under “Domestick Expenses”: “To bringing the frame of my house from Jervers to Marlbro ... 40/.” Associated with this are items for 2000 tenpenny nails, 2000 eightpenny nails, and 1000 sixpenny nails, together with “To Chandler Fowke for plank,” “To Jno Chambers &c. bring board from Landing,” and “To John Chambers & Robt Collins for bringing Bricks & Oyster Shells.”
In the same month the account of Anthony Linton and Henry Suddath includes the following:
| By building a house at Marlborough when finished by agreement | £10.0.0 |
| By covering my house & building a Chimney | 3.0.0 |
Clearly, the Mercers had outgrown the temporary shelter which the little Ballard house had given them. Now a new house was under construction, with the steps plainly indicated. To obtain timber of sufficient size to frame the house it was necessary to go where the trees grew. The nearest thickly forested area was north of Potomac Creek and Potomac Run. The appropriate timbers apparently grew on property owned by Mercer but occupied by the widow of James Jervis (or “Jervers”). Not only did the trees grow there, but we may be sure that there they were also felled, hewn, and cut, and the finished members fitted together on the ground to form the frame of the new house. It was a time-honored English building practice to prepare the timbers where they were felled, shaping them, drilling holes for “trunnels” (wooden pegs or “tree nails”), inscribing coded numbers with lumber markers, and then knocking the prefabricated members apart and transporting them to the building site.[58]
Oystershells and bricks for the chimney were brought from Cedar Point and Boyd’s Hole, south of Marlborough, by Chambers and Collins. Shells were probably burned at the house site to make lime for mortar. Chambers was paid 12 pence a day for 32½ days’ work spread over a period from October 1730 to February 1731. Hugh French had been paid for 1000 bricks on August 24, 1730, while James Jones, on October 3, 1730, was recompensed three shillings for “9 days of work your Man plaistering my House & making 2 brick backs.”
Figure 4.—The neighborhood of John Mercer. Detail from J. Dalrymple’s revision (1755)
of the map of Virginia by Joseph Fry and Peter Jefferson. Marlborough is incorrectly
designated “New Marleboro.” (Courtesy of the Library of Congress.)
[Pg 20]The new house was thus brought to completion early in 1731. That it was a plain and simple house is apparent from the small amount of labor and the relatively few quantities of material. It appears to have had two fireplaces only and one chimney. Although the house was wooden, there is no evidence that it had any paint whatsoever, inside or out.
FURNISHING THE HOUSE
Other than a child’s chair and a bedstead costing 10 shillings, purchased from Enoch Innes in 1729, little furniture was acquired before 1730. Listed in “Domestick Expenses” for 1729-1730 are minor accessories for the new house, such as HL hinges, closet locks, a “scimmer,” a pair of brass candlesticks, milk pans, pestle and mortar, “½ doz plates,” a “Cullender,” a candlebox, earthenware, and a pepperbox, together with several handtools.
MERCER’S VARIED ACTIVITIES AND INTERESTS
The agricultural aspects of a plantation were increasingly in evidence. In 1729 Rawleigh Chinn was paid for “helping to kill the Hogs,” “pasturage of my cattle,” and “making a gate.” Edward Floyd was credited with £4 6s. 7½d. for “Wintering Cattle, taking care of my horse & Sheep to Aug. 1729.” John Chinn seems to have been Mercer’s jockey, for as early as 1729 he was entering the races which abounded in Virginia, and “went on ye race wth Colt 1729.”
In this early period we find considerable evidence of a typical young Virginian’s fondness for gaming and sport. One finds scattered through Mercer’s account with Robert Spotswood such items as “To won at the Race ... 8.9” and “To won at Liew at Colo Mason’s ... 7.3.” (Loo was an elegant 18th-century game played with Chinese-carved mother-of-pearl counters.) Mercer participated in several sporting events at Stafford courthouse, for court sessions continued, as in the previous century, to be social as well as legal and political occasions. This is illustrated in a credit to Joseph Waugh: “By won at a horse race at Stafford Court and Attorney’s fee ... £1.”; on the debit side of Enoch Innes’s account: “To won at Quoits & running with you ... 1/3”; and in Thomas Hudson’s account, where four shillings were marked up “To won pitching at Stafford Court.”
Mercer’s diversions were few enough, nevertheless, and it is apparent that he devoted more time to reading than to gaming. In 1726 he borrowed from John Graham (or Graeme) a library of 56 volumes belonging to the “Honble Colo Spotswood”[59] (Appendix E). Ranging from the Greek classics to English history, and including Milton, Congreve, Dryden, Cole’s Dictionary, “Williams’ Mathematical Works,” and “Present State of Russia,” they were the basis for a solid education. That they included no lawbooks at a time when Mercer was preparing for the law is an indication of his broad taste for literature and learning.
Marlborough, we can see, was occupied by a young man of talent, energy, and creativity. He alone, of the many men who had envisioned a center of enterprise on Potomac Neck, was possessed of the drive and the simple directness to make it succeed. For George Mason and the Waughs, Mercer was the ideal solution for their Marlborough difficulties.
FOOTNOTES:
[49] JHB, 1712-1726 (Richmond, 1912), pp. 336, 373.
[50] “Journals of the Council of Virginia in Executive Session 1737-1763,” VHM (Richmond, 1907), vol. 14, pp. 232-235.
[51] George Mercer Papers Relating to the Ohio Company of Virginia, comp. and edit. by Lois Mulkearn (Pittsburgh: University of Pittsburgh Press, 1954), p. 204.
[52] John Mercer’s Ledger B is the principal source of information for this chapter. It was begun in 1725 and ended in 1732. The original copy is in the library of the Bucks County Historical Society, Doylestown, Pennsylvania, a photostatic copy being in the Virginia State Library. Further footnoted references to the ledger are omitted, since the source in each case is recognizable.
[53] James Mercer Garnet, "James Mercer," WMQ [1] (Richmond, 1909), vol. 17, pp. 85-98. Mrs. Ann Fitzhugh was the widow of William Fitzhugh III, who died in 1713/14. She was the daughter of Richard Lee and lived at “Eagle’s Nest” in King George County (see “The Fitzhugh Family,” VHM [Richmond, 1900], vol. 7, pp. 317-318).
[54] William Rogers, who died in 1739, made earthenware and stoneware at Yorktown after 1711. See C. Malcolm Watkins and Ivor Noël Hume, “The ‘Poor Potter’ of Yorktown” (paper 54 in Contributions from the Museum of History and Technology, U.S. National Museum Bulletin 249, by various authors; Washington: Smithsonian Institution), 1967.
[55] John Mercer’s Land Book, loc. cit. (footnote 12).
[56] Petition of John Mercer, loc. cit. (footnote 17).
[57] John Mercer’s Land Book, loc. cit. (footnote 12).
[58] Charles F. Innocent, The Development of English Building Construction (Cambridge, England: Cambridge University Press, 1916), pp. 23-61.
[59] Col. Alexander Spotswood, Governor of Virginia and a resident of Spotsylvania County, was at this time living in London. He authorized John Graham (or Graeme) of St. James, Clerkenwell, Middlesex, to “take possession of his iron works in Virginia, with plantations, negroes, stocks, and manage the same.” By 1732 Spotswood regretted that he had “committed his affairs to the care of a mathematician, whose thoughts were always among the stars.” In 1737 Graham became professor of natural philosophy and mathematics in the College of William and Mary. See “Historical & Genealogical Notes,” WMQ [1] (Richmond, 1909), vol. 17, p. 301 (quoting Basset, Writings of William Byrd, p. 378).
MERCER THE YOUNG LAWYER
The 1730’s opened a golden age in the Virginia colony. There was an interval of peace in which trade might flourish; there were new laws which favored the tobacco planter and led to the building of resplendent mansions along Virginia’s shores. John Mercer wasted no time in grasping the opportunities that lay about him. With shrewd foresight he made law his major objective, thus raising himself above most of his contemporaries. At the same time he began an extensive purchasing of property, so that within a decade he was to become one of the major landed proprietors in the colony. Planting and legal practice each augmented the other in Mercer’s prosperity, which was assured by a classic combination of energy, ability, and outgoing personality. As with many successful men, Mercer had an eye for meticulous detail; the documents he left behind were a treasury of methodically kept records.
His Ledger B reveals that as early as 1730 his legal career was becoming firmly established. It records fee accounts, charges for drawing deeds, writing bonds, and representing clients in various courts. In that year he “subscribed to Laws of Virginia” through William Parks, the Williamsburg printer and stationer, and began to build up a substantial law library, which was augmented by the purchase of 40 lawbooks from Robert Beverley.
DIFFICULTIES IN ACQUIRING MARLBOROUGH
On October 13, 1730, Mercer obtained title from David Waugh to the Ballard house and lots on the basis of the “Statute for transforming uses into possessions.” At the same time he acquired the three lots originally granted to John Waugh, while nine months later he was given the release of the three lots inherited by George Mason from his father.[60] Mercer’s foothold in Marlborough was now secure.
Following these developments, he “employed the County Surveyor to lay off the several Lots he had purchased,” which led to the discovery of the previously mentioned disparities and conflicts between the Buckner survey of 1691 and the missing Gregg survey of 1707. For some reason the town now lacked feoffees, so Mercer “applied to the County Court of Stafford on the tenth day of June one thousand seven hundred and thirty-one and the said Court then appointed Henry Fitzhugh Esquire and James Markham Gent. Feofees of the said Town.” Mercer stated that he “proposed making great Improvements ... and wanted to take up several other Lots to build on.” The court thereupon ordered John Savage, the county surveyor, to make a new survey, “having regard to the Buildings and Improvements then standing”—a significant instruction, intended no[Pg 22] doubt to permit the reconciling of conflicting titles with respect to what actually was built.[61]
The new survey was laid out July 23, 1731, “in the presence of the said Feoffees,” and drawn with the same plan and numbering as Buckner’s, except that an additional row of lots was applied along the western border of the town, compressing slightly the former lots as planned by Buckner and pushing them eastward (fig. 2). This extra row, we have reason to believe, was added with “regard to the Buildings and Improvements then standing.”
At the time of the survey, the feoffees told Mercer “that he might proceed in his Buildings and Improvements on any the said Lots not before granted,” promising that they would at any time make him “any Title they could lawfully pass.” A proposal by Fitzhugh to give title to any lots already purchased or any which Mercer might take up under terms of the Port Act of 1705 was discouraged by Mercer’s lawyer, Mr. Hopkins, who took the view that, since the three surveys conflicted, the deeds would not be good. Accordingly, Fitzhugh and Mercer applied for an “amicable Bill,” or suit in chancery, in the General Court, in order “to have Savage’s or any particular Survey established.” The request was shelved, however, and still was unanswered in 1748.
The extra row of lots and the court’s instructions to Savage to make his survey with “Regard to the Buildings and Improvements then Standing” seem to be correlated. Savage made a significant notation on his survey plat: “The lots marked 16, 17, 18, 19, 20, & 21 joining to the Creek are in possession of Mr. John Mercer who claims them under Robinson, Berryman, Pope & Parry, & under Ballard & under John Waugh deced, all wch he says have been built on and saved.” On the Buckner plat the lots bearing these numbers comprise a block of six in the southwest corner of the town, extending up from the creek in two 3-tiered rows (fig. 2). The plat included the lots near the head of the “gutt” where the courthouse appears to have stood, as well as the land on which Structure B (the foundation of Mercer’s mansion) was excavated. The lots appear in the same relationship on Savage’s survey, except that the new row bounds them on the west.
We know that the Robinson-Berryman-Pope-Parry lot was the same lot originally granted to Robert Alexander in 1691, numbered 19 on Buckner’s plat. It was granted to its later owners according to the Gregg survey in 1707, and was then described as “being the first Lott known in the Survey Platt by number 1.” From Mercer we have learned already that Gregg made “his number 1 in the corner at Buckner’s 19.” The other five lots were claimed under Ballard and John Waugh. Waugh was granted one lot in 1691—Buckner’s number 20—and acquired two more in 1707. All three appear to have been in the corner block of six lots. In any case, these six lots equal the number of lots known to have been granted the above-listed lot holders. Both of Ballard’s lots were granted in 1707. His lot number 19 (Gregg survey), where Mercer first lived, is described as “bounding Easterly with a lott surveyed for Mr. John Waugh Westerly with a Narrow street Northerly with a lott not yet surveyed, Southerly with the first main Street which is parallel with Potomac Creek.” We do not know which of Waugh’s lots is meant, nor do we know Gregg’s street plan, except that it was at odds with Buckner’s. But it is probable that Ballard’s lot (Gregg’s number 19) was the same as Buckner’s number 21, that the crosstown street on Gregg’s plat lay to the south of the lot rather than to the north of it, as on Buckner’s plat, and that one of Waugh’s lots lay to the east of it.[62]
Assuming that the two acres for the courthouse were located near the head of the “gutt” and that Ballard’s lot 19 was approximately the same as Buckner’s 21, it is apparent that Ballard’s lot must have overlapped the courthouse lots in the confusion between the two surveys. Since Mercer was living on Ballard’s lot, he probably infringed on the courthouse property. Even though the courthouse had been burned and abandoned, the two acres assigned to it were required to revert to the original owner, as provided in the Act of 1667, concerning church and courthouse lands. In this case, the courthouse land, having been “deserted,” had reverted to the heir of Giles Brent.
Mercer’s embarrassment at this state of affairs must have been great. However, the addition by Savage of a whole new row of lots along the westerly border of the town created new acreage, sufficient both to reconcile the conflict and to provide compensatory land to satisfy the Brents. Unfortunately, the Savage survey, as we have noted, was not made official, and Mercer was forced to continue his[Pg 23] questionable occupancy of properties whose titles were in doubt.
Figure 5.—King William courthouse, about 1725. Mercer often pleaded cases here. (From
a Civil War period negative.) (Courtesy of Historic American Buildings Survey, Library of
Congress.)
What is most significant to us in all this is the inference that the courthouse, the Ballard house which Mercer occupied, and the Structure B foundation were all in close proximity.
LARGE PROPERTY ACQUISITIONS
Mercer’s next purchase of Marlborough property was on July 28, 1737, when he bought the three lots granted in 1691 to George Andrews from Andrews’ grandson, John Cave. Meanwhile, he began large-scale acquisitions of lands elsewhere. By 1733 he had acquired an aggregate of 8096 acres in Prince William County. In addition, he obtained a “Lease for three Lives” on three large tracts belonging to William Brent, adjoining Marlborough, so that he controlled virtually all of Potomac Neck.[63]
Thus, after 1730 we find Mercer’s fortune already well established and increasing. No longer a youthful trader plying the Potomac in his sloop, he was now a gentleman planter and influential lawyer. He lived in a new house, owned some parts of Marlborough, and was building “improvements” on others. Almost overnight he had become a landed proprietor.
SUCCESS AT LAW AND CONFLICTS WITH LAWYERS
The source of Mercer’s newly made wealth is easily discovered. His ledger shows an income from legal fees in 1730 amounting to £291 10s. 1½d. In 1731 the figure climbed to £643 18s. 2d., then leveled off to £639 11s. 2½d. the following year. For a young man still in his twenties and self-trained in the law, this was a remarkable achievement. His success perhaps is attributable to a single event that stemmed from youthful brashness and vigorous outspokenness. Early in 1730, in a daring gesture on behalf of property owners and taxpayers, he protested against privileges granted in an act passed by the Assembly the previous year “for encouraging Adventurers in Iron Works.” Presented in the form of a proposition, the protest was read before the Stafford court by Peter Hedgman.[Pg 24] The reaction to it in Williamsburg, once it had reached the ears of the Assembly, was immediate and angry. The House of Burgesses
Resolv’d That the Proposition from Stafford County in relation to the Act past in the last Session of this Assembly for encouraging Adventurers in Iron Works is a scandalous and Seditious Libel Containing false and scandalous Reflections upon the Legislature and the Justices of the General Court and other Courts of this Colony.
Resolv’d That John Mercer the Author and Writer of that paper and Peter Hedgman one of the Subscribers who presented the same to the Court of Stafford County to be certified to the General Assembly are guilty of a high Misdemeanour.
Order’d That the said John Mercer and Peter Hedgman be sent for in Custody of the Serjeant at Arms attending this House to answer their said Offence at the Bar of this House.[64]
Mercer and Hedgman made their apologies to the House, received their reprimands, and paid their fines. But this protest, so offensive to the dignity of the lawmakers, had its effect in forcing amendments to the act, particularly in removing the requirement for building public roads leading from the ironworks to the ore supplies and shipping points. To those living in Stafford, particularly in the neighborhood of the proposed Accokeek Ironworks, near Marlborough, this concession must have elevated Mercer to the level of a hero.[65]
Mercer’s frank disposition led him into other difficulties during the first years of his practice. His insistence on the prompt payment of debts and his opposition to stays of execution following suits had won him enemies at Prince William court. Charges of improper legal activities were brought against him; these were investigated at Williamsburg, with the result that on June 13, 1734, he was suspended from practicing law in Virginia for a period of six months.[66]
TEMPORARY RETIREMENT, THE ABRIDGMENT, AND GUARDIANSHIP OF GEORGE MASON
Deprived temporarily of his principal livelihood, Mercer set out to write an Abridgment of the Laws of Virginia. The task completed, he petitioned the General Court on April 23, 1735, for “leave to Print an Abridgment compil’d by him of all the Laws of this Colony & to have the benefit of the Sale thereof.” On the same day he petitioned for a renewal of his license, which was granted with the exception of the right to practice in Prince William, where he was to remain persona non grata generally thereafter.[67]
Soon after these events his brother-in-law and old acquaintance, George Mason, drowned. Mercer was designated co-guardian of 10-year-old George Mason IV, who came to live at Marlborough. Young George later grew up to be the master of Gunston Hall and, as the author of the Virginia Bill of Rights, to stand among the intellectuals whose ideas influenced the Revolution and the framing of the Constitution. In these formative years, young George Mason surely must have been affected by the strong legal mind and cultivated tastes of his uncle.[68]
On October 14, 1737, the Virginia Gazette carried the following advertisement:
This Day is Published
An Exact Abridgment of the Laws of VIRGINIA, in Force and Use, to this present time. By
John Mercer.
At long last, after innumerable delays, the Abridgment was in print. From a financial point of view it was a conspicuous failure. Too few Virginians, apparently, were sufficiently interested to buy it.
DOMESTIC FURNISHINGS AND SERVANTS
During this eventful decade of the 1730’s Mercer acquired the things needed for the proper maintenance of his house and properties. One requisite was Negro servants. From Pat Reyant he bought “a Girl named Margaret” for 43 pounds of tobacco in 1730. In 1731 he bought Deborah, Phillis, Peter, Nan, and Bob. The following year he obtained Lucy, Will, and George, and, in 1733, Nero. His purchases increased as his landholdings increased. In 1736 he bought five slaves, three of whom he aptly named Dublin, Marlborough, and Stafford.
To help feed his slaves during this early period,[Pg 25] Mercer apparently depended in part upon Stafford’s wealth of natural resources. At least we find a record of wild game entered on the same page and under the same heading as his “Negroes” account in the ledger. There it is noted that he purchased 42 ducks from Natt Hedgman on November 19, 1730, and 20 ducks from Rawleigh Chinn the same day, paying for them in powder and shot. Two swans and a goose, as well as venison, appear on the list. Payment for these was made in powder, shot, and wool.
He continued, meanwhile, to equip his house. From John Foward (or Foard), a London merchant, he bought a “frying pan” and “2 doz. bottles,” “1 tomahawk,” “2 stock-locks,” “1 padlock,” “2 best padlocks,” “1 drawingknife,” “9 pr hinges,” “3 clasp knives,” and “1 gall. Maderas.” In April 1731, he bought from Captain Foward:
| £ | s. | d. | |
| 1 bellmettle skillet 4½oz at 2/ | 9 | ||
| 1 copper Sausepan | 7 | ||
| 1 Small Do | 5 | 4 | |
| 1 hunting whip | 5 | ||
| 1 halfcheck bridle | 7 | ||
| 1 fine hat | 12 | ||
| 1 wig Comb | 6 |
Also in 1731 he bought “6 rush bottom Chairs” for 17 shillings and a spinning wheel for 10 shillings from William Hamitt. The “writing desk” which he had bought in 1725 apparently needed extensive and expensive repairs, for in March 1731 there appears an item under “Domestick Expenses,” “To Wm Walker for mending Scoutore £1.” (Scoutore was one of many corrupt spellings of escritoire, a slant-top desk.) William Walker was a Stafford County cabinetmaker and builder, about whom we shall hear much more.
One of the most active accounts was that of Nathaniel Chapman,[69] who directed the newly established Accokeek Ironworks. In 1731 he sold Mercer several hundred nails of different descriptions, a variety of hoes, ploughs, wedges, door latches, and heaters for smoothing irons. One item is “By putting a leg in an old Iron Pott”; another is “By Col Mason pd for mending a snuff box. 2.6” (Appendix F).
In 1732 he paid Thomas Staines £1 for “a Cradle,” “two Bedsteads,” and “a weekes work.” From John Blane, during the same year, he purchased 2500 tenpenny nails and the same quantity of eightpenny nails. He also bought from Blane 4 “basons,” a porringer, 100 needles, 2 penknives, a gross of “thread buttons,” and a pair of large “Scissars.” Again, in 1732 he obtained from William Nisbett a quantity of miscellaneous goods, including 10 parcels of earthenware and a pewter dish weighing 4 to 5 ounces. He also settled with Samuel Stevens for “your share in making a Canoe.”
TOBACCO WAREHOUSES
The Tobacco Act of 1730 provided for the erection of public tobacco warehouses, and Marlborough was selected as one of the sites.[70] In 1731 Mercer’s account with John Waugh included “Timber for 2500 boards @25/.£3.2.6” and “Posts & Ceils for two Warehouses, 12 shillings.” In April 1732 he settled accounts with Captain Henry Fitzhugh for “building a Warehouse & Wharf & 6 prizes” at 3000 pounds of tobacco, or £15. The prizes probably were “incentive awards” for the workmen. Included in Fitzhugh’s account were “3 days work of Caesar & Will,” ten shillings, and “4319 very bad Clapboards at ½d ye board.” On March 25 he paid Anthony Linton for 1820 clapboards, allowing him eight shillings for “sawing of Boards.” The warehouses were in operation in 1732, as we learn from Mercer’s “Account of Inspectors,” but they suffered the fate of all official enterprises at Marlborough, for in 1734 “the same were put down, as being found very inconvenient.”[71] The actual date of their termination was November 16, 1735, when a new warehouse was scheduled for completion at the mouth of Aquia Creek.[72] The expression “put down” does not seem to mean that the warehouses were torn down, but that they were officially discontinued. He apparently, however, continued to use them for his own purposes.
PERSONAL ACTIVITIES
During the 1730’s Mercer recorded a minimum of recreational activities. Those that he did list are representative of the society of which he was a part. Making wagers was a favorite amusement. For example, he was owed £7 16s. by “Colo George Braxton To a Wager you laid me at Capt Robt Brooke’s house before Mr James Reid, Willm Brooke &c. Six Guineas to one that Colo Spotswood would not during the Reign of K. George that now is, procure a Commission as Chief or Lieut Govr of Virginia.” In 1731 he paid William Brent “By a pistole won of me about Hedgman’s wrestling with and throwing Fras Dade. £1.1.12.” He also paid £2 10s. to James Markham “By [my] part on the Race on Stotham’s horse.” There are other scattered references to wagers on horseraces.
Figure 6.—Mother-of-pearl counters, or
“fish,” used in playing 18th-century games,
including Loo, at which Mercer once won
7s. 3d. from Col. George Mason (III). These
examples, collected in Massachusetts, are probably
late 18th century. (USNM 61.399.)
Mercer had become a vestryman in Overwharton Parish as early as 1730, and appears to have been made responsible for all legal matters pertaining to that church. His account, shown in detail in Appendix G, is of interest in showing that violations of moral law were held accountable to the church and that fines for convictions were paid to the church. Mercer, representing the parish, collected a portion of each fine as his fee.
Most of his energies now seem to have been divided between the law and the substantial responsibilities for managing his plantations. The increasing extent of tobacco cultivation is revealed in the tobacco account with “Mr Jonathan Foward, Merchant in London” (presumably John Foward, mentioned earlier), extending from 1733 to 1743. This account lists shipments of 129 hogsheads of tobacco, totaling £643 1s. 11d. (if we include a few extraneous items, such as “To an over charge in Lemons” and “To a Still charg’d never sent”). Several similar accounts involve proceeds from tobacco. In 1734 and 1738, for example, he shipped 54 hogsheads to William Stevenson, another London merchant, for £207 7d. on the ships Triton, Snake, Brooks, and Elizabeth.
Marlborough’s full transition to a seat of tobacco-planting empire is now clearly discernible. In so becoming, it was typical of the consolidation of wealth, property, and power in Virginia as the mid-century approached. Land had become both a substitute for tobacco in lean years and the means for paying off debts. The same land in better years yielded crops to its new owners, so that a relatively few dynamic men were able to amass great wealth and form a ruling aristocracy. The varieties of talents in men like Mercer—who, besides being a planter, was an accomplished lawyer and able administrator—placed them in the ascendancy over their less able fellows. The vigor and ability with which such men were endowed fostered the remarkable class of leaders of the succeeding generation, who had so much to do with founding the nation.
FOOTNOTES:
[60] John Mercer’s Land Book, loc. cit. (footnote 12).
[61] Petition of John Mercer, loc. cit. (footnote 17).
[62] Stafford County Will Book, Liber Z, pp. 407, 431, 497.
[63] John Mercer’s Land Book, loc. cit. (footnote 12).
[64] JHB, 1727-1734; 1736-1740 (Richmond, 1910), p. 66.
[65] Ibid., p. xxi.
[66] Executive Journals of the Council of Colonial Virginia (Richmond, Virginia: D. Bottom, superintendent of public printing, 1925), vol. 4, p. 328.
[67] Ibid., p. 348.
[68] Kate Mason Rowland, The Life of George Mason (New York and London: G. P. Putnam’s Sons, 1892), vol. 1, p. 49.
[69] Nathaniel Chapman headed the Accokeek Ironworks, referred to by Mercer in Ledger G as “Chapman’s Works at Head of Bay.” Although Mercer had opposed the act, which gave privileges to the ironworks, he was a lifelong friend of Chapman, who testified in his behalf in 1734 and served with him on the Ohio Company Committee in the 1750’s and 1760’s. Chapman was executor for the estates of Lawrence and Augustine Washington.
[70] Hening, op. cit. (footnote 1), vol. 4, p. 268.
[71] Petition of John Mercer, loc. cit. (footnote 17).
[72] JHB, 1727-1734; 1736-1740, op. cit. (footnote 6), p. 202.
TRAVEL
On April 12, 1741, Mercer was admitted to practice at the General Court in Williamsburg.[73] His trip there on that occasion was typical of the journeys which took him at least twice yearly to the capital. On the first day of this Williamsburg trip he rode “To Colo Taliaferro’s,” a distance of 19 miles. The following day “To Caroline Court” (18 miles), the next “To Mr Hubbard’s” (30 miles), then as far as “Mr Jno Powers” (24 miles), and finally “To Furneas & Williamsburg” (30 miles). The route was usually to West Point, or Brick House on the opposite shore in New Kent County, and thence either directly to Williamsburg, or by way of New Kent courthouse. Stopovers were made either at ordinaries or at the houses of friends.[74]
Mercer’s travels, summarized in the journal that he kept in the back of Ledger B from 1730 until his death in 1768, were prodigious. In 1735, for example, he journeyed a total of 4202 miles and was home only 119 days. This pace had slackened considerably in the period we are now considering, but, nevertheless, he was not at home more than 218 days out of any one year of the decade 1741-1750. This energetic and restless moving about was common among the leading planters, but in Mercer’s case it seems to have reached its ultimate. Practicing law, playing politics, acquiring property, and becoming acquainted with people led him all over Virginia.
A representative sample from the journal covers the period of September and October 1745. It will be noted that the days of the week are indicated alphabetically, a through g, as in the calendar of the Book of Common Prayer. The mileage traveled each day is entered at the right.
| 1 | F | to Potomack Church & home | 10 |
| 2 | g | at home | |
| 3 | a | to Tylers & Spotsylvania Court | 14 |
| 4 | b | to Mr Daniels[75] & home | 14 |
| 5 | c | to Mr Moncure’s,[76] my Survey & home | 20 |
| [Pg 28]6 | d | to King George Court & Wm Walkers’[77] | 24 |
| 7 | e | to Mrs. Spoore’s[78] my Survey & home | 20 |
| 8 | F | at home | |
| 9 | g | Mr Moncure’s my Survey & home | 20 |
| 10 | a | to Stafford Court & home | 20 |
| 11 | b | at home | |
| 12 | c | to Mrs Mason’s[79] Survey | 18 |
| 13 | d | at Do | 10 |
| 14 | e | at Do | 15 |
| 15 | F | to Potomack Church & Mr Moncure’s | 18 |
| 16 | g | home | 6 |
| 17 | a | at home | |
| 18 | b | Do | |
| 19 | c | to Mrs Spoore & Mrs Taliaferro’s | 17 |
| 20 | d | at Mr Taliaferro’s | 14 |
| 21 | e | To Fredericksburg & Mrs Taliaferro’s | |
| 22 | F | To Doctor Potter’s[80] & Mrs Taliaferro’s. | |
| Lost my horses | 2 | ||
| 23 | g | To Mr Moncure’s | 9 |
| 24 | a | home | 10 |
| 25 | b | at home | |
| 26 | c | Do | |
| 27 | d | Do | |
| 28 | e | to Mr Moncure’s, Vestry & home | 16 |
| 29 | F | at home | |
| 30 | g | Do | |
| October | |||
| 1 | a | at home | |
| 2 | b | to Mr Moncure’s & Fredericksburg Fair | 15 |
| 3 | c | at the Fair | |
| 4 | d | to Mr Moncure’s & home | 15 |
| 5 | e | at home | |
| 6 | F | to Mrs Taliaferro’s | 17 |
| 7 | g | to Caroline Court ho & George Hoomes’s[81] | 20 |
| 8 | a | to Newcastle | 50 |
| 9 | b | to Mr Anderson’s & Mr Gray’s [82] | 14 |
| 10 | c | to New Kent Courths & Mr Gray’s | 14 |
| 11 | d | to Furnau’s & Williamsburg | 17 |
| 12 | e | at Williamsburg |
[He remained at Williamsburg until November 6.]
Such itineraries were punctuated by periods of staying at Marlborough, but even then there were day-long journeys to Stafford courthouse, to church, or to a survey. The courthouse, which succeeded that at Marlborough, was situated on the south side of Potomac Creek, about three miles upstream from the old site. Mercer almost invariably took the 10-mile-long land route through the site of the present village of Brook, along the Fredericksburg road past Potomac Church, then along the headwaters of Potomac Run on a now-disused road leading to Belle Plains. Just before reaching the courthouse, which stood on a rise of land some distance back from the creek, he passed “Salvington,” the mansion of Joseph Selden.[83] Near the water, and in sight of the courthouse, stood the house of John Cave, whose grandfather in 1707 had bought his land from Sampson Darrell, undertaker of the Marlborough courthouse.[84] Near it, on a foundation still visible, Cave built the warehouse that bore his name, and through him passed much of the tobacco that Mercer raised locally. Occasionally, when he had business to do at Cave’s, Mercer would return home by water, as he did on August 14, 1746:
| to Stafford Court & Mr Cave’s | 11 |
| home by water | 5 |
VEHICLES
During the 1740’s Mercer’s travels were often by
chaise or chariot. We learn from Ledger G that he
bought “a fourwheel Chaise” from Charles Carter[85]
[Pg 29]
[Pg 30]in September 1744, a significant step in emulating
the manners and ways of Virginia’s established
aristocrats. Three years later he purchased “a Sett
of Chaisewheels” from Francis Hogans, a Caroline
County wheelwright, and in June 1748 he discounted
as an overcharge the cost of “a Chaise worth nothing”
in his account with the English mercantile firm of
Sydenham & Hodgson.[86] A “chaise” could have
been one of several types of vehicles, but it was
probably “a carriage for traveling, having a closed
body and seated for one to three persons,” according
to Murray’s A New Oxford Dictionary.
Figure 7.—John Mercer’s tobacco-cask symbols, drawn in his Ledger G. The “home
plantation” (Marlborough) is symbolized by the initial C, probably in honor of his wife
Catherine. Sumner’s quarters at Passapatanzy is indicated by S, and Bull Run quarters
by B. (Courtesy of Bucks County Historical Society.)
In 1749 Mercer bought a “chariot” from James Mills of Tappahannock for £80. Doubtless an elegant piece of equipage, this was, we learn from Murray, “a light four-wheeled carriage with only back seats, and differing from the post-chaise in having a coach-box.” In November 1750 he paid John Simpson, a Fredericksburg wheelwright, 10 shillings for “wedging & hooping the Chariotwheels” and 9 shillings for “mending 3 fillys & 3 Spokes in Do.”[87]
At the same time he bought a “pr Cartwheels” for £2 and a “Tumbling Cart” for £1 6s. from Simpson. Murray tells us that a “tumble cart” or a “tumbril cart” was a dung cart, designed to dump the load.
TOBACCO CASK BRANDS
Hogsheads and casks of tobacco were branded with the symbols or initials of the original owners. Many of the brands are recorded explicitly in the ledger. Mercer, at the beginning of his career, used a symbol M. As his plantations multiplied, however, three symbols were adopted, based on his own two initials. Tobacco casks from Bull Run were marked I B.M. Those from Sumner’s Quarters bore the brand I S.M, while the “Home Plantation” at Marlborough had casks marked I C.M (fig. 8).
Figure 8.—Wine-bottle seal on bottle excavated at
Marlborough, with same arrangement of initials
used in the Marlborough tobacco seal.
The interpretation of these symbols warrants some digression. In the 17th century, and indeed in the 18th century also, the triangular cipher to indicate the initials of man and wife was commonly used to mark silver, pewter, china, delftware, linens, and other objects needing owners’ identifications. The common surname initial was placed at the top, the husband’s first-name initial at the lower left, and the wife’s at the lower right. This arrangement was used consistently in the 17th century. In the 18th century, however, variations began to appear in the colonies, although not, apparently, in England. Silver made in New York and Philadelphia during the 1700’s presents the initials reading from left to right, with the husband’s at the lower left, the wife’s at top center, and the surname initial at the lower right. The large keystone of the Carlyle house in Alexandria, built in 1751, bears a triangular arrangement of John and Sarah Carlyle’s initials: J S.C.[88]
Like Carlyle, Mercer used initials in this fashion, but also, as we have seen, in two other combinations in which “J. M.” remains constant, the upper center initial having a subordinate significance. “S” signifies Sumner’s Quarters, and “B,” Bull Run Quarters. “C” on seals and brands having to do with Marlborough apparently refers to Catherine, honoring her as Mercer’s wife and mistress of the home plantation. The possibility that “C” stands for Cave’s warehouse may be dismissed as being inconsistent with the other two marks, the tobacco from Sumner’s Quarters having also been shipped through Cave’s, and that from Bull Run Quarters having been stored at the Occaquan warehouse.[89]
John Withers also used the left-to-right arrangement, I H.W, although Henry Tyler, a planter whose account is mentioned in Mercer’s Ledger, used the conventional three-letter cipher, H T.M. These marks occurred on casks transmitted to Mercer as payments, and are recorded in Ledger G (fig. 7).
TOBACCO EXCHANGE
Tobacco, before being transferred to another owner, was examined by official inspectors. Mercer kept a special “Inspector’s Notes” account where he kept track of fees due the inspectors. Direct payments of tobacco were made in transactions with William[Pg 31] Hunter and Charles Dick, the Fredericksburg merchants from whom Mercer bought most of his goods and supplies. To others, however, payments were made in a complexity of tobacco notes, legal-fee payments, and plain barter. Tobacco shipped overseas was usually handled by Sydenham & Hodgson. Also involved with tobacco transactions in England were two Virginia merchants, Major John Champe, a distinguished resident of King George County who lived at Lamb’s Creek plantation, and William Jordan, of Richmond County, both of whom arranged for purchases of books, furniture, and other English imports for Mercer.
The following are excerpts from Sydenham & Hodgson’s account in Ledger G:
| 1745 | £ | s. | d. | |
| June | To 8 hhds. tobo consigned | 63 | 5 | 5 |
| you by the | ||||
| Pri[n]ce of Denmark | ||||
| November | To 6 hhds by the | 29 | 15 | 9 |
| Harrington | ||||
| 1746 | ||||
| May | To 5 hhds by Capn | |||
| Lee LOST | ||||
| Feb | To 10 hhds by Capt | 51 | 14 | 8 |
| Perry | ||||
| 1747 | ||||
| Septembr | To 10 hhds by Capt | 35 | 9 | 8 |
| Perryman | ||||
| 1748 | ||||
| June | To 10 hhds by Capn | |||
| Donaldson LOST | ||||
| 1749 | ||||
| Septembr | To 24 hhds tobo sold | 162 | 17 | 14 |
| Mr. Jordan |
Revealed in this account are the hazards of shipping goods overseas in the 18th century. A partnership apparently figured in the second loss at sea, however, as the following entry in Ledger G shows:
| June 1747 | By Profit & Loss for the half | £75.15.3¾ |
| of 20 hhds by Donaldson | ||
| in the Cumberland & Lost | ||
| By William Jordan for the | ||
| other half. |
Between 1747 and 1750 Mercer lost a total of 107 hogsheads of tobacco. Over and above this, however, he shipped overseas tobacco to the amount of £385 11s. 7d., during the same period.
CLIENTS
Mercer’s success was gained despite the failures of a great many persons to pay the fees they owed him. In 1745 he listed 303 “Insolvents, bad & doubtful debts.” That matters were no worse may be attributed to a high average of responsible clients. Among them were such well-known Virginians as Daniel Dulaney, William and Henry Fitzhugh, William Randolph, Augustine, John, and Lawrence Washington, Gerard Fowke, Richard Taliaferro, John and Daniel Parke Custis, Andrew and Thomas Monroe, George Tayloe, George Lee, George Wythe, and William Ramsay.
CLOTHING
By the early 1740’s Mercer was in a position to surround himself with symbols of wealth and prestige. Clothes, a traditional measure of affluence, were now a growing concern for himself and his family. Between 1741 and 1744, the ledger reveals, he purchased from William Hunter a greatcoat, women’s stockings, women’s calf shoes, morocco pumps, a “fine hat,” three felt hats, two dozen “plaid hose,” two pairs of men’s shoes, one pair of “Women’s Spanish Shoes,” and “2 pr Calf Do.” In 1744 and 1745 he bought from Charles Dick two pairs of “women’s coll’d lamb gloves,” two pairs of silk stockings, “1 velvet laced hood,” a “laced hat,” a “Castor” (i.e., beaver) hat, “fine thread stockings,” silk handkerchiefs, a “flower’d pettycoat,” worsted stockings, and buckskin gloves. From Hugh MacLane, a Stafford tailor, he obtained a suit in 1745.
The rise in Mercer’s wealth and prestige is reflected[Pg 32] in his patronizing Williamsburg tailors, beginning in 1745 when he settled with George Charleston for a tailor’s bill of £6 10s. In 1748 he paid Charleston four shillings for “Collar lining a Velvet Waistcoat.” In 1749 he purchased a “full trimm’d velvet Suit” from Charles Jones, the work and materials totaling £7 7s. 4¼d., while in 1750 he spent £11 2s. 1½d. on unitemized purchases from the same tailor. In that year he bought also from Robert Crichton, a Williamsburg merchant, “a flower’d Velvet Waistcoat, £5.” As the decade advanced, Mercer played with increasing consciousness the role of wealthy gentleman, as his choice of tailors shows.
MATERIALS
Textile materials, as seen under “General Expenses” and in the accounts of Hunter and Dick, ran the gamut of the usual imported fabrics, as well as rare, expensive elegancies. An alphabetical list of the materials mentioned in these accounts, with definitions, is given in Appendix I.
From this list we gain an impression of great diversity and refinement in the materials used for clothing and interior decoration, as well as of a tremendous amount of sewing, embroidering, and making of clothes at home, probably typical of most of the great plantations in the middle of the century.
WEAVING
In addition to fine imported materials, there were needed blankets, work clothes for slaves, and fabrics for other practical purposes. To these ends Mercer employed several weavers in various parts of Virginia. In 1747 William Threlkeld wove 109 yards of woolen cloth at fourpence a yard. During that year and the next, John Booth of King George County wove an indeterminate amount for a total of £2 4d. In 1748 John Fitzpatrick wove 480 yards of cotton at fourpence a yard, and William Mills wove 30 yards of “cloath.” Much of the work appears to have been done in payment for legal services.
Weaving and spinning evidently were done at Marlborough, as they were at most plantations. In 1744 Mercer recorded under “General Charges” that he had sold a loom to Joseph Foxhall. In 1746 he bought a spinning wheel from Captain Wilson of Whitehaven, England, purchasing three more from him in 1748. Wool cards also appear in the accounts. In January 1748 Mercer charged William Mills with “3 months Hire of Thuanus the Weaver, £3,” which suggests that Thuanus was an indentured white servant (his name does not occur on the list of slaves) employed at Marlborough and hired out to Mills, a Stafford County weaver.
PERSONAL ACCESSORIES
In contrast to the elegancies of dress materials and clothing, Mercer left little evidence of jewelry, toilet articles, or other personal objects. In Ledger G we find “2 horn combs” bought for fivepence, an ivory comb for tenpence, two razors, two strops, snuff-boxes, bottles of snuff, “a smelling bottle,” and “buck-handled” and silver-handled penknives. From John Hyndman, a Williamsburg merchant, Mercer acquired a set of silver buckles for £1 10s., and from William Woodford he bought “a gold watch, Chain & Swivel” for the not-trifling sum of £64 6s. 3d.
Like most successful men, Mercer had his portrait painted. During the General Court sessions held in the spring and fall of 1748 in Williamsburg, he lodged with William Dering, the dancing master and portrait painter. Dering lived in the house still standing on the capitol green, now known as the Brush-Everard house. In Dering’s account we find: “by drawing my picture, £9.2.9.”[90]
FOOD AND DRINK
Good food and drink played an important part in Mercer’s life, as it did in the lives of most Virginia planters. In the ledger accounts are found both double-refined and single-refined sugar, bohea tea, coffee, nutmegs, cinnamon, mace, and chocolate. Most meats were provided by the plantation and thus are not mentioned, while fish were caught from the plantation sloop or by fixed nets. However, Thomas Tyler of the Eastern Shore sold Mercer a barrel of drumfish and four and one-half bushels of oysters, while Thomas Jones, also of the Eastern Shore, provided a barrel of pork for 47s. 6d. in 1749. Earlier there appeared a ledger item under “General Charges” for 1775 pounds of pork.
Molasses was an important staple, and Mercer bought a 31-gallon barrel of it from one “Captain Fitz of the Eastern Shore of Maryland” in 1746 and 30 gallons the next year, charging both purchases to[Pg 33] his wife. In 1750 he received 88 gallons of molasses and 255 pounds of “muscovy sugar” from Robert Todd. Muscovy sugar was the same as “muscavado” sugar, the unrefined brown sugar of the West Indies, known in Spanish as mascabado.
Beverages and the fruits to go with them were bought in astonishing quantities between 1744 and 1750. Major Robert Tucker, a Norfolk merchant, exchanged a “Pipe of Wine” worth £26 and a 107½-gallon hogshead of rum valued at £22 in return for Mercer’s legal services. Again as a legal fee, Mercer received 55 gallons of “Syder” from Janet Holbrook of Stafford and bought 11 limes from John Mitchelson of York for 12 shillings. From William Black he purchased “11 dozen and 11 bottles of Ale” at 13 shillings, and from John Harvey “5 ⅟12 dozen of Claret” for £11 6d. “Mark Talbott of the Kingdom of Ireland Esq” sold Mercer a pipe of wine for £3 3s.
LIFE OF THE CHILDREN
During the 1740’s Mercer’s first four surviving children, George, John Fenton, James, and Sarah Ann Mason Mercer,[91] were growing up, and the accounts are scattered through with items pertaining to their care and upbringing. There are delightful little hints of Mercer’s role as the affectionate father. On May 17, 1743, “By Sundry Toys” appears in Hunter’s account; an item of “1 horses 1d” in Dick’s account for 1745 was undoubtedly a toy. Most charming of all the entries in the latter account is “1 Coach in a box 6d. 4 Toys. 8d, 2 Singing birds.” The birds may have occupied a birdcage and stand bought from George Rock, the account for which was settled a year later.
Figure 9.—French horn dated 1729. Mercer purchased
a “french horn” like this from Charles Dick
in 1743. (USNM 95.269.)
“1 french horn” and “3 trumpets” are listed in the Dick account. The horn was probably used in hunting; the three trumpets were bought perhaps for the three boys. Mercer’s library contained one book of music entitled The Musical Miscellany, which may have furnished the scores for a boyish trio of trumpets. Music and dancing were a part of the life at Marlborough, and in 1745 an entry under “General Charges” reads “To DeKeyser for a years[Pg 34] dancing four children £16,” while in the following year ninepence was paid William Allan “for his Fidler.” In 1747 “Fiddle strings” were bought from Fielding Lewis in Fredericksburg for 2s. 4½d.
Figure 10.—Mercer listed a hornbook in his
General Account in 1743. It probably resembled
this typical hornbook in the collection of
Mrs. Arthur M. Greenwood.
From the ledger we also learn much about the children’s clothing: child’s mittens and child’s shoes, boy’s pumps, boy’s shoes, girl’s shoes, boy’s collared lamb gloves, two pairs of “girl’s clock’d Stocking,” “2 pr large boys Shoes 6l 2 pr smaller 5/ ... 1 pr girls 22d, 1 pr smaller 20d,” boy’s gloves, and “Making a vest and breeches for George” in October 1745. In 1748 Captain Wilson brought from England “a Wig for George,” worth 12 shillings. George then had reached the age of 15 and young manhood. Hugh MacLane, the Stafford tailor, was employed to make clothes for the three boys—a suit for George, and a suit, vest, coat, and breeches each for James and John.
That the children were educated according to time-honored methods is revealed in the “General Expenses” account for May 1743, where “1 hornbook 3d” is entered. The hornbook was an ancient instructional device consisting of a paddle-shaped piece of wood with the alphabet and the Lord’s Prayer printed or otherwise lettered on paper that was glued to the wood and covered for protection with thin sheets of transparent horn. Elaborate examples sometimes were covered with tooled leather, or were made of ivory, silver, or pewter. The mention of hornbooks in colonial records is a great rarity, although they were commonplace in England until about 1800.
The Mercer children were taught by private tutors. One, evidently engaged in England, was the Reverend John Phipps, who was paid a salary of £100 annually and, presumably, his board and lodging. Mercer noted in his journal on November 18, 1746, that “Mr Phipps came to Virginia.” That Mr. Phipps left something to be desired was revealed years later in the letter written in 1768 by John to George Mercer, who was then in England, asking him to find a tutor for his younger children: “... the person you engage may not pretend, as Mr Phipps did that tho’ he undertook to instruct my children he intended boys only, & I or my wife might teach the girls. As I have mentioned Mr Phipps, it must remind you that a tutor’s good nature & agreeable temper are absolutely necessary both for his own ease & that of the whole family.”[92]
In 1750 George entered the College of William and Mary. He had a room at William Dering’s house, and the account of “Son’s Maintenance at Williamsburg” provides an interesting picture of a well-to-do college-boy’s expenses, chargeable to his father. Such items as “To Cash pd for Lottery Tickets” (£7 10s. 6d.), “To Covington the Dancing Master ... 2.3,” “To Wm Thomson for Taylor’s work” (£1 9s. 6d.), “To pd for Washing” (£1 1s.), and “To Books for sundrys” (£22 4s. 7½d.) show a variety of obligations comparable to those sometimes encountered on a modern campus. The entire account appears in Appendix J.
BUILDING THE MANOR HOUSE
As early as 1742 the ledger shows that Mercer was building steadily, although the nature of what he built is rarely indicated. Hunter’s account for 1742 lists 2500 tenpenny nails and 1000 twenty-penny nails, while in the following year the same account shows a total of 4200 eightpenny nails, 5000 tenpenny, 2000 fourpenny, and 1000 threepenny nails. The following tools were bought from Hunter in 1744: paring chisel, 1½-inch auger, ¾-inch auger, socket gouge, broad axe, adze, drawing knife, mortice chisel, a “square Rabbit plane,” and “plough Iron & plains.” In Charles Dick’s account we find purchases in 1745 of 16,000 flooring brads, 4000 twenty-penny nails, 2000 each of fourpenny, sixpenny, eightpenny, and tenpenny brads, and 60,000 fourpenny nails.
Beginning in 1744 Mercer made great purchases of lumber. Thomas Tyler of the Eastern Shore sold him 2463 feet of plank in that year, and in 1745 made several transactions totaling 5598 feet of 1-, 1½-, and 2-inch plank, as well as 23,170 shingles. In 1746 Charles Waller of Stafford sold Mercer 5193 feet of 1-, 1¼-, and 1½-inch plank. In the same year James Waughhop of Maryland provided “4000 foot of Plank of different thicknesses for £12,” and in May 1749, “2300 foot of 1½ Inch Plank at 7/.” Mercer made several similar purchases, including 14,700 shingles, from Robert Taylor of the Eastern Shore.
Where all these materials were used is a matter for conjecture. We know that Mercer made “Improvements” to the extent of “saving” 40 lots under the terms of the Act for Ports and Towns, and that a great deal of construction work, therefore, was going on. One building was probably a replacement for a warehouse, for a laconic entry in his journal on New Year’s day of 1746 notes that “My warehouses burnt.”[Pg 35] These were doubtless the buildings erected in 1732 and officially vacated in 1735. That at least one eventually was rebuilt for Mercer’s own use is known from an overseer’s report of 1771 (Appendix M).
The windmill, the foundations of which still remain in part near the Potomac shore, was probably built in 1746. Mercer’s cash account for that year includes an item of 2s. 6d. for “Setting up Mill,” which apparently meant adjusting the millstones for proper operation. In August he paid Nathaniel Chapman £22 19s. 8¾d. “in full for Smith’s work.” A windmill, with its bearings, levers, lifts, and shafts, would seem to have been the only structure requiring such a costly amount of ironwork.
The most elaborate project of all, however, is clearly discernible in the ledger. In 1746 Thomas Anderson,[93] in consideration of cash and legal services, charged for “making & burning 40m Stock bricks” at 4 pounds 6 pence per 1000. In the same year David Minitree, described by Mercer as a “Bricklayer,” came to Marlborough from Williamsburg. Minitree was more than an ordinary bricklayer, however, for he had worked on the Mattaponi church, and later, between 1750 and 1753, was to build Carter’s Grove for Carter Burwell.[94]
The credit side of Minitree’s account in Ledger G is as follows:
| £ | s. | d. | ||
| 1746 | ||||
| Decembr 5 | By making & burning | 9 | 5 | 7½ |
| 41,255 Bricks at 4/6 | ||||
| 1747 | ||||
| Septembr | By stacking & burning | 16 | 9½ | |
| 11,200 Do at 1/6 | ||||
| By making & burning | 14 | 2 | 10 | |
| 62,849 Do at 4/6 | ||||
| By making & burning | 4 | 6 | ||
| 1000 Do at 4/6 | ||||
| By short paid of my | 9½ | |||
| Order on Majr | ||||
| Champe | ||||
| By building part of | 10½ | |||
| my House |
The last item, in particular, is clear indication that an architectural project of importance was underway and that Mercer had set about to make Marlborough the equal of Virginia’s great plantations. Only “part of my house” was built by Minitree, yet his bill was more than five times the total cost of Mercer’s previous house, completed in 1730!
Since it was customary in Virginia to make bricks on the site of a new house, utilizing the underlying clay excavated from the foundation, Minitree, as well as Anderson, made his bricks at Marlborough before using them. Mortar for laying bricks was made of lime from oystershells. In 1747 and 1748, we learn from the ledger, 61½ hogsheads of oystershells were bought from Abraham Basnett, an “Oysterman,” payment having been made in cash, meat, and brandy. “Flagstones &c ” were obtained in 1747 through Major John Champe at a cost of £36 4s. 6d. These may have been the same stones brought up as “a load of stone” by “Boatswain Davis” of Boyd’s Hole in Passapatanzy in October 1747 for £4 5s. 5d.
Early in 1748 a new set of developments concerning the house took place. Major William Walker of Stafford, revealed in the journal and the ledgers as an old acquaintance of Mercer’s, then became the “undertaker,” or contractor, for the house. Walker was a talented man who had started out as a cabinetmaker, a craft in which his brother Robert still continued. Whiffen (The Public Buildings of Williamsburg) shows that he both designed and built a glebe house for St. Paul’s Parish, Hanover County, in 1739-1740, and the steeple for St. Peter’s Church in New Kent the latter year. Also in 1740 he built a bridge across the Pamunkey for Hanover County. At the same time that he was engaged on Mercer’s mansion, he undertook in March 1749 to rebuild the burned capitol at Williamsburg. He died 11 months[Pg 36] later before bringing either of these major projects to completion.[95]
Walker’s carpenter was William Monday. Mercer settled with Monday in March 1748 for a total bill of £126 16s. 2½d., but with a protest addressed to himself in the ledger: “By work done about my House which is not near the value as by Majr Walker’s Estimate below, yet to avoid Disputes & as he is worth nothing I give him Credit to make a full Ballance.”
Meanwhile, William Bromley, a joiner, had gone to work on the interior finish. Like Minitree and Walker, Bromley represented the highest caliber of artisanship in the colony. Eighteen years later Mercer referred to Bromley, “who,” he said, “I believe was the best architect that ever was in America.”[96] Bromley employed several apprentices, among them an Irishman named Patterson.[97] For the interval from July 9, 1748, to December 25, 1750, Bromley was paid £140 1s. ½d., almost entirely for wages. The payment included “3 pr hollows & rounds / 6 plane irons / 1 gallon Brandy.” For the same period Andrew Beaty, also a joiner, received £113 5s. 1½d. On June 19, 1749, Mercer noted in his journal, “Beaty’s apprentice came to work.” These men were specialists in framing woodwork and in making paneling, doors, wainscoting, and exterior architectural elements of wood.
The opulence of the building’s finish is indicated by a charge on Walker’s account for “his Carver’s work 69 days at 5/, £17. 15....” Previously, while Minitree was still working on the house, an item had been entered in August 1747, “To Cash paid for cutting the Chimneypiece ... 6.3.” A chimneypiece was usually the ornamental trim or facing around a fireplace opening, although in this instance the overpanel may have been meant.
Jacob Williams, a plasterer, worked 142½ days for a total of £22 4s. 4d., while his helper Joseph Burges was employed 43 days for £5 7s. 6d. Walker charged £3 8s. 11d. for “his Painters work about my house,” and a purchase of “42 gallons of Linseed Oyl” was recorded in the general charges account. Three books of goldleaf, which Mercer had obtained from George Gilmer, the Williamsburg apothecary, were charged, together with paint, to Walker.
In May 1750, a charge by George Elliot, “Turner, Stafford,” was recorded, “By turning 162 Ballusters at 6d, £4.1....” Another item, for supplying “341½ feet Walnut Plank at 2d,” settled in October, may have been for the wood of which the balusters were made.
Thomas Barry, “Bricklayer,” carried on the work that Minitree had not completed. His account for 1749 follows:
| £ | s. | d. | |
| By Building the Addition to my House | 26 | ||
| 22 Arches at 6/ | 6 | 12 | |
| 900 Coins & Returns at 6/ | 2 | 14 | |
| A Frontispiece | 3 | 10 | |
| Underpinning & altering the Cellar | 2 | ||
| raising a Chimney | 1 | 5 | |
| building an Oven | 15 | ||
| building a Kiln | 1 | ||
| building a Kitchen | 9 | 10 | |
| 3 Arches at 6/ | 18 | ||
| 2 Plain Do at 2/6 | 5 | ||
| 500 Coins & returns at 6/ | 1 | 10 | |
| 55 | 19 | 0 |
Expensive stone was imported for the house by Captain Roger Lyndon, master of the Marigold, whose account occurs in the ledger:
| £ | s. | d. | |||
| 1749 | April | By 630 Bricks at 20/ pr m. | 10 | ||
| Decr | By Gen’l Charges for | ||||
| hewn Stone from Mr | |||||
| Nicholson[98] | 65 | 16 | 4 | ||
| 1750 | June | By Gen’l Charges for | |||
| sundrys by the Marigold | |||||
| By Do for freight of | |||||
| Stones to my House | 5 |
It is interesting to note that bricks, probably carried from England as ballast, were brought by Captain Lyndon.
Figure 11.—Fireplace mantels illustrated in William Salmon’s Palladio Londonensis.Not all the hewn stone was fashioned in England.[Pg 37] William Copein, a Prince William County mason, and Job Wigley were employed together in 1749 to the amount of £2 8s. In 1750 Copein was paid by Mercer for 64 days of work at 3s. 1d. per day, totaling £9 17s. 4d. Copein was another accomplished craftsman, the marks of whose skill still are to be seen in the carved stone doorways of Aquia Church in Stafford County and in the baptismal font at Pohick Church in Fairfax.
The design of the house will be considered in more detail later in the light of both archeological and documentary evidence. It is already quite clear, however, that the new mansion was remarkably elaborate, reflecting the workmanship of some of Virginia’s best craftsmen. The most significant clues to its inspiration are found in the titles of four books which Mercer purchased in 1747. These are listed in the inventory of his books in Ledger G as follows:
“Hoppne’s Architecture.” This was probably The Gentlemans and Builders Repository on Architecture Displayed. Designs Regulated and Drawn by E. Hoppus, and engraved by B. Cole. Containing useful and requisite problems in geometry ... etc, (1738). Edward Hoppus was “Surveyor to the Corporation of the London Assurance.” He also edited Salmon’s Palladio Londonensis. We find no writer on architecture named Hoppne and assume this was a mistake.
“Salmon’s Palladio Londonensis.” Palladio Londonensis: or the London Art of Building, by William Salmon, which appeared in at least two editions, in 1734 and in 1738, had a profound influence on the formal architecture of the colonies during the mid-century.
“Palladio’s Architecture.” The Italian Andrea Palladio was the underlying source of English architectural thought from Christopher Wren down to Robert Adam. Under[Pg 38]
[Pg 39] the patronage of Lord Burlington, this book was brought out in London in an English translation by Giacomo Leoni under the title The Architecture of A. Palladio; in Four Books. It had appeared in three editions prior to this inventory, in 1715, 1721, and 1742, according to Fiske Kimball (Domestic Architecture of the American Colonies and of the Early Republic; New York: Charles Scribner’s Sons, 1924, p. 58). Mercer probably owned one of these. “Langley’s City & Country Builder.” City and Country Builder’s and Workman’s Treasury of Design by Battey Langley, 1740, 1745. This was another copybook much used by builders and provincial architects.
Figure 12.—Doorways illustrated in William Salmon’s Palladio Londonensis (the London
Art of Building), one of the books used by William Bromley, the chief joiner who worked
on Mercer’s mansion. (Courtesy of the Library of Congress.)
All four of these books were listed in succession in the ledger and bracketed together. Next to the bracket are the initials “WB,” to indicate that the books had been lent to someone who bore those initials. In this case it is virtually certain that the initials are those of William Bromley, to whom the books would have been of utmost importance in designing the woodwork of the house.
Door hardware was purchased from William Jordan in June 1749, according to an item for “Locks & Hinges” that amounted to the large sum of £13 8s. 8d.
DOMESTIC FURNISHINGS
As the mansion progressed, so did the acquisition of furnishings suitable to its elegance. As early as 1742, doubtless in anticipation of the new house, Mercer had bought from Hunter a “lanthorn,” three porringers, two cotton counterpanes at 27s., a plate warmer for 7s. 6d., a half-dozen plates for 3s. 6d., a half-dozen deep plates for 6s., a dozen “Stone Coffee cups” for 18d., a dozen knives and forks for 3s., two tin saucepans at 4d. each, and “4 Dishes, 19½ lib.” (obviously large pewter chargers). In 1743 he bought “5 gallon Basons 4/7” and “2 pottle Basons at 2/4” (for toilet use), “1 Soop Spoon 1/,” and “1 Copper Chocolate pot 7/6 & mull Stick 6d,” “2 blew & Wt Jugs 2/” (probably Westerwald stoneware), and “1 Flanders Bed Bunt, 25” (colored cotton or linen used for bedcovers).
In 1744 Mercer acquired from Charles Dick 4 candlesticks for a penny each, 2 pairs of large hinges, a “hair sifter,” “2 kitchen buck hand knives,” 12 cups and saucers for 2s., “1 milkmaid 2d” (probably a shoulder yoke), and “1 bucket ½d.” In 1745 a 5-gallon “Stone bottle” for 3s. 6d., “1 doz. butcher knives,” a hearthbroom, six spoons for a shilling, a pair of scissors, “8 Chamberdoor Locks wth brass knobs £2,” and “1 Sett finest China 35/, 2 punch bowls ... 2.7” were purchased.
The following year Mercer paid a total of £23 for a silver sugar dish, weighing 8 oz., 5 dwt.; one dozen teaspoons and tray, 8 oz., 7 dwt.; a teapot and frame, 26 oz., 8 dwt. This lot of silver probably was bought at second hand, having been referred to as “Pugh’s Plate pd Edwd Wright as by Rect.” He paid John Coke, a Williamsburg silversmith, £1 6s. for engraving and cleaning it. In the meanwhile, in 1745, he had sold Coke £6 worth of old silver. He also sold a quantity of “old Plate” for £15 17s. 3d. to Richard Langton in England through Sydenham & Hodgson. In 1747 he made a large purchase of silver from the silversmith William King[99] of Williamsburg:
| oz. | dwt. | £ | s. | d. | |
| May 1747 | |||||
| By Bernard | |||||
| Moore for | |||||
| 1 Cup | 51 | 1 | 30 | 8 | 3 |
| By James | |||||
| Power for | |||||
| 1 Waiter | 8 | 7½ | 4 | 14 | 2½ |
| By a pair of | |||||
| Sauceboats | 25 | 8 | |||
| By a large | |||||
| Waiter | 29 | 3 | 48 | 11 | 3½ |
| By a smaller | |||||
| Do | 23 | 8 | |||
| By a small Do | 8 | 8 | |||
| 148 | 15½ @ 11/3 | 84 | 13 | 9 |
In March 1748, Mercer settled with Captain Lyndon for the following:
| £ | s. | d. | ||
| 1 | superfine large gilt Sconce glass | 6 | 16 | |
| 1 | Do | 5 | 5 | |
| 1 | Walnut & gold Do | 2 | 10 | |
| 1 | Marble Sideboard 32/6 Bragolo [sic] 32/6 | 3 | 5 |
The following June he bought a marble table from William Jordan and in October “4 looking Glasses,” which Jordan obtained from Sydenham & Hodgson.
Figure 13.—Table-desk made in 1749 for Henry
Purefoy of Shalstone Manor in Buckinghamshire by
John Belchier of London. In the following year,
John Mercer received £43 13s. worth of “Cabinet
Ware” from that noted cabinetmaker. (Reproduced
from Purefoy Letters, 1735-1753, G. Bland, ed.,
Sidgwick and Jackson, Ltd., London, 1931, by courteous
permission of the publisher.)
[Pg 40]Meanwhile, William Walker’s brother Robert made 14 chairs for Mercer, on which William’s carver spent 54 days. The total cost was £30 8s. The quality of Mercer’s furniture is illustrated further by a purchase in 1750 from Lyonel Lyde,[100] a London merchant, of £43 13s. worth of “Cabinet Ware from Belchier.” Belchier was a leading London furniture maker, whose shop in 1750 was located on the “south side of St. Paul’s, right against the clock.” Sir Ambrose Heal, in The London Furniture Makers, illustrates a superb japanned writing cabinet in green and gold chinoiserie made by Belchier in 1730.[101] Belchier also supplied Shalstone Manor, the Buckinghamshire estate of Henry Purefoy, with a table-desk in 1749 (fig. 13).[102]
The ledger notes other occasional purchases of furniture during this period. In 1746 Mercer paid cash “for oysters & a bedsteed,” in the amount of 10s. 6d. In September 1748, he bought “an Escritoire” from tutor John Phipps, for which he paid £5.
LIGHTING DEVICES
Artificial lighting for the manor house receives sparse mention. The four candlesticks bought in 1744 for a penny each were probably of iron or tin for kitchen use. Candlesticks purchased earlier probably remained in use, sufficing for most illumination. It is a modern misconception that colonial houses were ablaze at night with lamplight and candlelight. Candles were expensive to buy and time-consuming to make, while lamps rarely were used before the end of the century in the more refined areas of households. The principal use of candles was in guiding one’s way to bed or in providing the minimum necessary light to carry on an evening’s conversation.[Pg 41] During cold weather, fireplaces were a satisfactory supplement. In general, early to bed and early to rise was the rule, as William Byrd has shown us, and artificial light was only a minor necessity.
Nevertheless, some illumination was needed in the halls and great rooms of colonial plantation houses, especially when guests were present—as they usually were. The three sconce glasses which Captain Lyndon delivered to Mercer in 1748 were doubtless elegant answers to this requirement. These glasses were mirrors with one or more candle branches, arranged so that the light would be reflected and multiplied. On special occasions, these, and perhaps some candelabra and a scattering of candlesticks to supplement them, provided concentrations of light; for such affairs the use of ordinary tallow candles, with their drippings and smoke, was out of the question. A pleasant alternative is indicated by the purchase in April 1749 of “11½ lib. Myrtle Wax att 5d ... 14.4½” and “4 lib Beeswax 6/” from Thomas Jones of the Eastern Shore. Similar purchases also are recorded. Myrtle wax came from what the Virginians called the myrtle bush, better known today as the bayberry bush. Its gray berries yielded a fragrant aromatic wax much favored in the colonies. In making candles it was usually mixed with beeswax, as was evidently the case here. A clean-burning, superior light source, it was nonetheless an expensive one. Burning in the brackets of the sconce glasses at Marlborough, heightening the shadows of the Palladian woodwork and, when snuffed, emitting its faint but delicious fragrance, it must have been a delight to the eyes and the nostrils alike.
NEGROES
Negroes played an increasingly important part in the life of Marlborough, particularly after the manor house was built. Between 1731 and 1750 Mercer purchased 89 Negroes. Most of these are listed by name in the ledger accounts. Forty-six died in this period, while 25 were born, leaving a total of 66 Negroes on his staff in 1750. In 1746 he bought 6 men and 14 women at £21 10s. from Harmer & King in Williamsburg. The new house and the expanded needs for service were perhaps the reasons for this largest single purchase of slaves.
There is no indication that Mercer treated his slaves other than well, or that they caused him any serious difficulties. On the other hand, his frequent reference to them by name, the recording of their children’s names and birth dates in his ledger, and the mention in his journal of new births among his slave population all attest to an essentially paternalistic attitude that was characteristic of most Virginia planters during the 18th century. Good physical care of the Negroes was motivated perhaps as much by self-interest in protecting an investment as by humane considerations, but, nonetheless, we find such items in the ledger as “To Cash pd Doctor Lynn for delivering Deborah.”
That discipline served for the Negroes as it usually did for all colonials, whether the lawbreaker were slave, bondsman, or free citizen, is indicated by an entry in the Dick account: “2 thongs wth Silk lashes 1/3.” One must bear in mind that corporal punishment was accepted universally in the 18th century. Its application to slaves, however, usually was left to the discretion of the slave owner, so that the restraint with which it was administered depended largely upon the humanity and wisdom of the master.
The use of the lash was more often than not delegated to the overseer, who was hired to run, or help run, the plantation. It was the overseer who had a direct interest in eliciting production from the field hands; a sadistic overseer, therefore, might create a hell for the slaves under him. It is clear from Mercer’s records that some of his overseers caused problems for him and that at least one was a brutal man. For October 1747 a chilling entry appears in the account of William Graham, an overseer at Bull Run Quarters: “To Negroes for one you made hang himself. £35.” Entered in the “Negroes” account, it reappears, somewhat differently: “To William Graham for Frank (Hanged) £35 Sterling. £50. 15.” This is one of several instances on record of Negroes driven to suicide as the only alternative to enduring cruelties.[103] In this case, Graham was fined 50 shillings and 1293 pounds of tobacco.
We do not know, of course, whether other Negroes listed as dead in Mercer’s account died of natural causes or whether cruel treatment contributed to their deaths. In the case of a homesick Negro named Joe, who ran away for the third time in 1745, Mercer seems reluctantly to have resorted to an offer of reward and an appeal to the law. Even so, he[Pg 42] declined to place all the blame on Joe. Joe had been “Coachman to Mr. Belfield of Richmond County” and in the reward offer Mercer states that Joe
... was for some time after he first ran away lurking about the Widow Belfield’s Plantation.... He is a short, well-set Fellow, about 26 Years of Age, and took with him several cloaths, among the rest a Suit of Blue, lined and faced with Red, with White Metal Buttons, Whoever will secure and bring home the said Negroe, shall receive Two Pistoles Reward, besides what the Law allows: And as I have a great Reason to believe, that he is privately encouraged to run away, and then harboured and concealed, so that the Person or Persons so harbouring him may be thereof convicted, I will pay to such Discoverer Ten Pistoles upon Conviction. This being the third Trip he has made since I bought him in January last, I desire he may receive such Correction in his Way home as the Law directs, when apprehended.[104]
Whether Joe received the harsh punishment his offense called for is not recorded. However, in 1748 Mercer accounted for cash paid for “Joe’s Lodging & burial £3. 10.,” suggesting that Joe enjoyed death-bed care and a decent burial, even though he may have succumbed to “such correction ... as the law directs.”
As has already been suggested, his overseers seem to have given Mercer more trouble than his slaves. One was Booth Jones of Stafford, about whom Mercer confided in his ledger, “By allowed him as Overseer tho he ran away about 5 weeks before his time was out by wch I suffered more damage than his whole wages. £3. 11.” Meanwhile, in 1746 William Wheeland, an overseer at Bull Run Quarters, “imbezilled” 40 barrels of corn.
James Savage was one of the principal overseers and seems to have been in charge first at Sumner’s Quarters and then at Bull Run Quarters. John Ferguson succeeded him at the former place. William Torbutt was also at Bull Run, while Mark Canton and Nicholas Seward were overseers at Marlborough.
The outfitting of slaves with proper clothes, blankets, and coats was an important matter. It called for such purchases as 121 ells of “ozenbrigs” from Hunter in 1742. “Ozenbrigs” was a coarse cloth of a type made originally in Oznabruck, Germany,[105] and was traditionally the Negro field hand’s raiment. Many purchases of indigo point to the dying of “Virginia” cloth, woven either on the plantation or by the weavers mentioned earlier. Presumably, shoes for the Negroes were made at Marlborough, judging from a purchase from Dick of 3¼ pounds of shoe thread. The domestic servants were liveried, at least after the mansion was occupied. William Thomson, a Fredericksburg tailor, made “a Coat & Breeches [for] Bob, 11/.” Bob was apparently Mercer’s personal manservant, who had served him since 1732. Thomson also was paid £4 16s. 2d. for “Making Liveries.” The listing of such materials as “scarlet duffel” and “scarlet buttons” points to colorful outfitting of slaves.
SAILING, FISHING, HUNTING
Water transportation was essential to all the planters, most of whom owned sloops. We have seen that Mercer used a sloop for his earliest trading activities before he settled at Marlborough, and it is apparent that in the 1740’s either this same sloop or another which may have replaced it still was operated by him. Hauling tobacco to Cave’s warehouse, picking up a barrel of rum in Norfolk or a load of lumber on the Eastern Shore were vital to the success of the plantation. To equip the sloop, 14 yards of topsail, ship’s twine, and a barrel of tar were purchased in 1747. Mercer had two Negroes named “Captain” and “Boatswain,” and we may suppose that they had charge of the vessel. Such an arrangement would not have been unique, for many years after this, in 1768, Mercer wrote that “a sloop of Mr Ritchie’s that came around from Rappa for a load of tobacco stopped at my landing; his negro skipper brought me a letter from Mr Mills....”[106]
That there was considerable hunting at Marlborough is borne out by repeated references to powder, shot, gunpowder, and gunflints. Fishing may have been carried on from the sloop and also in trap-nets of the same sort still used in Potomac Creek off the Marlborough Point shore. In 1742 purchases were made of a 40-fathom seine and 3 perch lines, and in 1744 of 75 fishhooks and 2 drumlines.
BOOKS
In Ledger G, Mercer listed all the books of his library before 1746. He then listed additions as they[Pg 43] occurred through 1750 (Appendix K). This astonishing catalog, disclosing one of the largest libraries in Virginia at that time, reveals the catholicity of Mercer’s tastes and the inquiring mind that lay behind them. Included in the catalog are the titles of perhaps the most important law library in the colony.
The names of all sorts of books on husbandry and agriculture are to be found in the list: “Practice of farming,” “Houghton’s Husbandry,” “Monarchy of the Bees,” “Flax,” “Grass,” and Evelyn’s “A Discourse of Sallets.” Mercer’s interest in brewing, which later was to launch a full-scale, if abortive, commercial enterprise is reflected in “London Brewer,” “Scott’s Distilling and Fermentation,” “Hops,” and the “Hop Gardin,” while “The Craftsman,” “Woollen Manufacture,” and “New Improvements” indicate his concern with the efficiency of other plantation activities.
He displayed an interest in nature and science typical of an 18th-century man: “Bacon’s Natural History,” “Gordon’s Cosmography,” “Gordon’s Geography,” “Atkinson’s Epitome of Navigation,” “Ozamun’s Mathematical Recreations,” “Keill’s Astronomy,” and “Newton’s Opticks.” Two others were “Baker’s Microscope” and “Description of the Microscope &c.” It may be significant that in 1747 Mercer bought three microscopes from one “Doctor Spencer” of Fredericksburg, the books on the subject and the instruments themselves possibly having been intended for the education of the three boys.
“150 Prints of Ovid’s Metamorphosis” appears, in addition to “Ovid’s Metamorphosis and 25 Sins,” for which Mercer paid £8 6s. to William Parks in 1746. “Catalog of Plants” and “Merian of Insects” are other titles related to natural science.
Many books on history and biography are listed—for example, “Life of Oliver Cromwell,” “Lives of the Popes,” “Life of the Duke of Argyle,” “Hughes History of Barbadoes,” “Catholick History,” “History of Virginia,” “Dr. Holde’s History of China,” “The English Acquisitions in Guinea,” “Purchas’s Pilgrimage.”
There are 25 titles under “Physick & Surgery,” reflecting the planter’s need to know the rudiments of medical care for his slaves and family. Art, architecture, and travel interested him also, and we find such titles as “Noblemen’s Seats by Kip,” “Willis’s Survey of the Cathedrals,” “8 Views of Scotland,” “Perrier’s Statues,” “Pozzo’s Perspective,” “100 Views of Brabant & Flanders,” “History of Amphitheatres.” There was but one title on music—“The Musical Miscellany,” mentioned previously. “Report about Silver Coins” was probably an English report on the exchange rate of silver coinage in the various British colonies.
Mercer kept abreast of English literature of his own and preceding generations: “Swift’s Sermons,” the “Spectator” and the “Tatler,” “Pope’s Works,” “Turkish Spy,” “Tom Brown’s Letters from the Dead to the Living,” “Pamela,” “David Simple,” “Joseph Andrews,” “Shakespeare’s Plays,” “Ben Jonson’s Works,” “Wycherley’s Plays,” “Prior’s Works,” “Savage’s Poems,” “Cowley’s Works,” and “Select Plays” (in 16 volumes), to mention but a few. The classics are well represented—“Lauderdale’s Virgil,” “Ovid’s Art of Love,” “Martial” (in Greek), as well as a Greek grammar and a Greek testament. There were the usual sermons and religious books, along with such diverse subjects as “Alian’s Tacticks of War,” “Weston’s Treatise of Shorthand” and “Weston’s Shorthand Copybook,” and “Greave’s Origin of Weights, &c.” He subscribed to the London Magazine and the Gentleman’s Magazine, and received regularly the Virginia Gazette.
While most of Mercer’s books were for intellectual edification or factual reference, a few must have served the purpose of sheer visual pleasure. Such was Merian’s magnificent quarto volume of hand-colored engraved plates of Surinam insects, with descriptive texts in Dutch. The 18th-century gentleman’s taste for the elegant, the “curious,” and the aesthetically delightful were all satisfied in this luxurious book, which would have been placed appropriately on a table for the pleasure of Mercer’s guests.[107]
THE PETITION
Although overseeing the construction of his mansion, buying the furniture for it, and assembling a splendid library would have been sufficient to keep lesser men busy, Mercer was absorbed in other activities as well. On May 10, 1748, for example, he recorded in his journal that he went “to Raceground by James Taylor’s & Wido Taliaferro’s,”[108] traveling 50 miles to do so. On December 13, 1748, he went “to[Pg 44] Stafford Court & home. Swore to the Commission of the Peace,” thus becoming a justice of the peace for Stafford County.
Figure 14.—Archeological survey plan superimposed over detail of 1691 plat, showing
southwest corner of town developed by Mercer. It can be seen that the mansion foundation
was in the area near the change of course “by the Gutt between Geo. Andrew’s &
the Court house,” hence in the vicinity of the courthouse site.
In the meanwhile, years had gone by, and no action had been taken on the suit in chancery brought in the 1730’s to establish Savage’s survey of Marlborough as the official one. During this time, Mercer had continued to build on various lots other than those he owned, “relying on the Lease and Consent of [the feoffees], at the Expense of above Fifteen Hundred Pounds, which Improvements would have saved forty lots.” Finally, “judging the only effectual way to secure his Title would be to procure an Act of General Assembly for that purpose,”[109] Mercer applied to the Stafford court to purchase the county’s interest in the town, to which the court agreed on August 11, 1747, the price to be 10,000 pounds of[Pg 45] tobacco. Since this transaction required legislative approval, Mercer filed with the House of Burgesses the petition which has served so often in these pages to tell the history of Marlborough.
Mercer argued in the petition that the county had nothing to lose—that it “had received satisfaction” for at least 30 lots, some of which he might be obliged to buy over again; that, considering the history of the town, no one but himself would be likely to take up any other lots, the last having been subscribed to in 1708; and that his purchase of the town would be not to the county’s disadvantage but rather to his own great expense. He was willing to accept an appraisal from “any one impartial person of Credit” who would say the town was worth more, and to pay “any Consideration this worshipful House shall think just.”
He pointed out that the two acres set aside for the courthouse were excluded and that they “must revert to the Heir of the former Proprietor, (who is now an Infant).” He did not indicate in the petition that he himself was the guardian of William Brent, infant heir to the courthouse property. It is most significant, therefore, that in asking for favorable action he added, “except the two acres thereof, which were taken in for a Courthouse, as aforesaid and which he is willing to lay of as this worshipful House may think most for the Benefit of Mr. William Brent, the Infant, to whom the same belongs, or to pay him double or treble the worth of the said two acres, if the same is also vested in your Petitioner.” (Italics supplied.) Plainly, Mercer had much at stake in obtaining title to the courthouse land. This supports the hypothesis that the Gregg survey of 1707 infringed on the courthouse land, that Ballard’s lot 19 on the Gregg survey overlapped it, and that Mercer’s first two houses, and now his mansion, were partly on land that rightfully belonged to his ward, William Brent. Mercer apparently had so built over all the lower part of Marlborough without regard to title of ownership, and had so committed himself to occupancy of the courthouse site, that he was now in the embarrassing position of having to look after William Brent’s interests when they were in conflict with his own. Likely it is that he had depended too much on acceptance of the still-unauthorized Savage survey to correct the previous discrepancies by means of its extra row of lots.
Still further indication that the courthouse land was at issue is found in the proceedings that followed the petition. In these, there are repeated references to Mercer’s having been called upon to testify “as the Guardian of William Brent.” Clearly, the legislators were concerned with the effect the acceptance of the petition would have on Brent’s interests. If Mercer, as seems likely, was building his mansion on the courthouse land, the burgesses had reason to question him. In any case, the House resolved in the affirmative “That the said Petition be rejected”.[110]
This setback was only temporary, however. The wider problems of Marlborough had at least been brought to light, so that by the time the next fall session was held Mercer’s 18-year-old suit to have Savage’s designated the official survey finally was acted upon:
“At a General Court held at the Court House in Williamsburg the 12th October 1749” the John Savage survey of 1731 was “Decreed & Ordered” to be “the only Survey” of Marlborough. The problem of overlapping boundaries occasioned by the conflicts between the first two surveys was solved neatly. Mercer agreed to accept lots 1 through 9, 22 and 25, and 33, 34, 42, and 43, “instead of the sd 17 lots so purchased.” The new lots extended up the Potomac River shore, while the “sd 17 lots” were those which he had originally purchased and had built upon. Since he had “saved” these 17 lots by building on them, according to the old laws for the town, “it is further decreed & ordered that the said Town of Marlborough grant & convey unto the sd John Mercer in fee such & so many other Lotts in the said Town as shall include the Houses & Improvmts made by the said John Mercer according to the Rate of 400 square feet of Housing for each Lot so as the Lots to be granted for any House of greater Dimensions be contiguous & are not separated from the said House by any of the Streets of the said Town.”[111]
Thus, Mercer’s original titles to 17 lots were made secure by substituting new lots for the disputed ones he had occupied. This device enabled the feoffees to sell back the original lots—at £182 per lot—with new deeds drawn on the basis of the Savage survey. The final provision that lots be contiguous when a house larger than the minimum 400 square feet was built on them, and that the house and lots should not be separated by streets from each other, guaranteed the integrity of the mansion and its surrounding[Pg 46] land. No mention was made here, or in subsequent transfers, of the courthouse land. Presumably it was conveniently forgotten, Mercer perhaps having duly recompensed his ward.
HEALTH AND MEDICINE
Three weeks before his petition was read in the House, Mercer became ill. On October 26, 1748, he noted in his journal, “Very ill obliged to keep my bed.” This was almost his first sickness after years of apparently robust health. Such indispositions as he occasionally suffered had occurred, like this one, at Williamsburg, where conviviality and rich food caused many another colonial worthy to founder. In this case, anxiety over the outcome of his petition may have brought on or aggravated his ailment. In any event, he stayed throughout the court session at the home of Dr. Kenneth McKenzie, who treated him. On November 3 he noted that he was “On Recovery,” and two days later “went out to take the air.” The following appears in his account with Dr. McKenzie:
| October 1748: | By Medicines & Attendance | |
| myself & Ice | £7.19.11 | |
| By Lodging &c. 7 weeks | 6. 6. 7 |
From William Parks, on another occasion, he bought “Rattlesnake root,” which was promoted in 18th-century Virginia as a specific against the gout, smallpox, and “Pleuritick and Peripneumonic Fevers.”[112] Twice he bought "British oyl," a favorite popular nostrum sold in tall, square bottles, and on another occasion “2 bottles of Daffy’s Elixir.”[113] In 1749 he settled his account with George Gilmer, apothecary of Williamsburg, for such things as oil of cinnamon, Holloways’ Citrate, “Aqua Linnaean,” rhubarb, sago, “Sal. Volat.,” spirits of lavender, and gum fragac. The final item in the account was for April 22, 1750, for “a Vomit.” The induced vomit, usually by a tartar emetic, was an accepted cure for overindulgence and a host of supposed ailments. That inveterate valetudinarian and amateur physician, William Byrd, was in the habit of “giving” vomits to his sick slaves.[114]
In November and December 1749 Mercer sustained his first long illness, during which he was attended by “Doctor Amson.” “Taken sick” at home on November 13, he evidently did not begin to recover until December 11. Whatever improvement he may have made must have received a setback on the last day of the year, when he recorded in his journal: “Took about 60 grains of Opium & 60 grains of Euphorbium by mistake instead of a dose of rhubarb.”
RELIGION AND CHARITIES
Mercer’s religious observances were irregular, although usually when he was home he attended Potomac Church. At the same time he continued as a vestryman in Overwharton Parish (which included Potomac and Aquia churches). On September 28, 1745, the vestry met to decide whether to build a new Aquia church or to repair the old one. They “then proceeded to agree with one William Walker, an Undertaker to build a new brick Church, Sixty Feet Square in the Clear, for One Hundred and Fifty Three Thousand Nine Hundred and Twenty Pounds of Transfer Tobacco.”[115] In October Mercer entered in Ledger G, under the Overwharton Parish account, “To drawing articles with Walker.” In December he charged the parish with “2 bottles claret” and “To Robert Jackson for mending the Church Plate.” Jackson was a Fredericksburg silversmith.[116]
The following March, the proprietors of the[Pg 47] Accokeek Ironworks petitioned the Committee on Propositions and Grievances with an objection to the vestry’s decision to rebuild, claiming that “as the said Iron-Works lie in the Parish aforesaid, and employ many Tithables in carrying on the same, they will labour under great Hardships thereby....”[117] The petition was rejected, but nothing seems to have been done on the new church until three months after Walker’s death in February 1750, when Mourning Richards was appointed undertaker.[118]
Mercer’s charities in this decade form a short list. His only outright gift was his “Subscription to Protestant working-Schools in Ireland. To my annual Subscription for Sterling £5.5.” In 1749 he did £12 3s. worth of legal work for the College of William and Mary, which he converted into “Subscriptions to Schools” of equal value; in other words, he donated his services.
CATHERINE MERCER’S DEATH AND ANN ROY’S ARRIVAL
On April 1, 1750, Mercer went to Williamsburg for the spring session and stopped en route to visit his friend Dr. Mungo Roy at Port Royal in Caroline County. He remained at Williamsburg until the seventh, except for going on the previous day to “Greenspring” to be entertained by Philip Ludwell in the Jacobean mansion built a century earlier by Governor Berkeley. Again stopping off at Port Royal, he returned home on May 10. He remained there until June 15, when he made the laconic entry in his journal: “My wife died between 3 & 4 at noon.” What time this denotes is unclear.
Figure 15.—Portrait of Ann Roy Mercer, John
Mercer’s second wife and the daughter of Dr. Mungo
Roy of Port Royal, painted in 1750 or shortly
thereafter. (Courtesy of Mrs. Thomas B. Payne.)
Following this loss—Catherine Mercer was only 43—Mercer remained at home for five days, then visited his sister-in-law Mrs. Ann Mason. The next night he stayed with the pastor of Aquia Church, Mr. Moncure, then returned to Marlborough and remained there for nearly a month. Meanwhile, he purchased from Fielding Lewis, at a cost of £3 18s. 7½d., “sundrys for mourning.” William Thomson, the Stafford tailor, made his mourning clothes. The preparations for the funeral must have been elaborate; it was not held until July 13.
At the end of July Mercer went to Williamsburg, thence to Yorktown, and from there to Hampton and Norfolk by water on an “Antigua Ship,” returning to Hampton on August 5 on a “Negro Ship,” evidently having caught passage on oceangoing traders. The younger children remained in Williamsburg with George and a nurse. On September 8 he went to Port Royal and stayed “at Dr. Roy’s.” He returned home on the 10th, then went back to Port Royal on the 14th, staying at Dr. Roy’s until the 20th, attending Sunday church services during his visit. He returned home again on the 23rd, only to visit Dr. Roy once more on the 28th. The October court session drew him to Williamsburg, where he remained until November 7. While there, he purchased the following from James Craig,[119] a jeweler:
| £ | s. | d. | |
| By a pair of Earrings | 2 | 12 | |
| By a pair of Buttons | 2 | 12 | |
| By a plain Ring | 1 | 1 | 6 |
[Pg 48]On November 8 he returned to Dr. Roy’s. On the 10th he added a characteristically sparse note to his chronicle, “Married to Ann Roy.”
The period for mourning poor Catherine was short indeed. But the mansion at Marlborough needed a mistress, and Mercer’s children, a mother. A new chapter was about to open as the decade closed. From the meticulous records that Mercer kept, it has been possible to see Mercer as a dynamic cosmopolite, accomplishing an incredible amount in a few short years. His constant physical movement from place to place, his reading of the law and of even a fraction of his hundreds of books in science, literature, and the arts, his managing of four plantations, attending two monthly court sessions a year at Williamsburg, looking after the legal affairs of hundreds of clients, concerning himself with the design and construction of a remarkable house and selecting the furnishings for it—all this illustrates a personality of enormous capacity.
Marlborough was now a full-fledged plantation. Although the legacy of an earlier age still nagged at Mercer and prevented him from holding title to much of the old town, he had, nevertheless, transformed it, gracing it with the outspread grandeur of a Palladian great house.
FOOTNOTES:
[73] John Mercer’s journal, kept in the back of Ledger B.
[74] Col. John Taliaferro was a justice of Spotsylvania County court and one of the original trustees of Fredericksburg. He lived at the “Manor Plantation,” Snow Creek, Spotsylvania County, and died in 1744 (“Virginia Council Journals, 1726-1753,” VHM [Richmond, 1927], vol. 35, p. 415). Benjamin Hubbard lived in Caroline County (“The Lovelace Family and its Connections,” VHM [Richmond, 1921], vol. 29, p. 367); John Powers was apparently a resident of King William County (Ida J. Lee, “Abstracts from King William County Records,” WMQ [2] [Williamsburg, 1926], vol. 6, p. 72); “Furnea’s” seems to have been an ordinary between Williamsburg and New Kent.
[75] Peter Daniel was a burgess and leading citizen of Stafford County, who, as vestryman, signed the advertisement for bids to build a new Aquia Church in 1751. Virginia Gazette, June 6, 1751.
[76] The Reverend Mr. John Moncure was minister of Overwharton Parish.
[77] See pp. 25, 35-36, 46-47 and footnote 95 for further references to William Walker. Mercer’s visit on this occasion probably relates to Walker’s tentative appointment to rebuild Aquia Church.
[78] Mrs. Ann Spoore of Stafford County.
[79] Probably Mercer’s sister-in-law, Mrs. Ann Mason, mother of George Mason of Gunston Hall.
[80] Dr. Henry Potter lived in Spotsylvania County. His estate was advertised for sale the following April 17 in the Virginia Gazette.
[81] George Hoomes was a justice of Caroline County court. He was appointed in 1735, the same year in which John Mercer qualified to practice law at the same court. “Extracts from the Records of Caroline County,” VHM (Richmond, 1912), vol. 20, p. 203.
[82] Probably Thomas Anderson (see p. 35 and footnote 93); William Gray was justice of New Kent County.
[83] Joseph Selden’s estate passed to his son Samuel, who married Mercer’s eldest daughter, Sarah Ann Mason Mercer. See John Melville Jennings, ed., “Letters of James Mercer to John Francis Mercer,” VHM (Richmond, 1951), vol. 59, pp. 89-91.
[84] Fredericksburg district-court papers, file 571, bundle F, nos. 36-43 (through George F. S. King, Fredericksburg); Stafford County Will Book, Liber Z, p. 383 (August 5, 1707).
[85] Ledger G (original at Bucks County Historical Society) covers the period 1744-1750, with some entries in 1751 and a few summary accounts covering Mercer’s career. Further footnoted references to this ledger will be omitted. Charles Carter lived at “Cleve” in King George County, near Port Royal, fronting on the Rappahannock. See Fairfax Harrison, “The Will of Charles Carter of Cleve,” VHM (Richmond, 1923), vol. 31, pp. 42-43.
[86] Sydenham & Hodgson was a London mercantile firm, represented in Virginia by Jonathan Sydenham. Mercer identified the firm in Ledger G as “Merchants King George” and noted in his journal on January 20, 1745, that he visited at “Mr. Sydenham’s.” In 1757 the two men were referred to elsewhere as “Messrs. Sydenham & Hodgson of London.” See “Proceedings of the Virginia Committee of Correspondence, 1759-67,” VHM (Richmond, 1905), vol. 12, pp. 2-4.
[87] Extensive research has been conducted by Colonial Williamsburg, Inc., on the forms of vehicles used by such Virginians as Mercer and his contemporaries.
[88] Gay Montague Moore, Seaport in Virginia (Richmond, 1949), p. 62.
[89] C. Malcolm Watkins, “The Three-initial Cipher: Exceptions to the Rule,” Antiques (June 1958), vol. 73, no. 6, pp. 564-565.
[90] See J. Hall Pleasants, "William Dering, a mid-eighteenth-century Williamsburg Portrait Painter," VHM (Richmond, 1952), vol. 60, pp. 53-63.
[91] Born 1733, 1735, 1736, and 1738, respectively.
[92] George Mercer Papers, op. cit. (footnote 51), p. 202.
[93] Probably the same Thomas Anderson whose appointment as tobacco inspector at Page’s warehouse, Hanover County, was unsuccessfully protested on the basis that the job required “a person skilled in writing and expert in accounts” (Calendar of Virginia State Papers, op. cit. (footnote 18), vol. 1, pp. 233-234). A letter to Thomas Anderson of Hanover County was listed as uncalled for at the Williamsburg Post Office in August, 1752 (Virginia Gazette; all references to the Gazettes result from use of Lester J. Cappon and Stella F. Duff, Virginia Gazette Index 1736-1780 [Williamsburg, 1950], and microfilm published by The Institute of Early American History and Culture [Williamsburg, 1950]).
[94] See Thomas Tileston Waterman, The Mansions of Virginia, 1706-1776 (Chapel Hill: The University of North Carolina Press, 1946), pp. 183-184, and Marcus Whiffen, The Public Buildings of Williamsburg (Williamsburg, Virginia: Colonial Williamsburg, Inc., 1958), pp. 84, 133, 218.
[95] Whiffen, ibid., pp. 134-137, 217; JHB, 1742-1747; 1748-1749 op. cit. (footnote 6), p. 312; JHB, 1752-1755; 1756-1758 (Richmond, 1909), p. 28.
[96] Purdie & Dixon’s Virginia Gazette, September 26, 1766. Mercer spelled the name Brownley in Ledger G, but in the Gazette article it is printed consistently as Bromley. As published in the George Mercer Papers it is spelled, and perhaps miscopied, Bramley. We have chosen Bromley as the most likely spelling, in the absence of other references to him.
[97] George Mercer Papers, op. cit. (footnote 51), p. 204.
[98] Captain Timothy Nicholson was a London merchant and shipmaster engaged in the Virginia trade with whom Mercer arranged several transactions.
[99] Probably William King, who married Elizabeth Edwards in Stafford in 1738. He was the son of Alfred King, whose parents were William King (d. 1702) and Judith Brent of Stafford. His account with Mercer seems to indicate that he was a silversmith. “Notes and Queries,” The King Family, VHM (Richmond, 1916), vol. 24, p. 203.
[100] The Virginia Gazette on January 27, 1738, announced that Major Cornelius Lyde, “Son of Mr. Lionel Lyde, an eminent merchant in Bristol, died at his House in King William County.” Later it referred to “Capt. Lyonel Lyde of Bristol, [master of] the Gooch.” Mercer’s account with Lyde in Ledger G is headed “Mr Lyonel Lyde, Mercht in London.” Lyde died in 1749 before Mercer settled his account. Elsewhere in the ledger is an account with “Messrs Cooper, Macartney, Powel, & Lyde. Exrs of Lyonel Lyde.” Another Lyonel Lyde, who became “Sir Lyonel” by 1773, was evidently heir to the business.
[101] Sir Ambrose Heal, The London Furniture Makers from the Restoration to the Victorian Era, 1660-1840 (London: Batsford, 1953), pp. 6, 13, 236, 237.
[102] George E. Eland, The Purefoy Letters (London: Sidgwick & Jackson, Ltd., 1931), vol. 1, pp. 98, 107, 111, 177, and pl. 11.
[103] Virginia Gazette, July 10, 1752; Bruce, op. cit. (footnote 5), vol. 2, pp. 107-108; Ulrich Bonnell Phillips, American Negro Slavery (New York & London: D. Appleton, 1918), pp. 271, 272, 381.
[104] Virginia Gazette, September 12, 1745.
[105] George Francis Dow, Everyday Life in the Massachusetts Bay Colony (Boston: The Society for the Preservation of New England Antiquities, 1935), p. 78.
[106] George Mercer Papers, op. cit. (footnote 51), p. 208.
[107] Maria Sibylla Merian, Metamorphosis Insectorum Surinamensium efte Veranderung Surinaamsche Insecten (Antwerp, 1705).
[108] James Taylor lived in Caroline County; the “Wido Taliaferro” was probably Mrs. John Taliaferro of Spotsylvania.
[109] Petition of John Mercer, loc. cit. (footnote 17).
[110] JHB, 1742-1747; 1748-1749, op. cit. (footnote 6), pp. 285-286.
[111] John Mercer’s Land Book, loc. cit. (footnote 12).
[112] Ten years earlier a vogue for rattlesnake root had been established, apparently by those interested in promoting it. On June 16, 1738, Benjamin Waller wrote to the editor of the Virginia Gazette extolling the virtues of rattlesnake root in a testimonial. He claimed it cured him quickly of the gout, and, he wrote, “I am also fully convinced this Medicine has saved the Lives of many of my Negroes, and others in that Disease, which rages here, and is by many called a Pleurisy; And that it is a sure Cure in a Quartan Ague.” Two weeks later the Gazette carried “Proposals for Printing by Subscription a Treatise on the DISEASES of Virginia and the Neighbouring Colonies ... To which is annexed, An Appendix, showing the strongest Reasons, a priori, that the Seneca Rattle-Snake Root must be of more use than any Medicine in the Materia Medica.”
[113] See George B. Griffenhagen and James Harvey Young, “Old English Patent Medicines in America,” (paper 10 in Contributions from the Museum of History and Technology: Papers 1-11, U.S. National Museum Bulletin 218, by various authors; Washington: Smithsonian Institution, 1959).
[114] The Secret Diary of William Byrd of Westover, 1709-1712, edit. Louis B. Wright and Marian Tingling. (Richmond, Virginia: The Dietz Press, 1941), p. 188 (for example).
[115] Op. cit. (footnote 19), p. 203.
[116] Virginia Gazette, October 20, 1752; Ralph Barton Cutten, The Silversmiths of Virginia (Richmond, 1953), pp. 39-40.
[117] Op. cit. (footnote 19), p. 199.
[118] Whiffen, op. cit. (footnote 94), p. 142.
[119] “James CRAIG, Jeweller, from LONDON Makes all sorts Jeweller’s Work, in the best Manner at his Shop in Francis Street (facing the Main Street) opposite to Mr. Hall’s new Store.” Virginia Gazette, September 25, 1746.
THE OHIO COMPANY
The long last period of Mercer’s life and of the plantation he created began at a time of growing concern about the western frontier and the wilderness beyond it. In 1747 this concern had been expressed in the founding of the Ohio Company of Virginia by a group of notable colonial leaders: Thomas Cresap, Augustine Washington, George Fairfax, Lawrence Washington, Francis Thornton, and Nathaniel Chapman. George Mason was an early member, and so, not surprisingly, was John Mercer, whose prestige as a lawyer was the primary reason for his introduction to the company. We learn from the minutes of the meeting on December 3, 1750.
“[Resolved] That it is absolutely necessary to have proper Articles to bind the Company that Mason ..., Scott & Chapman or any two of them, apply to John Mercer to consider and draw such Articles and desire him attend the next general meeting of the Company at Stafford Courthouse....”[120]
At the meeting in May 1751, Mercer presented the Articles and was “admitted as a Partner on advancing his twentieth part of the whole Expence.”[121] From then on he was virtually secretary of the company, as well as its chief driving force. He was made a committee member with Lawrence Washington, Nathaniel Chapman, James Scott, and George Mason, who was treasurer. The “Committee” was the central or executive board.
With the leading members living in Stafford County or nearby, most of the meetings of both the company and the committee were held at Stafford courthouse, and occasionally in private houses of the members. We can imagine with what pride Mercer noted in his journal for February 5-7, 1753, “Ohio Committee met at my house.” The important role played by the Ohio Company in the Mercers’ lives—and by them in the Company—is fully recounted in the George Mercer Papers Relating to the Ohio Company of Virginia.
GEORGE, JOHN, AND JAMES
Mercer doubtless threw himself into the Ohio Company’s affairs with characteristic drive and enthusiasm. We may surmise that there was heady talk at Marlborough about the frontier and of dangerous exploits against the Indians and the French—enough, at least, to have stirred youthful cravings for adventure among the Mercer boys. Certain it is that George and John Fenton, aged 19 and 18, respectively, joined the frontier regiment of their neighbor Colonel Fry as young officers “upon the first incursions of the French.”[122]
James, aged 16 and too young for soldiering,[Pg 50] exhibited an unusual aptitude for architecture. His talent was noticed by William Bromley, the master joiner on the mansion house, who told Mercer that James “had a most extraordinary turn to mechanicks.” On the strength of this, Mercer decided that James should become a master carpenter or joiner, then synonymous with “architect.” In America in 1753 professional architects, as we know them, did not exist; gentlemen, some very talented, designed and drafted, while skilled joiners or carpenters followed general directions, executing, engineering, and inventing as they went along.
Mercer’s decision was as unconventional as it was prescient, being made at a time when gentlemen were not expected to learn a trade, yet at a moment when the respected place the professional architect was later to have could be envisioned. Indeed, he explained his feeling that those who possessed architectural skills “were more beneficial members of society, and more likely to make a fortune, with credit, than the young Gentlemen of those times, who wore laced jackets attended for improvement at ordinaries, horse races, cock matches, and gaming tables.” Motivated by this honest sense of values, forged in the experience of a self-made man, Mercer proceeded to bind James “apprentice to Mr. Waite, a master carpenter and undertaker (of Alexandria), who covenanted to instruct him in all the different branches of that business. At the same time I bound four young Negro fellows (which I had given him) to Mr. Waite, who covenanted to instruct each of them in a particular branch. These, I expected, when they were out of their time, would place him in such a situation as might enable him to provide for himself, if I should not be able to do any more for him. It is notorious that I received the compliments of the Governour, several of the Council, and many of the best Gentlemen in the country, for having set such an example, which, they said, they hoped would banish that false pride that too many of their countrymen were actuated by.”
On June 25, 1753, Mercer noted in his journal, “At home. Bound son James & Peter & Essex to Wm Waite for 5 yrs.” However commendable this effort to banish “false pride” may have been, it was probably not a realistic solution for James’ career. James, as we shall see, was to make his own choice later and was to follow with great distinction in his father’s footsteps as a lawyer.
GROWING BURDENS, RESPONSIBILITIES, AND DEBTS
Meanwhile, Mercer had announced his intention to publish a new edition of the Abridgment. In doing so, he adopted a hostile, testy approach that was unusual even in 18th-century advertising. Implying that he was doing a favor to an ungrateful populace, he stated in the Virginia Gazette on August 16, 1751, “I have been prevail’d upon to print it, if I have a prospect of saving myself, though the Treatment I met from the Subscribers to the last had determined me never to be again concerned in an Undertaking of this Kind.” On the following February 20, he announced in the Gazette that if there were 600 subscribers by the last of the next General Court he would send the copy to press. If not, he would return the money to those who had subscribed, “which I should not have troubled myself with, if I could have thought of any other Expedient to secure myself against the base Usage I met with from the Subscribers to my former Abridgment, who left above 1200 of them on my Hands.” This kind of advertising had its predictable response: publication of the new Abridgment was postponed indefinitely.
The first suggestion that all was not well in Mercer’s financial affairs was given in an advertisement in the Gazette on April 10, 1752. In this he noted that he had agreed to pay the debts of one Francis Wroughton, a London merchant, out of Wroughton’s effects. However, although Wroughton’s effects had not materialized, he promised to make payment anyway, “notwithstanding a large Ballance due to myself.” He concluded, “Besides Mr. Wroughton’s Debts, I have some of my own (and not inconsiderable) to pay, therefore I hope that such Gentlemen as are indebted to me will, without putting me to the Blush which a Dunn will occasion, discharge their Debts....”
Perhaps to alleviate these difficulties, he had advertised in the Gazette on the previous March 15 that he would lease “3,000 Acres of extraordinary good fresh Land, in Fairfax and Prince William,” but there is no evidence that he was successful.
Signs of irritability became increasingly noticeable. In 1753 he outraged his fellow justices at Stafford court—so much so that they brought charges against him before the Executive Council “for misbehavior[Pg 51] as a Justice.”[123] It was decided that, although “his Conduct had been in some Respects blameable, particularly by his Intemperance, opprobrious Language on the Bench, and indecent Treatment of the other Justices, ... that in Consideration of his having been a principal Instrument in a due Administration of Justice, and expediting the Business of the County, it has been thought proper to continue him Judge of the Court.”[124]
A growing burden of debt, in contrast to the prosperity of the preceding decade, clearly affected Mercer’s attitude, as we can see in a Gazette advertisement on November 7, 1754: “I will not undertake any new, or finish any old Cause, ’til I receive my Fee, or Security for it to my liking: And I hope such Gentlemen as for above these seven years past have put me off with Promises every succeeding General Court will think it reasonable now to discharge their accounts.” Concurrent with indebtedness was an almost annual increase in the size of his family. In 1752 Grace Fenton Mercer was born, the next year Mungo Roy, and in 1754 Elinor.
At the same time, he still pursued the restless activity that characterized his earlier years. On July 24, 1753, Mercer went “to Balthrop’s, Smith’s Ordinry & Vaulx’s,”[125] a distance of 27 miles, during which he “Overset.” On the 25th he went on eight miles farther “to Colo Phil Lee’s”[126] for a three-day meeting of the Ohio Company, then went the whole 35 miles home on the 28th. On September 6 he was called eight miles away “to Boyd’s hole on Inquest as Coroner & home by 4 in the morng,” while the next day he was “at home. Son Mungo Roy born abt 2 in the morning.” On the 19th Mungo Roy was christened. Four days later he went 15 miles to Fredericksburg for the christening of William Dick’s son Alexander, returning home the next day. The following day Mercer journeyed 14 miles and back to “Holdbrook’s Survey” by way of Mountjoy’s, and repeated the trip the next day, stopping at Major Hedgman’s[127] coming and going. On October 5 he made a three-day trip to Williamsburg, covering the distance in stretches of 16, 52, and 42 miles per day, respectively. He went by way of Port Royal, where he “Met Mr Wroughton,” presumably the London merchant whose creditors he had agreed to pay. The second day took him by way of King William courthouse. On the return on November 4-6, he came via Chiswell’s Ordinary[128] and New Kent courthouse (which he noted had "Burnt"), covering a total of 110 miles.
On June 3, 1754, his clerk reported to duty, according to a journal entry: “Rogers came here at £50 pr annum.” Rogers remained in Mercer’s employ until 1768.
Mercer seems to have been driving himself to the limit, not to achieve success as in the prior decades, but rather to hold secure what he already had. The specter of debt now hung over him, as it did over nearly every planter, under the increasing burdens of the French and Indian War. The 17th-century wisdom of William Fitzhugh and Robert Beverley in seeking to lead the colony away from complete dependence upon tobacco was apparent to those who would remember. Marlborough, although still technically a town, was now in reality a tobacco plantation, and Mercer, despite his status as a lawyer, was as irretrievably committed to the success or failure of tobacco as was Fitzhugh 70 years earlier. The hard years were now upon all, and, like his equally hard-pressed debtors, Mercer was suffering from them.
LIFE AT MARLBOROUGH DURING THE FRENCH AND INDIAN WARS
On March 11, 1755, after nearly 30 years of uncertainty about his titles to Marlborough, Mercer at last[Pg 52] was granted the entire 52-acre town in a release from the feoffees, Peter Daniel and Gerard Fowke. This was made with the provision that he should be “Eased from making improvements on the other twenty-six Lots (those not built upon), to prevent their forfeiture and the County will be wholly reimbursed, which it is not probable it ever will be otherwise as only one Lot has been taken up in forty-seven years last past and there is not one House in the said town which has not been built by the said Mercer.”[129]
While the day-to-day events of Marlborough went on much as ever, the conflict between the British and the French spread from Canada southward along the western ridge of the Appalachians. This expansion, inevitably, was reflected in the Mercers’ activities in many ways, both great and small. As the struggle approached its climax, Braddock’s troops came to Virginia in March 1755, and were quartered in Alexandria. Among them was John Mercer’s brother, Captain James Mercer, who was a professional soldier. On March 25 John left Marlborough for Alexandria, probably to greet James and to have him billeted at William Waite’s house where young son James already was living as Waite’s apprentice. This bringing together of two far-flung members of the Mercer family had unanticipated results. Captain James was a British gentlemen-officer, untouched by the leveling influences of colonial life and therefore untempted to banish “false pride” by any such radical means as John had employed with young James. Indeed, the sight of his nephew learning a mechanical trade must have been a rude shock, for we learn from John Mercer that Captain James “found means to make his nephew uneasy under his choice; and I was from that time incessantly teazed, by those who well knew their interest over me, until I was brought to consent very reluctantly that he should quit the plumb and square” and become a lawyer.[130]
Mercer returned to Marlborough by way of George Mason’s, near the place where a few months later William Buckland was to begin work on “Gunston Hall.” He remained there all day on April 1—“at Mr Mason’s wind bound,” he wrote in his journal. The next day he went “home through a very great gust.”
The problems of managing a plantation went on through peace and through war. Besides a multitude of Negroes, there were also indentured white servants at Marlborough. One of these ran away and was advertised in the Virginia Gazette on May 2, 1755:
... a Servant Man named John Clark, he pretends sometimes to be a Ship-Carpenter by Trade, at other Times a Sawyer or a Founder ... he is about 5 feet 7 inches high, round Shoulders, a dark Complexion, grey eyes, a large Nose and thick Lips, an Englishman by birth; had on when he went away, a blue Duffil Frock with flat white Metal Buttons and round Cuffs, red corded Plush Breeches, old grey Worsted Stockings, old Shoes, and broad Pewter Buckles, brown Linen wide Trousers, some check’d Shirts, and a Muslin Neckcloth; had also an old Beaver Hat bound round with Linen.
On October 24, the Gazette carried another advertisement related to Mercer’s problems of personnel:
A Miller that understands the Management of a Wind-mill, and can procure a proper Recommendation, may have good Wages, on applying to the Subscriber during the General Court, at Williamsburg, or afterwards, at his House in Stafford County, before the last Day of November, or if any such Person will enclose his Recommendation, and let me know his Terms by the Post from Williamsburg, he may depend on meeting an Answer at the Post-Office there, without Charge, the first Post after his Letter comes to my Hands. John Mercer
In the meanwhile, the war had broken out in full scale, and the disaster at Fort Duquesne had taken place. Mercer apparently learned the bad news at a Stafford court session, for he noted in his journal on July 9, after observing his attendance at court, “General Braddock defeated.” We can imagine his concern, for both George and John Fenton were participants in the campaign.
On April 18, 1756, John Fenton was killed in action while fighting under Washington.[131] Curiously, his death was not mentioned in the journal. Instead, we learn of the death of John Mercer’s horse on the way to Williamsburg in April and of the fact that, on his return in May, Mercer lost his way and traveled 46 miles in a day. He tells us that he went “to Mr Moncure’s by water” on May 26, a distance of 15 miles, and that he made a round trip from Mr. Moncure’s to Aquia Church for a total of 12 miles. On July 14, he noted that he went “to[Pg 53] Majr Hedgman’s & returning thrown out of the chaise & very much bruised.”
The demands of the war are revealed in journal entries made in June 1757. On the 20th he wrote, “to Court to prick Soldiers & home,” and on the 27th, “to Court to draft Soldiers & home.” As at other times in the journal, birth and death, in their tragic immediacy and repetitiveness, were juxtaposed in September: on the 24th, “Son John born”; on the 27th, “Brother James died at Albany”; on the 28th, “Son John died.”
In 1758 George Mason ran for the office of burgess from both Stafford and Fairfax. On July 11, Mercer went to the Stafford elections, where “Lee & Mason” were chosen. On the 15th, he went “to Mr Selden’s & home by water to see Mr Mason,” who evidently had come to Marlborough for a visit. Four days later, he traveled to Alexandria for the elections there and saw “Johnston & Mason” elected.
In the fall of 1758 he went, as usual, to Williamsburg. His route this time was long and devious, taking him to both Caroline and King William County courthouses on the way, for a total of 121 miles in five days. We learn of one of the hazards of protracted journeys in the 18th century from a notation repeated daily in his journal for four days following his arrival: “at Williamsburg Confined to Bed with the Piles.”
On November 15, soon after his return to Marlborough, Mercer was sworn to the new commission of Stafford justices. Five days previously his son Catesby had been buried, but, as usually happened, new life came to take the place of that which had survived so briefly. On May 17, 1759, Mercer recorded, “Son John Francis born at 7 in the Evening.” John Francis evidently was given an auspicious start in life by a christening of more than ordinary formality: “May 28. to Colo Harrison’s with the Govr Son christened.”
During 1759 the second edition of the Abridgment was published in Glasgow, Scotland, this time with neither public notice nor recrimination.[132] On November 25, Mercer met the growing problem of his indebtedness by deeding equal shares of some of his properties, as well as whole amounts of others, to George and James Mercer, Marlborough and a few other small holdings excepted. Fifty Negroes were included in the transaction. This action was followed immediately by the release of the properties under their new titles to Colonel John Tayloe and Colonel Presley Thornton for a year, thus providing cash by which George and James could pay £3000 of John Mercer’s debts.[133]
The Ohio Company was experiencing its difficulties also. Mercer’s importance in it was demonstrated by his appointment to “draw up a full State of the Company’s Case setting forth the Hardships We labour under and the Reasons why the Lands have not been settled and the Fort finished according to Royal Instructions....”[134] This was his most responsible assignment during his activity in the company.
Indebtedness throughout these years lurked constantly in the background, now and then breaking through acutely. In 1760, for example, William Tooke, a London merchant, brought suit to collect £331 1s. 6d. which Mercer owed him. Two years later Capel Hanbury sued Mercer for £31 10s.[135]
In 1761 George Washington and George Mercer ran for burgesses from Frederick County in the Shenandoah Valley, and both were elected. John Mercer, evidently anxious to be present for the election, undertook the arduous journey to Winchester, leaving Marlborough on May 15. His itinerary was as follows:
| May | 15 | to Fredericksburg | 15 |
| 16 | to Nevill’s Ordinary | 37 | |
| 17 | to Ashby’s Combe’s & Winchester | 32 | |
| 18 | at Winchester (Frederick Election) | ||
| (Geo Washington and Geo Mercer elected) | |||
| 19 | to Mr Dick’s Quarter | 18 | |
| 20 | to Pike’s Mr Wormley’s Quarter | 12 | |
| 21 | to Snickers’s Little River Quarters & | ||
| Nevill’s | 60 | ||
| 22 | to Fallmouth & home | 50 |
In the previous year Anna had been born, and now, on December 14, 1761, Maria arrived. Between the 8th and the 20th of August, 1762, entries were made that suggest that there was an epidemic of sorts at Marlborough: “Cupid died // Tom (Poll’s) died // Daughter Elinor died // Miss B. Roy[Pg 54] died.” In his long letter to George, written in 1768, he reflected on the fact that, although through the years 98 Negroes had been born at Marlborough, he, at that time, had fewer than the total of all he had ever bought. “Your sister Selden,” he wrote “attributes it to the unhealthiness of Patomack Neck, which there may be something in.... I thank God, however, that my own family has been generally as healthy as other people’s.”[136]
THE END OF THE WAR AND THE STAMP ACT
The year 1763 marked the end of the war. It also signaled a turning point in the colonies’ relations with England. In a royal proclamation the King prohibited the colonies from expanding westward past the Appalachian ridge, in effect nullifying the Ohio Company’s claims and objectives. George Mercer was appointed agent of the company and was dispatched to England to plead its cause.
By this time Britain was beginning to apply the other allegedly oppressive measures which preceded the Revolution. Antismuggling laws were enforced, implemented by “writs of assistance,” thus increasing colonial burdens which had been avoided previously by widespread smuggling. The South was particularly hard hit by parliamentary orders forbidding the colonies the use of paper money as legal tender for payment of debts. In a part of the world where a credit economy and chronic indebtedness made a flexible currency essential, this measure was a disastrous matter.
Despite the ominousness of the times, Mercer continued with the daily routine, the minutiae of which filled his journal. He noted on January 9, 1763, that he went to Potomac Church—“Neither Minister or clerk there.” On February 21 he went a mile—probably up Potomac Creek—to watch “John Waugh’s halling the Saine & home.” On March 1 his merchant friend John Champe was buried. After the funeral Mercer went directly to Selden’s for an Ohio Company meeting.
From December 10 until March 1765, Mercer was sick. Of this interval, he wrote George in 1768 that “My business had latterly so much encreased, together with my slowness in writing, & Rogers, tho a tolerable good clerk, was so incapable of assisting me out of the common road, that when you saw me at Williamsburg, I was reduced by my fatigue, to a very valetudinary state.”[137] Indebtedness, overwork, advancing age, and the reverses of the times had evidently caused a crisis.
Passage of the Stamp Act in 1765, to raise revenues to support an army of occupation in the colonies, struck close to John Mercer, for George, while in England, had been designated stamp officer for Virginia. George returned to Williamsburg, little expecting the hostile greeting he was to receive from a crowd of angry planters. Quickly disavowing his new office, he returned the stamps the following day.
Many made the most of George’s tactical blunder in accepting the stamp-officer appointment. Indeed, the Mercers seem to have been made the scapegoats for the frustrations and turmoil into which the mother country’s actions had plunged the colony. George Mercer was hanged in effigy at Westmoreland courthouse, and James Mercer took to the Gazettes to defend him. There were counterattacks on James while he was absent in Frederick County, and Mercer himself rushed in with a lengthy satirical diatribe entitled “Prophecy from the East.” Occupying all the space normally devoted to foreign news in Purdie & Dixon’s Virginia Gazette for September 26, 1766, this struck out at anonymous attackers whom Mercer scathingly nicknamed Gibbet, Scandal, Pillory, and Clysterpipe. He later explained to George that James’ “antagonist was backed by so many anonymous scoundrels, that I was drawn in during his abscence at the springs in Frederick to answer I did not know whom tho it since appears Dr Arthur Lee was the principal, if not the only assassin under different vizors, & he was so regardless of truth that he invented & published the most infamous lies as indisputable facts: on your brother’s return I got out of the scrape but from a paper war it turned to a challenge, which produced a skirmish, in which your bro. without receiving any damage broke the Doctors head, & closed his eyes in such a manner as obliged him to keep his house sometime....”[138]
Of John Mercer’s own attitude towards the Stamp Act there can be no question. On November 1,[Pg 55] 1765, he noted in his journal, “The damned Stamp Act was to have taken place this day but was proved initially disappointed.” He is said to have written a tract against the Stamp Act, although no copy has survived.
THE CLOSING YEARS[139]
The elements of tragedy mark Mercer’s final years—the tragedy of John Mercer and Marlborough interwoven with the epic failures of the colonial experiment. Prompted by his illness, he quit his legal practice in the courts in 1765. In the same year he “gave notice to the members of the Ohio Company, that my health & business would not longer allow me to concern myself in their affairs which they had entirely flung upon my hands.” He also “on account of my deafness, refused to act as a justice, which I should not have done otherwise, as I have the satisfaction to know that I have done my country some service in this station.”
Heavily in debt, disillusioned and embittered by the dwindling results of his struggles, he wrote that “I have attended the bar thirty-six years, through a perpetual hurry and uneasiness, and have been more truly a slave than any one I am, or ever was, master of; yet have not been able, since the first day of last January, to command ten pounds, out of near ten thousand due me.” Recoiling from his situation, he desperately sought a way out and a means to recover his losses. With self-deceptive optimism he seized upon the idea of establishing a brewery at Marlborough, since “our Ordinaries abound & daily increase (for drinking will continue longer than anything but eating).” Accordingly, he built a brewhouse and a malthouse, each 100 feet long, of brick and stone, together with “Cellars, Cooper’s house & all the buildings, copper & utensils whatever, used about the brewery.” He depended at first on his windmill for grinding the malt, but to avoid delays on windless days, “I have now a hand-mill fixed in my brewhouse loft that will grind 50 bushels of malt (my coppers complement) every morning they brew.”
To get his project under way, Mercer plunged further into the depths of debt by buying 40 Negroes “to enable me to make Grain sufficient to carry on my brewery with my own hands.” These cost £8000, “a large part of which was unpaid, for payment of which I depended on the Brewery itself & the great number of Debts due to me.” But the external fate which was driving him closer and closer to destruction now struck with the death of John Robinson, treasurer of the colony, who, having lent public funds promiscuously to debtor friends, had left a deficiency of £100,000 in the colonial treasury. A chain reaction of suits developed, threatening James Hunter of Fredericksburg, Mercer’s security for purchase of the slaves.
The brewery lumbered and stumbled. Mercer’s first brewer, a young Scot named Wales, prevailed upon him to spend £100 to alter the new malthouse. On September 16, 1765, William King, evidently a master brewer, arrived. He immediately found fault with Wales’ changes in the malthouse. Within three weeks, however, King died. King’s nephew, named Bailey, then came unannounced with a high recommendation as a brewer from a man he had served only as a gardener. Mercer was impressed: “You may readily believe I did not hesitate to employ Bailey on such a recommendation, more especially as he agreed with King in blaming the alteration of the malt house & besides found great fault with Wales’s malting.” Faced with rival claims as to which could brew better beer, Mercer allowed each to brew separately. “Yet though Bailey found as much fault with Wales’s brewing as he did with his malting, that brewed by Wales was the only beer I had that Season fit to drink.” Wales, however, brewed only £40 worth of beer, barely enough to pay his wages, let alone maintenance for himself and his wife. Although Bailey brewed enough to send a schooner load of it to Norfolk, it was of such “bad character” that only two casks were sold, the remainder having been stored with charges for two months, then brought back to Marlborough, where an effort to distill it failed.
In 1766 there was a similar tale. Five hundred fifty bushels of malt were produced, but much of the beer and ale was bad. In January 1766, Andrew Monroe[140] was employed as overseer. “Wales complains[Pg 56] of my Overseer & says that he is obliged to wait for barley, coals & other things that are wanted which, if timely supplied with he could with six men & a boy manufacture 250 bushels a week which would clear £200.... My Overseer is a very good one & I believe as a planter equal to any in Virginia but you are sensible few planters are good farmers and barley is a farmer’s article,” Mercer wrote to George. Besides the overhead of slaves and nonproductive brewers, the establishment required the services of two coopers at £20 per year.
Purdie & Dixon’s Virginia Gazette for April 10, 1766, carried the advertisement of Mercer’s brewery:
To be SOLD, at the MARLBOROUGH BREWERY
STRONG BEER AND PORTER at 18d. and ALE at 1s. the gallon, Virginia currency, in cask, equal in goodness to any that can be imported from any part of the world, as nothing but the genuine best MALT and HOPS will be used, without any mixture or substitute whatsoever; which, if the many treaties of brewing published in Great Britain did not mention to be frequently used there, the experience of those who have drunk those liquors imported from thence would point out to be the case, from their pernicious effects.
The severe treatment we have lately received from our Mother Country, would, I should think, be sufficient to recommend my undertaking (though I should not be able to come up to the English standard, which I do not question constantly to do) yet, as I am satisfied that the goodness of every commodity is its best recommendation, I principally rely upon that for my success; and my own interest, having expended near 8000 l. to bring my brewery to its present state, is the best security I can give the publick to assure them of the best usage, without which such an undertaking cannot be supported with credit.
The casks to be paid for at the rate of 4s. for barrels, 5s. for those between 40 and 50 gallons, and a penny the gallon for all above 50 gallons; but if they are returned in good order, and sweet, by having been well scalded as soon as emptied, the price of them shall be returned or discounted.
Any person who sends bottles and corks may have them carefully filled and corked with beer or porter at 6s. or with ale at 4s. the dozen. I expect, in a little time, to have constant supply of bottles and corks; and if I meet the encouragement I hope for, propose setting up a glasshouse for making bottles, and to provide proper vessels to deliver to such customers as favour me with their orders such liquors as they direct, at the several landings they desire, being determined to give all the satisfaction in the power of
Their most humble servant,
JOHN MERCER
Foolhardy though the brewery was, a glass factory would have been the pinnacle of folly. Yet it was seriously on Mercer’s mind. In his letter to George he wrote:
A Glass house to be built here must I am satisfied turn to great profit, they have some in New England & New York or the Jerseys & find by some resolves the New England men are determined to increase their number.
Despite his manifest failure, Mercer confidently attempted to persuade George of the possibilities of the brewery and even the glasshouse. Shifting from one proposal to another, he suggested that he could “rent out all my houses and conveniences at a reasonable rate,” or take in a partner, although “I have so great a dislike for all partnerships, nothing but my inability to carry it on my self could induce me to enter into one.”
In spite of these desperate thrashings about in a struggle to survive, Mercer’s empire was collapsing. When Monroe arrived as overseer, he
found [according to Mercer] but 8 barrels of corn upon my plantation, not enough at any of my quarters to maintain my people, a great part of my Stock dead (among them some of my English colts & horses in the 2 last years to the amt of £ 375. 10. —) & the rest of them dying, which would have infallibly have been their fate if it had not been for the straw of 1000 bushels of barley & the grains from the brewhouse.... Convinced of his [Monroe’s] integrity, I have been forced to submit the entire management of all the plantation to him.
The following passage from the letter summarizes Mercer’s financial predicament:
“I reced in 1764 £1548 ... 4 ... 3½ & in 1765 £961 ... 5 ... 4½ but since I quitted my practice I reced in 1766 no more than £108 ... 16 ... 1 of which I borrowed £24.10.—& 7 ... 1 ... 6 was re’ced for the Governor’s fees. £20 ... 8 ... 4 I got for Opinions &c and from the brewery £28 ... 3 ... the remaining £28 ... 16 is all I received out of several thousands due for all my old & new debts. In 1767 I reced £159 ... 9 ... 3 of which borrowed £5 ... 15 ...—the governor’s fees £10 ... 7 ... 6 reced for opinions &c. £49 ... 6 ...—from the brewhouse £66 ... 14 ... of which £94 ... 14 ... 3 was from the brewery & 9 in 1766 I gave a collector £20 besides his board ferrage &[Pg 57] expences & finding him horses & his whole collection during the year turned out to be £27 ... 2 ... 10. In the two years my taxes levied and quitrents amounted to £199 ... 8 ... 1 which would have left a ballance of £1 . 13 . 3 in my favour in that time from the brewery & my practice (if it could be so called) & all my debts, in great part of which you and your brother are jointly & equally interested. What then remained to support me & a family consisting of about 26 white people & 122 negroes? Nothing but my crops, after that I had expended above £100, for corn only to support them, besides rice & pork to near that value & the impending charge of £125 for rent, of £140 to overseers yearly, remained, & £94 ... 14 ... 3 out of those crops, as I have already mentioned, proceeding from the brewery, was swallowed up in taxes (tho the people in England say we pay none, but I can fatally prove that my estate from which I did not receive sixpence has, since the commencement of the war, paid near a thousand pounds in taxes only).”
On December 25, 1766, Mercer made public his situation in Rind’s Virginia Gazette:
The great Number of Debts due to me for the last seven Years of my Practice, and the Backwardness of my Clients (in attending whose Business, I unhappily neglected my own) to make me Satisfaction, would of itself, if I had had no other Reason, have obliged me to quit my Practice. And when I found that by such partial Payments as I chanced to receive I was able to keep up my Credit, I can appeal to the Public, whether any Person, who had so many outstanding Debts, was less importunate, or troublesome, to his Debtors, But when I found, upon my quitting the Bar, all Payments cease, and that I would not personally wait upon my Clients, I could not approve of the Method of Demand, by the Sheriff, too commonly in Practice, without Necessity. I therefore employed a Receiver, who, ever since the first day of January last, has been riding through the Northern Neck, and even as far as Williamsburg, and who to this Time has not been able, out of near ten thousand Pounds, to collect as much as will pay his own Wages, and discharge my public taxes (for Proof of which I will produce my Books to any Gentleman concerned or desirous to see them). This too, at a Time when my own Debts contracted by the large Expences I have been at for some Years past for establishing a Brewery, has disabled me by any other Means from discharging them, (except when they would take lands, Assignments of Debts, or any thing I can spare, without Detriment to my Plantations or Brewery). Selling Lands avail nothing, I have bonds for some sold four or five Years ago but I can’t get the Money for them. I therefore cannot be thought too unreasonable to give this public Notice (which the Circumstances of the Country make most disagreeable to me) that I shall be against my inclination obliged to bring Suits, immediately after next April General Court, against all persons indebted to me who do not before that Time, discharge their Debts to me or my Son James Mercer, who will have my Books during the said Court to settle with every Person applying to him. And as some Persons have since my quitting the Practice, sent to me for Opinions and to settle Accounts without sending my Fees, to prevent any more Applications of that Sort, I give this Public Notice, that tho’ I shall always be ready to do any Thing of that Kind (which can be done at my own House) upon receiving an adequate Satisfaction for it, it will be in vain to expect it be any Messenger they may send without they send the Money. There are some Gentlemen who must know that nothing in this Advertisement can relate to them but that any of their Commands will at any Time, be readily complied with by their
and the Public’s
humble Servant
JOHN MERCERDec. 8, 1766
Figure 16.—Advertisement of the services of Mercer’s
stallion Ranter. Andrew Monroe, grandfather of
the President, was Mercer’s overseer. (Purdie’s
Virginia Gazette, April 18, 1766.)
Andrew Monroe, as manager of the plantation, advertised over his own name in Purdie & Dixon’s Virginia Gazette, of April 18, 1766, the services of “The well known Horse RANTER,” an English stallion imported by Mercer in 1762 (fig. 16). One senses that without Monroe, Marlborough would have[Pg 58] collapsed completely. In spite of his ministrations, however, there were difficulties with the staff. Purdie & Dixon’s Gazette carried the following on June 6, 1766:
MARLBOROUGH, STAFFORD county, May 26, 1766.
Run away from the subscriber, some time last February, a Negro man named TEMPLE, about 35 years old, well set, about 5 feet 6 inches high, has a high forehead, and thick bush beard; he took a gun with him, and wore a blue double breasted jacket with horn buttons. I suspect he is harboured about Bull Run, in Fauquier county, where he formerly lived. I bought him, with his mother and sister, from Mr. Barradall’s executors in Williamsburg above 20 years ago, and expected he would have returned home; but as he has been so long gone, I am doubtful he may endeavour to get out of the country by water, of which he may understand something, as he was two years on board the Wolf sloop of war in the West Indies, and carries the marks of the discipline he underwent on board.
Likewise run away last Whitsun holydays two indented servants, imported from LONDON last September, viz. JOSEPH WAIN of Bucknell, in the county of Oxford, aged 22 years, about 5 feet 4 inches high, round shouldered, stoops pretty much in his walk, has a down look, and understands ploughing. WILLIAM CANTRELL of Warwickshire, aged 19, about the same height, and stoops a little, but not so much as WAIN, has a scar under one of his eyes, but which is uncertain, has some marks of the smallpox, his hair is of a dark brown and short, but Wain’s is cut off, he pretends to understand ploughing and country business, and has drove a waggon since he has been in my service; they both have fresh look. The clothes they left home in were jackets of red plaids, brown linen shirts, Russia drill breeches with white metal buttons, and thread stockings; Cantrell with an old hat and new shoes, and Wain with a new hat and old shoes; But as it is supposed that they were persuaded to elope with four Scotch servants belonging to the widow Strother, on Potowmack run in this county, whom they went to see, and who went off at the same time, it is probable that they may exchange their clothes, or have provided some other. It is supposed that they will make for Carolina, where it is said an uncle of one of Mr. Strother’s servants lives; and as several horses are missing about the same time in these parts, it is very probable they did not choose to make such a journey on foot. Whoever secures my servants and Negro, or any of them shall, besides the reward allowed by law, be paid any reasonable satisfaction, in proportion to the distance and extraordinary trouble they may be put to.
JOHN MERCER
Mercer seems to have been concerned principally with his brewers and with the wasteful scheme they furthered with their incompetencies. Even they seem to have been beyond his strength, for he became ill in January 1766, and suffered recurrently the rest of the year. From his journal we can detect a once-strong man’s struggle against the first warnings of approaching death:
| August | 26 | Rode | 6 m. & | home had a fever | 12 |
| 27 | sick | ||||
| 28 | Rode | 5 m. & | home | 10 | |
| 29 | 2 m. & | Do had an Ague | 4 | ||
| 30 | Do | ||||
| 31 | Do | ||||
| Sept | 1 | Had an Ague | |||
| 2 | Rode | 5 m. & | home | 10 | |
| * * * | |||||
| Sept | 22 | to Mr Selden’s & ret’d abot a mile but | |||
| went back | 12 | ||||
| 23 | home by 12 and went to bed | 10 | |||
| 24 | Confined to my bed | ||||
| (remained so rest of month) | |||||
| Oct | 1 | Confined to my bed and very ill | |||
| 5 | Do | Sat up a | little | ||
| 6 | Do | Better | |||
| 7 | Do | Do | |||
| 8 | Drove out 3 m & home | 6 | |||
He informed George that after his return from Mr. Selden’s on September 23 he was for “several days under strong delerium and had the rattles.” By the beginning of 1768, however, he was able to boast that “I think I may safely aver that I have not been in a better [state of health] any time these twenty years past, & tho’ I am not so young, my youngest daughter ... was born the 20th day of last January.”
On April 22, 1766, he noted in the journal that the “Kitchen roof catched fire” and on May 15 that he “Took Possion [sic] of my summer house.” The latter was probably located in the garden, where, during his convalescence in the spring, he was able to make a meticulous record of the blooming of each plant, flower, tree, and shrub, constituting a most interesting catalog of the wild and cultivated flora of 18th-century Marlborough. The catalog is indicative of Mercer’s ranging interests and his knowledge of botanical terms (see Appendix L). That the garden was perhaps as interesting as the house is borne out by the fact that in 1750, as the house was reaching completion, Mercer had brought from England a gardener named William Blacke, paying Captain Timothy Nicholson for his passage.
[Pg 59]Mercer’s close attention to the natural phenomena around him began with his illness in 1766. On January 4, only a few days after he had become ill, he installed a thermometer in his room, and eight days later moved it to his office. Regularly, from then until the close of his journal, except when he was absent from Marlborough, he recorded the minimum and maximum readings. One has only to look at the figures for the winter months to realize that “heated” rooms, as we understand them, were little known in the 18th century. Only on Christmas Eve in 1767 did the temperature range from a low of 41° to as high as 63°, because, as Mercer noted, “A good fire raised the Thermometer so high.”
Although Mercer apparently found surcease from his cares in the peaceful surroundings at Marlborough, his responsibilities went on nevertheless. The cost of keeping slaves remained an enormous and wasteful one: “Every negroes cloaths, bedding, corn, tools, levies & taxes will stand yearly at least in £5,” he wrote to George. In his letter he placed an order through George for clothing, which included 25 welted jackets “for my tradesmen & white servants,” indicating the large number of white workmen on his staff. It also included 20 common jackets, 45 pair of woolen breeches, 1 dozen greatcoats, 5 dozen stockings, 1½ dozen for boys and girls, 4 dozen “strong felt hats & 600 Ells of ozenbrigs. We shall make Virga cloth enough to cloath the women and children, but shall want 50 warm blankets & 2 doz of the Russia drab breeches.” Against the advice of his merchant friend Jordan, he declined to order a superior grade of jacket for his Negroes that would last two years, since “most negroes are so careless of their cloathes & rely so much on a yearly support that I think such jackets as I had are cheapest & last the year very well.”
He ordered George to buy new sheeting for family use, including “84 yds of such as is fit for compa,” inasmuch as “my wife is ashamed of her old sheets when any strangers come to the house.” He also placed an order for windmill sails, which, he observed, were costly in the colony, and could be made only at Norfolk.
My millwrights directions were
The Drivers 3 foot 6 inches broad
The leaders 3 3
} 23 feet long
A Suit I had made at Norfolk by those dimensions proved too long, something, they should be of Duck No. 2.
In addition, he ordered nails, 50 yards of haircloth, a yard wide, for the malt kiln, a “drill plow with brass seed boxes for wheat, turnips, lucarn pease &c.,” and a considerable number of books, particularly for his children. “Bob. Newbery at the Bible & Sun in St. Paul’s churchyard can best furnish you at the cheapest rate with books best adapted to the real instruction as well as amusement of children from two to six feet high.”
The long letter was finally finished on January 28, 1768, its great length partly dictated by the fact that the river had frozen, immobilizing the posts. He noted in his journal that on February 16 he was in Fredericksburg and “dined at my Sons being my birthday and 63 yrs old.” On the 24th he attended a meeting of the Ohio Company at Stafford courthouse and on March 14 returned there for a court session. The next day he went home to Marlborough, perhaps never to leave again. The journal ended at the close of the month. The next that we hear of him appeared in Rind’s Virginia Gazette on October 27:
On Friday, the 14th instant, died at his house in Stafford County, John Mercer, Esq., who had practiced the law with great success in this colony upwards of forty years. He was a Gentleman of great natural abilities inspired by an extensive knowledge, not only in his profession, but in several other branches of polite literature. He was of a humane, generous and chearful disposition, a facetious companion, a warm friend, an affectionate husband, a tender parent, and an indulgent master.
Figure 17.—Plate from Maria Sibylla Merian’s Metamorphosis Insectorum Surinamensium
efte Veranderung Surinaamsche Insecten (Antwerp, 1705), an elegant work in Mercer’s Library.
FOOTNOTES:
[120] The George Mercer Papers, op. cit. (footnote 51), p. 5.
[121] Ibid.
[122] All the foregoing quotations in this section are from Purdie & Dixon’s Virginia Gazette, September 26, 1766.
[123] Executive Journals of the Council, op. cit. (footnote 66), vol. 5, p. 410.
[124] Ibid., p. 434.
[125] The Balthrop family lived in King George County; Smith’s ordinary has not been identified; “Vaulx’s” probably refers to the home of Robert Vaulx of Pope’s Creek, Westmoreland County. Vaulx was father-in-law of Lawrence Washington and died in 1755.
[126] Philip Ludwell Lee, proprietor of "Stratford," Westmoreland County, 1751-1775, grandfather of General Robert E. Lee. “Old Stratford and the Lees who Lived There,” Magazine of the Society of Lees of Virginia (Richmond, May 1925), vol. 3, no. 1, p. 15.
[127] Peter Hedgman was another Stafford County leader. He was burgess from 1742 to 1755. “Members of the House of Burgesses,” VHM (Richmond, 1901), vol. 8, no. 3, pp. 249.
[128] George Fisher visited Chiswell’s ordinary: “On Monday May the 12th 1755, at Day Break, about half an hour after Four in the morning, I left Williamsburg to proceed to Philadelphia.... About Eight o’clock, by a slow Pace, I arrived at Chiswell’s Ordinary. Two Planters in the Room, I went into, were at Cards (all Fours) but on my arrival, returned into an inner Room.” “Narrative of George Fisher,” WMQ [1] (Richmond, 1909), vol. 17, pp. 164-165.
[129] John Mercer’s Land Book, loc. cit. (footnote 12).
[130] Purdie & Dixon’s Virginia Gazette, September 26, 1766.
[131] John Clement Fitzpatrick, ed., The Writings of George Washington (Washington: U.S. Government Printing Office, 1931), vol. 1, p. 318.
[132] “Journals of the Council of Virginia in Executive Sessions, 1737-1763,” VHM (Richmond, 1907), vol. 14, p. 232 (footnote).
[133] The George Mercer Papers, op. cit. (footnote 51), p. 190.
[134] Ibid., p. 179.
[135] “Proceedings of the Virginia Committee of Correspondence 1759-67,” VHM (Richmond, 1905), vol. 12, p. 4.
[136] The George Mercer Papers, op. cit. (footnote 51), p. 213.
[137] Ibid., p. 187.
[138] Ibid.
[139] All quotations and sources not otherwise identified in this section are from John Mercer’s letter to George, December 22, 1767-January 28, 1768. The George Mercer Papers, op. cit. (footnote 51), pp. 186-220.
[140] Grandfather of President James Monroe. “Tyler-Monroe-Grayson-Botts,” Tyler’s Quarterly Historical Genealogical Magazine (Richmond, 1924), vol. 5, p. 252.
JAMES MERCER’S ADMINISTRATION OF THE ESTATE
James Mercer was now “manager” of John Mercer’s estate. George, heavily in debt, remained in England never returning to Virginia. The staggering task of rescuing the estate from bankruptcy was left to James. The immediate necessity was to reduce wasteful overhead at Marlborough and to liquidate non-essential capital investment. On December 15, 1768, James advertised in Rind’s Virginia Gazette:
A large and well chosen collection of BOOKS, being all the library of the late John Mercer, Esq., deceased, except such as are reserved for the use of his children. Those to be sold consist of more than 1200 volumes now at home, with which it is hoped may be reckoned upwards of 400 volumes which appear to be missing by the said Mercer’s catalogue.... The borrowers are hereby requested to return them before the 19th of December next, the day appointed for the appraising of the estate....
Also to be sold, about 20 mares and colts, and 40 pair of cows and calves. The colts are the breed of the beautiful horse Ranter, who is for sale; his pedigree has been formerly published in this Gazette, by which it will appear he is as well related as any horse on the continent. He cost 330 l. currency at his last sale, about 4 years ago, and is nothing worse except in age, and that can be but little in a horse kept for the sole use of covering....
Except for attempting to dispose of the library and the horses and livestock, no significant changes were undertaken until after September 7, 1770, when John Mercer’s widow, Ann Roy Mercer, died. Reduction of the plantation to simpler terms then began in earnest. Purdie & Dixon’s Virginia Gazette published the following advertisement on October 25, 1770:
To be SOLD on Monday the 19th of November, if fair, otherwise next fair day, at Marlborough, the seat of the late John Mercer Esq: deceased.
The greatest part of his personal estate (except slaves) consisting of a variety of household furniture too tedious to mention; a number of well chosen books, in good condition; a very large and choice flock of horses, brood mares, and colts, all blooded, and mostly from that very beautiful and high bred horse Ranter a great number of black cattle, esteemed the best in the colony, equal in size to any beyond the Ridge, but superiour to them, because they will thrive in shorter pastures; also 700 ounces of fashionable plate, and a genteel family coach, not more than seven years old, seldom used, with harness for six horses. Those articles were appraised, in December 1768, to 1738 l. The horses and black cattle are since increased, and now are in very good order; so that any person inclinable to purchase may depend on having enough to choose out of.
Also will then be sold several articles belonging to a BREWERY, viz. a copper that boils 500 gallons, several iron bound buts that contain a whole brewing each, coolers, &c. &c. and a quantity of new iron hoops and rivets for casks of different forms, lately imported.
Purchasers above 6 l. will have credit until the Fredericksburg September fair, on giving bond with security, with interest from the day of sale; but if the money is paid when due, the interest will be abated.
Proper vessels will attend at Pasbytansy, for the conveyance of such as come from that side of Potomack Creek.
[Pg 62]It is clear that Ranter and his colts, as well as the cattle, had not been disposed of at the former sale. Further, it is obvious that there was an end to brewing at Marlborough, a result which James must have been all too glad to bring about.
This sale, however, was also unsuccessful. In the May 9, 1771, issue of Purdie & Dixon’s Virginia Gazette we learn that “The wet Weather last November having stopped the Sale of the personal Estate of the late John Merser, Esquire, the Remainder ... will be sold at Marlborough, on Monday, the 27th of this Month, if fair....” We learn that the family beds, apparently alone of the furniture, had been sold, and that the chariot had been added to the sales list. Apparently the library still remained largely intact, as “a great Collection of well chosen Books” was included. Ranter was still for sale, now at a five percent discount “allowed for ready money.”
But again—so an advertisement of June 13 reads in the same paper—the sale was “prevented by bad Weather.” June 20 was appointed the day for the postponed sale. This time an additional item consisted of 200 copies of Mercer’s “old Abridgment” (doubtless the 1737 edition), to be sold at five shillings each.
In the meanwhile, James had employed one Thomas Oliver, apparently of King George County, as overseer for the four plantations which were in his custody—Aquia, Accokeek, Belvedere, and Marlborough. On May 31, 1771, Oliver made a detailed report to Mercer on “the true state & Condition of the whole Estate and its Contents as they appear’d when this return was fill’d up”.[141] Included in it was an inventory of every tool, outbuilding, vehicle, and servant. The Marlborough portion of this is given in Appendix M. Oliver added an N.B. summarizing the condition of the animals and the physical properties. The following of his remarks are applicable to Marlborough:
... The work of the Mill going on as well as Can be Expected till Mr. Drains is better, the Schoo and Boat unfit for any Sarvice whatsoever till repair’d. if Capable of it. the foundation of the Malt house wants repairing. the Manor house wants lead lights in some of the windows. the East Green House wants repairing. the west do wants buttments as a security to the wall on the south side. The barn, tobacco houses at Marlbrough & Acquia must be repaired as soon as possible.... five stables at Marlbrough plantation must be repair’d before winter. we have sustai’d no damage from Tempest or Floods. it will Expedient to hyer a Carpinder for the woork wanted can not be accomplish’d in time, seeing the Carpenders must be taken of for harvest which is Like to be heavy. I will advertise the sale at Stafford Court and the two parish Churches to begin on the 20th of June 1771.... P.S. The Syder presses at Each plantation & Syder Mill at Marlborough totally expended.... Negro Sampson Marlbro Company Sick of the Gravel.... Negro Jas Pemberton at Marlbh Sick Worme Fever.
The sale as advertised and, presumably, as posted by Oliver was again a failure. Apparently no one attended. The situation must have been regarded then as desperate, for James advertised on August 29, 1771, in Purdie & Dixon’s Virginia Gazette substantially the same material as before. This time, however, it was “To be SOLD, at the Townhouse in Fredericksburg, on the 24th day of September next (being the second Day of the Fair).” Added to the former list were “About two Hundred Weight of HOPS of last Crop,” “About four hundred Weight of extraordinary good WOOL with a variety of Woollen and Linen Wheels, Reels, &c.,” as well as “A Number of GARDEN FLOWER POTS of different forms. Some ORANGE, LEMON and other EVERGREENS, in Boxes and Pots.” The valuable but unwanted Ranter was again put up.
But once more bad luck and an apathetic (and probably impecunious) populace brought failure to the sale. On October 24, 1771, Purdie & Dixon’s Virginia Gazette printed the following advertisement and James Mercer’s final public effort to convert some of his father’s estate into cash:
To be SOLD to the highest Bidders, some Time Next Week, before the Raleigh Tavern in Williamsburg,
The beautiful Horse RANTER, a genteel FAMILY COACH, with Harness for six Horses, also several Pieces of FASHIONABLE PLATE, yet remaining of the Estate of the late John Mercer, Esquire, deceased. Credit will be allowed until the 25th of April next, the Purchasers giving Bond and Security, with Interest from the Sale; but if the Money is paid when due, the Interest will be abated.
Any Person inclinable to purchase RUSHWORTH’S COLLECTION may see them at the Printing Office, and know the Terms. At the same Place are lodged several Copies of the old Abridgment of the VIRGINIA[Pg 63] LAWS, containing so many Precedents for Magistrates that they are esteemed well worth five Shillings, the Price asked for them.
JAMES MERCER
Williamsburg, October 24.
N.B. The Plate is lodged with Mr. Craig, and may be seen by any inclinable to purchase.
James did not attempt to sell the plantation itself or the slaves, but evidently sought to reestablish Marlborough on an efficient and profitable basis. That he failed to do so is brought out in a letter that George Mason wrote to George Washington on December 21, 1773. In it is expressed the whole tragic sequence of debt compounding debt in the plantation economy and the insurmountable burden of inherited obligations:
The embarrass’d Situation of my Friend Mr. Jas. Mercer’s Affairs gives Me much more Concern than Surprize. I always feared that his Aversion to selling the Lands & Slaves, in Expectation of paying the Debts with the Crops & Profits of the Estate, whilst a heavy Interest was still accumulating, wou’d be attended with bad Consequences, independent of his Brother’s Difficulties in England; having never, in a single Instance, seen these sort of Delays answer the Hopes of the Debtor. When Colo. [George] Mercer was first married, & thought in affluent circumstances by his Friends here, considerable purchases of Slaves were made for Him, at high prices (& I believe mostly upon Credit) which must now be sold at much less than the cost: He was originally burthened with a proportionable part of his Father’s Debts: most of which, as well as the old Gentleman’s other Debts, are not only still unpaid, but must be greatly increased by Interest; so that even if Colo. Mercer had not incurr’d a large Debt in England, He wou’d have found his Affairs here in a disagreeable Situation. I have Bye me Mr. James Mercer’s Title-Papers for his Lands on Pohick Run & on Four-mile Run, in this County; which I have hitherto endeavoured to sell for Him in Vain: for as he Left the Price entirely to Me, I cou’d not take less for them than if they had been my own.[142]
MARLBOROUGH DURING AND AFTER THE REVOLUTION
Despite the seeming unwisdom of doing so, James Mercer held on to Marlborough until his death. He was an active patriot in the Revolution, serving as a member of the Virginia Committee of Safety. Marlborough, too, seems to have been a participant in the war, when Lord Dunmore, on a last desperate foray, sailed his ships up the Potomac and attacked several plantations. That Marlborough was a target we learn from the widow of Major George Thornton of the Virginia militia, who “was at the bombardment of Marlborough, the seat of Judge Mercer, on the Potomac....”[143] In Purdie’s Virginia Gazette of August 2, 1776, we read:
Lord Dunmore, with his motley band of pirates and renegradoes, have burnt the elegant brick house of William Brent, esq., at the mouth of Acquia Creek, in Stafford county, as also two other houses lower down the Potowmack River, both the property of widow ladies.
Marlborough was no longer the property of a “widow lady,” but accurate reporting even today is not universal, and Marlborough may have been meant. In any case, the mansion was not destroyed, although we do not know whether any other buildings at Marlborough were damaged or not.
John Francis Mercer, James’ half brother, appears to have lived at Marlborough after his return from the Revolution. He served with distinction, becoming aide-de-camp to the eccentric and difficult General Charles Lee in 1778. When Lee was court-martialed after the Battle of Monmouth, John Francis resigned, but reentered the war in 1780.[144] He apparently settled at Marlborough after the surrender at Yorktown, at which he was present. In 1782 he was elected to both the Virginia House of Delegates and the Continental Congress. General Lee died the same year, stipulating in his will:
To my friend John [Francis] Mercer, Esq., of Marlborough, in Virginia, I give and bequeath the choice of two brood mares, of all my swords and pistols and ten guineas to buy a ring. I would give him more, but, as he has a good estate and a better genius, he has sufficient, if he knows how to make good use of them.[145]
It is not probable that John Francis’ “genius” was sufficient to make profitable use of Marlborough. He moved to Maryland in 1785, and later became its Governor.[146]
[Pg 64]James Mercer died on May 23, 1791. In 1799 the Potomac Neck properties were advertised for sale or rent by John Francis Mercer in The Examiner for September 6. We learn from it that there were overseer’s houses, Negro quarters and cornhouses, and that “the fertility of the soil is equal to any in the United States, besides which the fields all lay convenient to banks (apparently inexhaustible) of the richest marle, which by repeated experiments made there, is found to be superiour to any other manure whatever.” “30 or 40 Virginia born slaves, in families, who are resident on the lands” were made “available.”
THE COOKE PERIOD: MARLBOROUGH’S FINAL DECADES
The plantation was bought by John Cooke of Stafford County. Cooke took out an insurance policy on the mansion house on June 9, 1806, with the Mutual Assurance Society of Virginia.[147] From this important document (fig. 43) we learn that the house had a replacement value of $9000, and, after deducting $3000, was “actually worth six thousand Dollars in ready money.” The policy shows a plan with a description: “Brick Dwelling House one Story high covered with wood, 108 feet 8 Inches long by 28½ feet wide, a Cellar under about half the House.” Running the length of the house was a “Portico 108 feet 8 Inches by 8 feet 4 Inches.” A “Porch 10 by 5 f.” stood in front of the “portico,” and another was located at the northeast corner of the building, “8 by 6 feet.” The policy informs us that the house was occupied not by Cooke, but by John W. Bronaugh, a tenant or overseer.
The records do not reveal how long the mansion survived. That by the beginning of the century it had already lost the dignity with which Mercer had endowed it and was heading toward decay is quite evident. After John Cooke’s death Marlborough was again put up for sale in 1819, but this time nothing was said of any buildings, only that the land was adapted to the growth of red clover, that the winter and spring fisheries produced $2500 per annum, and that “Wild Fowl is in abundance.”[148]
Undoubtedly as the buildings disintegrated, their sites were leveled. There remained only level acres of grass, clover, and grain where once a poor village had been erected and where John Mercer’s splendid estate had risen with its Palladian mansion, its gardens, warehouses, and tobacco fields. Even in the early 19th century the tobacco plantation, especially in northern Virginia, had become largely a thing of the past. Within the memory of men still alive, the one structure still standing from Mercer’s time was the windmill. Except for the present-day fringe of modern houses, Marlborough must look today much as it did after its abandonment and disintegration.
FOOTNOTES:
[141] A Documentary History of American Industrial Society, edit. John P. Commons (New York: Russell & Russell, 1958), vol. 1, facsimile opp. p. 236.
[142] Letters to Washington, and Accompanying Papers, edit. S. M. Hamilton (Boston and New York: Houghton, Mifflin, 1901), vol. 4, p. 286.
[143] George Brown Goode, Virginia Cousins (Richmond, 1887), p. 213.
[144] Ibid.
[145] “Berkeley County, West Virginia,” Tyler’s Quarterly Historical and Genealogical Magazine (Richmond, 1921), vol. 3, p. 46.
[146] Ibid.
[147] Policy no. 1134. On microfilm, Virginia State Library.
[148] Virginia Herald, December 15, 1819.
Figure 18.—Aerial photograph of Marlborough. The outlines of the
excavated wall system and Structure B foundation can be seen where
Highway 621 curves to the east.
The preceding chapters have presented written evidence of Marlborough’s history and of the human elements that gave it life and motivation. Assembled mostly during the years following the excavations, this information was not, for the most part, available in 1956 to guide the archeological survey recounted here. Neither was there immediate evidence on the surface of the planted fields to indicate the importance and splendor of Marlborough as it existed in the 18th century.
In 1954, when Dr. Darter proposed that the Smithsonian Institution participate in making excavations, he presented a general picture of colonial events at Marlborough. He also provided photostats of the two colonial survey plats so frequently mentioned in Part I (fig. 2). From information inscribed on the 1691 plat, it was clear that a town had been laid out in that year, that it had consisted of 52 acres divided into half-acre lots, and that two undesignated acres had been set aside for a courthouse near its western boundary. It was known also that John Mercer had occupied the town in the 18th century, that he had built a mansion there, that a circular ruin of dressed lime-sandstone was the base of his windmill, and that erosion along the Potomac River bank had radically changed the shoreline since the town’s founding 263 years earlier. But nobody in 1954 could point out with any certainty the foundation of Mercer’s mansion, nor was anyone aware of the brick and the stone wall system, the two-room kitchen foundation, or the trash pits and other structures that lay beneath the surface, along with many 18th-century household artifacts. It remained for the archeologist to recover such nonperishable data from the ground.
In August 1954 Messrs. Setzler, Darter, and Watkins spent three days at Marlborough examining the site, making tests, and, in general, determining whether there was sufficient evidence to justify extended excavations. The site is located in the southeastern portion of what was known in the 17th century as Potowmack Neck (now Marlborough Point), with the Potomac River on the east and Potomac Creek on the south (map, front endpaper). It is approached from the northeast on Highway 621, which branches from Highway 608 about 2½ miles from the site. Highway 608 runs from Aquia Creek westward to the village of Brooke, situated on the Richmond, Fredericksburg, and Potomac Railroad about four miles east of the present Stafford courthouse on U.S. Route 1. Highway 621 takes a hilly, winding course through the woods until it debouches onto the flat, open peninsula of the point. The river is visible to the east, as the road travels slightly east of due south, passing an intersecting secondary road that runs west and south and then west again. The latter road ends at the southwestern extremity of the Neck, where Accokeek Creek, which meanders along the western edge of the Neck, feeds into Potomac Creek. At the point near the Potomac Creek shore where this road takes its second westerly course lies the site of the Indian village of Patawomecke, excavated between 1938 and 1940 by T. D. Stewart.
Figure 19.—Highway 621, looking north from the curve in the road, with
site of Structure B at right.
Beyond this secondary road, Highway 621 continues southward to a small thicket and clump of trees[Pg 68] where it curves sharply to the east, its southerly course stopped by fenced-in lots of generous size (with modern houses built on them) that slope down to Potomac Creek. After the highway makes its turn, several driveways extend from it toward the creek. One of these driveways, obviously more ancient than the others, leaves the highway about 200 feet east of the clump of trees, cutting deeply through high sloping banks, where vestiges of a stone wall crop out from its western boundary (fig. 22), and ending abruptly at the water’s edge. Highway 621 continues to a dead end near the confluence of creek and river.
Some 200 feet west of the turn in the highway around the clump of trees, is a deep gully (or “gutt” in 17th-century terminology) that extends northward from Potomac Creek almost as far as the intersecting road that passes the site of the Indian village. This gully is overgrown with trees and brush, and it forms a natural barrier that divides the lower portion of the point into two parts. A few well-spaced modern houses fringe the shores of the point, while the flat land behind the houses is given over almost entirely to cultivation.
Since the two colonial land surveys were not drawn to scale, some confusion arose in 1954 as to their orientation to the surviving topographic features. However, the perimeter measurements given on the 1691 plat make it clear that the town was laid out in the southeastern section of the point, and that the “gutt” so indicated on the plat is the tree-lined gully west of the turn in the highway.
Bordering the clump of trees at this turn could be seen in 1954 a short outcropping of brick masonry. A few yards to the north, on the opposite side of the road, crumbled bits of sandstone, both red and gray, were concentrated in the ditch cut by a highway grader. In the fields at either side of the highway, plow furrows disclosed a considerable quantity of brick chips, 18th-century ceramics, and glass sherds.
[Pg 69]In the field east of the clump of trees and north of the highway, opposite the steep-banked side road leading down to Potomac Creek, could be seen in a row the tops of two or three large pieces of gray stone. These stones were of the characteristic lime-sandstone once obtained from the Aquia quarries some four miles north, as well as from a long-abandoned quarry above the head of Potomac Creek. It was decided to start work at this point by investigating these stones, in preference to exploring the more obvious evidence of a house foundation at the clump of trees. This was done in the hope of finding clues to lot boundaries and the possible orientation of the survey plats. Excavation around these vertically placed stones disclosed that they rested on a foundation layer of thick slabs laid horizontally at the undisturbed soil level. Enough of this wall remained in situ to permit sighting along it toward Potomac Creek. The sight line, jumping the highway, picked up the partly overgrown stone wall that extends along the western edge of the old roadway to the creek, indicating that a continuous wall had existed prior to the present layout of the fields and before the construction of the modern highway.
The excavation along the stone wall was extended northward. At a distance of 18.5 feet from the highway the stone wall ended at a junction of two brick wall foundations, one running north in line with the stone wall and the other west at a 90° angle. These walls, each a brick and a half thick, were bonded in oystershell lime mortar. Test trenches were dug to the north and west to determine whether they were enclosure walls or house foundations. Since it was soon evident that they were the former, the next question was whether they were lot boundaries matching those on the plat. If so, it was reasoned, then a street must have run along the east side of the north-south coursing wall. Accordingly, tests were made, but no supporting evidence for this inference was found.
Nevertheless, the indications of an elaborate wall system, a probable house foundation, and a wealth of artifacts in the soil were enough to support a full-scale archeological project, the results of which would have considerable historical and architectural significance. Determining the meaning of the walls and whether they were related to the town layout or to Mercer’s plantation, learning the relationship of the plantation to the town, discovering the sites of the 1691 courthouse and Mercer’s mansion, and finding other house foundations and significant artifacts—all these were to be the objectives of the project. The problem, broadly considered, was to investigate in depth a specific locality where a 17th-century town and an 18th-century plantation had successively risen and fallen and to evaluate the evidence in the light of colonial Virginia’s evolving culture and economy. Accordingly, plans were made, a grant was obtained from the American Philosophical Society, as recounted in the introduction, and intensive work on the site was begun in 1956.
The archeologist must adopt and, if necessary, invent the method of excavation best calculated to produce the results he desires, given the conditions of a particular site. The Marlborough site required other techniques than those conventionally employed, for instance, in excavating prehistoric American Indian sites. Moreover, because the Marlborough excavations constituted a limited exploratory survey, the grid system used customarily in colonial-site archeology was not appropriate here, and a different system had to be substituted. It was decided in 1956 to begin, as in 1954, at obvious points of visible evidence and to follow to their limits the footings of walls and buildings as they were encountered, rather than to remove all of the disturbed soil within a limited area. By itself this was a simple process, but to record accurately what was found by this method and relate the features to each other required the use mainly of an alidade and a stadia rod. Only to a limited extent were some exploratory trenches dug and careful observations made of the color and density of soil, so as to detect features such as wooden house foundations, postholes, and trash pits. Once located, such evidence had to be approached meticulously with a shaving or slicing technique, again taking careful note of soil changes in profile.
All this required the establishment of an accurate baseline and a number of control points by means of alidade and stadia-rod measurements. Then eight points for triangulation purposes in the form of iron pipes were established at intervals along the south side of the highway, east of its turn at the clump of trees, on the basis of which the accompanying maps were plotted. The full extent of the excavations is not shown in detail on these maps, particularly in connection with the walls and structures. The walls, for example, were exposed in trenches 5 feet wide. Similar trenches were dug around the house foundations as evidence of them was revealed.
DESCRIPTIONS OF EXCAVATIONS
On April 2, 1956, the junction point of the three walls found in the 1954 test was reexcavated. The bottom layer of horizontally placed stones 1.8-1.9 feet wide was found in situ, while most of the vertical stones from the second course had been broken or knocked off by repeated plowing. Construction of the highway had completely removed a section of the wall. The corner of the two brick walls was revealed to have been superimposed on the northernmost foundation block of the stone wall, thus indicating that the stone wall preceded the building of the brick ones. The upper stone block that had been removed to make room for this brick corner still lay a few feet to the east where it had been cast aside in the 18th century. This part of the stone wall, together with its continuation beyond the highway to the creek, was designated Wall A (figs. 21 and 24).
Exposure of the brick wall running westward from Wall A (designated Wall A-I) disclosed broken gaps in the brickwork, the gaps ranging from 1.8 to 3 feet in length, and the intervening stretches of intact wall, from 7.33 to 8 feet. Eight-foot spacings are normal for the settings of modern wooden fence posts, as such a fence south of the highway illustrated. It is assumed, therefore, that, following the destruction of the exposed part of the brick wall, a wooden fence was built along the same line, requiring the removal of bricks to permit the setting of fence posts (fig. 26).
Wall A-I intersected the modern highway at an acute angle, disappeared thereunder and reappeared beyond. South of the clump of trees it abutted another wall of different construction which ran continuously in the same direction for 28 feet. Because of their manner of construction, the two walls at their point of juncture were not integrated and, hence, probably were constructed at different times. The 28-foot section later proved to be the south wall of the mansion, designated as B. (This wall will be considered when that structure is described, as will another section that continued for less than 4 feet to the point where a 12-foot modern driveway crossed over it.)
To the west of the driveway another wall (B-I), still in line with Wall A-I, extended toward the “gutt.” Of this only one brick course remained, a brick and a half thick. About midway in its length were slight indications that the wall footings had been expanded for a short distance, as though for a gate; however, the crumbled condition of the brick and mortar fragments made this inference uncertain.
Near the edge of the “gutt,” 146 feet from the southwest corner of the Structure B main foundation, Wall B-I terminated in an oblique-angled corner, the other side of which was designated Wall B-II. This wall ran 384 feet in a southwesterly direction under trees and beneath a boathouse along the “gutt,” ending at the back of Potomac Creek. It was constructed of rough blocks of the fossil-imbedded marl that underlies Marlborough and crops out along the Potomac shore. Walls A, A-I, B-I, and B-II, together with the creek bank, form an enclosure[Pg 72] measuring a little over two acres.
Returning to the point of beginning excavation, the brick wall which is extended north from stone wall A (designated as Wall A-II) was followed for a distance of 175 feet. Like Wall A-I, it was a brick and a half thick (a row of headers lying beside a row of stretchers), and was represented for a distance of 36 feet by two courses. Beyond this point for another 30 feet, a shift in the contour of the land, allowing deeper plowing in relation to the original height of the wall, had caused the second course of bricks to be knocked off. From there on, only occasional clusters of bricks remained, the evidence of the wall consisting otherwise of a thin layer of mortar and brick.
Wall A-II terminated in a corner. The other side of the corner was of the same construction and ran westerly at right angles for a total distance of 264.5 feet, passing beneath the highway (north of the turn) and stopping against the southeast corner of a structure designated E. Extending south from Structure E was an 84-foot wall (Wall E) a brick and a half thick, laid this time in Flemish bond (header-stretcher-header) in several courses.
Another east-west wall, of which only remnants were found, joined Wall E and its southern terminus. Six feet west of Wall E this fragmentary wall widened from three to four bricks in thickness in what appeared to be the foundation of a wide gate, with a heavy iron hinge-pintle in situ; beyond this it disappeared in a jumble of brickbats.
Upon completion of the wall excavations, a return was made to Wall A, where a visible feature had been observed, although not investigated. This feature was a three-sided, westward projection from Wall A, similarly built of Aquia-type stone, forming with Wall A a long, narrow enclosure. The southern east-west course of this structure meets Wall A approximately 62 feet north of the creek-side terminus of Wall A and extends 59 feet to the west. The north-south course runs 100 feet to its junction with the northern east-west segment. The latter segment is only 55 feet long, so the enclosure is not quite symmetrical. No excavations were made here. However, in line with the north cross wall of the enclosure, trenches were dug at four intervals in a futile effort to locate evidence of a boundary wall in the present orchard lying to the east of the road to the creek.
SIGNIFICANT ARTIFACTS ASSOCIATED WITH WALLS
| Date | ||
| Artifact | of Manufacture | Provenience |
| Wine-bottle base. Diameter, 4⅛ inches. (USNM 59.1717 fig. 29; ill. 35) | 1735-1750 | Adjacent to junction of Walls A, A-I, A-II, 13 inches above wall base and |
| Wine-bottle base. Diameter, 4⅝ inches. (USNM 60.117) | 1750-1770 | Surface |
| Polychrome Chinese-porcelain teacup base. Blue-and-white porcelain sherds. (USNM 60.118; 60.121) | 1730-1770 | In disturbed soil between junction of Walls A, A-I, A-II, and modern Highway 621. |
| Buckley coarse earthenware. (USNM 60.80; 60.108; 60.136; 60.140) | Surface | |
| Staffordshire white salt-glazed ware. (USNM 60.106) | ca. 1760 | Surface |
| Brass knee buckle. (USNM 60.139; fig. 83e; ill. 49) | ca. 1760 | Surface |
| Hand-forged nails. | Surface | |
| Scraping tool. (USNM 60.133; fig. 89b; ill. 76) | Surface | |
| Fragment of bung extractor. (USNM 60.134; fig. 89d) | Surface | |
| [Pg 73]Sherds of heavy lead-glass decanter and knop of large wineglass or pedestal-bowl stem. (USNM 60.149) | ca. 1720 | Trenches beside Wall B-2. |
| Westerwald stoneware. (USNM 60.104; 60.121) | before 1750 | Surface |
| Tidewater-type earthenware. (USNM 60.141; 60.154) | ||
| Iron gate pintle. (USNM 60.90; figs. 29 and 88) | Wall E gateway, 6 inches from west end, south side, 13 inches above undisturbed soil, in bricks in second course. | |
| Brass harness ring. (USNM 60.53; figs. 29 and 83i) | 2 inches west of Wall E gateway, on top of third course of bricks, 7 inches above undisturbed soil. | |
| Bridle bit. (USNM 60.67; figs. 29 and 91c) | 5 inches west of Wall E gateway, first course, 4 inches above undisturbed soil. | |
| Bottle seal, marked with "I^C.M" and first three digits of date "173...." (USNM 60.68) | (See matching seal dated 1737 on wine bottle, USNM 59.1688; fig. 78; ill. 37) | Underneath bridle bit (see above). |
| Fragment of iron potlid (USNM 60.69; fig. 87a) | Southwest corner of Wall E gateway, 7 inches above undisturbed soil, at lowest brick course. | |
| Indian celt, with hole drilled for use as pendant. (USNM 60.87) | 16 inches east of southwest corner of Wall E gateway, at undisturbed soil, 7 inches below wall base. | |
| Iron loop from swingletree. (USNM 60.86) | 30 inches east of southwest corner of Wall E gateway, at undisturbed soil, 7 inches below wall base. | |
| Wine-bottle base. Diameter 4½ inches (USNM 60.83) | 1735-1750 | Wall E gateway. Top course of bricks, 16 inches north of pintle (see above). |
| Iron plow colter. (USNM 60.88, ill. 79) | Wall E gateway. Top course of bricks, 5.5 feet east of pintle (see above). |
In addition to the artifacts listed above numerous others were excavated from the trenches, although few of these have archeological value for purposes of analyzing the structures. Only the finds accompanied by depth and provenience data are significant in evaluating these structures, and in the case of the gateway few are helpful to any degree. The fragmentary bottle seal found there matches exactly a whole seal that occurs on a wine bottle described in a subsequent section. That seal is dated 1737, and thus this seal must have been similarly dated. Its presence near the lowest level suggests that the wall was in construction at the time the seal was deposited. Bottles were used for a long time, however, so the seal may have reached its final resting place years later than 1737. The Indian celt no doubt fell from the topsoil while the trench in which the wall was built was being excavated. The swingletree gear next to it probably was left there during the construction. The colter, although it appears to be of early 18th-century origin, may have been in use late in the 18th century after the wall had been removed. Since the colter is badly bent, it may have struck the top of the underground wall foundation, and, having been torn off from the plow, perhaps was left on the bricks where it fell.
Figure 24.—Junction of stone Wall A, running from creek side to this point,
with brick Wall A-I at top left, Wall A-II at right.
Figure 29.—Detail of gateway in Wall E, showing iron pintle for gate hinge
in place; also bridle bit (see fig. 91c), harness ring, and bottle base (see
ill. 35).
HISTORICAL DATA AND INTERPRETATION OF WALL SYSTEM
John Mercer commented with exasperation in his Land Book about the unresolved discrepancies between the Buckner survey of 1691 and the missing Gregg survey of 1707 (p. 14). There are as many disparities between Buckner’s plat and the plat resulting from the Savage survey of 1731. In the latter a new row of lots is added along the western boundary, pushing the Buckner lots eastward. Where in the Buckner plat the lots and streets in the lower part of the town west of George Andrews’ lots turn westerly 1° from the indicated main axis of the town, paralleling the 30-pole fourth course of the town bounds which runs to the creek’s edge, the Savage map shows no such change. Yet Savage, in describing the courses of the survey in a written note[Pg 83] on the plat, shows that he followed the original bounds. He does note a 4°, 10-pole error in the course along Potomac Creek, “which difference gives several Lots more than was in the old survey making one Row of Lots more than was contained therein each containing two thirds of an Acre.” This was doubtless a contrivance designed to reconcile the Gregg and Buckner surveys and also to benefit John Mercer.
In any case, it is clear that the plats themselves are both unreliable and inaccurate. What was actual was shown in the archeological survey of 1956 with its record of boundary walls and at least one street. An attempt has been made in figure 14 to give scale to the Buckner survey by superimposing the archeological map over it. There, Wall B-II, if extended north for 111 feet beyond its length of 384 feet to equal the 30 poles (495 feet) of the fourth course, would exactly touch the southwest corner of lot 21 where the fourth course began. But, in spite of this congruence, the other features of the plat are distorted and disagree with the slightly northwest-southeast basic orientation of the street and wall system. The simplest explanation might be that the layout was made on the basis of the 1707 Gregg survey. Since it was following the second Act for Ports of 1705 that the town achieved what little growth it made prior to Mercer’s occupancy, it is probable that the town’s orientation was made according to this survey.
Whether or not this is the case, the road to the creek side was fundamental to the town, and probably was built early in its history and maintained after the town itself was abandoned. We know from archeological evidence that Wall A antedates the brick walls that were connected with it. Further evaluation of the wall system in relation to the entire site will be made later. It may be concluded for now that Wall A and the road beside it represent the main axis of the town as it was laid out before Mercer’s arrival, that the stone walls were built before that event, that Wall B-II follows the fourth course somewhat according to Buckner’s plat, and that the brick walls may date as late as 1750, as some of the associated artifacts suggest.
DESCRIPTION OF EXCAVATIONS
With the exception of Wall A, the protruding bit of brickwork near the clump of trees (where Highway 621 makes its turn to the southeast) was the only evidence remaining above ground in 1956 of Marlborough’s past grandeur. Designated Structure B, it was plainly the remains of a cellar foundation, which the tangled thicket of vines and trees adjacent to it tended to confirm. Since its location corresponded with the initially estimated position of the courthouse, it seemed possible that the foundation might have survived from that structure.
Excavation of Structure B began accidentally when the excavators began following the westward course of Wall A-I, as described in the preceding section on the “Wall System.” Wall A-I abutted, but did not mesh with, the corner of two foundation walls, one of which ran northward and the other continued on for 28 feet in the same direction as Wall A-I. The brickwork in the 28-foot stretch of Wall A-I was laid in a step-back, buttress-type construction. At the bottom course the wall was 2.65 feet thick, diminishing upward for five successive courses to a minimum of 1.5 feet. A wall running northward—the east foundation wall—was exposed for 16 feet from the point of its junction with Wall A-I until it disappeared under the highway. It was found to have the same buttress-type construction. There was no evidence of a cellar within the area enclosed by the foundation walls south of the highway.
Excavation of the east foundation wall was resumed north of the highway, but here no buttressing was found, with evidence of a cellar visible instead. This evidence consisted of a curious complex of features, comprising remnants of two parallel cross walls only 4.5 feet apart with a brick pavement between 4.8 feet below the surface. The east wall and the cross walls had flush surfaces. The northerly cross wall was tied into the brickwork of the east wall, showing that it was built integrally with the foundation. The northerly cross wall had been knocked down, however, to within five courses on the floor level. The pavement was fitted against it.
The southerly cross wall was not tied into the brickwork of the east wall, and the pavement had been torn up next to it. Thus it was evident that this wall had been erected subsequent to the building of the foundation, that it had shortened the cellar by 4.5 feet, and that the cellar extended southward to a point beneath the highway where it was impossible to excavate. Documentary evidence to confirm this alteration will be shown below (p. 91).
Extending 12.5 feet north of the original cross wall was another cellarless section, with step-back buttressing again featuring the foundation wall. Another paved cellar was in evidence north of this, extending for 26 feet, with a final 14.25-foot cellarless portion as far as the north wall of the structure. The interior of the cellar, to the extent that inviolate trees and shrubs made it possible to determine, was filled with brickbats and debris, large portions of which were removed. Evidence, however, of construction of cross walls and of floor treatment remained concealed.
The entire length of this extraordinary foundation totaled 108 feet.
The northwest corner of Structure B was not excavated because it was hidden beneath a group of cedar trees which could not be disturbed. South of the trees, however, the section of the west-wall foundation was exposed to a length of 15.5 feet. This section was situated partly in, and partly north of, the north cellar area. The cross measurement, from outer edge to outer edge, was 28 feet, the same as the length of the south foundation wall. Another short section of the west foundation wall also was exposed from the southwest corner as far as a private driveway which limited the excavation.
Abutting the exterior of the north wall of the foundation a flagstone pavement was found, extending 8.45 feet northward and 16 feet westward from the northeast corner. Against the foundation, within this space, was a U-shaped brick wall, forming a hollow rectangle 5 feet by 3.6 feet (inside). The space was filled with ashes, loose bricks, and other refuse. This brickwork was the foundation for a small porch, the lime-sandstone slabs surrounding it having been an apron or a small terrace.
Extending westward from the cedar trees, beyond the projected 28-foot length of the north wall, was a short section of brick wall foundation, the outer surface of which was faced with slabs of red sandstone and dressed on the top with a cyma-reversa molding. The tops of the slabs were rough, but each had slots and channels for receiving iron tie bars (ill. 3) that were still in place. This wall was inset four inches to the south of the alignment of the main north foundation wall.
Figure 34.—Southwest corner of Structure B. Piazza foundation extends to left, with
red sandstone block at junction of piazza with main foundation. To the left of top of
sign, molded red-sandstone trim can be seen which apparently surrounded the piazza.
Bricks in front of trim appear to have been added later as step foundation. Brick buttressing
of main-foundation footing appears at right.
The northwest corner of this additional structure was hidden under the highway. Even now, however,[Pg 87] the discerning eye can pick up the contour of a wall running parallel with the west foundation wall under the blacktop pavement. For a brief distance, between the point where the road swings eastward from it and the private driveway covers it again, excavation exposed this wall. Designated Wall C, it was 22 inches thick, entirely of brick, with no evidence remaining of red sandstone on the outside. The exterior surface was 9.5 feet beyond the west foundation wall.
At the southwest corner of the foundation, evidence matching that at the northwest corner was found. Here, again inset 4 inches from the line of the main south foundation wall, were to be seen the tops of red-sandstone slabs like those found at the north end (fig. 36), in this case with one tie rod still in place. The driveway obscured the point to which the corner of this extending structure could presumably be projected. Subsequent construction against the sandstone slabs had covered their surfaces with a rubble of brick and mortar that appeared to be the foundation for masonry steps (fig. 35). Projecting out from the southwest corner of the foundation was a rectangular red-sandstone block which appeared to be the corner of these superimposed steps. Although situated under the driveway, it was apparent by projection that Wall B-I joined the southwest corner of Wall C. It will be demonstrated from surviving records that Wall C, with its connecting sections, was the foundation of a full-length veranda.
The belief which persisted for a time that Structure B might have been the courthouse was dispelled by documentary evidence showing that it was John Mercer’s mansion.
Figure 35.—Southwest corner of Structure B, showing molded-sandstone trim
with added brickwork in front. Bricks also covered red-sandstone block, lower
right. (Diagonally placed bricks at left are not part of structure.)
SIGNIFICANT ARTIFACTS ASSOCIATED WITH STRUCTURE B
| Date | ||
| Artifact | of Manufacture | Provenience |
| 2 rim sherds from brown-banded; "drab," stoneware mug (USNM 59.1754; fig. 67b) | ca. 1730 | Beneath flagstone in porch apron north of Structure B. |
| Iron candle-snuffer (USNM 59.1825; ill. 62) | 1730-1750 | Debris at south end of Structure B. |
| Small crescent-shaped chopping knife (USNM 59.1837; fig. 85a) | Debris at south end of Structure B. | |
| Silver teaspoon (USNM 59.1827; fig. 86d) | ca. 1730-1750 | Wall debris near north end. |
In addition, there was the usual variety of 18th-century delftware, Nottingham and white salt-glazed stoneware, pieces of a Westerwald stoneware chamber pot, and much miscellaneous iron, of which only a hinge fragment and a supposed shutter fastener probably were associated with the house. None of this material has provenience data, nearly all of it having turned up in the process of trenching. Little of it, therefore, throws much light on the history of the structure. The most important artifacts found in and around Structure B are those of an architectural nature, and these will be considered primarily in the following section.
ARCHITECTURAL DATA AND ANALYSIS OF STRUCTURE B
That the “manor house,” as Thomas Oliver called it in 1771, was an extraordinary building is both revealed in the Structure B foundation and confirmed by the insurance-policy sketch of 1806. Long, low,[Pg 89] and narrow, fronted by a full-length veranda and adorned with stone trim for which we can find no exact parallel in 18th-century America, it was as individualistic as John Mercer himself. Yet, far from being a vernacular anachronism or a mere eccentricity, it was apparently rich with the Georgian mannerisms that made it very much an expression of its age.
Figure 36.—South wall of Structure B, looking east. Base of veranda
extends to bottom of picture at left. Molded-sandstone trim appears through
brick rubble that has been attached to it, evidently as base for steps.
The measurements made of the foundation when excavated, as we have seen, show a length of 108 feet and a width of 28 feet for the main structure, with an overall width, including the projecting Wall C, of 37 feet 6 inches. The insurance policy states a length of 108 feet 8 inches and a width of 29 feet 6 inches for the main foundation, plus a separate width for the “portico” (as the structure above Wall C was called) of 8 feet 4 inches. These small discrepancies probably lie in the differences between measuring a standing house and a foundation.
Despite the fact that the foundation was far from fully excavated because of the presence of trees and highway, it is clear, nevertheless, that two cellars of unequal size were situated within the main foundation, separated by sections where there were no cellars. These findings correspond with the notation on the insurance-policy plan, “a Cellar under about half the House.”
Figure 37.—Cellar of Structure B, showing remains of original cross wall
at left and added cross wall at right. Mercer probably referred to the latter
in 1749 in his account with Thomas Barry: “Underpinning and altering
the cellar.”
The partly destroyed cross wall extends about midway across the foundation, acting as a retaining wall.[Pg 90] As described above, this cross wall was found to be tied into the brick pavement that abutted it on the south side.
The bricks in the main foundation walls and in the partly destroyed cross wall and pavement, on the basis of sample measurements, show a usual dimension of about 8½ by 2¾ by 4 inches. An occasional 9-inch brick occurs—about 10 percent of the sample.
In contrast, the bricks in the second cross wall are all 9 inches long, except two that are 8½ inches and one that is 8¾ inches. Similar sizes prevail in the bricks exposed in the “portico” foundation (Wall C) at the south end. The significance of these brick sizes will be discussed later.
It is clear that Wall C was the foundation of the “portico,” and that by “portico” the writer of the insurance policy meant veranda or loggia. The policy also shows a “Porch 10 by 5 f.” extending from the middle of the veranda. The highway now covers this spot.
In the space between the two parallel cross walls within the main foundation, the debris yielded a large section of a heavy, red-sandstone arch, 14 inches wide, 9 inches thick, and 3 feet 2 inches long. This arch[Pg 91] was roughhewn on the flat surfaces and on about half of the outer curved surface, or extrados. The inner surface, or intrados, and the remainder of the extrados are smoothly dressed (fig. 38). At the south end of the main foundation another curved red-sandstone piece was recovered. This piece curves laterally and has a helically sloped top surface. It is 25 inches long, 14½ inches high at the highest point, and 9 inches thick. Presumably, it was part of a flanker for a formal outdoor stair or steps (fig. 39). Also at the south end was found a cast-mortar block with grooves on the back for metal or wooden fastenings (USNM 59.1823; fig. 40). This was perhaps part of a simulated ashlar doorframe. A few gauged or “rubbed” bricks occur that are slightly wedge shaped.
Figure 38.—Section of red-sandstone arch found in cellar,
presumably from an arcade surrounding the veranda.Turning to the documentary evidence, one may recall that an item dated September 1747, “By building part of my House,” appeared in David Minitree’s account in Ledger G. Two years later, in 1749, several items related to the house appeared in the account of Thomas Barry, “By Building the Addition to my House/ By 22 Arches/ By 900 Coins & Returns/ By a Frontispiece/ By Underpinning & altering the Cellar.” In 1749 and 1750 William Copein was paid for mason’s work.
Figure 40.—Cast-concrete block, probably part of a rusticated door enframement.
Found at south end of Structure B. (See ills. 1 and 2.)
Figure 41.—Dressed red-sandstone slab (originally in one piece), molded
on both edges. Although last used as a doorstep in Structure E, this slab
was probably designed as trim for the sides of steps connected with the
main house (Structure B).
Illustrations 1 and 2.—Front and back of cast-concrete block, probably part of a rusticated door enframement (fig. 40). One-fourth. (USNM 59.1823.)
Figure 42.—Fossil-embedded black sedimentary stone, used
for hearths and fireplace surrounds in the mansion.
Illustration 3.—Iron tie bar used to
secure dressed red-sandstone slabs to
each other. One-fourth. (USNM
59.1833.)
There is a clear sequence here. “Building part of
my house” referred to the basic brick structure built
in 1747 by Minitree on the main foundation. The
work of William Monday, the carpenter, followed in
1748. This doubtless included building the roof,
setting beams, laying floors, and building partitions.
Then in 1749 Barry built the “Addition to my
House”—almost certainly the veranda. The item
for 22 arches is difficult to understand unless one
relates it to the veranda and divides the figure in two.
The veranda was probably an arcade having 11 arched[Pg 92]
[Pg 93]
[Pg 94]
openings, with arched facings of rubbed brick both
inside and outside the arcade. Thus, for the bricklayer,
each actual arch would have required two
arches of brick. The intrados, or undersurfaces, of
the arches were probably red sandstone, like the fragmentary
arch found in the site; the basic element of
the arch was then faced on each side with bricks also
arranged in an arch formation. The arcade at
Hanover courthouse seems to have been built in a
somewhat similar fashion, except that there the brick
facing appears on the exterior of the arch only. The
“900 Coins and Returns” probably are gauged bricks,
that is, bricks ground smooth on a grindstone to
provide a different texture and richer red color to
contrast with the ordinary wall brick. They were
widely used in Virginia mansions of the 18th century
for corner and arch decoration. At Marlborough over
600 rubbed bricks would have been required to trim
the piers of 11 arches, while the remainder may have[Pg 95]
decorated the porch. The porch, we may be sure,
was the “Frontispiece.”
The item for “Underpinning & altering the cellar” probably refers to the knocked-out original cross wall and the added parallel cross wall, although the reasons for the change will always remain a mystery. As has been noted, the average brick sizes in the main foundation, on the one hand, and those of bricks in the new cellar cross wall and in the veranda were mostly different. Probably the distinctions represent the differences between Minitree’s and Barry’s bricks.
Figure 44.—Plan of mansion house drawn on a Mutual Assurancy Society of
Virginia policy of 1806 after the house was acquired by John Cooke.
(Courtesy of Virginia State Library.)
The detailed sequence of joiners’, plasterers’, and painters’ work during the 1748-1750 period has already been given attention in the historical section, enough to indicate that the mansion was one of luxurious appointments. The insurance policy describes it as a “Brick Dwelling House one Story high covered with wood.” In modern parlance this would be called a story-and-a-half house with a wood-shingled roof. The veranda, probably in the form of an arcade, was trimmed with dressed red sandstone and perhaps paved with the squares and oblongs of this material found scattered around the site. The small projecting porch mentioned in the insurance policy provided a central pavilion. The appearance of the house from here on must be left wholly to speculation with only hints to guide us. We know, for instance, that a considerable amount—three books—of gold leaf[Pg 96] was employed. Was there, perhaps, a small gilded cupola to break the long expanse of roof line? Were the 162 ballusters, purchased from George Elliott towards the time of completion, made for staircases indoors or for a balustrade along the roof? Or did they border the roof of the veranda? To these questions there can be no answer. Another question is whether the house, described as one story high, was built over a high basement or near ground level. Here we have evidence pointing to the latter, since the foundation had two separate cellars, equalling “a Cellar under about half the House.” A high or English basement, by contrast, would have been continuous. Furthermore, the veranda was at, or near, the ground level. The ground floor thus might have been as much as 3 feet higher, reached by steps from the veranda—but not a whole story higher. The depth of the cellars, ranging from about 4 to 5 feet below ground level, implies that the first floor was not more than 3 feet above ground level.
Suggestions as to details of trim and finish are made here and there, again in fragmentary hints. Several broken pieces of a dark-gray, fossil-embedded marble survive from the “chimney-pieces” and hearths of fireplaces (fig. 42). They may be the “hewn stone from Mr. Nicholson” paid for in 1749. A piece of plaster cyma-recta cornice molding shows that some rooms, at least, had plaster rather than wooden ceiling trim (USNM 59.1829, ill. 4). Thomas Oliver’s statement that “the Manor house wants lead lights in some of the windows” suggests an unparalleled anachronism, since the term “lead light” is an ancient one referring to casement sashes of leaded glass. But it is inconceivable, in the context of colonial architectural history, that this house should have had leaded-casement windows, and it is very probable, therefore, that the semiliterate Oliver was indulging in a rural archaism to which he had transferred the meaning of “sash lights.” The latter term was used commonly to denote double-[Pg 97]hung, wooden-sash windows, such as Georgian houses still feature. In support of this inference is the complete lack of archeological evidence of leaded-glass windows.
Illustration 4.—Cross section of plaster
cornice molding from Structure
B. Same size. (USNM 59.1829.)
The cellarless areas of the foundation may have provided the footings for chimneys. These probably stood several feet from the ends, perhaps serving clusters of four corner fireplaces each, for each floor. One may surmise that there was a hip roof, with a chimney rising through each hip. A porch at the north end had a rectangular brick base 4 by 6 feet, surrounded by a flagstone area 16 feet wide and 8 feet 5 inches in extent from the house. This evidence, however, differs from the figures given in the insurance plan which shows a “Porch 8 by 6 feet.”
The mansion embodied some characteristics which are traditional in Virginia house design and others which are without parallel. The elongated plan indicated by the foundation was more frequently encountered in Virginia dwellings of the late 17th and early 18th centuries than in the “high Georgian” mansions of the 1740’s and 1750’s. Turkey Island, for example, built in Henrico County in the 17th century, was 103 feet long, 5 feet less than Marlborough.[149] The additions to Governor Berkeley’s Green Spring Plantation, built during the late 17th century, consisted of an informal series of rooms, one room in depth for the most part. Waterman is of the opinion that Green Spring was “in a sense an overgrown cottage without the real attributes of a mansion.”[150] The excavations conducted in 1954 by Caywood have altered the basis for this opinion somewhat, but, with its 150-foot length, Green Spring remains an early example of the elongated plan.[151]
Aside from being elongated, Marlborough derives from the ubiquitous informal brick cottage of Virginia. So indigenous is this vernacular form that it is often found in houses of considerable pretension, even in the 18th century. Such are the Abingdon glebe house in Gloucester County, Gunston Hall in Fairfax, and the Chiswell Plantation, known as “Scotchtown,” in Hanover. Robert Beverley noted the Virginians’ fondness for this style, commenting that they built many rooms on a floor because frequent high winds would “incommode a towering Fabrick”—an explanation as delightful as it is absurd.[152]
That these one-story houses could be completely formal is demonstrated in the unique early 18th-century addition to Fairfield (Carter’s Creek Plantation) in Gloucester County, which burned in 1897. This dwelling had a full hip roof, with dormers to light the attic rooms, and a high basement. Its classical cornice was bracketed with heavy modillions, while a massive chimney protruded from the slope of the hip.[153] Gunston Hall, on the other hand, reverted to the gable-end form. Although essentially a Virginia cottage, it is richly adorned with Georgian architectural detail. Completed in 1758, only eight years after Marlborough, and owned by Mercer’s nephew George Mason, this building may be more closely related to Marlborough than any other existing house.[154]
Figure 45.—The villa of “the magnificent Lord Leonardo Emo” at “Fanzolo,
in the Trevigian;” illustrated in The Architecture of A. Palladio (Giacomo Leoni,
ed., 3rd edition, corrected, London, 1742). Palladio’s was one of the works
owned by Mercer and probably used by Bromley. The arcaded loggias of
the one-story wings of this building may have contributed to the inspiration
of Marlborough. (Courtesy of the Library of Congress.)
Of all the one-story Virginia houses that have come to our attention, only Marlborough has a full-length veranda. To be sure, there are multiple-story houses with full-length verandas, the most notable being[Pg 98] Mount Vernon. Elmwood, built just before the Revolution in Essex County, is another, having a foundation plan similar to Marlborough’s.[155] The Mount Vernon veranda is part of the remodeling of 1784, so that neither house reached its finished state until a quarter of a century after Marlborough’s completion. Marlborough may thus at the outset have been unique among Virginia dwellings in having such a veranda. However, full-length verandas on buildings other than dwellings were not unknown in Virginia prior to the construction of Marlborough, for they occurred in an almost standard design in the form of arcaded loggias in county courthouses. Typical were King William and Hanover County courthouses, both built about 1734 (figs. 5 and 61).
The arcaded loggia is Italian in origin and is traceable here to Palladio, whose influence was diffused to England and the colonies in a variety of ways. We know that The Architecture of A. Palladio was one of four architectural works acquired by Mercer in 1748 and apparently lent to his “architect,” joiner William Bromley. The direct influence of this work on the overall plan of Marlborough probably was negligible. However, Palladio illustrates the villa of “the magnificent Lord Leonardo Emo” at “Fanzolo, in the Trevigian” (fig. 45), which may have caught Mercer’s eye. This building had a central, raised pavilion with two one-story wings, each approximately 100 feet long. Each wing had a full-length, arcaded veranda. The wings were intended for stables, granaries, and so forth. Palladio commented:
[Pg 99]"People may go under shelter every where about this House, which is one of the most considerable conveniences that ought to be desir’d in a Country-house."[156]
Mercer may have been impressed by this argument and by the arcade in the design. He was already familiar with arcades at the capitol at Williamsburg and at the College of William and Mary, as well as at outlying courthouses where he practiced, the courthouse at Stafford probably included. In any case, he did not have the veranda built until 1748 or 1749, after the main structure had been completed. It is significant, in this regard, that it was not until March 1748 that he settled accounts with Sydenham & Hodgson for the four architectural books (including Palladio).
A formal garden apparently was laid out in the nearly square, walled enclosure behind the mansion. It is perhaps wholly a coincidence that Palladio, writing about the villa at Fanzolo, commented, “On the back of this Building there is a square Garden.”
FOOTNOTES:
[149] Henry Chandlee Forman, The Architecture of the Old South (Cambridge: Harvard University Press, 1948), pp. 74-75.
[150] Op. cit. (footnote 94), p. 21.
[151] Louis Caywood, Excavations at Green Spring Plantation (Yorktown, 1955), pp. 11, 12, maps nos. 3 and 4.
[152] Robert Beverley, op. cit. (footnote 5), p. 289.
[153] Waterman, op. cit. (footnote 94), pp. 23-26; Fiske Kimball, Domestic Architecture of the American Colonies and of the Early Republic (New York: Charles Scribner’s Sons, 1927), p. 42.
[154] Rosamond Randall Beirne and John Henry Scarff, William Buckland, 1734-1774; Architect of Virginia and Maryland (Baltimore: Maryland Historical Society, 1958).
[155] Waterman, op. cit. (footnote 94), p. 298.
[156] Antonio Palladio, The Architecture of A. Palladio ... Revis’d, Design’d, and Publish’d By Giacomo Leoni ... The Third Edition, Corrected ... (London, 1742), p. 61, pl. 40.
DESCRIPTION OF EXCAVATIONS
Structure E was a brick foundation, 17 feet by 32 feet, situated at the northwest corner of the enclosure-wall system. Its south wall was continuous with Wall D, which joined it, and was at right angles to Wall E. The latter abutted it in line with an interior foundation wall which bisected the structure into two room areas, designated X and Y. Thus it once stood like a bastion extending outside the enclosure walls, but remaining integral with them and affording a controlled entrance to the enclosure (fig. 46).
The east end of Structure E extended under a modern boundary fence to the present edge of the highway. Ditching of the highway had cut into the foundation and exposed the debris and slabs of stone in place, which indeed had provided the first clues to the existence of the structure. Clearance of the easterly area, Room X, revealed a pavement of roughly rectangular slabs of mixed Aquia-type lime-sandstone and red sandstone. These slabs were flaked, eroded, and discolored, as though they had been exposed to great heat. The pavement was not complete, some stones having apparently been removed. The scattered locations of the stones remaining in situ implied that the entire room was originally paved.
Between the northwest corner of Room X and a brick abutment 5 feet to the south was a rectangular area where the clay underlying the room had been baked to a hard, red, bricklike mass (fig. 49). Wood ash was admixed with the clay. This was clearly the site of a large fireplace, where constant heat from a now-removed hearth had penetrated the clay. Extending north 3.8 feet beyond the bounds of the room at this point was a U-shaped brick foundation 4.75 feet wide. Near the southeast corner of the room, just outside of the foundation, which it abutted, was a well-worn red-sandstone doorstep, which located the site of the door communicating between Structure E and the interior of the enclosure—and, of course, between Structure E and Structure B, the distance between which was 100 feet.
Room Y, extending west beyond the corner of the enclosure walls was perhaps an addition to the original structure. The disturbed condition of the bricks where this area joined Room X, however, obscured any evidence in this respect. In the northeast corner, against the opposite side of the fireplace wall in Room X, was another area of red-burned clay. Lying across this was a long, narrow slab of wrought iron, 34.5 by 6 inches (fig. 50), which may have served in some fashion as part of a stove or fire frame. In any case, a small fireplace seems to have been located here. Approximately midway in the west wall of Room Y, against the exterior, lay a broken slab of red sandstone, which obviously also served as a doorstone. That it had been designed originally for a more sophisticated purpose is evident in the architectural treatment of the stone, which is smoothly dressed with a torus molding along each edge and a diagonal cut across one end (fig. 41). No evidence of floor remained in this room, except for a smooth surface of yellow clay which became sticky when exposed to rain.
The north half of Room Y was filled with broken bricks, mortar, plaster, nails, and—significantly—small bits of charred wood and burned hornets’ nests. The concentration of debris here could be explained by the collapse of the chimney as well as the interior wall into the room. The crumbly condition of the southwest portion of the exterior-wall foundation also may indicate a wall collapse. Few artifacts were recovered in this area.
North of Room X lay a large amount of rubble and artifacts, suggesting that the north wall had fallen away from the building, perhaps carrying with it shelves of dishes and utensils. Both rooms contained ample evidence in the form of ash, charcoal, burned hornets’ nests, and scorched flagstones to demonstrate that a fire of great heat had destroyed the building.
ARCHITECTURAL DATA AND INTERPRETATION
John Mercer’s account with Thomas Barry (Ledger G) itemizes for 1749, “building a Kitchen/ raising a Chimney/ building an oven.” It is clear from the features of Structure E, its relation to Structure B, and the custom prevalent in colonial Virginia of building separate dependencies for the preparation of food, that Structure E was the kitchen referred to in Barry’s account. Like this building, kitchens elsewhere were almost invariably two rooms in plan—a cooking room and a pantry or storage room. One of the earliest—at Green Spring—had a large fireplace for the kitchen proper, and in the second room a smaller fireplace, both served by a central chimney. An oven stood inside the building between the larger fireplace and the wall.[157] At Stratford (ca. 1725) the kitchen is similarly planned, as it is at Mannsfield (Spotsylvania County).[158] Mount Vernon has an end chimney in its kitchen, and only one fireplace. The floor of the kitchen proper is paved with square bricks, while the[Pg 103] second room has a clay floor. The Stratford kitchen is paved with ordinary bricks. Such examples can be multiplied several times.
The physical relationship of the kitchen to the main house in Virginia plantations was dictated in part by convenience and in part by the Palladian plans that governed the architecture of colonial mansions. Structure E’s relationship to Structure B is representative of that existing between most kitchens and their main buildings. Mount Vernon, Stratford, Blandfield, Nomini Hall, Rosewell, and many other plantations have, or had, kitchens located at points diagonal to the house and on axes at right angles to them. Usually each was balanced by a dependency placed in a similar relationship to the opposite corner of the house. Sometimes covered walkways connected the pairs of dependencies, curved as at Mount Vernon, Mount Airy, and Mannsfield, or straight as at Blandfield in Essex County (1771). Marlborough, as we shall see, was not typical in its layout, but the relationship between kitchen and house was the customary one.
The thickness of the foundations in Structure E was the width of four bricks—approximately 17 inches. As usual in the case of the lower courses of a foundation, the bricks were laid in a somewhat random fashion. The intact portions of the south and west walls revealed corners of bricks laid end to end so as to expose headers on both sides. The east wall showed pairs of bricks placed at right angles to each other, so that headers and stretchers appeared alternately. On the north wall of Room X bricks were laid as headers on the outside and as stretchers, one behind the other, on the inside. These variations probably are due to[Pg 104] different bricklayers having worked on the building simultaneously. Since oddly assorted courses would have been below ground level, care for their appearance was minimal. Finished exterior brickwork was required only above the lowest point visible to the eye.
Figure 49.—North wall of Structure E, looking east. Sign stands on partition
wall between Rooms X and Y and in front of rectangular section of burnt
red clay, upon which fireplace hearth stood. Projecting foundation at left
may have supported an oven. Iron slab (see fig. 50) lies in situ with trowel
on top.
Brick sizes ran from 9 to 9½ inches long, 4 to 4½ inches wide, and 2¼ to 2¾ inches thick. These measurements are similar to those of bricks in the veranda foundation and the added cellar cross wall of Structure B. It is apparent from Ledger G that the elements in Structure B, as well as the kitchen, were all built by Thomas Barry. Barry probably used bricks that he himself made, according to the custom of Virginia bricklayers, so that the archeological and documentary evidences of the extent of his work in the two buildings reinforce each other.
The protruding rectangle of bricks at the north end of Structure E resembles the foundation for steps in Structure B. However, its position directly adjacent to what must be assumed to have been the fireplace precludes the possibility of its having been the location for a step. Moreover, the pavement and doorstones at the west and south demonstrate that the floor of[Pg 105] the kitchen was at ground level, so that a raised step at the north side would have been not only unnecessary, but impossible.
Figure 50.—Wrought-iron slab, found in Room Y, Structure E, behind
fireplace. Purpose unknown. Size, 6 by 35 inches.
We know from the ledger that Barry built an oven and raised a chimney. That the latter was a central chimney may be assumed on the basis of the evidence of the two fireplaces placed back to back. There is, however, no archeological evidence that there was an oven within the structure, and every negative indication that there was not. The rectangular protrusion, exactly in line with the end of the fireplace thus was apparently the foundation for a brick oven, the domed top of which extended outside the building, with its opening made into the north end of the fireplace. Protruding ovens are known in New York and New England, but none in Virginia has come to the writer’s attention. On the other hand, protruding foundations like the one here are also unknown in Virginia kitchens, except where slanting ground, as at Mount Vernon, has made steps necessary.
It may be concluded that Structure E was the plantation kitchen, that it was built in 1749, that it had two rooms (a cookroom with fireplace paving and a large fireplace, and a second room with a smaller fireplace), that an oven built against the exterior of the building opened into the north end of the fireplace, and that the first, and probably the only, floor was at ground level. Archeological evidence points to final destruction of the building by fire. (Mercer indicated that fire had threatened it previously in the entry in his journal for April 22, 1765, which noted “kitchen roof catch’d fire.”) In the form of datable artifacts, it also shows that the structure was destroyed in the early 19th century, since the latest ceramic artifacts date from about 1800.
DESCRIPTION OF EXCAVATIONS
A nearly square foundation, measuring 18.3 feet by 18.6 feet, with a narrow extended brick structure protruding from it, was situated some 45 feet north of Wall D, about midway in the wall’s length. It was oriented on a north-northwest—south-southeast axis, quite without reference to the wall system. The foundation walls and the narrow extension were exposed by excavation, but the interior area within the walls was not excavated, except for 2-foot-wide trenches along the edges of the walls.
The foundation itself, about 2 feet thick, consisted of brick rubble—tumbled and broken bricks, not laid in mortar and for the most part matching bricks found elsewhere in Marlborough structures. Scattered among the typical Virginia bricks and brickbats were several distinctively smaller and harder dark-red bricks measuring 7¼ inches by 3½ inches (fig. 53).
The most interesting feature of the structure was its narrow extension. This had survived in the form of two parallel walls laid in three brick courses without mortar, the whole projecting from the southeasterly wall. The interior measurement between the walls was 1.75 feet and the exterior overall width was 4 feet. Its southern extremity had an opening narrowed to 1 foot in width by bricks placed at right angles to the walls. Approximately 5 feet to the north the passage formed by the walls was narrowed to 1 foot by three tiers of one brick, each tier laid parallel to the passage on each side. At 8.7 feet from its southern terminus the extension intersected the main foundation. Just north of this intersection, bricks laid within the passage were stepped up to form a platform two courses high and one course lower than the top of the foundation. A fluelike opening was formed by two rows of brick laid on top of the platform, narrowing the passage to a width of 5 inches. North of the southeast foundation wall there remained a strip of four bricks in two courses at the level of the opening, forming a thin continuation of the platform for 3.25 feet.
SIGNIFICANT ARTIFACTS IN STRUCTURE F
The narrow extension contained several bushels of unburned oystershells and some coals. There was limited evidence of burning, although the shells were not affected by fire. A small variety of artifacts was found, few of which dated later than the mid-18th century. The flue or fire chamber yielded the following artifacts:
59.1717 Wine-bottle basal fragments, 5-5½ inches, mid-18th-century form
59.1721 Stem of a taper-stem, teardrop wineglass, misshapen from having been melted, ca. 1730-1740
59.1723 Green window glass, one sherd with rolled edge of crown sheet
59.1724 Blue-and-white Chinese porcelain
59.1725 “Yellowware” sherd, probably made before 1750
59.1727 Westerwald gray-and-blue salt-glazed stoneware
59.1728 Buckley black-glazed ware
59.1730 Miscellaneous late 17th- and early 18th-century delftware fragments
[Pg 108]59.1731 Staffordshire salt-glazed white stoneware, some with molded rims, ca. 1760
59.1734 Half of sheep shears (ill. 85)
59.1735 Convex copper escutcheon plate (fig. 83g)
59.1736 Brass-hinged handle or pull for strap (fig. 83j, ill. 89)
Elsewhere, in the trenches next to the foundation walls, artifacts typical of those occurring in other parts of the site were found. Worth mentioning are pieces of yellow-streaked, red earthen “agate” ware, sometimes attributed to Astbury or Whieldon, and sherds of cord-impressed Indian pottery.
ARCHITECTURAL ANALYSIS
Since the interior of this structure was not excavated, many uncertainties remain as to its identity. The peculiar fluelike structure passing through its foundation, the rubble of bricks used to form the foundation, the huge quantities of oystershells in the flue, with partly burnt coals underneath, give rise to various speculations. So does the orientation of the structure, which is off both the true and polar axes and is also unrelated to the mansion or the wall system.
The most likely explanation seems to be that Structure F was the foundation of a smokehouse. A recently excavated foundation in what was known as Brunswick Town, North Carolina, is almost identical (except for the use of ballast stone in the fire chamber and the building foundation). This also is believed to be a smokehouse foundation, since similar structures[Pg 109] are still remembered from the days of their use.[159]
Figure 53.—Virginia brick from Structure B (left) 9 by 4 by 2¾ inches.
Right, small brick from Structure F, probably imported, 7¼ by 3½ by 1¾
inches. Perhaps one of the 630 bricks brought on the Marigold by Captain
Roger Lyndon and purchased by John Mercer.
The position of the Marlborough structure, outside of the enclosure wall but not far from the kitchen, the relative crudeness of its construction, and its off-axis orientation, support the likelihood of its being a utilitarian structure. The firing chamber and the flue show unquestionably that it was a building requiring heat or smoke. Marlborough had two greenhouses, according to Thomas Oliver’s inventory, and these would have required heating equipment. But the small size of this structure and the absence of any indication of tile flooring or other elaboration suggested by contemporary descriptions of greenhouses seem to rule out this possibility.
FOOTNOTES:
[159] Stanley South, “An Unusual Smokehouse is Discovered at Brunswick Town,” Newsletter, Brunswick County Historical Society (Charlotte, N.C., August 1962), vol. 2, no. 3.
STRUCTURE D
An exploratory trench was dug northward several yards from a point on Wall D, on axis with Structure B. An irregularly shaped remnant of unmortared-brick structure, varying between two and three bricks wide and one course high was discovered at the undisturbed level. This measured 8.5 feet by 6 feet. Adjacent to it, extending 5.8 feet and having a width varying from 6.5 to 7 feet, was a pit 2 feet 8 inches deep, dug 2 feet below the undisturbed clay level, and filled with a heavy deposit of artifacts, oystershells, and animal bones. The artifact remains were the richest in the entire site. Some of the most significant of these are the following:
59.1656 Key (fig. 88)
59.1942 Iron bolt (ill. 69)
59.1663
59.2029
59.1939}Two-tined forks (ill. 55-57)
59.1664 Jeweler’s hammer (ill. 78)
59.1665 Fragments of a penknife (fig. 85c)
59.1668 Knife blade and Sheffield handle (fig. 86b)
59.1669
59.1670}Pewter trifid-handle spoons (fig. 86f and g, ill. 58)
59.1672 Pewter “wavy-end” spoon (fig. 86e, ill. 59)
59.1675 Fragments of reeded-edge pewter plate (fig. 86a)
59.1676 Pewter teapot lid (fig. 86c, ill. 60)
59.1678 Brass rings (fig. 83i)
59.1680 Steel scissors (ill. 61)
59.1681 Large fishhook (ill. 88)
59.1682 Chalk bullet mold (fig. 84b, ill. 51)
59.1685 Slate pencil (fig. 85d, ill. 54)
59.1687 Octagonal spirits bottle (fig. 80)
59.1688 Wine bottle: seal “I C.M 1737” (fig. 78, ill. 37)
59.1679 Handle sherd of North Devon gravel-tempered earthenware (ill. 15)
59.1698 Buckley high-fired, black-glazed earthenware (fig. 65)
59.1699 Buckley high-fired, amber-glazed earthenware pan sherds (fig. 65, ills. 17 and 18)
59.1700 Brown-decorated yellowware cup or posset-pot sherds (fig. 64c, ill. 16)
59.1701 Nottingham-type brown-glazed fine stoneware sherds (fig. 67a)
59.1762 Sherd of Westerwald blue-and-gray stoneware, with part of “GR” medallion showing (fig. 66d)
59.1704 Large sherds of brown-glazed Tidewater-type earthenware pan (fig. 63a, ill. 11)
59.1706 Blue-and-white delft plate, Lambeth, ca. 1720 (fig. 69)
59.1707 Blue-and-white delft plate, [?]Bristol, ca. 1750 (fig. 70)
59.1714 Kaolin tobacco-pipe bowls, and one wholly reconstructed pipe (fig. 84f, ill. 53)
59.1715 Steel springtrap for small animals (ill. 86)
(Also numerous sherds of Staffordshire white salt-glazed ware and creamware. A single disparate sherd of pink, transfer-printed Staffordshire ware, dating from about 1835, is the only intrusive artifact in the deposit.)
The bones were virtually all pork refuse, except for a few rabbit bones. The oystershells, found in every refuse deposit, reflect the universal taste for the then-abundant oyster.
The significance of the structure is not clear. It[Pg 112] was probably the site of a privy, the remaining bricks having been part of a brick floor in front of the pit.
STRUCTURE G
A few feet southeast of Structure D, another much smaller pit was found, surrounded on two sides by a partial-U-shaped single row and single course of bricks. This brickwork measured 5 feet in length, with a 4-foot appendage at one end and a 7-foot appendage at the other. The pit was small and shallow. Typical ceramic artifacts were found, as well as fragments of black basaltes ware (ill. 32) and some early 19th-century whiteware. The function of this pit is unknown.
PIT AT JUNCTION OF WALLS A-II AND D
Just north of the northeast corner of the wall system a small trash pit was uncovered. It contained a scattering of wine- and gin-bottle sherds, a few miscellaneous, small, ceramic-tableware fragments, and about one-third of a blue-and-white Chinese porcelain plate (figs. 55 and 77).
UNIDENTIFIED FOUNDATION NEAR POTOMAC CREEK (STRUCTURE H)
About 60 feet from the shore of Potomac Creek, at
the southeast corner of the old road that runs from
the highway to the creek, bordered by Wall A, were
indications of a brick foundation. This structure was
explored to the extent of its width (about 15 feet) for
a distance northward of 17 feet, then the east wall
was traced 22 feet farther north until it disappeared
into the bankside and a thicket. The excavated area
disclosed quantities of brickbats, a layer of soil, a
number of burnt bricks, a layer of black charcoal ash,
and a 6-inch deposit of clay. The brick walls were[Pg 113]
[Pg 114]
1.5 feet thick. The structure had been built into the
hillside, so that the north end was presumably a deep
basement.
Artifacts were few. A complete scythe (fig. 90) was found embedded in the clay above the brickwork on the east side of the structure, and next to it a large body sherd of black-glazed Buckley ware. A few small ceramic sherds occurred—pieces of redware with trailed slip (fig. 64), and small bits of delft, salt glaze, and Chinese porcelain.
The location and implied shape of the building suggest that it had a utilitarian purpose. Near the waterfront, it would conveniently have served as a warehouse, or possibly as either the brewhouse or malthouse, each described by Mercer as having been 100 feet long, of brick and stone. Whether one was of brick and the other of stone, or both were brick and stone in combination, is not clear. There was no evidence of stonework in Structure H. On the other hand, the 100-foot-long rectangular stone enclosure, of which Wall A formed a part, shows no evidence of brickwork. The purposes of both these structures must, for now, remain unexplained, but association with the brewery seems plausible.
INTRODUCTION
The chief archeological problem of Marlborough at the time of excavation was whether or not Structure B had served as the foundation for both the courthouse and for John Mercer’s mansion. Although the possibility still remains that the sites of the two buildings overlapped, preceding chapters have demonstrated that the foundation was constructed by Mercer for his house, and that it did not stand beneath the courthouse.
However, in 1957 it was thought that exploration of the late-18th-century courthouse site, located upstream on the south side of Potomac Creek, might reveal a structure of similar dimensions which would help to confirm the possibility that Structure B had originated with the Marlborough courthouse. Furthermore, the Potomac Creek site was of interest by itself and was closely related to John Mercer’s legal and judicial career.
The location of the site is depicted in surveys included with suit papers of 1743 and 1805.[160] These papers were brought to our attention by George H. S. King of Fredericksburg, and were mentioned in Happel’s carefully documented history of the Stafford and King George courthouses.[161] Previously, we had been led to the site by a former sheriff of Stafford County, who recalled listening as a boy to descriptions of the old courthouse building by an ancient whose memory went back to the early years of the 19th century. The old man’s recollections, in turn, were reinforced by similar recountings of elders in his own youth. Unscientific though the value of such information may be, it emerges from folk memories that often remain sharp and clear in rural areas, spanning in the minds of two or three individuals the periods of several conventional generations. As clues, at least, they are never to be ignored. In this case we were taken to a rubble-strewn site on an eminence that overlooks Potomac Creek. At the foot of a declivity below, on the old Belle Plains road, we were shown another obvious evidence of structure, which we were told had been the jail. Just to the east of this where a road leads away to the site of Cave’s tobacco warehouse (now the “Stone Landing”), we were informed that the stocks had once stood.
Of the latter two sites we have no confirming evidence, although both claims are plausible enough. No archeological effort was made to investigate them, since funds were limited. The surveys of 1743 and 1805 are sufficient to confirm with accuracy the courthouse site. Accordingly, an archeological exploration was made between August 19 and August 23, 1957, revealing unmistakably the footings of a courthouse. As will be shown, these footings in no way bore a resemblance to the Structure B foundation.
HISTORICAL BACKGROUND
The history of the Potomac Creek courthouse site
has been presented thoroughly by Happel, but a brief
review is in order here. Happel shows that a courthouse
was ordered built in 1665, a year after the[Pg 116]
[Pg 117]
establishment of Stafford as a county. He quotes a
court reference in 1667 to the road along the south
shore of Potomac Creek, running from the “said
Ferry,” near the head of the Creek, “to the Court
house to the horse Bridge,” which he identifies as
having spanned Passapatanzy Gut. In his opinion,
this courthouse was near the mouth of the Creek, but
he fails to show that it equally well may have been
near the site of the later 18th-century structures.
Figure 58.—Drawing made in 1743, showing location of Stafford courthouse south of Potomac
Creek (orientation to south). (Fredericksburg Suit Papers.)
Figure 59.—Enlarged detail from lower right portion of figure 58, showing
location of Stafford courthouse south of Potomac Creek.
We have seen that in 1690 court was first held in Thomas Elzey’s house, seemingly located near the 18th-century courthouse site, and that orders were given that it continue to meet there until the new courthouse was ready. The history of the new courthouse at Marlborough has already been recounted, its final demise occurring about 1718. The court’s official removal from Marlborough was agreed upon July 20, 1720, and, as already noted, “the head of Ocqua Creek” was designated for the new site, although obviously by error, since Potomac Creek plainly was intended.
Happel tells us that the Potomac Creek building burned in 1730 or early 1731 and that the justices were ordered on April 27, 1731, to rebuild at the same place. It is this next building that was depicted on the 1743 survey plat (see fig. 58). In 1744 a bill was presented in the Assembly to relieve persons who had suffered or “may suffer” from the loss of Stafford County records “lately consumed by Fire”;[162] apparently the[Pg 118] courthouse had again burned. There seems to have been a delay of about five years in rebuilding it this time. Pressures to relocate it were exerted in the meanwhile and hearings were held by the Governor’s Council on a petition to “remove the Court House lower down.”[163] The Council listened, then "Ordered, that the new Court House be built where the old one stood."[164]
This settled, Nathaniel Harrison and Hugh Adie contracted in 1749 with the justices of Stafford court to build a “Brick Courthouse, for the Consideration of 44500 lb. of Tobacco, to be furnished by the last of October, 1750.”[165] Harrison was a distinguished member of the colony who, as a widower, had moved to Stafford County the previous year and had married Lucy, the daughter of Robert (“King”) Carter of “Corotoman” and widow of Henry Fitzhugh of “Eagle’s Nest.”[166] Harrison, who later built "Brandon" for himself in King George County, probably provided the capital and the materials, and perhaps the design, of the courthouse. Adie, of whom nothing is known, was doubtless the carpenter or bricklayer who actually did the work.
The construction was delayed by “many Disappointments, and the Badness of the Weather.” Finally, in the spring of 1751, it was about to be brought to completion, “when it was feloniously burnt to the Ground.”[167] In April 1752 a special act was passed in order to permit a levy to be made which would allow the Stafford court to reimburse Harrison and Adie for the amount of work which they had accomplished on the courthouse and the value of the materials they had provided.[168]
No record exists of the contract for the next—and last—courthouse building on the Potomac Creek site. Quite possibly Harrison and Adie again did the work. This building was used until removal of the court to a new building completed between 1780 and 1783 on a site near the present Stafford courthouse. It remained standing throughout most of the 19th century, according to local memory. In surveys of 1804 and 1805 the structure was identified as the “old court house.”
DESCRIPTION OF EXCAVATIONS
Excavations were conducted in the simplest manner possible, in order to arrive at the objective of determining the dimensions of the courthouse without exceeding available funds. An exploratory trench soon exposed a line of rubble and disturbed soil. This[Pg 119] line was followed until the entire outline of the building was revealed. At several points bricks in mortar still remained in situ, especially at the south end. Two brick piers extended 4 feet 5 inches into the structure, midway along the south wall at a distance of 5 feet 9 inches apart.
Illustration 5.—Above, left, reconstructed wine bottle
from Potomac Creek courthouse site. One-fourth.The emerging evidence indicated that the structure was rectangular, approximately 52 feet long and 26 feet wide, with a T-shaped projection 25 feet wide extending out a distance of 14 feet 5 inches from the center of the east wall of the building.
SIGNIFICANT ARTIFACTS ASSOCIATED WITH POTOMAC CREEK COURTHOUSE
Few artifacts occurred in the small area excavated at the courthouse site. Those which did, significantly, related either to the structure itself or to the eating and drinking that probably occurred either alfresco or within the courthouse building. We know that the Ohio Company Committee met there for many years, beginning in 1750, and doubtless lunches and refreshments were served to the members during the day, before they returned to the tavern or to neighboring plantations to dine and spend the night.
Illustration 8.—Above, left, stone scraping tool.
One-half.Portions of wine bottles (of the same dimensions as the Mercer “1737” bottle from Marlborough) were found (ill. 5), along with small fragments of late 18th-century types. A section of the rim of a large, octagonal, white, salt-glazed-ware platter with a wreath and lattice design was recovered from the north-wall footings (ill. 86), and fragments of a salt-glazed-ware dinner plate occurred in the south trench. An oystershell found nearby suggests how the platter may have been used. Two pieces of a white salt-glazed-ware posset pot round out a picture of elegant eating and drinking in the 1760’s, as do the fragments of polished, agate octagonal-handled knives and forks. The latter were badly damaged by fire.
Pieces of blue-and-white delft punch bowls were found, as well as a sherd of polychrome delft which dated apparently from 1740 to 1760. Two sherds of creamware plates with wavy edges in the “Catherine” shape reflect the last years of official use of the courthouse. A tantalizing find is a small fragment of cobalt-blue glass, blown in a mold to make panels or oval indentations. This piece may have come from a large bowl or sweetmeat dish.
Three sherds of black-glazed red earthenware are the only evidence of utilitarian equipment. Pipe-stems belong to the mid- and late-18th-century category. A George II copper penny is dated 1746. A large mass of pewter, melted beyond recognition, was found near the south end of the structure. Bits of charcoal are held within it. The pewter originally may have been in the form of mugs or tankards.
Figure 62.—Plan of King William courthouse, whose plan dimensions correspond closely to
the Stafford foundation. (Courtesy of Historic American Buildings Survey, Library of Congress.)
Evidence of the structure is found in a large number[Pg 120]
[Pg 121]
of hand-forged nails, in quantities of window glass
melted and distorted, and in pieces of plaster. The
last is the typical hard, coarse oystershell plaster of
the area, having a smooth surface coat, except for
fine lines left by the trowel. There is no evidence of
paint. A small slide bolt of wrought iron probably
fitted on a cupboard door, or possibly the gate in
the bar (ill. 87). Another iron fixture is not identified.
Two kinds of window glass occurred. One, the earliest type, is a thin, yellowish glass which is coated with irridescent scale caused by the breakdown of the glass surface. None of this glass shows signs of fire or, at least, of melting. The remainder is a grayish-blue aquamarine, much of it melted and distorted, and some of it accumulated in thick masses where tremendous heat caused the panes literally to fold up. A fragment of yellowish-green glass pane, related to the early type and again coated with scale, varies in thickness and was apparently from a bullseye. No evidence exists of diamond-shaped panes, but, as should be expected, there is indication of square-cornered panes in both types of glass.
ARCHITECTURAL ANALYSIS
The plan of the footings (fig. 60) shows a T-shaped foundation. This was an immediate clue to the nature of the structure, for the T-shaped courthouse was virtually a standard 18th-century form in Virginia. This foundation, in fact, is almost a replica of the plans of both King William and Hanover County courthouses, each built about 1734[169] (figs. 5, 61, and 62).
The King William courthouse measures 50 feet 4¼ inches long and 26 feet 4 inches wide in the main structure. Its T section extends 14 feet 9 inches to the original end (to which an extension has been added) and has a width of 23 feet 10¼ inches. The Stafford foundation is 52 feet long and 26 feet wide in the main structure. The T-section is 14 feet 5 inches long and 25 feet wide. A closer comparison could scarcely be expected.
Hanover’s length is 52 feet 4½ inches, the width of the main section 27 feet 10 inches, while the T-section is 15 feet 2½ inches long (in its original part) and 26 feet 7 inches wide.
A third example, completed in 1736, is the Charles City County courthouse.[170] The measurements of this building are not available to us, but close examination of photographs discloses a building of about the same size.
The earliest of these T-shaped buildings thus far recorded was the York County courthouse, completed in 1733. Destroyed in 1814, its site has been excavated by the National Park Service. Its foundation, measuring 59 feet 10 inches in length and 52 feet in full depth, including the T, was somewhat larger than the others known to us. The records show that it was rather elaborate, with imported-stone floors and compass-head windows.[171]
All these buildings had arcaded verandas. Marcus Whiffen raises the question as to which of them, if any, was the prototype, then concludes by speculating that none was, and that all four may have derived from the 1715 courthouse at Williamsburg, the dimensions of which, however, remain unknown. The introduction of the loggia first at the College of William and Mary and then at the capitol led him to postulate that its use in a courthouse also would have originated in Williamsburg.[172] The Stafford foundation showed no trace of stone paving where an arcade might have been, but, since virtually all the bricks had been taken away, it is likely that such a valuable commodity as flagstones also would have been removed as soon as the building was destroyed or dismantled. Two brick piers at the west end of the structure (fig. 36) remain a mystery. They are equidistant from the longitudinal walls, and may have been the foundations for a chimney. However, their positions do not relate to the floor or chimney plans at Hanover or King William courthouses, the other features of which are so nearly comparable. One would suppose every basic characteristic of the Stafford building would have been the same as in these buildings. The piers were perhaps late additions or modifications.
The roof was apparently of wood; there were no evidences of slate shingles. The bricks were approximately 8½ inches by 4 inches by 2¾ inches, and were probably laid in a patterned Flemish bond, as at Hanover or King William, since some of the bricks were glazed. No lead or other signs of “calmes”[Pg 122] used in leaded sash were found, so we must assume that the 1665 courthouse was built elsewhere.
CONCLUSION
It may be assumed that the Potomac Creek courthouse, which was built of brick, resembled the courthouses of Hanover, King William, and Charles City, and that its architecture, symbolizing the authority of Virginia’s government, reflected the official style expressed in the government buildings at Williamsburg. All the successive Stafford courthouses from 1722 on probably were built on the old foundations; if so, the Stafford building was the earliest T-form courthouse yet known in Virginia. Its similarity to the three structures built in the 1730’s shows that an accepted form had developed, possibly, as Whiffen suggests, deriving from a prototype in Williamsburg.
The courthouse bears no resemblance, either in its shape or the absence of a basement, to the Structure B foundation at Marlborough. The site, reached more easily than Marlborough from any direction, dictated the removal to it of the courthouse in 1722, thus contributing to the demise of Marlborough as a town. The last structure, especially, was historically important because of the meetings of the Ohio Company held in it. It is of particular interest to the story of Marlborough because John Mercer was, for most of its existence, the senior justice of the Stafford court.
FOOTNOTES:
[160] Fredericksburg Suit Papers, 1745-1805 (MS., Fredericksburg, Virginia, courthouse).
[161] Happel, op. cit. (footnote 22), pp. 183-194.
[162] JHB, 1742-1749 (Richmond, 1909), p. 127.
[163] Ibid.
[164] Executive Journals of the Council of Colonial Virginia [November 1, 1739-May 7, 1754], (Richmond, 1945), p. 282.
[165] JHB, 1752-1755; 1756-1758 (Richmond, 1939), p. 55.
[166] “Harrison of James River,” VHM (Richmond, 1924), vol. 32, p. 200.
[167] See footnote 165.
[168] Hening, op. cit. (footnote 1), vol. 6, pp. 280-281.
[169] Marcus Whiffen, “The Early County Courthouses of Virginia,” Journal of the Society of Architectural Historians (Amherst, Mass., 1959), vol. 18, no. 1, pp. 2-10.
[170] Ibid.
[171] Riley, op. cit. (footnote 31), pp. 402 ff.
[172] Whiffen, op. cit. (footnote 169), p. 4.
Figure 63.—Tidewater-type pottery: a, milk pan (ill. 11); b, base of bowl (ill. 14);
c, pan-rim sherds; d, base of ale mug (ill. 12).
Most of the ceramic artifacts found at Marlborough can be dated within John Mercer’s period of occupancy (1726-1768). A meager scattering of late 18th- and early 19th-century whitewares and stonewares reflects the John Francis Mercer and Cooke ownerships (1768-1819).
COARSE EARTHENWARE
Tidewater type.—Mercer’s purchase in 1725 of £12 3s. 6d. worth of earthenware from William Rogers (p. 16, footnote 54) probably was made for trading purposes, judging from the sizable cost. Rogers operated a stoneware and earthenware pottery in Yorktown, which evidently was continued for a considerable time after his death in 1739.[173] An abundance of waster sherds (unglazed, underfired, overfired, or misshapen fragments cast aside by the potter), supposedly from Rogers’ output, has been found as street ballast and fill in Yorktown and its environs. Microscopic and stylistic comparison with these sherds relates numerous Marlborough sherds to them in varying degrees. For purposes of tentative identification, the ware will be designated “Tidewater type.” Some of the ware may have been produced in Rogers’ shop, while other articles resembling the Yorktown products may have been made of similar clay and fired under conditions comparable to those at Yorktown.
A Marlborough milk pan (USNM 59.1961, ill. 11, and USNM 59.1580) has a salmon-colored body and a lustrous mahogany glaze with fine manganese streaking. Another milk pan (USNM 59.2039, ill. 2, fig. 63a) has a buff body and a glaze of uneven thickness that ranges in color from thin brown with black flecking to a glutinous dark brown approaching black. The most typical glaze color, influenced by the underlying predominant pinkish-buff body, is a light mahogany with black specks or blotches. It occurs at Marlborough on a small sherd (USNM 60.201). A variant glaze occurring on pottery found in Yorktown appears here in a yellowish-buff sherd flecked with black (USNM 60.154). The flecking is only in part applied with manganese; it is also the effect of ocherous and ferruginous particles which protrude through the surface of the body, assuming a dark color. Occasionally the manganese is spread liberally, so that the natural body color shows through only as flecks in a reverse effect (USNM 59.1855); now and then the vessel is uniformly black (USNM 60.141).
Tidewater-type forms found at Marlborough include milk pans 15 inches in diameter and about 4¼ inches deep (in 1729 Mercer bought “2 milk pans” for 5d. and 5 “gallon basons” for 4s. 7d.), a black-glazed jar cover with indicated diameter of 6½ inches (USNM 59.2013), and fragments of other pans and bowls of indeterminate sizes. A portion of an ale mug has a tooled base and black glaze (USNM 59.2043, fig. 63d, ill. 12). Its diameter is 3⅚ inches.
Molded-rim type.—This is a type of redware with a light-red body and transparent, ginger-brown lead glaze. It is characterized by a rolled rim and a tooled platform or channel above the junction of rim and side. A small number of pan and bowl rims was found at Marlborough. The ware is usually associated with early 18th-century materials from such sites[Pg 126] as Jamestown, Kecoughtan, Williamsburg, and Rosewell. It may have originated in England.
North Devon gravel-tempered ware.—The coarse kitchenware made in Bideford and Barnstaple and in the surrounding English villages of North Devon is represented by only two sherds. This ware is characterized by a dull, reddish-pink body, usually dark-gray at the core, and by a gross waterworn gravel temper. It occurs in contexts as early as 1650 at Jamestown and as late as 1740-1760 at Williamsburg. One of the Marlborough sherds is part of a large pan. It is glazed with a characteristic amber lead glaze (USNM 60.202). The other sherd is a portion of an unglazed handle, probably from a potlid (USNM 59.1679, ill. 15).[174]
Slip-lined redware.—Numerous 18th-century sites from Philadelphia to Williamsburg have yielded a series of bowls and porringers characterized by interior linings of slip that is streaked and mottled with manganese. These are glazed on both surfaces, the outer surface and a border above the slip on the inner surface usually ginger-brown in color. Comparative examples are a bowl from the Russell site at Lewes, Delaware, dating from the first half of the 18th century, and several pieces from pre-Revolutionary contexts at Williamsburg. A deposit excavated by H. Geiger Omwake near the south end of the Lewes and Rehoboth Canal in Delaware included sherds from a context dated late 17th- to mid-18th centuries.[175] Several fragments of bowls occur in the Marlborough material (USNM 59.1613, 59.1856, fig. 64g).
English yellowware.—The few sherds of so-called combed ware occurring at Marlborough, although only the base fragments connect, all seem to have come from a single cup or posset pot having a buff body and characteristically decorated with spiraled bands of dark-brown slip that were created by combing through an outer coating of white slip, revealing an underlayer of red slip. The vessel was glazed with a clear lead glaze (USNM 59.1700, fig. 64c, ill. 16). Comparative dated examples of this ware include a posset pot dated 1735.[176] A chamber pot bearing the same kind of striping was excavated by the National Park Service at Fort Frederica, Georgia (1736-ca. 1750). A piece similar to that from Marlborough was found in the Rosewell deposit, and another in the Lewis Morris house site, Morrisania, New York.[177] Although this type of ware was introduced in England about 1680, its principal use in America seems to have occurred largely between 1725 and 1775. Archeological evidence is corroborated by newspaper advertisements. In 1733 the Boston Gazette advertised “yellow ware Hollow and Flat by the Crate” and again in 1737 “yellow and Brown Earthenware.” In 1763 the Gazette mentioned “Crates of Yellow Liverpool Ware,” Liverpool being the chief place of export for pottery made in Staffordshire, the principal source for the combed wares.[178]
Buckley ware.—I. Noël Hume has identified a
class of high-fired, black-glazed earthenware found
in many 18th-century sites in Virginia. He has
done so by reference to The Buckley Potteries,
by K. J. Barton,[179] and to waster sherds in his
possession from the Buckley kiln sites in Flintshire,
North Wales. The ware probably was made in other
potteries of the region also. This durable pottery,
more like stoneware than earthenware, is represented
by a large number of jar and pan fragments. Two
body types occur, each characterized by a mixture of
red and buff clay. In the more usual type the red
clay dominates, with laminations and striations of
buff clay running through it in the manner of a coarse
sort of agateware. The other is usually grayish buff
with red streaks, although sometimes the body is almost
entirely buff, still showing signs of lamination. The
glaze is treacly black, often applied unevenly and
sometimes pitted with air bubbles. The body surfaces
have conspicuous turning ridges. Rims are usually
heavy and flat, sometimes as wide as 1½ inches. A
variant of the ware is represented in a milk pan with a[Pg 127]
[Pg 128]
dominantly red body which has a clear-amber, rather
than black, glaze. (USNM 59.1887, ills. 17, 18, and
19 and fig. 65).
Illustration 10.—Milk pan. Salmon-red earthenware. Lustrous
black lead glaze. Tidewater type. One-fourth. (USNM
59.1961.)
Figure 64.—Miscellaneous common earthenware types, probably all imported from
England: a, “molded-rim” types of redware; b, handle of large redware storage jar,
probably English; c, base of brown-striped Staffordshire yellowware cup; d, sherd of
black-glazed ware; e and f, two slip-decorated sherds; g, redware crimped-edge baking
pan, coated with slip; and h, slip-lined manganese-streaked sherds.
Miscellaneous.—Several unique specimens and groups of sherds are represented:
1. A large, outstanding, horizontal, loop handle survives from a storage jar with a rich red body. Two thumb-impressed reinforcements, splayed at each end, secure the handle to the body wall. The top of the handle has four finger impressions for gripping; the lead glaze appears in a finely speckled ginger color (USNM 59.2049, fig. 64b).
2. A single fragment remains from a slip-decorated bowl or open vessel. The body is hard and dark red, the glaze dark olive-brown. The fragment is glazed and slipped on both sides (USNM 59.1614, fig. 64e). Other small sherds of a similar ware are redder in color and without slip. Another, with[Pg 129] lighter red body and olive-amber glaze, is slip decorated (USNM 60.161, fig. 64f).
Illustration 18.—High-fired-earthenware jar
rim. Red paste, laminated with buff. Black
glaze. Buckley type. One-half. (USNM
59.2067.)3. A unique sherd has a gray-buff body and shiny black glaze on both surfaces (USNM 59.1815).
4. A group of pale-red unglazed fragments is from the bottom of a water cooler. A sherd which preserves parts of the base and lower body wall has a hole in which a spigot could be inserted (USNM 59.2061, ill. 20).
5. Fragments of a flowerpot have a body similar to the foregoing, but are lined with slip under a lead glaze. A rim fragment has an ear handle with thumb-impressed indentations attached to it (USNM 60.203, ill. 21).
6. Two sherds of a redware pie plate, notched on the edge and lined with overglazed slip decorated with brown manganese dots, imitate Staffordshire yellowware, but are probably of American origin (USNM 59.1612, fig. 64g).
STONEWARE
Rhenish stonewares.—The stoneware potters who worked in the vicinity of Grenzhausen in the Westerwald in a tributary of the Rhine Valley held a far-flung market until the mid-18th century. It was not until the Staffordshire potters brought out their own salt-glazed whitewares that the colorful blue-and-gray German products suffered a decline. Before that, Rhenish stonewares were widely used in England and the colonies; those for the British market frequently were decorated with medallions in which the reigning English monarch’s initial appeared. Elaborate incising and blue-cobalt coloring gave a highly decorative character to the ware, while salt thrown into the kiln during the firing combined with the clay to provide a hard, clean surface matched only by porcelain.
Figure 65.—Buckley-type high-fired ware with laminated body. Four pieces at top have
predominantly red body, streaked with buff. All have black glaze, except two at lower right,
which have amber glaze.
John Mercer, like so many of his fellow colonials,
owned Westerwald stoneware. From Ledger G, we[Pg 130]
[Pg 131]
know that in 1743 he bought “2 blew & Wt Jugs 2/.”
From the artifacts it is clear that he not only had large
globose jugs, but also numerous cylindrical mugs and
chamber pots. A small group of sherds has a gray-buff
paste, more intricately incised than most.
Internally the paste surface is a light-pinkish buff.
These sherds are probably of the late 17th century,
or at least earlier than the predominantly gray wares
of the 18th century, which have hastily executed
designs.[180] Only two "GR" emblems (Guglielmus
or Georgius Rex), both from mugs, were recovered
(fig. 66d).
Illustration 22.—Base of gray-brown, salt-glazed-stoneware
ale mug. Rust-brown slip inside. Same size.
(USNM 59.1780.)Miscellaneous gray-and-brown salt-glazed stoneware.—The shop of William Rogers apparently made stoneware of fine quality in the style of the London stoneware produced in the Thames-side potteries.[181] Wasters from Yorktown streets and foundations indicate many varieties of colors and glaze textures, some of which are matched in the Marlborough sherds. Admittedly, it is not possible to distinguish with certainty the fragments of Yorktown stoneware from their English counterparts. Sherds of a pint mug, externally gray in the lower half and mottled-brown in the upper, may be a Yorktown product (USNM 59.1780, ill. 22). The interior is a rusty brown. Fragments of the shoulder of a very large jug, mottled-brown externally and[Pg 132] lined in a dull red like that often found on Yorktown wasters, also have body resemblances. (Mercer bought a five-gallon “stone bottle” from Charles Dick in 1745.)
Figure 66.—Westerwald stoneware: a, chamber-pot sherds and handle fragments; b, sherds
having yellowish body, probably late 17th or early 18th century; c, sherds of curve-sided
flagon; d, sherds of cylindrical mugs including one with "GR" seal.
There are numerous other types of coarse stoneware of unknown origins, including one sherd with a dull-red glaze and black decorative spots (USNM 59.1840, ill. 23).
Nottingham-type stoneware.—Several sherds of stoneware of the type usually ascribed to Nottingham appeared at Marlborough. This ware is characterized by a smooth, lustrous, metallic-brown glaze. The fragments are apparently from different vessels. One is a foot rim of a posset pot or jug. Several body sherds have fluting or paneling formed by molding, with turning lines on the interior showing that the molding was executed after the forms were shaped. One sherd is decorated with shredded clay applied before firing when the clay was wet. It appears to come from the globose portion of a small drinking[Pg 133] jug with a vertical collar. A handle section comes from a pitcher or posset pot. Interior colors range from a brownish mustard to a reddish brown. Nottingham stoneware was made throughout the 18th century,[182] but these sherds correspond to middle-of-the-century forms (fig. 67a).
Figure 67.—Fine English Stoneware: a, Nottingham type; b, “drab” stoneware covered with
white slip—brown-bordered mug sherds in upper left came from beneath flagstone north
of mansion-house porch, about 1725, “scratch-blue” stoneware, below, is about 1750;
c, “degenerate scratch-blue” stoneware is about 1790; d, “white salt-glaze” ware at
bottom is hand-thrown; upper right is molded, about 1760; e, plate and platter fragments.
Drab stoneware.—The dominant position attained by the Staffordshire potters in the 18th century is due to unremitting efforts to achieve the whiteness of porcelain in their native products. Improvements in stoneware were mostly in this direction, with the first steps plainly evidencing what they failed to achieve. One of the earlier attempts has a gray body coated with white pipe-clay slip obtained at Bideford in North Devon. This slip created the superficial appearance of porcelain, as did tin enamel on the surface of delftware. Although some Burslem potters[Pg 134] were making “dipped white stoneware” by 1710,[183] it does not seem to have occurred generally until about 1725. Salt glaze was applied in the same manner as on the earlier and coarser stonewares. Mugs in this ware were banded with an iron-oxide slip, presumably to cover up defects around the rims.
Figure 68.—English delftware: a, 17th- and early 18th-century sherds; b, blue-and-white
sherd of the first half of the 18th century; c, polychrome fragments, third quarter of the
18th century; d, ointment pots with pink body, 18th century.
Several sherds of this drab stoneware were found at Marlborough, including the base of a jug with curving sides and pieces of tall mugs with brown rims (USNM 59.1893, fig. 67b, ill. 25). The body is characteristically gray, while the slip, although sometimes dull white, is usually a pleasant cream tone. Two sherds were found beneath the flagstones around the north porch of Structure B, where they probably fell before 1746 (USNM 59.1754).
One of the Burslem stoneware potters between 1710 and 1715 made what he called “freckled ware.”[184] Possibly this describes a sherd of a thin-walled mug from Marlborough (USNM 59.1636) which is coated with white slip inside and is finely speckled, or “freckled,” in brown on the outside. Its body is the gray of the drab stoneware, but with a high content of[Pg 135] micaceous and siliceous sand. Simeon Shaw, the early 19th-century historian of the Staffordshire potteries, asserted that what he called “Crouch” ware was first made of brick clay and fine sand in 1690, and by 1702 of dark-gray clay and sand.[185] Although his dates are questioned by modern authorities, his order of the progressive degrees of refinement in the paste are acceptable as he suggests them. In respect to the Marlborough sherd, although it is coarser than the white-coated fragments described above, it answers very well Shaw’s description of sandy-gray “Crouch” ware.
Illustration 25.—Drab-stoneware
mug fragment, rim
coated with iron oxide. Staffordshire,
1720-30. Same size.
(USNM 59.1893.)White salt-glazed ware.—About 1720 calcined flints were added to the body of the Staffordshire stoneware, thus making possible a homogeneous white body that did not require a coating of slip between the body and the glazed surface.[186] With this ware the Staffordshire potters came closer to their goal of emulating porcelain.
At Marlborough the earliest examples of this improved ware are found in two sherds with incised decorations that were scratched into the wet clay (USNM 59.1819, Fig. 67b); the incised lines next were filled with powdered cobalt before firing. This technique is known as “scratch blue,” dated examples of which, existing elsewhere, range from 1724 to 1767. The body in the Marlborough specimens is still rather drab, the whiteness of the later ware not yet having been achieved. No slip was used, however, so that the surface color is a pleasant pale gray. One sherd is from a cup with a slightly flaring rim. The exterior decoration is in the form of floral sprigs, while the inside has a row of double-scalloped lines below the rim. The other fragment is from a saucer. Possibly the cup is part of Mercer’s purchase in 1742 of a dozen “Stone Coffee cups,” for which he paid 18d. In Boston “White stone Tea-Cups and Saucers” were advertised in 1745, and “blue and white ... Stone Ware” in 1751.[187]
A later variant on the “scratch blue” is a class of salt-glazed ware that resembles Westerwald stoneware. Here loops, sworls, and horizontal grooves are scratched into the paste. The cobalt is smeared more or less at random, some of it lying on the surface, some running into the incised channels. This style of decoration was applied mostly to chamber pots but also to small bowls and cups. Fragments of all these forms occurred at Marlborough (fig. 67c).
After 1740 the body was greatly improved, resulting[Pg 136] in an attractive whiteware. Many wheel-turned forms were produced, and these were liberally represented at Marlborough in fragments of pitchers, mugs, teapots, teacups, bowls, posset pots, and casters (fig. 67d).
In the middle of the 18th century a process was developed for making multiple plaster-of-paris molds from brass or alabaster matrices[188] and then casting plates and other vessels in them by pouring in the stoneware clay, diluted in the form of slip. The slip was allowed to dry, and the formed utensil was removed for firing. This molded salt-glazed ware occurs in quantity in the Marlborough finds, suggesting that there were large sets of it. One design predominates in plates, platters, and soup dishes: wavy edges, borders consisting of panels of diagonal lattices—with stars or dots within the lattices framed in rococo scrolls, and areas of basket-weave designs between the panels. On a large platter rim the lattice-work is plain, somewhat reminiscent of so-called Chinese Chippendale design. The pattern is presumably the design referred to in the Boston News Letter for May 29, 1764: “To be sold very cheap. Two or three Crates of white Stone Ware, consisting chiefly of the new fashioned basket Plates and Oblong Dishes.”[189] One fragment comes from a cake plate with this border design and a heavily decorated center (fig. 67e).
Other molded patterns include gadrooning combined with scalloping on a plate-rim sherd. A rim section with molded rococo-scrolled edge is from a “basket weave” sauceboat. Considerably earlier are pieces of a pitcher or milk jug with a shell design (USNM 59.1894, ill. 27). One rare sherd appears to come from a rectangular teapot or tray. All the white salt-glazed ware from Marlborough represents the serviceable but decorative tableware of everyday use. It must have been purchased during the last 10 years of Mercer’s life.
Tin-enameled earthenware.—The art of glazing earthenware with opaque tin oxide and decorating it with colorful designs was an Islamic innovation which spread throughout the Mediterranean and northward to Holland and England. Practiced in England before the close of the 16th century, it became in the 17th and the first half of the 18th centuries a significant source of English tableware, both at home and in America. Because of its close[Pg 137] similarity to the Dutch majolica of Delft, the English version was popularly called “delftware,” even though made in London, Bristol, or Liverpool.
Illustration 28.—English delftware
washbowl sherd. Blue-dash decoration
inside. See figure 68b.
Same size. (USNM 60.75.)
Illustration 29.—English delftware plate. One-half. See figure
69. (USNM 59.1707.)Surprisingly, a minimum of tin-enameled wares was found at Marlborough, with several sherds reflecting the Port Town period. One of the latter shows the lower portion of a heavy, dark-blue floral spray, growing up, apparently, from a flowerpot. A section of foot rim and the contour of the sherd show that this was a 17th-century charger, probably dating from about 1680 (USNM 60.177, fig. 68a). The leaves are painted in the same manner as on a Lambeth fuddling cup.[190] A section of a plate with no foot rim includes an inner border which encircles the central panel design. It consists of two parallel lines with flattened spirals joined in a series between the lines. The glaze is crackled. This probably dates from the same period as the preceding sherd (USNM 60.99, fig. 68a). Sherds from a larger specimen, without decoration, have the same crackled enamel (USNM 59.2059). There is also a fragment decorated with small, blue, fernlike fronds, again suggesting late 17th-century origin (USNM 59.1756, fig. 68a). A small handle, the glaze of which has a pinkish cast, is decorated with blue dashes, and probably was part of a late 17th-century cup (USNM 59.1730, fig. 68a).
Several fragments of narrow rims from plates with blue bands probably date from the first quarter of the 18th century. A reconstructed plate with the simplest of stylized decoration was made at Lambeth about 1720 (USNM 59.1707, fig. 69). This plate has a wavy vine motif around its upward-flaring rim, in which blossoms are suggested by stylized pyramids of three to four blocks formed by brush strokes about ¼-inch wide, alternating with single blocks. The central motif consists of two crossed stems with a pyramid at each end and two diagonal, block brush strokes intersecting the crossed stems. A large fragment of a washstand bowl also has similar plain, block brush strokes along a border defined by horizontal lines—in this case a triplet of three strokes, one above two, alternating with a single block. Edges of similar brush strokes on the lower portion of the bowl remain on the fragment. Garner shows a Lambeth mug embodying this style of decoration combined with a suggestion of Chinoiserie around the waist. He ascribes to it a date of “about 1700,” although the block-brush-stroke device, with variations, was practiced until the 1760’s at Lambeth.[191] The Marlborough bowl fragment may be from one of the “2[Pg 138] pottle Basons” bought by Mercer in 1744 (fig. 68b, ill. 28).
Illustration 31.—Delftware
ointment pot. Bluish-white
tin-enamel glaze. One-half.
(USNM 59.1842.)Another reconstructed plate, probably a Lambeth piece, has blue decoration in the Chinese manner. It dates from about 1730 to 1740 (USNM 59.1706, fig. 70). Several small bowl sherds seem to range from the early to the middle 18th century. Polychrome delft is represented by only three sherds, all apparently from bowls, and none well enough defined to permit identification.
There are several fragments of ointment pots, all 18th-century in shape. Three sherds of tin-enameled redware are probably continental European. Two of these have counterparts from early 17th-century contexts at Jamestown. A blue-decorated handle sherd from a large jug or posset pot is also 17th century.
The predominance of early dating of tin-enamel sherds and the relatively few examples of it from any period suggest that much of what was found either was used in the Port Town or was inherited by the Mercers, probably by Catherine, and used when they were first married. It also points up the fact that delftware early went out of fashion among well-to-do families.
English fine earthenwares.—The fine earthen tablewares introduced in Staffordshire early in the 18th century, largely in response to the new tea-drinking customs, are less well represented in the Marlborough artifacts than are those made later in the century. Apparently, the contemporary white salt-glazed ware was preferred.
Marbled ware.—The Staffordshire factories of Thomas Astbury and Thomas Whieldon were responsible for numerous innovations, including fine “marbled” wares in which clays of different colors were mixed together so as to form a veined surface. The technique itself was an old one, but its application in delicate tablewares was a novelty. Although Astbury was the earlier, it was Whieldon who exploited the technique after starting his potworks at Little Fenton about 1740.[192] From Marlborough [Pg 139]come three meager sherds of marbled ware, probably from three different vessels (USNM 59.1625, 59.1748, 59.1851). They are brownish red with white veining under an amber lead glaze. A posset pot of these colors in the Victoria and Albert Museum is supposed, by Rackham, to date from about 1740.[193]
Black-glazed fine redware.—Whieldon made a black-glazed, fine redware, as did Maurice Thursfield at Jackfield in Shropshire.[194] A fragment of a black-glazed teapot handle was found at Marlborough, although the body is more nearly a hard grayish brown than red (USNM 59.1638).
Tortoiseshell ware.—Cream-colored earthenware was introduced as early as 1725, supposedly by Thomas Astbury, Jr. It was not until the middle of the century, however, that Whieldon began the use of clouded glaze colors over a cream-colored body. After 1756 Josiah Wedgwood became his partner and helped to perfect the coloring of glazes. In 1759 Wedgwood established his own factory, and both firms made tortoiseshell ware in the same molds used for making salt-glazed whiteware.[195] From Marlborough [Pg 140]there are several sherds of gadroon-edge plates and basket-weave-and-lattice plates, as well as a piece of a teapot cover. Tortoiseshell ware was advertised in Boston newspapers from 1754 to 1772 (fig. 71).[196]
Queensware.—Josiah Wedgwood brought to perfection the creamware body about 1765, naming it “Queensware” after receiving Queen Charlotte’s patronage. Wedgwood took out no patents, so that a great many factories followed suit, notably Humble,[Pg 141] Green & Company at Leeds in Yorkshire (later Hartley, Green & Company).[197]
Figure 74.—English white earthenwares: a, “pearlware” with blue-and-white chinoiserie
decoration, late 18th century; b, two whiteware sherds, one “sponged” in blue and
touched with yellow, the other “sponged” in gray; c, shell-edge and polychrome wares,
early 19th century; and d, polychrome Chinese porcelain.
The Marlborough creamware sherds are all plain (with one exception), consisting of fragments of wavy-edge plates, bowls, and platters in Wedgwood’s “Catherine shape,” introduced about 1770, as well as mugs and pitchers (fig. 72). A piece of a large platter has impressed in it the letters WEDG, running up to the fracture. Below this is the number 1 (USNM 59.1997, fig. 73).
Whitewares used in the Federal period.—During the late 1770’s Wedgwood introduced his “pearlware,”[198] in which the yellow cast of the cream body was offset by a touch of blue. With the use of a nearly colorless glaze that was still slightly bluish, it was now possible to make a successful underglaze-blue decoration. These whitewares were made in three principal styles by Wedgwood’s many imitators, as well as by Wedgwood himself. The most familiar of these styles is the molded shell-edge ware, which was used in virtually every place to which Staffordshire wares penetrated after 1800. In a plain creamware version, this was another Wedgwood innovation of about 1765.[199] After 1780, the ware was white, with blue or green borders. The Wedgwood shell-edge design has a slightly wavy edge, and the shell ridges vary in depth and length. At least one Leeds version has a regular scalloped edge, like those found on several other Marlborough sherds. In the 19th century the ware became coarser and heavier, as well as whiter,[Pg 142] and in some cases the shell edge was no longer actually molded but simply suggested by a painted border. Some variants were introduced that were not intended to be shell edge in design, but merely blue or green molded patterns. A Marlborough sherd from one of these has a gadrooned edge and molded swags and palmettes. Except for two late rims, painted but not molded, the shell-edge wares from Marlborough probably date from John Francis Mercer’s period in the late 1700’s and from John Bronaugh’s occupancy of the mansion during the Cooke period in the first decade of the 19th century (fig. 74c).
The success of the new whiteware in permitting the use of underglaze blue resulted in a second class that is decorated in the Chinese manner, after the style of English delft and porcelain. This type was popular between 1780 and 1790, especially in the United States, where many whole specimens have survived above ground. Several sherds are among the Marlborough artifacts and appear to have come entirely from hollow forms, such as bowls and pitchers.[200] Sherds from a blue-and-white mug with molded designs, including the shell motif around the handle, have been found also.
The third class of whiteware, which was heavily[Pg 143] favored in the export trade, consisted of a gay, hand-decorated product, popular at the end of the 18th, and well into the 19th, century. It had pleasing variety, with floral designs in soft orange, green, brown, and blue, often with brown or green borders. A few examples of this later whiteware occur among the Marlborough artifacts (fig. 74b). One sherd from a small bowl is mottled in blue and touched with yellow (USNM 59.1805, fig. 74b). Another is also mottled, but in gray and blue. Such wares as the latter were made by Hartley, Green & Company at Leeds before the factory’s demise in 1820 (USNM 59.1950, fig. 74b).[201]
The transfer-printed wares that were so popular in America after 1820 are represented by a mere eight sherds, which is in accord with evidence that the mansion house was unoccupied or destroyed after 1819. Of these sherds, only five can be dated before 1830. Two are pink, transfer-printed sherds of about 1835-45, and one is gray-blue, dating from about 1840-1850.
Black basaltes ware.—Another late 18th-century innovation by Wedgwood, imitated by his competitors, was a fine stoneware with a black body, called black basaltes because of its resemblance to that mineral. A few sherds of this were found at Marlborough. Typically, they are glazed on the insides[Pg 144] only. They postdate John Mercer by twenty or thirty years.
Illustration 33.—Blue-and-white Chinese-porcelain saucer (fig.
76, top left). One-half.Chinese porcelain.—Oriental porcelain was introduced to the English colonies at a very early date, as we know from 17th-century contexts at Jamestown. As early as 1725 John Mercer acquired “1 China Punch bowl.” Presumably the “6 tea cups & Sawcers,” “2 chocolate cups,” and “2 custard cups” obtained by him the same year were also porcelain. Even before 1740, porcelain was occurring with increasing frequency in America. We are told that in 1734, for example, it can be calculated that about one million pieces of it left Canton for Europe.[202] Doubtless a large proportion was reexported to the colonists. William Walker, Mercer’s undertaker for the mansion, left at his death in 1750: “1 Crack’d China bowl,” “1 Quart Bowl 6/, 1 large Do 12.6,” “6 China cups & Sawcers 5/,” and “12 China plates 15/.”
It is not surprising, therefore, that 18th-century China-trade porcelain sherds occurred with high incidence at Marlborough. Mercer’s accounts show that he acquired from Charles Dick in 1745 “1 Sett finest China” and “2 punch bowls.” From the archeological evidence it would appear that he had supplemented this several times over, perhaps after 1750 in the period for which we have no ledgers.
Most of the porcelain is blue and white. One group has cloudy, blurred houses and trees, impressionistic landscapes, and flying birds. This pattern occurs in fragments of teacups, small bowls, and a coffee cup. Another type has a border of diamonds within diamonds, elaborate floral designs delicately drawn, and a fine thin body. Similar sherds were found at Rosewell. At Marlborough the design survived in teacups, coffee cups, and saucers. There are several additional border designs, some associated with Chinese landscape subjects or human figures (figs. 76, ill. 24, and fig. 77, ill. 25). A coarse type with a crudely designed border hastily filled in with solid blue is represented in a partly reconstructed plate (USNM 60.122, fig. 77).
Polychrome porcelain is found in lesser amounts, although in almost as much variety. Three sherds of a very large punchbowl are decorated in red and blue. Fragments of a small bowl have delicate red medallions with small red and black human figures in their centers. Fine borders occur in red and black. Gold, yellow, and green floral patterns constitute another class (fig. 75).
Almost all the porcelain is of high quality, probably reaching a peak during Mercer’s middle and prosperous years between 1740 and 1760. We cannot expect to find any porcelain purchased after his death in 1768, and certainly none appears to be connected with the Federal period or with the so-called “Lowestoft” imported in the American China trade after the Revolution.
FOOTNOTES:
[173] Watkins and Noël Hume, op. cit. (footnote 54).
[174] C. Malcolm Watkins, “North Devon Pottery and Its Export to America in the 17th Century,” (paper 13 in Contributions from the Museum of History and Technology: Papers 12-18, U.S. National Museum Bulletin 225, by various authors; Washington: Smithsonian Institution, 1963), 1960.
[175] The Russell site was excavated by members of the Sussex Archeological Society of Lewes, Delaware. Artifacts from the site are now in the Smithsonian Institution, as are those found by H. Geiger Omwake at the end of the Lewes and Rehoboth Canal.
[176] John Eliot Hodgkins, F.S.A., and Edith Hodgkins, Examples of Early English Pottery, Named, Dated, and Inscribed (London, 1897), p. 57, fig. 128.
[177] J. E. Messham, B.A., and K. J. Barton, “The Buckley Potteries,” Flintshire Historical Society Publications, vol. 16, pp. 31-87.
[178] George Francis Dow, The Arts and Crafts in New England, 1764-1775 (Topsfield, Mass., 1927), pp. 84, 85, 92.
[179] Messham and Barton, loc. cit. (footnote 177).
[180] See Bernard Rackham, Catalogue of the Glaisher Collection of Pottery & Porcelain in the Fitzwilliam Museum, Cambridge [England] Cambridge, England: (Cambridge University Press, 1935), vol. 2, pl. 150 B no. 2053; and vol. 1, p. 264.
[181] I. Noël Hume, “Excavations at Rosewell, Gloucester County, Virginia, 1957-1959,” (paper 18 in Contributions from the Museum of History and Technology: Papers 12-18, U.S. National Museum Bulletin 225, by various authors; Washington: Smithsonian Institution, 1963), 1962. J. Paul Hudson, “Earliest Yorktown Pottery,” Antiques (New York, May 1958), vol. 73, no. 5, pp. 472-473; Watkins and Noël Hume, loc. cit. (footnote 173).
[182] Rackham, op. cit. (footnote 180), vol. 1, p. 158.
[183] W. B. Honey, “English Salt Glazed Stoneware,” [abstract] English Ceramic Circle Transactions (London, 1933), no. 1, p. 14.
[184] Ibid.
[185] Ibid.; Bernard Rackham, Early Staffordshire Pottery (London, n.d.), p. 20.
[186] Bernard Rackham and Herbert Read, English Pottery (New York: Charles Scribner’s Sons, 1924), p. 88.
[187] Dow, op. cit. (footnote 178), pp. 86-87.
[188] Rackham, op. cit. (footnote 185), p. 92.
[189] Dow, op. cit. (footnote 178), p. 92.
[190] A. M. Garner, English Delftware (New York: D. Van Nostrand and Co., Inc., 1948), fig. 23B.
[191] Ibid., fig. 37.
[192] Rackham, op. cit. (footnote 185), p. 28.
[193] Ibid., pl. 57.
[194] Rackham and Read, op. cit. (footnote 186), p. 96.
[195] Ibid., p. 97.
[196] Dow, op. cit. (footnote 178), pp. 85-95.
[197] Rackham, op. cit. (footnote 185), p. 29; Rackham and Read, op. cit. (footnote 186), pp. 107-109.
[198] W. B. Honey, English Pottery and Porcelain (London: 1947), p. 89.
[199] Wedgwood Catalogue of Bodies, Glazes and Shapes Current for 1940-1960 (Burslem, Stoke-on-Trent: Warwick Savage, n.d.), pp. M1, M2.
[200] “The Editor’s Attic” and cover: Antiques (New York, June 1928), vol. 13, no. 6, pp. 474-475.
[201] Rackham and Read, op. cit. (footnote 186), p. 110.
[202] J. A. Lloyd Hyde, Oriental Lowestoft (New York: Charles Scribner’s Sons, 1936), p. 23.
BOTTLES
Round beverage bottles.—Bottles of dark-green glass were used in the colonial period for wine, beer, rum, and other potables. Although some wines and liquors were shipped in the bottle, they were distributed for the most part in casks, hogsheads, and “pipes” before 1750. John Mercer recorded the purchases of several pipes of wine—kinds unspecified—a pipe being a large or even double-size hogshead. He purchased rum by the gallon, in quantities that ranged from 2 quarts in 1744 to “5 galls Barbadoes Spirits” in 1745 and a “hhd 107½ gall Rum” in 1748.
Bottles were used largely for household storage and for the serving of liquors. They were kept filled in the buttery as a convenience against going to the cellar each time a drink was wanted. Bottles usually were brought directly to the table,[203] although the clear-glass decanter was apparently regarded as a more genteel dispenser. Mercer, like his contemporaries, bought his own bottles, as when he purchased “2 doz bottles” from John Foward in 1730. The previous year he had acquired a gross of corks, which would customarily have been inserted in his bottles and secured by covering with cloth, tying around the lips or string rings with packthread, and sealing with warm resin and pitch.
Some wines were purchased in the bottle. In 1726 Mercer bought “2 doz & 8 bottles Claret” and “1 doz Canary” from Alexander McFarlane. In 1745 he charged Overwharton Parish for “2 bottles Claret to Acquia,” apparently for communion wine. Whether all this was shipped from the vineyards in bottles, or whether Mercer brought his own bottles to be filled from the storekeepers’ casks is not revealed.
An insight into the kinds of alcoholic drinks consumed in Virginia in Mercer’s early period is given in the official price-list for the sale of alcoholic beverages set forth in the York County Court Orders in 1726:[204]
This Court do Sett the Rate Liquors as followeth:
| £ | s. | d. | |||
| Liquors | Each diet | 1 | |||
| Rated | Lodging for each person | 7 | ½ | ||
| Stable Room & Fodder for each horse pr night | 11 | ¼ | |||
| Each Gallon corn | 7 | ½ | |||
| Wine of Virga produce p Quart | 5 | ||||
| French Brandy pr Quart | 4 | ||||
| Sherry & Canary Wine pr Quart | 4 | 4 | ½ | ||
| Red & white Lisbon pr Quart & Claret | 3 | 1 | ½ | ||
| Madera Wine pr Quart | 1 | 10 | ½ | ||
| Fyall wine pr Quart | 1 | 3 | |||
| French Brandy Punch pr Quart | 2 | ||||
| Rum & Virga Brandy pr Quart | 3 | ¾ | |||
| Rum punch & flip pr Quart 7½d made with white sugar | 9 | ||||
| Virga midling beer & Syder pr Quart | 3 | ¾ | |||
| Fine bottled Syder pr Quart | 1 | 3 | |||
| Bristoll Beer Bottles | 1 | ||||
| Arrack pr Quart | 10 |
Figure 78.—Wine bottle, sealed with initials of John and
Catherine Mercer, dated 1737 (see p. 148). Found in Structure
D refuse pit. Height, 8 inches. (See also ill. 37.)
[Pg 146]It will be noted that Bristol beer was sold by the bottle, probably just as it was shipped, and “Fine bottled Syder” apparently came in quart bottles. Probably the wines were dispensed from casks in wine measures. Mercer bought Citron water in bottles, a half dozen at a time, as he did “Mint, Orange flower & Tansey Do,” in 1744.
Round beverage bottles ranged in shape from,
roughly, the form of a squat onion at the beginning of
the 18th century to narrow cylindrical bottles towards
the end of the century. The earliest bottles were free-blown
without the constraint of a mold, hence there
were many variations in shape. After about 1730
bottles were blown into crude clay molds which
imparted a roughly cylindrical or taper-sided contour
below sloping shoulders and necks. These marked
the first recognition of binning as a way of storing
wines in bottles laid on their sides. About 1750 the[Pg 147]
[Pg 148]
Bristol glasshouses introduced cylindrical brass
molds.[205] From then on the problem of stacking bottles
in bins was solved and virtually all round beverage
bottles thenceforward were cylindrical with long necks.
Illustration 35.—Beverage bottle. First quarter, 18th
century. Reconstruction based on whole bottle
found at Rosewell. One-half. (USNM 59.1717.)At Marlborough the earliest form of wine bottle is represented by a squat neck and a base fragment (USNM 59.1717, ill. 35), both matching onion-shaped bottles of the turn of the century, such as one excavated at Rosewell (USNM 60.660). Except for these fragments, the oldest form from Marlborough may be seen in the complete bottle found in refuse pit D (USNM 59.1688; fig. 78, ill. 37). This bottle is typical of the transitional form, sealed examples of which regularly occur bearing dates in the 1730’s. Its sides are straight for about three inches above the curve of the base, tapering slightly to the irregular shoulder that curves in and up to a neck with wedge-shaped string ring. Two inches above the base is a seal, bearing the initials I C.M above a decorative device and the date 1737. The arrangement of initials exactly matches that found on Mercer’s tobacco-cask seals (p. 30 and footnote 89) indicating the “home plantation” at Marlborough.
[Pg 149]Seals were applied by dropping a gather of glass on the hot surface of a newly blown bottle, then pressing into this deposit of glass a brass stamp bearing a design, initials, date, etc. Three similar seals from broken bottles also were found. The same arrangement of initials, but with no date or device of any kind, occurs on seven different seals (fig. 79, ills. 36 and 37).
The diameter of the base of the sealed beverage bottle is 5½ inches, the widest diameter occurring on any bottle fragments from Marlborough, excepting the early specimen mentioned above. Bases in gradually decreasing dimensions vary from this size to 2¾ inches. Six bases run from 5 inches to 5½ inches; 11 are over 4½ inches and up to 5 inches; 4 are over 4 inches and up to 4½ inches; 3 are over 3½ inches and up to 4 inches; none, except the smallest of 2¾ inches, found in a mid-19th-century deposit, is less than 3¾ inches.
Beverage-bottle bases
| USNM No. | Inches in Diameter | Provenience |
| 59.1688 | 5½ | Refuse pit D |
| 59.1717 | 6 | Structure F, firing chamber |
| 59.1717 | 4½ | Structure F, firing chamber |
| 59.1717 | 4¾ | Structure F, firing chamber |
| 59.1717 | 4⅞ | Structure F, firing chamber |
| 59.1717 | 5 | Structure F, firing chamber |
| 59.1717 | 5⅛ | Structure F, firing chamber |
| 59.1793 | 2¾ | S.W. corner, Structure B |
| 59.1870 | 5¼ | Wall D, trench |
| 59.1918 | 4 | Structure E, N. side, Room X |
| 59.1921 | 3¾ | Debris area, N.E. corner, Structure E |
| 59.1957 | 5 | Structure F, N.E. corner of pavement |
| 59.1957 | 5 | Structure F, N.E. corner of pavement |
| 59.1998 | 4¾ | Structure E, N. of fireplace, Room X |
| 59.1998 | 4¾ | Structure E, N. of fireplace, Room X |
| 59.2007 | 3⅞ | North of Structure E, lowest level |
| 59.2007 | 4¼ | North of Structure E, lowest level |
| 60.83 | 4½ | Wall E, gateway |
| 60.103 | 4¾ | Trench along Wall E |
| 60.117 | 5⅛ | Junction of Walls A-I and A-II |
| 60.117 | 4⅝ | Junction of Walls A-I and A-II |
| 60.120 | 5½ | Trash pit no. 2 |
| 60.123 | 5½ | Trash pit no. 2 |
Since beverage-bottle diameters diminished from about 5 inches in the 1750’s and 1760’s to about 4 inches in the 1770’s and 1780’s and to 3½ inches in the 1790’s and early 1800’s, the peak of their incidence at Marlborough occurs between 1750 and 1770, the period of greatest opulence in the Mercer household.
Illustration 38.—Upper left, cylindrical beverage
bottle, about 1760. One-fourth. (USNM 59.1998.)Octagonal beverage bottles.—A rarely seen variation from the round beverage bottle is a club-shaped, octagonal, molded type with long neck, perhaps so shaped in order to permit packing in cases. Cider is said to have been put up in such bottles, and it is also possible that brandies and liqueurs were delivered in them. A quart-size bottle of this shape at Colonial Williamsburg bears the seal “I. Greenhow WmsBgh. 1769.” Another, purchased in England, in the G. H. Kernodle collection at the Smithsonian Institution, also has a seal with the name “Jno Collings, 1736” (USNM 59.2170). A pint-size example, 9 inches high and dated 1736, is illustrated in plate 95e in the Wine Trade Loan Exhibition catalog.[206] A restored bottle of this form from Marl[Pg 150]borough (USNM 59.1687, fig. 80, ill. 40) is 8 inches high, but bears no seal. Among the glass found at Marlborough are also three bases and other fragments of similar bottles.
Square “gin” bottles.—Square bottles, usually called “gin” bottles, occur in the Marlborough material. Two base sections and lower pieces of the flat sides have been partly restored (USNM 59.1685, 59.1686, ill. 41), and a neck and shoulder have survived. The bases are 4 inches square, and the whole bottles were probably about 10 inches high. They did not taper but maintained a continuous dimension from shoulder to base. The bases, which are rounded on the corners, have a slightly domed kick-up with a ring-shaped pontil mark. The glass is olive green. The necks are squat—barely ⅞ inch—and have wide string rings midway in their length.
Square “gin” bottles were designed for shipment in wooden boxes with compartments in which the bottles fit snugly. Although Dutch gin customarily was shipped in bottles of this shape, indications are that the square bottles may have been used for other purposes than holding gin. For one thing, Mercer’s ledgers mention no purchases of gin. There is, in fact, almost no evidence of the sale of gin in Virginia; a single announcement of Holland gin available in Williamsburg in 1752 is the exception until 1773,[Pg 151] when gin was again advertised in the Virginia Gazette.[207] Its sale had been prohibited in England in 1736.[208] For another thing, square bottles were both imported and manufactured in America for sale new. In 1760 the Germantown glassworks in Braintree, Massachusetts, made “Round and square[Pg 152] Bottles, from one to four Quarts; also Cases of Bottles of all Sizes ...,”[209], while George Ball, of New York, in 1775 advertised that he imported “Green glass Gallon square bottles, Two quart ditto, Pint ditto.”[210]
Illustration 43.—Upper left, wineglass, reconstructed
from base fragment having enamel twist for stem.
One-half. (USNM 59.1761.)A smaller base (USNM 59.1642) has a high kick-up, the dome of which intersects the sides of the base so that the bottle rests on four points separated by arcs. This fragment measures 3 inches square. An even smaller version (USNM 59.1977) is 2¾ inches.
Snuff bottles.—Several items in Mercer’s ledgers record the purchase of snuff, such as one for a "bottle of snuff" in 1731 for 15d., another in 1743 for 3s., and a third in 1744 for 1s. 6d. Among the artifacts is a partly restored bottle of olive-green glass, shaped like a gin bottle but of smaller dimensions, with a 2¼-inch-wide mouth (USNM 59.1686, fig. 81). The bottle is 3¾ inches square and 7 inches tall. It has a low kick-up and a smooth pontil mark. Also among the artifacts are a matching base and several sherds of similar bottles.
Illustration 45.—Sherds of engraved-glass wine and
cordial glasses (fig. 82c). Same size. (USNM 59.1634,
59.1864.)
Medicine bottles.—Only a few fragments of medicine bottles occurred in the Marlborough artifacts. This is surprising, in view of Mercer’s many ailments and his statements that he had purchased “British Oyl,” “Holloway’s Citrate,” and other patent nostrums of his day. A round base from a greenish, cylindrical bottle (USNM 59.2056) seems to represent an Opadeldoc bottle. Another base is rectangular with notched corners. The last, as well as the base of a molded, basket-pattern scent bottle (USNM 59.2093) may be early 19th century in date. Other medicine-bottle fragments are all 19th century, some quite late (fig. 82).
TABLE GLASS
A minimum of table-glass sherds was recovered,
and these were fragmentary. Glass is scarcely mentioned
in Mercer’s accounts, although there is no
reason to suppose that Marlborough was any less well
furnished with fine crystal than with other elegant
objects that we know about. Three sherds of heavy
lead glass have the thickness and contours of early
18th-century English decanters, matching more
complete fragments from Rosewell and a specimen[Pg 153]
[Pg 154]
illustrated in plate 98a in the Wine Trade Loan
Exhibition catalog.[211] Two fragments are body sherds;
the third is from a lip and neck.
Illustration 46.—Clear-glass tumbler blown in a
ribbed mold (fig. 82b). Same size. (USNM 59.1864.)
Figure 82.—Glassware: a, cut-glass salt (ill. 47); b, tumbler base (ill. 46); c, engraved sherds
(ill. 45); d, tumbler and wineglass sherds; e, part of candle arm (see p. 154); f, mirror
fragment; g, window glass; and h, medicine-bottle sherds.
Several forms of drinking glasses are indicated. A fragment of a foot from a long-stemmed cordial glass shows the termini of white-enamel threads that were comprised in a double enamel-twist stem. The twists consisted of a spiral ribbon of fine threads near the surface of the stem, with a heavy single spiral at the core. The indicated diameter of the foot is 3¼ inches (USNM 59.1761, ill. 43).
Fragments of large knops are probably from heavy baluster wineglasses dating from Mercer’s early period before 1750. A teardrop stem from a trumpet-bowl wineglass has been melted past recognition in a fire. The stem of a bucket-bowl cordial glass has suffered in the same manner (USNM 59.1607). Still with their shapes intact are two stems and base sections of bucket-bowl wineglass. Two engraved bowl sherds from similar-shaped cordial glasses and a rim sherd from another engraved piece are the only fragments with surface decoration (USNM 59.1634, 59.1864, ill. 45). Several sherds of foot rims, varying in diameter, were found, including one with a folded or “welted” edge.
Tumblers, depending on their sizes, were used for strong spirits, toddy, flip, and water. The base and body sherds of a molded tumbler from Marlborough are fluted in quadruple ribs that are separated by panels ¼-inch wide (USNM 59.1864, fig. 82c, ill. 46). Plain, blown tumbler bases have indicated diameters of 3 inches.
A few unusual, as well as more typical, forms are indicated by the Marlborough glass sherds. One small fragment comes from a large flanged cover, probably from a sweetmeat bowl or a posset pot. A specimen of more than usual interest is a pressed or cast cut-glass octagonal trencher salt (USNM 59.1830, fig. 82a, ill. 47). This artifact reflects silver and pewter salt forms of about 1725. A curved section of a heavy glass rod is apparently from a chandelier, candelabrum, or sconce glass (USNM 59.1696, fig. 82e). We have seen that Mercer, in 1748, bought “1 superfine large gilt Sconce glass.”
Although precise dates cannot be ascribed to any of this glass, it all derives without much question from the period of Mercer’s occupancy of Marlborough.
MIRROR AND WINDOW GLASS
We know from the ledgers that there were sconce and looking glasses at Marlborough. Archeological refuse supplies us with confirmation in pieces of clear lead glass with slight surviving evidence of the tinfoil and mercury with which the backs originally were coated. One piece (USNM 59.1693) has a beveled edge 7/8 inch wide, characteristic of plate-glass wall mirrors of the colonial period. A curved groove on this piece, along which the fracture occurred, is probable evidence of engraved decoration.
Window glass is of two principal types. One has a pale-olive cast. A few fragments of this type have finished edges, indicating that they are from the perimeters of sheets of crown glass and that Mercer purchased whole crown sheets and had them cut up. It may be assumed that this greenish glass is the oldest, perhaps surviving from Mercer’s early period.
The other type is the more familiar aquamarine window glass still to be found in 18th-century houses. A large corner of a rectangular pane has the slightly bent contour of crown glass, which is the English type of window glass made by blowing great bubbles of glass which were spun to form huge discs. The discs sometimes were cut up into panes of stock sizes and then shipped to America, or else were sent in whole sheets, to be cut up by storekeepers here or to be sold directly to planters and other users of window glass in quantity.
The centers of these sheets increased in thickness and bore large scars where the massive pontil rods which had held the sheets during their manipulation were broken off. The center portions also were cut into panes, which were used in transom lights and windows where light was needed but a view was not. Hence they served not only to utilize an otherwise useless part of the crown-glass sheets, but also to impart a decorative quality to the window. They are still known to us as “bullseyes.” A piece of a bullseye pane of aquamarine glass occurs in the Marlborough finds. The pontil scar itself is missing, but the thick curving section leaves little doubt as to its original appearance. A similar fragment was found at Rosewell.
FOOTNOTES:
[203] Lady Sheelah Ruggles-Brise, Sealed Bottles (London: Country Life, Ltd.; New York, Charles Scribner’s Sons, 1949), p. 18.
[204] York County (Virginia) Orders & Wills 1716-1726 (in York County courthouse, Yorktown, Va.), no. 15, p. 571.
[205] “Old English Wine Bottles,” The Wine and Spirit Trade Record (London, December 17, 1951), pp. 1570-1571.
[206] Wine Trade Loan Exhibition of Drinking Vessels [catalog] (London, 1933), no. 226, p. 26, pl. 95.
[207] Cappon & Duff, Virginia Gazette Index 1736-1780, op. cit. (footnote 93), vol. 1, p. 451.
[208] Andre Simon, Drink (New York: Horizon Press, Inc., 1953), pp. 139-140.
[209] Dow, op. cit. (footnote 178), p. 104.
[210] Rita Susswein, The Arts & Crafts in New York, 1726-1776 (New York: J. J. Little and Ives Co., 1938), p. 99. (Printed for the New-York Historical Society.)
[211] Op. cit. (footnote 206), no. 244, p. 66, pl. 68.
Costume accessories recovered at Marlborough are extremely few. There are six metal buttons, all of them apparently 18th century. One of flat brass (USNM 59.2004) has traces of gilt adhering to the surface; another of similar form (USNM 60.85) is silver; a third (USNM 59.2004) is copper. The silver button, ⅞ inch in diameter, could be one of two dozen vest buttons bought by Mercer for 18 pence each in 1741. A brass button with silver surface was roll-plated in the Sheffield manner (USNM 59.2004), thus placing its date at some time after 1762. “White metal”—a white brass—was commonly used for buttons in the 18th century, and is seen here in a fragmentary specimen (USNM 59.2004). One hollow button of sheet brass shows the remains of gilding (USNM 60.73). Only one example was found—a dark-gray shell button—that was used on under-garments (USNM 59.1819).
Illustration 48.—Left, brass buckle (see fig. 83d). Same size. (USNM 60.72.)Among the personal articles are two brass buckles, one a simple half buckle (USNM 70.72, fig. 83d, ill. 48), the other a knee buckle (USNM 60.139, fig. 83e, ill. 49). Except possibly for a pair of scissors to be mentioned later, a brass thimble is the only artifactual evidence of sewing (USNM 60.74, fig. 83b, ill. 50). Four thimbles, mentioned in Ledger B, were purchased in 1729, and four in 1731.)
Parts of a penknife that were found consist of ivory-casing fragments, steel frame, knife blade, single-tined fork, and other pieces (USNM 50.1665, fig. 85). Two chalk marbles attest to the early appeal of that traditional game, as well as to the ingenuity that went into making the marbles of this material (USNM 59.1682). Chalk also was used to make a bullet mold, half of which, bearing an M on the side, has survived (USNM 59.1682, fig. 84b, ill. 51). A musket ball (USNM 59.1682) from the site could have been made in it. Two gun flints (USNM 59.1629 and 59.1647, fig. 84a) are of white chert.
An English halfpenny, dated 1787, was found near the surface in the kitchen debris of Structure E[Pg 156] (USNM 59.2041, fig. 83c). Considerably worn, it may have been dropped after the destruction of the building. Two fragments of flat slate were found (USNM 60.95 and 60.113), as well as a hexagonal slate pencil (USNM 59.1685, fig. 85, ill. 54). It is clear that slates were used at Marlborough, probably when Mercer’s children were receiving their education from the plantation tutors.
Figure 83.—Small metalwork: a, copper and white metal buttons; b, brass thimble;
c, English halfpenny, 1787; d, brass buckle; e, brass knee buckle; f, brass harness ornament;
g, escutcheon plates for drawer pulls and keyholes; h, drop handle; i, curtain and
harness rings; and j, brass strap handle.
Illustration 52.—Left, fragments of tobacco-pipe bowl
with decoration molded in relief. Same size. (USNM
59.2003.)
Figure 84.—Personal miscellany: a, chert gun “flint;” b, chalk bullet mold and bullet;
c, bullet; d, marble; e, piece of chalk; and f, white clay pipes and fragment of terra-cotta
pipestem.
Figure 85.—Cutlery: a, chopping knife; b, table-knife blades; c, parts of penknife; and
d, pieces of slate and slate pencil.
As usual in colonial sites, quantities of pipestem
and bowl fragments were recovered. Virtually all[Pg 157]
[Pg 158]
the bowls reflect the typical Georgian-period white-clay
pipe form, with only minor variations. Most of
the stems have bores ranging from 4/64 inch (1750-1800)
to 6/64 inch (1650-1750). A single stem fragment
from a terra cotta pipe of a kind found at Jamestown
and Kecoughtan, probably dropped by an Indian or
early white trader, is early 17th century (fig. 84f),
while two white-clay stem fragments have bores of
⅛ inch (1620-1650). A fragment of a pipe bowl has
molded decoration in relief, with what appear to be
masonic emblems framed on a vine wreath (USNM
59.2003, ill. 52).
SILVER
Illustration 55.—Left, fragment of long-tined fork.
Second-half (?), 17th century. One-half. (USNM
59.1663.)Mercer, as we have seen, had a lavish supply of plate. Little of this, understandably, was likely to have been thrown away or lost, except for an occasional piece of flatware. One such exception is a teaspoon from the Structure B foundation (USNM 59.1827, fig. 86). It has a typical early Georgian form—ribbed handle, elliptical bowl, and leaf-drop handle attachment on back of the bowl. As in the case of small objects worked after the marks were applied, this has evidence of two distorted marks. Corrosion has obliterated such details as may have been visible originally, although there are fairly clear indications of the leopard’s head crowned and lion passant found on London silver.
Table cutlery.—Fragmentary knives and forks from the site date mostly from before 1750. Forks are all of the long, double-tine variety. One, which may date back to the second half of the 17th century, has a delicate shank, widening to a tooled, decorative band, with shaft extending downward which was originally enclosed in a handle of horn, bone, or wood (USNM 59.1663, ill. 55). A fragment of a narrow-bladed knife (USNM 59.1882, fig. 85) may be of the same period as the fork. Two forks, each with one long tine intact, show evidence of having had flat cores for wood or silver handles (USNM 59.2029, 59.1939, ills. 56 and 57). The shanks, differing in length from each other, are turned in an ogee shape. Three blades, varying in completeness, are of the curved type used with “pistol-grip” handles (USNM 59.1667-1668, 59.1939). A straight blade fragment (USNM 59.1999) is probably contemporary with them. Only two knife fragments (USNM 59.1799 and 59.2082) appear to be 19th century (fig. 85).
One of the most unusual artifacts is a half section of a hollow Sheffield-plated pistol-grip knife handle. Sheffield plate was introduced in 1742 by a process that fused sheets of silver to sheets of copper under heat and pressure.[212] The metal, as here, was sometimes stamped (USNM 59.1668, fig. 86b).
Figure 86.—Metalwork: a, rim of pewter dish; b, table knife with Sheffield-plated handle;
c, lid of pewter teapot (ill. 60); d, silver teaspoon; e, wavy-end pewter spoon, early 18th-century
shape; f and g, two trifid-end pewter spoons, late 17th-century shape (holes in g
were probably drilled to hold cord for suspension from neck).
PEWTER
Three, whole pewter spoons, as well as several fragments of spoons, were salvaged from the large trash pit (Structure D). Two whole specimens and a fragment of a third are trifid-handle spoons cast in a mold that was probably made about 1690. One of these (USNM 59.1669, fig. 86g, ill. 58) has had two holes bored at the top of the handle, probably to enable the user to secure it by a cord to his person or to hang it from a loop. This circumstance, plus the presence of such an early type of spoon in an 18th-century context, suggests that the spoons were made during the Mercer period for kitchen or slave use from a mold dating back to the Port Town period. The spoons themselves may, of course, have survived from the Port Town time and have been relegated to humble use on the plantation.
A somewhat later spoon, with “wavy-end” handle, comes from a mold of about 1710. It has the initial[Pg 161] N scratched on the handle (USNM 59.1672, fig. 86e, ill. 59). Another fragmentary example has a late type of wavy-end handle, dating perhaps ten years later (USNM 59.1672).
Illustration 59.—Wavy-end pewter spoon (fig. 86e).
One-half. (USNM 59.1672.)A pewter teapot lid with tooled rim and the remains of a finial may be as early as 1740 (USNM 59.1676, fig. 86c, ill. 60). Two rim fragments of a pewter plate also were found (USNM 59.1675, fig. 86a).
KITCHEN AND OTHER HOUSEHOLD UTENSILS
Cutler’s work.—In 1725 Mercer bought a pair of “Salisbury Scissors”; there is no clue as to what is meant by the adjectival place name. He purchased another pair of scissors in 1744. In any case, a pair of embroidery scissors, with turned decoration that one would expect to find on early 18th-century scissors, was found in the site (USNM 59.1680, ill. 61).
Ironware.—Pieces of two types of iron pot were found. One type is a large-capacity version, holding possibly five gallons. It has horizontal ribbing and[Pg 162] vertical mold seams (USNM 59.1645, 59.1845, 59.60.147, fig. 87). Such, perhaps, was the “gr[ea]t pot” weighing 36 pounds which Mercer bought from Nathaniel Chapman of the Accokeek Iron Works in 1731. Two other fragments are from a smaller pot. The inventory taken in 1771 (Appendix M) lists five “Iron Potts for Negroes,” that were probably smaller than those used in the plantation kitchen.
Two heaters for box irons were found in the kitchen debris. A heavy layer of mortar adhered to one, suggesting that it may have been built into the brickwork—whether by accident or design there is no way of telling. In that case, however, the specimen would antedate 1749 (USNM 59.2024, 59.2026, fig. 87). Box irons were hollow flatirons into which pre-heated cast-iron slugs or “heaters” were inserted. Two or more heaters were rotated in the fire, one always being ready to replace the other as it cooled. In 1725 Mercer bought a “box Iron & heaters,” and in 1731, from Chapman, “2 heaters.”
Figure 87.—Ironware: a, lid for iron pot; b, cooking-pot fragments; c, andiron leg; d, iron
ladle; and e, two beaters for box-irons.
Other kitchen iron includes the fragmentary bowl and stem of a long-handled iron stirring spoon (USNM 59.1812), an iron kettle cover (USNM 60.69), and the leg of a large, heavy pair of andirons (USNM 59.1826, fig. 87). A small, semicircular chopping knife has a thin steel blade and an iron shank that originally was inserted in a wooden handle. Lettering, now almost obliterated, was impressed in the metal of the blade: “SHEFFIELD WORKS 6 ENGLISH....” (USNM 59.1834, fig. 85a).
Furniture hardware.—A few metal furniture fittings
were recovered. Six curtain rings, cut from
sheet brass and trimmed with a file, vary from ⅞
inches to 1¼ inches. On tubular ring (USNM 60.53,
fig. 83) may have been used as a curtain ring, although[Pg 163]
signs of wear suggest that it perhaps may have been
a drawer pull. A small, brass, circular escutcheon
(USNM 59.1735, fig. 83) comes from a teardrop-handle
fixture of the William and Mary style. A
round keyhole escutcheon has tooled grooves and
holes for four nails (USNM 59.1630, fig. 83), and
dates from about 1750. The handsomest specimen of
furniture trim found is an escutcheon plate with
engraved linear decoration dating from about 1720
(USNM 60.71, fig. 83). An iron bale handle was[Pg 164]
[Pg 165]
probably on a trunk or chest (USNM 60.130, fig.
88e). A small strap hinge (USNM 59.1657, fig. 88)
is like those found on the lids of 18th-century wooden
chests, while a butt hinge may have served on the
lid of the escritoire which Mercer owned in 1731
(ill. 63).
Figure 88.—Iron door and chest hardware: a, large HL hinge; b, plate from box lock;
c, small H hinge for cupboard; d, part of H door hinge; e, bale handle from trunk; f, latch
bar or striker; g, small hinges; h, keys; i, latch catch; j, staples; k, part of latch handle;
and l, pintles for strap hinges.
Illustration 63.—Iron butt
hinge of type used on escritoire
lids and other similar
items. Same size.ARCHITECTURAL AND STRUCTURAL HARDWARE
Iron was a fundamental material in the construction of any 18th-century building. Mercer’s ledgers make repeated references to the purchase of hinges, locks, latches, and other related iron equipment. Most of this material was obtained from local merchants and was probably English in origin. However, the ledger records numerous purchases from Nathaniel Chapman of iron that was undoubtedly made at his ironworks. It is probable also that many simple appliances were made at Marlborough by slaves or indentured servants trained as blacksmiths.
llustration 71.—Series of
wrought-iron flooring nails
and brads. One-half.Hinges.—Hand-forged strap hinges were employed throughout the colonies from the first period of settlement to the middle of the 19th century. In addition to the many fragments that probably came from such hinges, one artifact is a typical spearhead strap-hinge terminal with a square hole for nailing (USNM 60.146, ill. 64). Three pintles—L-shaped pivots on which strap hinges swung—were recovered. One was found at the site of a gate or door in the wall south of the kitchen (USNM 60.59, fig. 88l).
Fragments from at least four different H and HL hinges occur. Several entries in the ledgers refer to the purchase of such hinges. A nearly complete HL hinge, probably used on a large door, recalls an item in the account with Charles Dick for June 14, 1744, “2 pr large hinges 9/” (USNM 59.1945, fig. 88). A piece of a smaller H or HL hinge is of the type used on interior doors (USNM 59.1767, fig. 88), while a still smaller section of an H hinge was perhaps used on a cupboard door. H hinges were more properly known as “side hinges,” and we find Mercer using that[Pg 166] term in 1729 when he bought a pair of “Sidehinges” for 9d. “Cross-garnet” hinges, where a sharply tapering, spear-headed strap section is pivoted by a pin inserted in a stationary, rectangular butt section, are represented by three imperfect specimens (USNM 59.1657 and 59.1881, fig. 88). Both these types are named, described, and illustrated by Moxon.[213]
Figure 89.—Tools: a, block-plane blade; b, scraping tool (ill. 76); c, gouge chisel (ill. 77);
d, part of bung extractor; e, fragment of ax; f, three dogs or hooks; g, pothook; and h,
shim or pin.
Locks, Latches, and Keys.—Only one remnant of the ubiquitous 18th-century “Suffolk” thumb-press door latch was found at Marlborough. This fragment comprises the handle but not the cusps at the ends, by which the age might be determined (USNM 60.137, fig. 88). Mercer purchased an “Iron door latch” from Nathaniel Chapman for ninepence in 1731. In a complete assemblage for these latches, a thumb press lifts a latch bar on the reverse side of the door, disengaging it from a catch driven into the edge of the jamb. One large latch bar was recovered (USNM 59.1972, fig. 88f), as well as two catches (USNM 59.1644, fig. 88i, and 59.1801, ill. 65). Sliding bolts were the usual locking devices when simple thumb latches were used. A survival of one of these is seen in a short iron rod with a shorter segment of rod attached to it at right angles (USNM 59.1942, ill. 69).
Purchases of padlocks are recorded, but there is no archeological evidence for them. However, a well-made hasp (USNM 59.1655, ill. 66) has survived, and also three staples (USNM 59.1644, 59.1659, 59.2027, fig. 88j). Mercer bought six staples in 1742 at a penny each.
Apparently the principal doors of both the 1730[Pg 167] house and the mansion were fitted with box locks, or “stock-locks,” in which wood and iron were usually combined. A heavy iron plate comes from such a lock (USNM 59.1943, fig. 88). Two stock-locks were bought from John Foward in 1731. Another was purchased from William Hunter in 1741. In the same year Mercer acquired from Charles Dick “8 Chamberdoor Locks wth brass knobs.” If by knob was meant a drop handle, then a fine brass specimen may be one of these (USNM 59.1944, fig. 83h, ill. 67). Fragments of three iron keys have survived, the smallest of which may have been used with a furniture lock (USNM 59.1644 and 59.1656, fig. 88h).
Nails and Spikes.—The ledgers point to a constant purchasing of nails which is reflected in the great quantity recovered from the excavations. A 1731 purchase from Chapman comprised 2-, 3-, 4-, 6-, 8-, 10-, 12-, and 20-penny nails, while in the 1740’s not only nails but 4-, 6-, 8-, and 10-penny brads were purchased, as well as 20-penny flooring brads. Excepting the last, nearly all these sizes occur in the artifacts. There is also a variety of heavy spikes, ranging from 3 inches to 7 inches in length (see ills. 70-73).
HANDCRAFT TOOLS
Marlborough, like most 18th-century plantations, was to a large extent self-sufficient, and therefore it is not surprising to find handtools of several kinds. A blacksmith’s hammer (USNM 59.2081, ill. 74), for example, strengthens the view that there may have been blacksmiths at Marlborough. Other tools include a smoothing-plane blade of iron with a 1-inch steel tip (USNM 59.1897, fig. 89a); a set wrench for a ¾-inch square nut or bolt (possibly for bed bolts), equipped originally with a wooden handle (USNM 60.91, ill. 75); a steel scraping tool or chisel with handle set at an angle (USNM 60.133, fig. 89b, ill. 76); a small half-round bit or gouge chisel (USNM 59.1644, fig. 89c, ill. 77). Three crude lengths of iron with stubby L-shaped ends appear to be work-bench dogs (fig. 89f).
Illustration 74.—Left, blacksmith’s hammer. One-half.
(USNM 59.2081.)
Illustration 77.—Left, bit or gouge chisel
(see fig. 89c). One-half. (USNM
59.1644.)One fine tool is from the equipment of a jeweler or a clockmaker (USNM 59.1664, ill. 78). It is a very small hammer with a turned, bell-shaped striking head. Originally balanced by a sharp wing-shaped peen, which was, however, badly rusted and which disintegrated soon after being found, the tool has a[Pg 168] tubular, tinned, sheet-iron shaft handle which is secured by a brass ferrule to the head and brazed together with brass. The lower end is plugged with brass, where a longer handle perhaps was attached. In 1748 Sydenham & Hodgson, through William Jordan, imported for Mercer “A Sett Clockmakers tools.” This entry is annotated, “Return’d to Mr Jordan.” Although the hammer cannot be related to this particular set of tools, the ledger item suggests that fine work like clockmaking may have been conducted at Marlborough. This tool may have been used in the process.
FARMING, HORSE, AND VEHICLE GEAR
Illustration 79.—Wrought-iron colter
from plow. One-fourth. (USNM
60.88.)The 1771 inventory is in some ways a more significant summary of 18th-century plantation equipment than are the artifacts found at Marlborough, since its list of tools is longer than the list of tool artifacts and is pin-pointed in time. However, artifacts define themselves concretely and imply far more of such matters as workmanship, suitability to purpose, source of origin, or design and form, than do mere names. The Marlborough tools and equipment, moreover, correspond, as far as they go, very closely with the items in the inventory, thus becoming actualities experienced by us tactually and visually.
For instance, the inventory lists 22 plows at Marlborough. Among the finds is an iron colter from a[Pg 169] colonial plow in which the colter was suspended from the beam and locked into the top of the share (USNM 60.88, ill. 79). The colter is bent and torn from exhaustive use (Chapman, in 1731, fitted a plow “wth Iron” for Mercer). From it we learn a good deal about the size of the plow on which it was used and the shallow depth of the furrows it made.
Figure 91.—Farm gear: a, part of collapsible-top fitting from carriage; b, chain, probably
from whiffletree; c, part of bridle bit; d, iron stiffener from a saddle; e, worn chain link;
f, base of handle of a currycomb; g, rivet and washer; h, piece of iron harness gear; i and j,
two horseshoes; and k, chain to which a strap was attached—probably harness gear.
Four chain traces were on the list, one of which is represented by a length of flat links attached to a triangular loop to which the leather portion of the traces was fastened (USNM 60.64, fig. 91b). The halves of two snaffle bits (USNM 59.2078, 60.67, fig. 91c; ill. 87) correspond to an item for eight “Bridle Bitts.” (A “snafflebit” costing 1s. 8d. was among Mercer’s purchases for 1743.) A third bit, crudely made of twisted wire attached to odd-sized rings, is a makeshift device probably dating from the 19th century. Three ox chains listed in the inventory are not distinctly in evidence in the artifacts, although a heavy hook, broken at the shank, is of the type used to fasten an ox chain to the yoke (USNM 60.9, ill. 80).
Archeological evidence of the two oxcarts and one[Pg 170] wagon listed in the inventory is confined to nuts and bolts that might have been used on such vehicles. A long axle bolt (USNM 59.1802) measures 23 inches. A small bolt or staple, split at one end and threaded at the other, has a wingnut (USNM 60.145, ill. 81). A hook with a heavy, diamond-shaped backplate and a bolt hole was perhaps used on a wagon to secure lashing (USNM 59.2030, ill. 82). A heavy, curved piece of iron with a large hole, probably for a clevice pin, appears to be from the end of a wagon tongue, while a carefully made bolt with hand-hammered head (USNM 59.1821) and a short rivet with washer (USNM 59.1881, fig. 91g) in place seem also to be vehicle parts.
The inventory listed four complete harnesses, the remains of which are probably to be found in four square iron buckles (USNM 59.1644, 59.1901, 60.131, fig. 91h), a brass ring (USNM 59.1678, fig. 83), and an ornamental brass boss (USNM 59.1878, fig. 83j).
Twelve “Swingle trees” (whippletree, whiffletree, singletree) are listed in the inventory. The artifacts include three iron loops or straps designed to be secured to the swingletrees. One (USNM 59.2042, fig. 91b) still has two large round links attached. (In 1731 Chapman fitted ironwork to a swingletree.)
Ten “Hillinghows,” 17 “Weeding hows,” and 8 “Grubbing hows” are listed. In the long Chapman account for 1731 we see that Mercer then purchased “5 narrow hoes” and “2 grubbing hoes.” The only archeological evidence of hoes is a fragmentary broad hoe (probably a hilling hoe) (USNM 59.1848, ill. 83) and the collar of another.
Thirteen axes are listed in the inventory. Again we find Nathaniel Chapman providing a “new axe” in 1731 for five shillings, while William Hunter sold Mercer “2 narrow axes” and “4 Axes” in 1743. One broken ax head occurs among the artifacts, worn back from repeated grinding and split at the eye (USNM 59.1740, fig. 89e).
There were four spades and an iron shovel at Marlborough in 1771. An iron reinforcement from a shovel handle occurred in the site (USNM 59.1847, ill. 84), while a slightly less curved strip of iron may have been attached to a spade handle (USNM 59.1662). Once more in Chapman’s account we find evidence of[Pg 171] local workmanship in an item for “1 Spade.”
Thirteen scythes were listed in 1771; perhaps the one excavated from the foundation of Structure H on Potomac Creek may have been among these (USNM 59.2400, fig. 90). There were eight sheep shears; half of a sheep shears was found in Structure G (USNM 59.1734, ill. 85). Of the other items on the list, a few, such as stock locks and hammers, have already been mentioned, while the remainder of the list is not matched by artifacts. An item for a chalk-line is supported by a piece of chalk (USNM 59.1683, fig. 84).
Illustration 86.—Animal trap.
One-third. (USNM 59.1715.)A few specimens are not matched in the inventory. One is a springtrap of hand-forged, hand-riveted iron (USNM 59.1715, ill. 86) for catching animals. Another is a fishhook (USNM 59.1681, ill. 88), possibly one of 95 bought in 1744. An iron stiffener for the framework of a saddle is fitted with 10 rivets for[Pg 172] securing the leather and upholstery (USNM 59.1847, fig. 91d). The third artifact is an elegantly designed brass fitting for a leather curtain or strap (USNM 59.1736, fig. 83j, ill. 89). It is fitted with a copper rivet at the stationary end for securing leather or cloth; just below the rivet is a recessed groove and shelf, perhaps to receive a reinforced edge; to the lower part of this is hinged a long handle cut in a leaf design. An iron hinge bar is part of the equipment for folding back the top of a chaise (USNM 60.178, fig. 91a). There are several horseshoes, two whole shoes and numerous fragments (fig. 91i and j). Finally, the handle shaft and decorative attachment of an iron currycomb (USNM 59.2077, fig. 91f) recalls Mercer’s purchase of “1 curry comb and brush” in 1726.
FOOTNOTES:
[212] Seymour B. Wyler, The Book of Sheffield Plate (New York: Crown Publishers, 1949), pp. 4-5.
[213] Albert H. Sonn, Early American Wrought Iron (New York: Charles Scribner’s Sons, 1928), vol. 2, p. 9.
Almost no exclusively 17th century artifacts were found at Marlborough; at least, there were very few sherds or objects that could not have originated equally well in the 18th century. The exceptions are the following: Westerwald blue-and-white stoneware with gray-buff paste; several sherds of delft and other tin-enameled ware, late 17th century in type, and an early 17th-century terra cotta pipestem. Otherwise, we find a scattering of things belonging to types that occurred in both centuries: North Devon gravel-tempered ware, which was imported both in the late 17th and early 18th centuries; yellow-and-brown “combed” ware, which elsewhere occurs most commonly in 18th century contexts; pewter trifid-handle spoons, the form of which dates from about 1690 but which may have been cast at a later date in an old mold (a wavy-end spoon in the style of 1710 may also have been cast later). Fragments of an onion-shaped wine bottle may date from the first decade of the 18th century, but the presence of such bottles in the Rosewell trash pit shows that bottles, being too precious to throw away, were kept around until they were broken—in the case of Rosewell for 60 or 70 years. Thus the Marlborough sherds cannot be excluded from the Mercer period. The same may be said of a late 17th-century type of fork. Thus, there is virtually no evidence of the Port Town occupation, especially as the few 17th-century artifacts that were found may well have belonged to the Mercers rather than to Marlborough’s previous occupants.
The ceramics and glass are the most readily datable artifacts, and these coincide almost altogether with the period of John Mercer’s lifetime. Common earthenwares are predominantly Tidewater and Buckley types, with a scattering of others, most of which are recurrent among other Virginia and Maryland historic-site artifacts. No distinct type emerges to suggest that there may have been a local Stafford potter. Common stonewares occur in such a variety of types that no source or date can be attributed, although there is some evidence of the work of William Rogers’ shop in Yorktown. Westerwald stonewares are predominantly of the blue-and-gray varieties commonest in the second quarter of the 18th century.
There is only a small quantity of delftware, but a great deal of Chinese porcelain. Evidences are that the first kinds of English refined wares, such as drab stoneware, Nottingham stoneware, and agateware, were used at Marlborough, thus pointing to an awareness of current tastes and innovations. The large quantity of white salt-glazed ware suggests that, although it was a cheap commercial product, it was regarded as handsome and congenial to the environment of a plantation house that was maintained in formal style.
Except for the white salt-glazed ware, which was probably acquired in the 1760’s, most of the table ceramics date from about 1740 to 1760. Bottles and the few datable table-glass fragments are also primarily from this period. Creamwares and late 18th- and early 19th-century whitewares diminish sharply in numbers, reflecting a more austere life at[Pg 174] Marlborough in its descent to an overseer’s quarters. Later 19th-century wares are insignificant in quantity or in their relation to the history of Marlborough. Tool and hardware forms are less diagnostic. Most of them correspond to ledger entries and to the 1771 inventory, so, without contradictory evidence, they may be assumed to date from John Mercer’s period.
In general, the artifacts illustrate the best of household equipment available in 18th-century Virginia, and the tools and hardware indicate the extensiveness of the plantation’s activities and its heavy reliance on blacksmith work.
Marlborough’s beginnings as a town in 1691 cast the shape that has endured in a few vestiges even until today. The original survey of Bland and Buckner remains as evidence, and by it we are led to believe that the courthouse was located near the “Gutt” to the west of the town, near a change of course that affected the western boundary and all the north-south streets west of George Andrews’ lots. Archeological excavation in the area disclosed Structure B, which subsequent evidence proved to be the foundation of Mercer’s mansion, built at the pinnacle of his career between 1746 and 1750. No evidence exists that this foundation was associated earlier with the courthouse.
Two years after the second Act for Ports was passed in 1705, the second survey was made and was lost soon thereafter. There is evidence that the house built by William Ballard in 1708, on a lot “ditched in” according to this plat, was also in the vicinity of the courthouse. After Mercer moved into this house in 1726, it became clear that the two surveys were at odds, and a new survey was ordered and made in 1731. The maneuvers which followed make it fairly clear that Mercer’s residence was encroaching upon the two acres that had been set aside for the courthouse, which by Act of Assembly had reverted to the heirs of Giles Brent after the courthouse had burned and been abandoned about 1718. The 1731 plat provided a whole new row of lots along the western boundary of the town, while pushing the original lots slightly to the east. This device would have assured the integrity of the courthouse land, while relieving Mercer of the uncertainty of his title. When Mercer’s petition to acquire Marlborough was submitted in 1747 (the 1731 plat still remained unaccepted), he offered to buy the courthouse land for three times its worth. Since Mercer was guardian of the heir, “Mr. William Brent, the Infant,” he was called upon to testify in this capacity at the hearings on his petition. Thus the courthouse, Ballard’s house, and Mercer’s mansion all appear to have been involved in a boundary difficulty, and we may assume, therefore, that the courthouse during its brief career stood close to the spot where Mercer later built his mansion.
This difficulty, in particular, was influential in determining the shape of the town, the manner in which Mercer developed the property and the peculiarities that made Marlborough unique. It was not until 1755 that he was permitted to acquire all the town and by that time Marlborough’s character had already been fixed. We have seen that its outstanding feature, the mansion, was architecturally sophisticated, that leading craftsmen worked on it, and that it was as highly individualistic as its master. It was lavishly furnished not only with material elegancies but with a library embracing more than a thousand volumes.
Aside from the mansion, the area most actively developed by Mercer lay between it and Potomac Creek, with some construction to the north and the east. In 1731, Mercer built two warehouses which probably stood near the waterside at Potomac Creek where his sloop and schooner and visiting vessels found sheltered anchorage. These burned in 1746, but must subsequently have been rebuilt, since Thomas Oliver in his 1771 report to James Mercer commented that[Pg 178] the “tobacco houses” must be repaired as soon as possible. They were probably among the buildings that Mercer had constructed up to 1747, when he reported that he had “saved” 17 of the town’s lots by building on them. These lots comprised 8½ acres in the southwest portion of the town.
The windmill was built on land near the river shore, east of the mansion. It was probably located a considerable distance from the shore, although erosion in recent times has eaten back the cliff. In the fall of 1958, half of the stone foundations collapsed, leaving a well-defined profile of the stone construction. Fragments of mid-century-type wine bottles found in the lower course of the stones support other evidence that the mill was built in 1746.
Mercer mentioned his “office” in 1766. This may have been a detached building used for a law office. Oliver in 1771 listed a barn, a cider mill, two “grainerys,” three cornhouses, five stables, and tobacco houses. He mentioned also that “the East Green House wants repairing, the west do wants buttments as a security to the wall on the south side.”
Besides the malthouse and brewhouse built in 1765 (which may have been situated at Structure H and the 100-foot-long stone-wall enclosure attached to Wall A), John Mercer in his 1768 letter mentioned “Cellars, Cooper’s house and all the buildings, copper & utensil whatever used about the brewery,” as well as the “neat warm” house built for the brewer. When the property was advertised in 1791, “Overseers houses,” “Negroe quarters,” and “Corn houses” also were mentioned.
The development of the area in the southwest portion of the plantation probably sustained—or established for the first time—the character originally intended for Marlborough Town. The situation of the mansion was undoubtedly affected by this, as indeed must have been the whole plantation plan. The archeological evidence alone shows that the plan was abnormal in terms of the typical 18th-century Virginia plantation. The rectangular enclosure formed by the brick walls east of the mansion doubtless framed the formal garden over which the imported English gardener, William Black, presided. It connected at the northwest with the kitchen in such a way that the kitchen formed a corner of the enclosure, becoming in effect a gatehouse, protecting the mansion’s privacy at the northwest from the utilitarian slave quarter and agricultural precincts beyond. Walls A-I and A-II, however, related the mansion directly to this plantation-business area and caused it to serve also as a gate to the enclosure.
The position of the kitchen dependency northwest of the house is the only suggestion of Palladian layout, other than the garden. The southern aspect of the house and the rigid boundary to domestic activity imposed by Walls A-I and A-II probably prevented construction of a balancing unit to the southwest. Slave quarters, stables, and perhaps the barn apparently were located to the north.
Since it was not until 1755 that Mercer came into full title to the town, the town plan and its legal restrictions were influential in determining the way in which the plantation was to grow. The house and the surrounding layout were, therefore, wholly peculiar to the special circumstances of Marlborough and probably also to the individuality of its owner. The approach to the house from the waterside was to the south end of the building, leading up to it by the still-existing road from the creek and along the old “Broad Street across the Town,” which probably bordered Walls A-I and B-I. The mansion thus had a little of the character of a feudal manor house, as well as some of the appearance of an English townhouse that abuts the street, with the seclusion of its yards and gardens defended by walls. In many respects it only slightly resembled, in its relationship to surrounding structures, the more representative plantations of its period.
The house was well oriented to view, ventilation, and dominant location. The veranda, which afforded communication from one part to another out-of-doors, as well as a place to sit, was exposed to the prevailing southwesterly summer winds. In the winter it was equally well placed so as to be in the lee of northeast storms sweeping down the Potomac. The view, hidden today by trees, included Accokeek Creek and a lengthy vista up Potomac Creek. Presumably, a road or driveway skirted the kitchen at the west and perhaps ended in a driveway in front of the house. The gate in Wall E south of the kitchen would have been a normal entrance for horses and vehicles.
Within the garden was the summerhouse built by Mercer in 1765. From the east windows and steps of the house and from the garden could be seen the Potomac, curving towards the bay, and the flailing “drivers” of the windmill near the Potomac shore.
The excavated and written records of Marlborough are a microcosm of Virginia colonial history. They depict the emergence of central authority in the 17th[Pg 179] century in the establishment of the port town as a device to diversify the economy and control the collecting of duties. In the failure of the town, they demonstrate also the failure of colonial government to overcome the tyranny of tobacco and the restrictive policies of the mother country. They go on to show in great detail the emergence in the 18th century of a familiar American theme—the self-directed rise of an individual from obscure beginnings to high professional rank, social leadership, personal wealth, and cultural influence. They demonstrate in Mercer’s career the inherent defects of the tobacco economy as indebtedness mounted and economic strains stiffened. In Mercer’s concern with the Ohio Company and westward expansion they reflect a colony-wide trend as population increased and the need grew for more arable land and areas in which to invest and escape from economic limitations. They show that the war with the French inevitably ensued, with its demands on income and manpower, while following this came the enforcement of trade laws and the immediate irritants which led to rebellion. So Marlborough gives a sharp reflection of Virginia’s history prior to the Revolution. It was touched by most of what was typical and significant in the period, yet in its own details it was unique and individual. In this seeming anomaly Marlborough is a true illustration of its age, when men like Mercer were strong individuals but at the same time typifying and expressing the milieu in which they lived.
Mercer’s rise to wealth and leadership occurred at a time when favorable laws held out the promise of prosperity, while boundless lands offered unparalleled opportunities for investment. It remained for those best able to take advantage of the situation; Mercer’s self-training in the law, his driving energy, and his ability to organize placed him among these. The importance of his position is signified by the justice-ship that he held for so many years in Stafford County court; the brick courthouse on the hill overlooking the upper reaches of Potomac Creek was the architectural symbol of this position. Although most of his income was derived from legal practice, it was his plantation that was the principal expression of his interests and his energies. Mercer was in this respect typical of his peers, whose intellectual and professional leadership, on the one hand, and agricultural and business enterprise, on the other, formed a partnership within the individual. The great plantation house with its sophisticated elegancies, its outward formalities, and its rich resort for the intellect in the form of a varied library, was the center and spirit of the society of which men like Mercer were leaders. With the death of the system came the death of the great house, and the rise and fall of Marlborough symbolizes, as well as anything can, the life cycle of Virginia’s colonial plantation order.
[Pg 180]
[Pg 181]
[Pg 182]
[Pg 183]
[Stafford County Will Book—Liber Z—1699-1709—p. 168 ff.]
An Inventory of the Estate of George Andrews taken the (six) October 1698. 6 small feather beads with Bolsters 5 Ruggs 1 Turkey Work 1 Carpet 1 old small Flock Bed boulster Rugg 4 pair Canvis Shooks 2 pair Curtains and valleins 4 Chests 1 old Table 1 Couch 1 Great Trunk 1 small ditto 1 Cupboard 2 Brass Kettles 1 pieis Dowlas 2 spits 1 Driping pan & fender 6 Iron Pots 5 pair Pot-hooks 6 dishes 1 bason 2 dozen of plates 4 old chairs made of kain 9 head horses + mares 3 Colts of 1 year old each 4 head Oxen 2 Chaine Staples 8 Yoaks 7 Cows + 1 Bull 2 barron cows 2 five year old stears 6 Beasts of a year old each 30 head of sheep being yews and lambs 4 Silver spoons 1 Silver dram cup 1 Lignum vitae punch Bowl 1 Chaffing Dish 1 Brass Mortar & Iron Pestle 2 ditto & 1 great iron pestle 1 broad ax 2 narrow Do 1 Tennant Saw 1 Whipsaw 1 drawing knife 2 augurs 1 Frow 1 pair Stilliards & too with Canhooks 1 Saddle & Curb bridle 3 servants 2 Men 1 Woman 3 years + 6 months to serve 1 Welshman 4 years to serve the other servant named Garrard Moore 13 months to serve 1 old Chest drawers 1 old plow 1 old pair Cart wheels wth a Cart 2 old Course Table Cloths & 8 Napkins 4 Towels 1 Galln Pott 1 Paile Pott 2 Chamber Potts 2 tankards a parsil of old Bottles 1 old Looking Glass 1 Grid Iron 1 Flesh fork & Skimmer 1 pair Spit hooks Iron square 3 pair Iron tongs 2 Nutmeg graters 3 Candlesticks 1 old Great Boat old Sails Hawsers Graplin 1 Box Iron 1 Warming pan 2 pair Pot racks
Jurat in Curia
Returned by
John Waugh Junr
[Stafford County Will Book—Liber Z—1699-1709—p. 158-159.]
Estate of Peter Beach. Inventory taken by William Downham, Edward Mountjoy, Wm Allen “having mett together at the house of Mr. Peter Beach.”
“Dan’l Beach
Alex and Mary Waugh executors Nov. 20, 1702”
| To 4 three year old heifers. at 350 Tobo p | 1400 |
| To 1 stear 6 years old at 600 To 5 Do 4 year old at 2000 | 2600 |
| To the 2 yr old at 2800 To 2 Bulls at 600 | 3400 |
| To 8 Cows & Calves at 4000 To 2 Barron Cows 900 | 4900 |
| To 1 Mare & Mare Filly at 1200 To 1 two year old horse 400 | 1600 |
| To 1 Do 5 years old at 1000 To 1 very old Do at 150 | 1150 |
| To 1 Feather bedd +; Bedstead + furniture 1500 To 1 do at 1200 | 2700 |
| To 2 Do at 2000 To 1 Old Flock Bed + Feather pillow at 300 | 2300 |
| To one servant Bot 9 years to serve 3000 to 4 stoolth 8 Chairs @ 160- | 3160 |
| To 9 old flagg & boarded Chairs 130 To 1 small old table & stool 100 | 230 |
| To 1 old Standing Cupboard 150 To Looking Glass at 30 | 100 |
| To 1 pair small Stilliards at 60 to 1 Iron Spit + Dripping pan at 80 | 140 |
| To 1 pair old Tongs and fire shovel at 30 To 2 Ladles + Chafing Dish 50 | 80 |
| To 1 old Narrow Ax + frow at 30 To 1 Box Iron & Heaters at 25 | 55 |
| To a passel of Glass Bottles at 40 To a Parcel of old Iron at 50 | 90 |
| To 8 old Pewter Dishes and three Basons Ditto at | 228 |
| To 1 small Table Cloth + 6 Napkins at 50 to 4 Tinpanns 1 Copper Sawspan at 150 | 100 |
| To 2 2 quart Potts 1 Pewter Tankard Old | 20 |
| To 1 old Warming Pan 20 To 1 Brass candlestick 1 Skimmer Old 15 | 35 |
| To pasl of Earthen Ware 50 To 3 Iron Potts 2 pr potthooks 250 To 1 Brass Kettle at 300 | 600 |
| To 1 Brass kettle at 60 To 23 pewter plates old 110 To 4 old Chests 250 | 420 |
| To 1 Frying Pan 1 Meal Sifter 15 To a parcel of old Tables and Cyder Cask 350 | 365 |
| To 1 Pewter Sheaf[214] 50 To 1 old Gun 100 To 2 Bibles at 40 | 190 |
| To 1 Pewter Chamber Pott 10 To 3 Pewter Salts 1 Dram Cup 15 | 25 |
| To 1 pair Iron Spansils[215] at | 50 |
| Total [sic] | 26010 |
Daniel Beach was janitor of the Court House, being paid 200 pounds tobacco annually 1700-1703:
1700 and 1701—“To Daniel Beach for cleaning the Court House”
1702 and 1703—“To Daniel Beach for Sweeping the Courthouse.”
FOOTNOTES:
[214] A cluster or bundle of things tied up together; a quantity of things set thick together. [New Oxford Dictionary]
[215] SPANCEL: A rope or fetter for hobbling cattle, horses, etc.; especially, a short, round rope used for fettering the hind legs of a cow during milking. [New Oxford Dictionary]
[From Ledger B, p. 1]
| £ | s. | d. | |||||
| 1725 | |||||||
| October | |||||||
| 12th | To Ballns. yr Accott Book A for (75) | 3 | 10 | 3 | |||
| To a Sword & Belt | 14 | ||||||
| To 1 Snuff | 8 | ||||||
| To 1 best worsted Cap | 5 | ||||||
| To 1 pr Neats Leather Saddlebags | 12 | 9 | |||||
| To 2 silk Romall handkerchiefs @ 3/ | 6 | ||||||
| To 1 pr Seersuckers | 1 | 13 | |||||
| To 1 fine Hat No 7 | 13 | 6 | |||||
| To Cornelius Tacitus in fol. | 7 | ||||||
| 13th | To 1 pr mens white topt Gloves; | 1 | 6 | ||||
| To 50 4p Nails | 2 | ||||||
| 14th | To 5¼ yds Broadcloath at 9/ | 2 | 7 | 3 | |||
| To 7 yds Shalloone at 2/ | 14 | ||||||
| To 8 Sticks Mohair at 3d | 2 | ||||||
| To 7 doz Coatbuttons at 7½d | 4 | 4 | ½ | ||||
| To 4 doz. breast do at 3¾ | 1 | 3 | |||||
| To 3 hanks Silk at 9d | 2 | 3 | |||||
| To 1¼ yds Wadding at 10d | 1 | 3 | |||||
| To 1 pr Stone buttons set in Silver | 5 | ||||||
| 15th | To 1 pr large Scissars | 7 | ½ | ||||
| To 1 p colld binding | 1 | 7 | ½ | ||||
| To 1 p holland tape | 1 | 6 | |||||
| To 6 ells broad Garlix No F at 2/11 | 17 | 6 | |||||
| To 1 pr womens wash gloves | 1 | 6 | |||||
| 19th | To 1 yd black ribband | 10 | |||||
| To 1 horn & Ivory knife & fork | 1 | ||||||
| 21 | To 1 fine hat No 7 | 13 | 6 | ||||
| To ¼ yd Persian | 1 | 3 | |||||
| To 2 yds silk Ferritting at 5d | 10 | ||||||
| 22 | To Cash won on the Race against Cobler | 5 | |||||
| 29 | To ¼ yd broadcloath | 2 | 3 | ||||
| To 1 qt Rum | 1 | 3 | |||||
| To a Sword & Belt | 14 | 3 | |||||
| To Club in Punch | 2 | ||||||
| To 1£ sugar & 1 qt Rum | 2 | ||||||
| 30 | To Club with Quarles | 9 | |||||
| Novbr | 20 | To 1 quire best paper | 1 | 6 | |||
| Decr | 13 | To 1 narrow axe | 2 | 3 | |||
| 16 | To 1200 10d Nails | 5 | |||||
| 30 | To 1 pr Shooebuckles | 7 | ½ | ||||
| To 100 6d Nails | 9 | ||||||
| To yr Stafford Clks notes 162£ tobo | 1 | 3 | |||||
| Feb | 5 | To Cash on Acct Thomas Harwood | 10 | ||||
| Mar | 5 | To Do | 18 | 6 | 11 | ½ | |
| 21 | To 1 qt Rum & 1£ Sugar | 2 | 3 | ||||
| Apl | 3 | To 2 qts Do & 1 yd Muslin | 6 | ||||
| 26 | To 1 qt Do to Thos Benson | 1 | 6 | ||||
| Septr | 16th | To ½ yd Druggett | 1 | 10 | ½ | ||
| To 2 yds Wadding | 1 | 6 | |||||
| To pd for rolling down Thomson’s hhd. tobo | 10 | ||||||
| £19 | 10 | 1 | |||||
[From Ledger B]
| £ | s. | d. | ||||
| 1725 | ||||||
| Septr | 9th | To Cash for Exps at Stafford & Spotsylvania | 1 | 3 | ||
| To 7½ yds Grown Linnen Sarah & Pitts | 7 | 6 | ||||
| To 11 fowls & 1 quarter beef | 17 | 6 | ||||
| To 100£ Sugar to this day pended | 2 | 16 | 6 | |||
| To Cash for Exps Urbanna | 3 | 1 | ½ | |||
| To Horsehire &c. | 6 | |||||
| To pd John Marnix for bringing my Sloop 2d | 10 | |||||
| To pd his ferrage | 1 | 3 | ||||
| To Cash for Exps Poplar Spring | 1 | 3 | ||||
| To Exps at Bowcocks | 10 | |||||
| To Exps at Mrs. Powers’s | 1 | 5 | 7 | ½ | ||
| To a man to cart down Cook & barber | 1 | 3 | ||||
| To Exps at Gibbons’s | 2 | |||||
| To Exps at Dalton’s | 15 | |||||
| To given Servts at Col Page’s | 2 | 6 | ||||
| To 1½ doz. red Port at 22/6 | 1 | 13 | 9 | |||
| To 1½ doz. mountain at 30/ [Note 1] | 2 | 5 | ||||
| To Exps poplar Spring | 2 | 3 | ||||
| To 1 barl tar & pitch for the Sloop | 1 | 6 | 6 | |||
| To 50l pork | 8 | 4 | ||||
| To 25l bisquet | 3 | 6 | ||||
| To 1 China punch bowl | 10 | |||||
| To 6 Glasses | 3 | |||||
| To 8l Candles | 6 | |||||
| To given Servants at Mr Standard’s | 3 | 1 | ½ | |||
| To Ferrage & Exps Piscattaway & Hob’s Hole | 4 | 4 | ½ | |||
| To Exps Essex Court & Ferrage at Keys | 1 | 3 | ||||
| To pd William Warrell Wages | 1 | |||||
| To pd Patrick Cowan Do | 1 | 2 | 11 | |||
| To horsehire from York | 2 | |||||
| To a Trunk | 6 | |||||
| To a Saddle & Furniture self | 3 | 15 | ||||
| To 1½ yd Cotton | 2 | 5 | ¼ | |||
| To 1 horsewhip | 6 | 9 | ||||
| To 1 pr Shooes & buckles Pitts | 6 | 7 | ½ | |||
| Octr | 2 | To 2 silk Romall handkerchiefs [Note 2] | 6 | |||
| To 6 loaves 9s 38¾£ double refin’d Sugar | 2 | 18 | 7 | ½ | ||
| To 2l Tea at 15/ | 1 | 10 | ||||
| To 6l Chocolate | 15 | |||||
| To 15¼l Castile Soap at 13d | 17 | 1 | ¾ | |||
| To 15l Gunpowder at 9d | 11 | 3 | ||||
| To 1 mans worsted Cap | 3 | 10 | ½ | |||
| To 1 Wig Comb & Case | 9 | |||||
| To 1 purse wrought with Silver | 2 | 3 | ||||
| To 2 pr buttons set in Silver at 3/ | 6 | |||||
| To 1 pc 9d 14¾ Ells bag holland at 7/10½ | 5 | 14 | 2 | |||
| To 2 pr mens fine worsted hose at 6/ | 12 | |||||
| To 2 pr mens fine thread Do at 5/ | 10 | |||||
| To 1 pr womens silk Do | 12 | |||||
| To 1 pr womens fine worsted Do | 5 | 6 | ||||
| To 1 pr Scissars with silver Chain | 10 | 6 | ||||
| To 1 box Iron & heaters | 9 | 9 | ||||
| To 1 fine hat no 6 | 12 | |||||
| To 1 fine Dandriff Comb | 1 | 6 | ||||
| To 1 ounce fine thread | 7 | ½ | ||||
| To 1 fine hat No 7 | 9 | |||||
| To 30 yds fine Dutch Check at 2/6 | 3/15 | |||||
| To 1 ms pins | 1 | 6 | ||||
| To 2 pc tape | 2 | 4 | ||||
| To 1 hat No 5 gave Sam | 2 | 6 | ||||
| [Pg 187]To 1 quire best paper | 1 | 3 | ||||
| To 1 Storebook | 1 | 5 | ||||
| To 1 pr Seersuckers | 1 | 13 | ||||
| To 1 hoop petticoat | 1 | 1 | ||||
| To 1 womans side Saddle & furniture | 3 | 11 | 3 | |||
| To 2 yds silver ribband at 22½ | 3 | 9 | ||||
| To 1 hat No 12 | 9 | |||||
| To 1 yd fine strip’t muslin | 6 | |||||
| To 1 yd fine Kenting [Note 3] | 4 | |||||
| To 4½ yds white Cotton Sarah at 18d | 5 | 9 | ||||
| To 4½ yds filletting Do at 3d [Note 4] | 1 | 1 | ½ | |||
| To 2 skeins thread | 2 | |||||
| To 1 pr woms wash gloves | 1 | 6 | ||||
| To ¼l wt bio: thread | 1 | 5 | ||||
| To ½ doz: plates | 7 | 6 | ||||
| To 2 porringers | 2 | 6 | ||||
| To 1 pr fine blankets | 1 | 13 | ||||
| To 1 yd fine strip’d muslin | 6 | |||||
| To 1 Cadow Sarah [Note 5] | 3 | 6 | ||||
| To Earthen Ware | 10 | |||||
| To 1½ bushel Wheat | 4 | 6 | ||||
| To 2 fowls | 10 | |||||
| To Battalay’s Account for Rum both in day | 2 | 1 | 3 | |||
| To 1½ yd red Cotton | 2 | 5 | ¼ | |||
| To 1 pr womens Shooes | 3 | 6 | ||||
| To 1 pr patterdashers [Note 6] | 14 | 3 | ||||
| To 5 Candlesticks | 17 | 6 | ||||
| To 1 Bed Cord | 2 | |||||
| To 3 maple knives & forks | 2 | |||||
| Octr | 22 | To Cash lost at a Race | 2 | |||
| To Thos Watts for Ditto | 10 | |||||
| To Expences there | 1 | 4 | ||||
| To 6 yds silk ferriting at 5d [Note 7] | 2 | 6 | ||||
| 25 | To 16½ yds Cantaloons at 7½ for Pease [Note 8] | 10 | 3 | ¾ | ||
| To 1 Pr mens thread hose | 5 | |||||
| To 1 pr mens silk Ditto | 1 | 1 | ||||
| To 2¼ yds fine Kenting at 4/6 | 10 | 1 | ½ | |||
| 26 | To 1 pr woms worsted hose | 3 | ||||
| To 1 knife & fork; | 8 | |||||
| 27 | To a Steer | 1 | 11 | 9 | ||
| To 2 yew haft knives & forks | 1 | 3 | ||||
| 28 | To 2 qts Rum | 4 | 6 | |||
| To 1 yew haft knife & fork & 1 pr Studds | 1 | 10 | ½ | |||
| 29 | To 1 pr Salisbury Scissars | 2 | 6 | |||
| To 1½ Gallon Rum | 4 | 6 | ||||
| To 1 speckled knife & fork | 5 | |||||
| Novr | 4 | To 1 writing Desk | 5 | 16 | 8 | |
| To 1 Glass & Cover | 8 | 9 | ||||
| To 18l Pewter at | 1 | 8 | ||||
| To 6 tea Cups & Saucer | 14 | |||||
| To 2 Chocolate Cups | 2 | 4 | ||||
| To 2 Custard Cups | 1 | 9 | ||||
| To 1 Tea Table painted with fruit | 16 | 4 | ||||
| To 6 leather Chairs at 7/ | 2 | 2 | ||||
| To 1 sml walnut eating table | 8 | |||||
| To ½ doz Candlemoulds | 10 | |||||
| [Pg 188]To 1 Tea table | 18 | |||||
| To 1 brass chaffing dish | 5 | |||||
| To 6 copper tart pans | 6 | |||||
| Novr | 4th | To 1 pr mens yarn hose | 2 | |||
| To 1 silk Romal | 3 | |||||
| To Expences Spotsylvania Court &C | 1 | 7 | 4 | |||
| To 1 pr bellows | ||||||
| To 2 funnells | ||||||
| To Coffeepot, teapots, &c. | 7 | |||||
| To 1 Seabed Sheets Table Linnen &c. | 3 | 10 | ||||
| To Cash to Pitts to bear Expences at Court | 2 | 9 | ||||
| To a pack of Cards | 9 | |||||
| To 1 pair mens Shooes | 5 | |||||
| 6 | To 1 silk Romall handkerchief | 3 | ||||
| 11 | To 6½ yds Cantaloons @ 9d | 4 | 8 | ½ | ||
| 17 | To 16 qr 22 yds Scotch Cloth @20d¼ | 1 | 17 | 1 | ½ | |
| 20 | To pd William Warrell Wages for this day | 1 | 6 | 8 | ½ | |
| 22 | To 6¼l tallow @ 6d | 3 | 16 | |||
| To 3½ yds Cantaloons & 40l coll’d thread | 3 | 4 | ||||
| To 1 maple knife & fork | 1 | |||||
| 25 | To 154l pork at 1½ | 19 | 3 | |||
| To 91l Do at 1½ | 11 | 4 | ½ | |||
| Decr | 19 | To 2 pr woms Shooes | 11 | |||
| Xtmas | To Cash for Lost at Cards & sundry Expenses | 1 | 18 | 19 | ||
| To pd Thomas Morris for pork | 6 | 7 | 5 | |||
| To pd Pitts Wages till February | 4 | 19 | 9 | ½ | ||
| To pd Thomas Collins Do till March 18 | 2 | |||||
| To 3 Ells yd wd Garlix 3/ | 9 | |||||
| To sundrys from Mr Crompton pr Acct | 1 | 19 | 1 | ½ | ||
| To 1 qt rum 27 4 qts Do | 7 | 6 | ||||
| Mar | 2 | To 2 qts Do 5. 1 qts Do 7 2 qts Do 8th. 5 qts Do | 15 | |||
| 9 | To 2 qts Do | |||||
| To sundry Exps to this Day | 1 | |||||
| 10 | To 2 qt Rum 12th 2 qts Do15th 2 qts Do | 9 | ||||
| 15 | To 5 pts Rum 1l Sugar & 2 yds Check | 7 | 6 | |||
| 18 | To 7 galls Rum & 16l Sugar | 2 | 9 | 6 | ||
| To Cash for taking up Wm Hall’s horse | 10 | |||||
| To Do at Stafford Court | 4 | |||||
| To Sundrys to Wm Dunn | 1 | 17 | 6 | |||
| June | 11 | To cleaning out the house | 6 | 9 | ||
| To 1500 10d Nails used about it. | 11 | 3 | ||||
| To 1 doz. Canary | 1 | 10 | ||||
| To pd Thos Collins his Wages to May 11 | 3 | |||||
| To 2 doz & 8 bottles Claret | 2 | 8 | ||||
| To 3 Cows & Calves & 1 featherbed | 11 | |||||
| To 1 [?] Chints | 18 | |||||
| To 21½ yds colld blew at 2.6 | 2 | 13 | 1 | ½ | ||
| To 15 yds course Check at 16d | 1 | |||||
| To 12 yds best Do | 18 | |||||
| To Account Rum &c. to this day | 2 | 10 | ||||
| To Wheat Corn fowls &c. | 3 | 2 | 3 | |||
| To sundrys of Mc farlane as pr Acct | 5 | 11 | 1 | ½ | ||
| To sundrys of Alexr Buncle as pr Do | 15 | 17 | 9 | ½ | ||
| To 7½ yds yd wd Check @ 2/ to Wm Dunn | 15 | |||||
| To 2½ yds brown linnen @ 10d to Do | 2 | 1 | ||||
| To pd Mrs Bourne for sundrys | 5 | |||||
| To pd for a Coffin & digging ye Child’s grave | 1 | 5 | ||||
| To sundry Expences for fowls &c. | 17 | 4 | ||||
| To John Chinn’s Acct ferrages &c. for going to Wmsburgh | 2 | 5 | 6 | |||
| To 2 pr Andirons 2 Trunks &c. | 2 | 7 | 6 | |||
| To 2 dishes & 4¾ yds India Persian | 1 | 13 | 1 | ½ | ||
| To 1 pr Shooes & buckles; | 6 | |||||
| To Cash to Bates to go for my horse | 7 | 2 | ||||
| To Do lost at Race & gave Scarlett Handcock | 2 | 12 | ||||
| To Cash for Exps | 3 | 9 | ||||
| To John Barber for going to Gloucester | 11 | 6 | ||||
| To gave Wm Johnson | 7 | ½ | ||||
| To paid for Apples | 6 | |||||
| To paid Eliza Rowsey Wages | 6 | 9 | ||||
| To 5 galls Rum | 1 | 5 | ||||
| To sundrys bought of Thomas Hudson as by his account | 12 | 6 | 10 | |||
| [Pg 189]To 1 yd princes Linnen Wm Johnson | 1 | 3 | ||||
| To Cash for ½ doz. Spoons &c. | 4 | 10 | ½ | |||
| To Do for Exps on a Journey to Wmsburgh | 1 | 19 | 3 | ½ | ||
| To Mosley Battaley’s Acct for his fee for 1726 | 2 | 10 | ||||
| To allowed him for extraordinary service | 4 | 15 | 1 | |||
| To Peter Whitings Account | ||||||
| Palms & Sail Needles | 2 | 6 | ||||
| 56l Cordage | 1 | 8 | 3 | |||
| To Chas McClelland’s Account for sundrys | ||||||
| Going to Colo Mason’s for Eliz Rowsey | 10 | |||||
| Going to York & sundrys | 1 | 5 | 6 | |||
| Going to Nicho Smith’s | 10 | |||||
| To Robt Spotswood’s Account for sundrys | 1 | 10 | ||||
| To Geo. Rust’s Acct for 1 Ironpot | 5 | |||||
| To John Dagge’s Acct of sundrys | ||||||
| 1 Oven | 17 | 6 | ||||
| Bringing over 10 Sheep from Sumnrs | 5 | |||||
| To John Randolph’s Acct for Lawyers fees | 4 | 2 | ||||
| To Esme Stewart’s Do for Toys | 2 | |||||
| To George Walker Do for Law Charges | 4 | 15 | 5 | |||
| To 2 Galls Rum of Simon Peirson | 10 | |||||
| To John Maulpus’s Acct for 2 barls Corn | 1 | 1 | ||||
| To Thomas Hudson’s Do for 2 barls Do | 15 | |||||
| To Joshua Davis’s Do for paid Thomas Jefferies for a Gun | 2 | |||||
| To Mr Graeme’s Acct for sundry books | 2 | 9 | 3 | |||
| To Jno Quarles’s Do for 1 pr sml Stilliards | 7 | 6 | ||||
| To Hen Woodcock’s Do for Ferrages | 9 | |||||
| To Harry Beverley’s Do for Lawyer’s fees | 4 | 2 | ||||
| To Robt Wills’s Acct for sundrys | 18 | 8 | ||||
| To Rose Dinwiddie’s Acct for 1 pr mens yarn hose & 2 bushls Wheat | 7 | 6 | ||||
| To Peter Hedgman’s Do for sundrys | 2 | 2 | 7 | |||
| To Mary Fitzhugh’s Do for 8 busls Wheat | 9 | |||||
| To Lazarus Pepper’s Do for Quitrent of 187 Acres of Land | 4 | 6 | ||||
| To Quitrents of 2087 Acres of Land for the year 1725 | 2 | 8 | ||||
| To Cash Account for sundrys | 11 | 8 | ||||
| To Rawleigh Chinn’s Acct for sundrys | 0 | 0 | 0 | |||
| Keeping my horse for a Race | 15 | |||||
| 1½ 2 barrl Corn | 15 | |||||
| 1 Shoat 18 Fodder 17d 5 Geese 7/6 | 10 | 5 | ||||
| 4 days hire Moll | 1 | 3 | ||||
| Dressing Deerskins for Will Dunn | 4 | |||||
| Plowing & fencing my Garden | 1 | 4 | ||||
| A Gun | 18 | |||||
| To Alexandr Mcfarlane’s Acct | ||||||
| A Caddow & 1 pr blankets | 16 | |||||
| 1 woms horsewhip | 6 | |||||
| 1£ Gunpowder & 10£ Shot | 5 | 10 | ||||
| 1 womans bound felt | 4 | 6 | ||||
| To 12l Gunpowder & 20l Shot | 2 | |||||
| To Henry Floyd’s Acct for 5 pecks Corn | 2 | 6 | ||||
| To Jas Whalley’s Do for 7 fowls | 3 | |||||
| To Jas Horsenaile’s Do for sundrys | 1 | 19 | 9 | |||
| To John Holdbrook’s Acct for taylor’s work | 2 | 11 | 6 | |||
| To John Tinsley’s Acct for Fodder & tallow | 14 | |||||
| To Hugh French’s Acct for a Servt woman | 12 | |||||
| To Dr Roy for a visit & medicines my Child | 12 | 6 | ||||
| To Edwd Snoxall’s Acct for 1 bushl hommonybeans | 4 | |||||
| To Edwd Simm’s Acct for sundrys | 6 | 11 | 11 | |||
| [Pg 190]To Ralph Falconer’s Do for Do | 1 | 10 | ||||
| To Thos Eves for fowls | 4 | 6 | ||||
| To 1 olives | 5 | |||||
| To 1 pair mens Shooes Wm Dunn | 5 | |||||
| To 3 Ells Dowlass Do | 5 | 6 | ||||
| To 1½ bushl Corn | 3 | |||||
| To 3¾ yds Check for finding my Saddle | 5 | |||||
| To 10 yds fustian 2/6 | 1 | 5 | ||||
| To 5¼ doz Coat Buttons 10d | 4 | 2 | ||||
| To 3 hanks silk & 2 hanks mohair | 3 | 2 | ||||
| To 4 Soosey handkerchiefs [Note 9] | 12 | |||||
| To 12 yds Check & 1 pr mens gloves | 4 | |||||
| To 2 yds Wadding | 1 | 6 | ||||
| To 6¼ bushls Corn | 13 | |||||
| To 2¾ bushls pease | 11 | |||||
| To 2 bushls potatoes | 4 | |||||
| £285 | 2 | 3 | ¼ | |||
GLOSSARY
1. “Mountain: 5. (In full mountain wine). A variety of Malaga wine, made from grapes grown on the mountains.”—A New English Dictionary on Historical Principles, Sir James A. H. Murray, ed., vol. 6 (Oxford, 1908), p. 711.
2. “Romal: 1. A silk or cotton square or handkerchief, sometimes used as a head-dress; a thin silk or cotton fabric with a handkerchief pattern.”—Ibid., vol. 8, pt. 1 (Oxford, 1910), p. 764.
3. “Kenting: A kind of fine linen cloth.”—Ibid., vol. 5, (Oxford, 1901), p. 673.
4. “Filleting: 2. a. A woven material for binding; tape; a piece of the same; a band or bandage.”—Ibid., vol. 4 (Oxford, 1901), p. 217.
5. “Caddow: A rough woolen covering ... 1880. Antrim & Down Gloss. (E. D. S.) Cadda, Caddaw, a quilt or coverlet, a cloak or cover; a small cloth which lies on a horse’s back.”—Ibid., vol. 2 (Oxford, 1893), p. 13.
6. Patterdashers. Probably the same as “spatter-dash. A legging or gaiter extending to the knee, worn as a protection from water and mud.” Webster’s New International Dictionary of the English Language, second ed., unabridged; Springfield, Mass., G. & C. Merriam Co., 1958.
7. Ferreting. Same as “Ferret. 2. A stout tape most commonly made of cotton, but also of silk; then known as Italian ferret.” Murray, op. cit., (no. 1) vol. 4 (Oxford, 1901), p. 165.
8. “Cantoloon. Obs. A wollen stuff manufactured in the 18th c. in the west of England.” Ibid., vol. 2: (Oxford, 1893), p. 79.
9. “Soosy ... 1858. Simmond’s Dictionary of Trade. Soocey, a mixed striped fabric of silk and cotton in India.”—Ibid., vol. 9. pt. 1 (Oxford, 1919), p. 428.
[From Ledger B]
| Mr. John Graeme | ||||||
| 1726 | By sundry Book bod of him belongs to the Honble Colo Spotswood. Viz. | |||||
| The History of England | 3 vols | £4. | 2 | |||
| Clarendon’s History | 6 vols | 2. | 2 | |||
| Tillotson’s Works | 15 vol | 5. | 15 | |||
| Plutarch’s Lives | 5 vol | 1. | 10 | |||
| Dryden’s Virgil | 3 vol | 17. | 6 | |||
| Cowley’s Works | 2 vol | 13. | ||||
| Milton’s Paradise Lost | 6. | 6 | ||||
| Secret Memories | 7. | 7 | ||||
| Chamberlayne’s State of England | 6. | 6 | ||||
| Wilkin’s Mathematical Works | 5. | 6 | ||||
| Petronius | 5. | |||||
| Tilly’s Orations | 5. | 6 | ||||
| †Bible | 4 | |||||
| Hudibras | 2 vol | 5. | 3 | |||
| Callipoedia | 2. | |||||
| Dunster’s Horace | 6. | |||||
| De Gennes Voyage | 3. | |||||
| Banquet of Xenophon | 3. | |||||
| Congreve’s Plays | 4. | |||||
| Lock’s Essays | 12. | |||||
| Evelyn’s Gardening | 1. | |||||
| †Littleton’s Dictionary | 1. | |||||
| †Present State of Russia | 1. | |||||
| †Sedley’s Works | 1. | |||||
| †New Voyages | 1. | |||||
| †New Travels | 1. | |||||
| †Cole’s Dictionary | 1. | |||||
| [All except those marked by † are listed as returned on the debit side] | ||||||
| Law Books Bought of Mat Stotham | ||||||
| May 1732 | Salkeld’s Reports | 1. | 18. | |||
| Ventris’s Reports | 1. | 15. | ||||
| Jacob’s Law Dictionary | 1. | 8. | ||||
| Maxims of Equity | 10. | |||||
| Cursus Cancellaris | 6. | |||||
| Hearn’s Pleader | 1. | 5. | ||||
| Lilly’s Practical Register | 2 vol | 14. | ||||
| Treatise of Trespasses | 6. | |||||
| Laws of Evidence | 8. | |||||
| Laws of Ejectments | 8. | |||||
| The 5 last extraordinary scarce | ||||||
| [Pg 192]Account of Books lent & to whom | (1730) | ||
| History of the Netherlands | Jno Savage | ||
| July | 13 | Coles’s Dictionary | |
| History of the Royal Society | Colo Fitzhugh | ||
| Rochesters Works | Andrew Forbes | ||
| Evelyn’s Sylva | Ralph Falkner | ||
| Woods Institutes 1st Vol. | Parson Rose | ||
| Mathesis Juvenilia | Edmund Bagge | ||
| Ozenam’s Mathem. Recreations | Edmund Bagge | ||
| Cockers Arithmetick | Robert Jones | ||
| 30 | Mariners Compass rectified Mr Savage | ||
| Travels thro’ Italy &c. Capt Hedgman | |||
| Daltons Justice Do | |||
| A Catalogue of the Books bought March 1730 of Mr Robt Beverley | ||||
| Coke’s Reports temp Eliza Reg | 1. | 10 | ||
| Dalton’s Officium Vicecomitum | 1. | |||
| Coke upon Littleton | 1. | |||
| Cokes 2d, 3d & 4th Institutes | 2. | 4 | ||
| Cooks Reports | 1. | |||
| Laws of Virginia folo printed two | 1. | 4 | ||
| Compleat Clerk | 12. | |||
| Swinburne [18th-century author] | 12. | |||
| Laws of the Sea | 14. | |||
| Godolphin’s Orphans Legacy | 9. | |||
| Symboleography | 14. | |||
| Sheppards Grand Abridgment | 1. | 10. | ||
| Three Sets of Wingates Abridgmt of Statutes | 15. | |||
| Instructor Clericalis in 7 parts | 1. | 15. | ||
| Woods Institutes 2 vol 8vo | 12. | |||
| Placita Generalia | 5. | |||
| Tryals per pair | 5. | |||
| Practical Register | 6. | |||
| Law of Obligations & Conditions | 3. | 6 | ||
| Reads Declarations | 4. | |||
| Clerks Tutor | 6. | |||
| Prasca Cancellaria | 6. | |||
| Fitzherberts new Naturabrevium | 6. | |||
| Brownlows Declarations | 6. | |||
| Clerks Guide | 3. | 6 | ||
| Melloy de Jure maritime | 6. | |||
| Grounds of the Law | 3. | |||
| Compleat Attorney | 5. | |||
| Terms of the Law | 5. | |||
| Finch’s Law | 3. | |||
| Doctor & Student | 3. | |||
| Greenwood of Courts | 3. | 6 | ||
| Law of Conveyances | 3. | |||
| Practice of Chancery | 5. | |||
| English Liberties | 2. | |||
| Reports in Chancery | 3. | |||
| Meriton | 3. | |||
| Exact Constable | 1. | |||
| Littletons Tenures | 2. | |||
| Written Laws of Virginia | 25. | |||
| £46. | 7. | 6 | ||
March ye 4th 1730, I promise to deliver the above mentioned books being fifty two in number to Mr John Mercer or his Order on demand.
Witness my hand the day & year abovewritten.
Robt. Beverley
Test John ChewCopy
[From Ledger B. Nathaniel Chapman was Superintendent of the Accokeek Iron Works.]
| 1731 | ||||||||
| Sep | 9 | By Balla. brot. from fol 36 | £ . | 2. | 4 | |||
| By 500 2d Nails | @ 2/5 p m. | 2. | 5 | |||||
| By 500 3d Do | 3/ | 3. | ||||||
| By 1m 4d Do | 4/ | 4. | ||||||
| By 6m 6d Do | 5/ | 10. | ||||||
| By 4m 8d Do | 7/9 | 1. | 11. | |||||
| By 4m 10d Do | 9/6 | 1. | 18. | |||||
| By 8m 12d Do | 12/ | 1. | 16. | |||||
| By 2m 20d Do | 14/ | 1. | 8. | |||||
| By 1 handsaw file | 5d | .5 | ||||||
| By 1 pr mens wood heel shooes | 6/6 | 6. | 6 | |||||
| By 1 half Curb bridle | 6/ | 6. | ||||||
| By 1 halter | 2/4 | 2. | 4 | |||||
| By 1 boys hat | 2/ | 2. | ||||||
| 25 | By 1 colld thread | 3/ | 3. | |||||
| Oct | 29 | By 16 1½ 20d Nailes | 2000 20d @ 13/ | 1. | 6. | |||
| By 27 1½ 24d Do | 2000 20d @ 13/ | 1. | 6. | |||||
| By 2m 8d Do | 7/9 | 15. | 6 | |||||
| By 4m 10d Do | 9/6 | 1. | 16. | |||||
| By 5m 12d Do | 12/ | 3. | ||||||
| January | 1 | By 1 pr girls Shooes | ||||||
| By 4yds Cotton | 2/4 | 9. | 4 | |||||
| By 1 double Girth | 2/ | 2. | ||||||
| By 1 Garden hoe | ||||||||
| By 2½ yds Kersey | 4/1½ | 10. | 3 | ¾ | ||||
| By 1½ yds Shalloone | 1/9 | 2. | 7 | ½ | ||||
| By my Ordr in favour of Wm Holdbrook | 4. | 1. | 3 | ½ | ||||
| By 2 hanks sowing Silk 9d | 1. | 6 | ||||||
| By Cash overpaid | 1. | 2 | ||||||
| By 1½ yd Garlix No 24 | 2. | 5 | ||||||
| 10 | By 1 Iron pot gt 36l½ at 4d | 12. | 2 | |||||
| By 1 bushel Salt | 2. | 6 | ||||||
| By 1 new Axe | 5. | |||||||
| By 1 pr pothooks & wedges 16l½ at 8d | 11. | |||||||
| Feb. | 7 | By 1 plough & Swingle tree fitted of wth Iron | 9. | 6 | ||||
| By 5 narrow hoes | 12. | 6 | ||||||
| By 2 grubbing hoes 10l½ at 8d | 7. | |||||||
| By 1 Ironwedge 4l½ at 8d | 3. | |||||||
| By 2 new horse Collars | 8. | |||||||
| By 2 pr Hames & Ironwork | 1. | 6 | ||||||
| By 2 pr Iron traces gt 19lb at 8d | 12. | 8 | ||||||
| By Iron door Latch | 9 | |||||||
| By 1 Ironrake | 1. | 6 | ||||||
| By 2 Heaters | ||||||||
| By putting a leg in an old Iron pott | ||||||||
| Mar | By 17½ double refin’d Sugar @ 16d | 1. | 3. | |||||
| By 100l Sugar 35/& 3 galls Rum 7/6 | 2. | 2. | 6 | |||||
| £28. | 15. | 8 | ¾ | |||||
[From Ledger B]
| Overwharton Parish | Dr. | Contra | |||||||
| 1730 | 1730 | ||||||||
| March | To a Book to keep the Parish Register | £1. | 11. | March 15 | By Wm Holdbrook’s fine for Adultery | £5. | |||
| To drawing Bonds between Blackburn & the Churchwardens abt building& the building the Church | 1. | ||||||||
| By Ebenezer Moss’s for swearing & Sabbath breaking | 1. | 15. | |||||||
| To fee v Moss | 11. | 8 | By Edward Franklyn’s for swearing when reced | 3. | |||||
| Ballenger | |||||||||
| Cabnet | £9. | 15. | |||||||
| 15 | To 1/3 Wm Holdbrooks’s fine | 1. | 13. | 4 | |||||
| To 1/3 Eliza Bear’s Do | |||||||||
| To fee v Franklyn | 1. | ||||||||
| To paid Burr Harrison by Ordo Vestry | 2. | 10. | |||||||
| £8. | 11 | ||||||||
| Balla | £1. | 4 | |||||||
| £9. | 15 | ||||||||
| 1732 | 1732 | ||||||||
| April | To fee v Coulter | £ | .15. | March 25 | By Balla | 1. | 4 | ||
| By Eliza Ballengers fine for a bastard | |||||||||
| By Alice Jefferies’ Do | |||||||||
| By Ann Holt’s Do | |||||||||
[From Ledger G]
| William Hunter | Merchant | Fredericksburg |
| Jonathan Foward | Merchant | London |
| William Stevenson | Merchant | London |
| Robert Rae | Merchant | Falmouth |
| Robert Tucker | Merchant | Norfolk |
| David Minitree | Bricklayer | [Williamsburg] |
| Thomas Ross | Merchant | Alexandria |
| William Monday | Carpenter | |
| Abraham Basnett | Oysterman | |
| John Booth | Weaver | |
| John Pagan | Merchant | Fairfax |
| John Grigsby | Smith | Stafford |
| Francis Hogans | Wheelwright | Caroline |
| Doctor Spencer | [Physician] | Fredericksburg |
| William Threlkeld | Weaver | |
| Elliott Benger | Loftmaster Gen’l. | |
| William Brownley | Joiner | |
| [Bromley] | ||
| Andrew Beaty | Joiner | |
| George Wythe | Attorney-at-Law | Williamsburg |
| William Jackson | Wheelwright | Stafford |
| James Griffin | Carpenter | |
| William Thomson | Tailor | Fredericksburg |
| Jacob Williams | Plasterer | |
| Joseph Burges | Plasterer | |
| Henry Threlkeld | Merchant | Quantico |
| Cavan Dulany | Attorney-at-law | [Prince William?] |
| Peter Murphy | Sawyer | |
| John Fitzpatrick | Weaver | |
| Cuthbert Sandys | Merchant | Fredericksburg |
| Henry Mitchell | Merchant | Occaquan |
| John Harnett | Ship Carpenter | Nanjemoy |
| John Graham | Merchant | Essex |
| Fielding Lewis | Merchant | Fredericksburg |
| Robert Duncanson | Merchant | Fredericksburg |
| John Fox | Smith | Fredericksburg |
| Robert Gilchrist | Merchant | Port Royal |
| Robert Jones | Attorney-at-Law | Surrey |
| [Jonathan] Sydenham | ||
| & Hodgson | Merchants | King George |
| Watson & Cairnes | Merchants | Nansemond |
| William Prentis | Merchant | Williamsburg |
| William Mills | Weaver | Stafford |
| Thomas Barry | Bricklayer | |
| Edward Powers | Shoemaker | Caroline |
| Clement Rice | Shoemaker | King George |
| William Ramsay | Merchant | Fairfax |
| Andrew Sproul | Merchant | Norfolk |
| Richard Savage | Merchant | Falmouth |
| Charles Dick | Merchant | Fredericksburg |
| William Miller | Horse Jockey | Augusta |
| Charles Jones | Tailor | Williamsburg |
| Peter Scott | Joiner | Williamsburg |
| William Copen | Mason | Prince William |
| [Copein] | ||
| John Blacke | Gardener | Marlborough |
| Richard Gamble | Barber | Williamsburg |
| Launcelot Walker | Merchant | |
| John Rider | Waterman | Maryland |
| John Proby | Pilot | Hampton |
| John Hyndman | Merchant | Williamsburg |
| James Craig | Jeweler | Williamsburg |
| Robert Crichton | Merchant | Williamsburg |
| John Simpson | Wheelwright | Fredericksburg |
| George Charleton | Tailor | Williamsburg |
| Hugh MacLane | Tailor | Stafford |
| William Kelly | Attorney | Prince William |
| Walter Darcy | Harnessmaker | |
| John Carlyle | Merchant | Fairfax |
| ‑‑‑‑‑ Kirby | Mason | King George |
Alphabetical Summary of Materials listed in Ledger G in Mercer’s accounts with William Hunter and Charles Dick, merchants of Fredericksburg. Definitions are based on information in A New Oxford Dictionary, Webster’s New International Dictionary (second edition, unabridged), Every Day Life in the Massachusetts Bay Colony, by George F. Dow (Boston, 1935), and a series of articles by Hazel E. Cummin in Antiques: vol. 38, pp. 23-25, 111-112; vol. 39, pp. 182-184; vol. 40, pp. 153-154, 309-312.
Allapine: A mixed stuff of wool and silk, or mohair and cotton.
Bombays: Raw cotton.
Bombazine: A twilled or corded dress material of silk and worsted, sometimes also of cotton and worsted, or of worsted alone. In black, used for mourning.
Broadcloth: A fine, smooth woolen cloth of double width.
Buckram: A kind of coarse linen or cotton fabric, stiffened with gum or paste. Murray quotes Berkeley, Alicphr ... (1832), “One of our ladies ... stiffened with hoops and whalebone and buckram.”
Calamanco: A light-weight material of wool or mohair and wool, sometimes figured or striped, sometimes dyed in clear, bright colors, and calendered to a silky gloss to resemble satin.
Calico: Murray defers to Chambers’ Cyclopaedia definition (1753): “An Indian stuff made of cotton, sometimes stained with gay and beautiful colours ... Calicoes are of divers kinds, plain, printed, painted, stain’d, dyed, chints, muslins, and the like.” It is not to be confused with the modern material of the same name.
Cambric: A fine white linen or cotton fabric, much used for handkerchiefs and shirts, originally made at Cambray in Flanders.
Camlet: A class of fine-grained material of worsted or mohair and silk, sometimes figured, sometimes “watered.” Moreen is one of its subtypes.
Check: Any checked, woven or printed, material.
Duffel: A woven cloth with a thick nap, synonymous with shag. Made originally at Duffel, near Antwerp. In a passage quoted by Murray, Defoe (A Tour of Great Britain) mentions its manufacture at Witney, “a Yard and three quarters wide, which are carried to New England and Virginia.”
Frieze: A coarse woolen cloth with a nap on one side.
Garlix: Linen made in Gorlitz, Silesia, in several shades of blue-white and brown.
Holland: A linen material, sometimes glazed, first made in Holland.
Kersey (often spelled “Cresoy” by Mercer): A coarse, long-fiber woolen cloth, usually ribbed, used for stockings, caps, etc.
Shalloon: A closely woven woolen material used for linings.
Prunella: A stout, smooth material, used for clergymen’s gowns, and later for the uppers of women’s shoes.
Tammy: A plain-woven worsted material, with open weave. Used plain, it served for flour bolts, soup and milk strainers, and sieves. Dyed and glazed, and sometimes quilted, it was used for curtains, petticoat linings, and coverlets.
Tartan: Woolen cloth woven in Scotch plaids.
In addition to these fabrics, there are listed “China Taffety,” “Silvr Vellum,” “worsted,” “Pomerania Linnen,” “Russia Bedtick,” “Irish linnen,” “1 yd. India Persian,” “worsted Damask,” “Mechlin lace” (a costly Belgian pillow lace, of which Mercer purchased nine yards of “No. 3” at five shillings, and eight yards of “No 4” at six shillings), “sprig Linnen,” and “6 silk laces at 4½.”
For trimming and finishing, one finds white thread, black thread, nun’s thread, brown thread, blue thread, red thread, colored thread (all bought by the pound), gingham and hair buttons, “gold gimp ribband,” “pair Womens buckles,” fringe, coat buttons, vest buttons, scarlet buttons, silver coat buttons, shirt buttons, “mettle” vest buttons, “fine” shirt buttons, “course” shirt buttons, “Card sleeve buttons,” silver sleeve buttons, and cording. There were several purchases of haircloth, used principally in stiffening lapels and other parts of men’s clothing, but used also for towels, tents, and for drying malt and hops.
[From Ledger G]
| Son’s Maintenance at Williamsburg, Dr. | ||||||||
| 1750 | ||||||||
| April 5 | To Cash | £ 1. | 7. | 6 | ||||
| To Do pd Mr. Robinson for Entrance | £4. | 12. | ||||||
| Mr. Graeme Do | 4. | 12. | ||||||
| Mr. Preston Do | 4. | 6. | 8 | |||||
| Mr. Davenport Do | 1. | 12. | 6 | |||||
| Housekeeper | 3. | 10. | ||||||
| for Candles | 15. | 10 | ||||||
| for Pocket money | 3. | 6. | 4 | 22. | 15. | 4 | ||
| To Cash pd for Lottery Tickets | 7. | 10. | 6 | |||||
| To Do pd for washing | 1. | 1. | ||||||
| To Mr Dering for Board | 5. | |||||||
| To Peter Scott for mending a Table | 2. | 6 | ||||||
| To Housekeeping at Williamsburg for sundrys Viz | ||||||||
| A Featherbed & furniture | £8. | |||||||
| A Desk | 1. | 1. | 6 | |||||
| An oval Table | 1. | 1. | ||||||
| 3 Chairs 7/ | 1. | 1. | 11. | 3. | 6 | |||
| July | To General Charges for sundrys Viz | |||||||
| To Cash pd Mr Preston as advanced for George | £2. | 3 | ||||||
| to George | 2. | 3 | ||||||
| to the Usher | 1. | 11. | 3 | 5. | 17. | 3 | ||
| August | To Cash pd the Nurse attending Jno & Jas | £2. | 3. | |||||
| to John & James | 1. | 1. | 6 | 3. | 4. | 6 | ||
| To Wm Thomson for Taylors work | 3. | 10. | 6 | |||||
| Septembr | To Cash to George | 1. | 1. | 6 | ||||
| October | To Do to Do to John James & Nurse | 6. | 9. | |||||
| To John Holt for sundrys | 4. | 5. | 7½ | |||||
| To James Cocke for Do | 1. | 15. | 9 | |||||
| To Covington the dancing master | 2. | 3. | ||||||
| To James Power for Cash to George | 2. | 3 | ||||||
| To William Prentis for sundrys | 18. | 1. | 3½ | |||||
| To Richd Gamble for two wigs & shaving | 5. | 7. | 3 | |||||
| To Books for sundrys | 22. | 4. | 7½ | |||||
| To Wm Thomson for Taylors work | 1. | 9. | 6 | |||||
| £126. | 13. | 1½ | ||||||
[From Ledger G]
“The prices are the first Cost in Sterling money exclusive of Commission, Shipping or other Charges.”
| Sterling | |||||
| LAW BOOKS | |||||
| Abridgments | |||||
| Cases in Equity abridged | £ | 18. | |||
| Danvers’s Abridgment 3 vol | 3. | 10. | |||
| Viner’s Abridgment 6 vol | 8. | 8. | |||
| Davenport’s Abridgmt of Coke on Littleton | 2. | ||||
| Hughes’s Abridgmt 2 vol | 10. | ||||
| Ireland’s Abridgmt of Dyer’s Reports | 2. | ||||
| Rolle’s Abridgmt interleaved 2 vol | 5. | ||||
| Salmon’s Abridgmt of the State trials | 1. | 15. | |||
| Statutes abridged by Cay 2 vol | 2. | 10. | |||
| State trials abridged 1 vol | 5. | 6 | |||
| Virginia Laws Abridged | 8. | ||||
| Conveyancing | |||||
| Ars Clericalis 1 vol | 4. | 6 | |||
| Compleat Conveyancer | 5. | ||||
| Clerk’s Guide | 5. | ||||
| Clerk & Scriveners Guide | 8. | ||||
| Herne’s Law of Conveyances | 2. | ||||
| Lawyer’s Library | 3. | 6 | |||
| West’s Symboleography | 5. | ||||
| Courts & Courtkeeping | |||||
| Attorneys Practise in C B | 6. | ||||
| Attorney’s Practise in B R 2 vol | 12. | ||||
| Coke’s Institutes 4th Part | 15. | ||||
| RK | Crown Circuit Companion | 6. | |||
| History of the Chancery | 2. | 6 | |||
| AR | Practise in Chancery 2 vol | 7. | |||
| Practick Part of the Law | 6. | ||||
| GI | Rules of Practise commonplaced | 4. | |||
| Practise of Chancery 1672 | 1. | 6 | |||
| AR | Harrison’s Chancery Practiser | 6. | |||
| Crown | |||||
| Coke’s Institutes 3rd Part | 15. | ||||
| Hale’s History of the Pleas of the Crown 2 vol/ | 2. | 10. | |||
| Hawkins Pleas of the Crown | 1. | 10. | |||
| Hale’s Continuation of the Crown Laws | 2. | 6 | |||
| Sutton de Pace Regis | 5. | ||||
| Dictionaries | |||||
| Consell’s Interpreter | 10. | ||||
| Jacobus’s Law Dictionary | 1. | 8. | |||
| Law French Dictionary | 6. | ||||
| RI | Students Law Dictionary | 5. | |||
| AR | Term’s de la Loy | 5. | |||
| Entries | |||||
| Aston’s | 3. | ||||
| TA | Brown Lows’ Declarations | 12. | |||
| AR | Bohun’s Declarations | 6. | |||
| Brown’s modus intrandi, 2 vol | 12. | ||||
| Clift’s | 1. | 10. | |||
| Coke’s | 1. | 1. | |||
| Lilly’s | 1. | 5. | |||
| Mallory’s Quarer Impedit | 17. | ||||
| Placila generalia & specialia | 3. | ||||
| Rastallo | 1. | 1. | |||
| Robinson’s | 10. | ||||
| Read’s Declarations | 3. | ||||
| Vidiano | 10. | ||||
| Thompson’s | 1. | ||||
| Justices of Peace | |||||
| Justicio vade mecum | 2. | ||||
| Keble’s Assistant to Justices | 5. | ||||
| Manual for Justices 1641 | 2. | ||||
| Maxims | |||||
| Doctor & Student | 3. | 6 | |||
| Finch’s Law | 4. | ||||
| Francis’s Maxims of Equity | 8. | ||||
| Hale’s History & Analysis of the Laws | 6. | ||||
| Hale’s Hereditary Descants | 1. | 6 | |||
| Hawks’s Grounds of the Laws of England | 3. | ||||
| Perkins’s Laws | 2. | 6 | |||
| Treatise of Equity | 8. | 6 | |||
| Woods Institutes of the Laws of England | 1. | 5. | |||
| Miscellanies | |||||
| Booth’s Real Actions | 8. | ||||
| GI | Baron & ferne | 6. | |||
| Billinghurst of Bankrupts | 1. | 6 | |||
| Britton | 5. | ||||
| Brown of fines & Recoveries | 5. | ||||
| Coke’s Institutes. Comments on Littleton Part 2 | 3. | ||||
| GI | Cane’s English Liberties | 2. | |||
| GI | Curson’s Laws of Estates tail | 4. | 6 | ||
| Domat’s Civil Law 2 vol | 2. | 10. | |||
| [Pg 199]Dugdale’s Origine’s Judiciales | 2. | ||||
| Duncomb’s Trials perpais | 6. | ||||
| Ejectments, Law of | 5. | ||||
| GI | Errors, Law of | 6. | |||
| GI | Everyman his own Lawyer | 5. | |||
| Evidence, Laws of | 6. | ||||
| GI | Jacoba’s Lex Mercatoria | 5. | |||
| GI | Jus or Law of Masters & Servants | 3. | |||
| Landlord’s Laws | 3. | ||||
| GI | Law Quibbles | 4. | 6 | ||
| Laws of Liberty & Property | 2. | ||||
| March’s Actions for Slander & Arbitrations | 4. | ||||
| Molloy de jura maritimi & navali | 7. | ||||
| GI | Obligations Laws of | 5. | |||
| Sea Laws | 12. | ||||
| GI | Treatise of Trover & Conversion | 2. | |||
| GI | Trespasses (Law of) Vi & armis | 6. | |||
| Virginia Laws Purvis’s | 12. | ||||
| Virginia Laws by Parks 2 Vol | 2. | ||||
| Uses & Trials (Law of) | 6. | ||||
| GI | Usury (Law of) | 2. | 6 | ||
| Freeholders Companion | 5. | ||||
| Turnbull’s System of the Civil Law 2 vol | 12. | ||||
| Jacobs’s Collection of Steads for commonplaces | 1. | 6 | |||
| Chronica Iuridicialia abridged | 4. | ||||
| Naval Trade 2 vol. | 10. | ||||
| GI | Law & Lawyers laid open | 2. | 6 | ||
| Freeholders Companion | 5. | ||||
| Law of Devises & Revocations | 3. | 6 | |||
| Piffendorf’s Law of Nature & Nations | 1. | 8. | |||
| Views of Civil & Ecclesiastical Law | 2. | 6 | |||
| Study & Body of the Law | 3. | ||||
| Treatise of Bills of Exchange | 2. | 6 | |||
| Parliament | |||||
| Cases in Parliament | 16. | ||||
| Hunt’s Postscript | 4. | ||||
| Readings | |||||
| Alleyne’s | 9. | ||||
| Anderson’s | 1. | 15. | |||
| Barnardiston’s | 1. | 1. | |||
| Bentses & Dalison’s | 10. | ||||
| Bridgman’s | 18. | ||||
| Bulstrode’s | 4. | 4. | |||
| Brownlow’s & Goldenborough’s | 7. | ||||
| Carter’s | 8. | ||||
| Carthero’s | 1. | 2. | |||
| Cases in Chancery 3 Pts | 1. | 10. | |||
| Cases in B R & B C from 2d Wm 12 Mod | 1. | 10. | |||
| Cases in Law & Equity by Macclesfield 10 Mod | 1. | 4. | |||
| Coke’s 11 Parts | 15. | ||||
| 12 & 13 Parts | 7. | ||||
| Comberbach’s | 17. | ||||
| Croke’s 3 vol | 2. | 12. | 6 | ||
| Cary’s | 3. | ||||
| Clayton’s | 3. | 6 | |||
| Davis’s | 11. | ||||
| Dyer’s | 1. | 11. | 6 | ||
| Farraday’s 7 Mod | 9. | ||||
| FitzGibbons’s | 14. | ||||
| Gilbert’s Repts in Equity & Excheqr | 15. | ||||
| Godbolt’s | 1. | 1. | |||
| Hardres’s | 2. | 10. | |||
| Hetley’s | 10. | ||||
| Hobart’s | 16. | ||||
| Holt’s | 1. | 10. | |||
| Hutton’s | 13. | ||||
| Jenkins’s Centuries | 16. | ||||
| Jones’s (Dr. Wm.) | 2. | 5. | |||
| Jones’s (Thos.) | 15. | ||||
| Keble’s 3 vol | 1. | 15. | |||
| Keilway’s | 14. | ||||
| Keylings | 9. | ||||
| Lane’s | 16. | ||||
| Latch’s | 8. | ||||
| Leonard’s | 4. | 4. | |||
| Loving’s 3 Parts 2 vol | 2. | ||||
| Ley’s | 7. | ||||
| Lilly’s | 9. | ||||
| Littleton’s | 11. | ||||
| Lutneyche’s 2 vol | 4. | 4. | |||
| Modern Cases in Law & Equity 8 & 9 Mod | 1. | 4. | |||
| Modern Reports 6 vol | 5. | 5. | |||
| Moore’s | 18. | ||||
| Marsh’s | 3. | ||||
| Noy’s | 16. | ||||
| Owens | 16. | ||||
| Palmer’s | 12. | ||||
| Plowden’s | 2. | 5. | |||
| Pollersten’s | 2. | 2. | |||
| Popham’s | 14. | ||||
| Precedents in Chancery | 1. | 5. | |||
| Raymond’s (Dr. Thos.) | 2. | 10. | |||
| Reports in Chancery in Finch’s time | 16. | ||||
| Rolles’ Reports | 2. | 10. | |||
| Reports in Chancery 4 vol | 15. | ||||
| Salkeld’s 3 vol | 2. | 16. | |||
| Savile’s | 6. | ||||
| Saunders’s | 1. | 7. | 6 | ||
| Sherver’s 2 vol | 2. | ||||
| Select Cases in Can S. in Ld. King’s time | 8. | ||||
| Siderfin’s | 2. | ||||
| [Pg 200]Skinner’s | 1. | 10. | |||
| Styles’s | 1. | 10. | |||
| Talbot’s Cases in Equity | 15. | ||||
| Tothill’s Transactions in Chancery | 1. | 6 | |||
| Vaughan’s | 2. | 10. | |||
| Ventris’s | 1. | 15. | |||
| Vernon’s 2 vol | 2. | 5. | |||
| Wynch’s | 16. | ||||
| William’s 2 vol | 2. | 16. | |||
| Year Books 9 vol | 3. | 7. | 6 | ||
| Yelverton’s | 5. | ||||
| Zouch’s Cases in the Civil Law; | 2. | 6 | |||
| Cases in Chan & B R in Ld Hardwick’s time | 12. | ||||
| Special & Select Law Cases 1641 | 6. | ||||
| Sheriffs | |||||
| Treatise of Replevins | 3. | ||||
| Statutes | |||||
| Keble’s Statutes | 2. | 10. | |||
| Statutes concerning Bankrupts | 2. | 6 | |||
| Tables | |||||
| Index to the Reports | 12. | ||||
| Repertorium Iuridicum | 2. | ||||
| Tithes & Laws of the Clergy | |||||
| Hughes’s Parson’s Law | 1. | 6 | |||
| Wills Exrs &c | |||||
| Godolphin’s Orphan’s Legacy | 12. | ||||
| Meriton’s Touchstone of Wills | 1. | 6 | |||
| AR | Nelson’s Lex Testimentaria | 7. | |||
| GI | Swinburne of last Wills | 6. | |||
| Wentworth’s Office of Executors | 2. | ||||
| Writs | |||||
| AR | Bohun’s English Lawyer | 5. | |||
| Fitzherbert with Hale’s Notes | 16. | ||||
| Fitzherbert’s Natura Brevium | 6. | ||||
| Registrum Brevium | 1. | 1. | |||
| Omitted | |||||
| Laws of Maryland | 1. | ||||
| Statutes of Excise | 1. | 6 | |||
| OTHER BOOKS | |||||
| Arts & Sciences | |||||
| Alian’s Tacticks of War | 8. | ||||
| Smith’s Distilling & Fermentation | 5. | ||||
| Weston’s Treatise of Shorthand | 1. | 1. | |||
| Weston’s Shorthand Copybook | 4. | ||||
| Classicks | |||||
| GM | Greek Grammar | 2. | 6 | ||
| GM | Greek Testament | 3. | 6 | ||
| Martial | 2. | 6 | |||
| Dictionaries | |||||
| Colgrave’s French Dictionary | 15. | ||||
| Salmon’s Family Dict. | 6. | ||||
| Bailey’s English Diet | 7. | ||||
| GM | Schrevelii Lexicon | 7. | 6 | ||
| Echard’s Gazetteer’s Interpreter | 3. | 6 | |||
| Cole’s English Dictionary | 2. | 6 | |||
| Divinity | |||||
| Tillotson’s Sermons 3 vol | 2. | 10. | |||
| Bibles trua | 1. | 10. | |||
| Leigh of Religion & Learning | 10. | ||||
| Stillingfleck’s Origines Sacra | 1. | ||||
| Life of King David | 6. | ||||
| Newton on Daniel | 3. | ||||
| The Sum of Christian Religion | 10. | ||||
| Weeks Preparation | 2. | 6 | |||
| Whole Duty of Man | 2. | 6 | |||
| The Sacrament explained | 2. | ||||
| The Country Parson’s Advice | 1. | 6 | |||
| Addy’s Shorthand Bible | 10. | ||||
| Atterbury Lewis’s Sermons 2 vol | 10. | 6 | |||
| Atterbury Francis’s Sermons 4 vol | 1. | 2. | |||
| South’s Sermons 6 vol | 1. | 12. | 6 | ||
| AS | Warburton’s divine Legation of Moses 2 vol | 16. | 6 | ||
| Revelation examin’d with Candour 2 vol | 9. | 6 | |||
| Scott’s Christian Life | 1. | ||||
| History | |||||
| Universal History 4 vol | 9. | 11. | 6 | ||
| Rushworth’s Collections 8 vol | 8. | 16. | |||
| Rapin’s History of England 2 vol | 2. | 10. | |||
| Keating’s History of Ireland | 1. | 1. | |||
| Burnet’s History of his own Times 2 vol | 2. | 10. | |||
| Purchas’s Pilgrimage | 1. | ||||
| Cop’s History of Ireland 2 vol | 2. | 10. | |||
| History of Europe 13 vol at 5/ | 3. | 5. | |||
| Historical Register 26 vol at 3/ | 3. | 18. | |||
| Antiquitatum variarum Auctores | 2. | 6 | |||
| History of the Turks 4th vol | 4. | 6 | |||
| Jeffery of Monmouth | 4. | ||||
| Burnet’s History 3 vol | 9. | ||||
| Bladen’s Caesar’s Commentaries | 4. | 6 | |||
| History of the Fifth General Council | 12. | ||||
| Machiavel’s History of Florence | 4. | ||||
| Roman History Echard’s 5th vol | 4. | ||||
| Lehontan’s Voyages 2d vol | 4. | ||||
| Description of the 17 Provinces | 2. | ||||
| The English Acquisitions in Guinea &c. | 2. | ||||
| Burnet’s Travels | 1. | 6 | |||
| Heylyn’s Help to English History | 3. | 6 | |||
| History of Spain | 1. | 6 | |||
| Catholick History | 2. | ||||
| History of Virginia | 2. | 6 | |||
| DuStalde’s History of China 4 vol | 1. | ||||
| [Pg 201]Husbandry & Gardening | |||||
| Quintinye’s Gardener | 1. | ||||
| Woodbridge of Agriculture | 8. | ||||
| Evelyn’s Sylvia | 12. | ||||
| Houghton’s Husbandry 4 vol | 1. | 2. | |||
| Bradley’s Husbandry 3 vol | 15. | ||||
| Gardening 2 vol | 6. | ||||
| new Improvements | 6. | ||||
| ancient husbandry | 4. | ||||
| practical Discourses | 8. | ||||
| Farmer’s Director | 2. | 6 | |||
| Ladies Director | 2. | 6 | |||
| Hop Garden | 1. | 6 | |||
| Dictionarium Rusticum | 6. | ||||
| CD | Monarchy of the Bees | 1. | 6 | ||
| A Discourse of Sallets | 1. | ||||
| Pocket Farrier | 1. | ||||
| Miscellanies of the Dublin Society | 5. | ||||
| GM | Spectator 8 vol | 1. | |||
| GM | Tatler 4 vol | 10. | |||
| GM | Addison’s Works 4 vol | 10. | |||
| GM | Guardian 2 vol | 5. | |||
| Pope’s Letters 2 vol | 5. | ||||
| Present State of Great Britain | 6. | ||||
| Persian Letters 2 vol | 5. | ||||
| Sedley’s Works 1 vol | 5. | ||||
| Carson’s Lucubrations | 2. | ||||
| Acct of Society for Reformation of Manners | 2. | 6 | |||
| Aristarchus Anti Bentlianus | 2. | ||||
| Dissertation on the Thebaan Legion | 2. | 6 | |||
| Secret History of Whitehall | 2. | ||||
| The Western Martyrology | 2. | 6 | |||
| GM | Memoria Technica | 2. | 6 | ||
| Erasmus’s Praise of Folly | 2. | 6 | |||
| Turkish Spy 5 & 6 vol | 4. | ||||
| Tom Brown’s Letters from the Dead to the Living | 2. | 6 | |||
| The Intelligencer | 2. | 6 | |||
| Rone’s Lives | 4. | ||||
| The Dublin Almanack | 1. | ||||
| Maxims & Reflections on Plays | 2. | ||||
| Report about Silver Coins | 1. | 6 | |||
| Essay for Amendment of them | 2. | ||||
| Feltham’s Resolves | 4. | ||||
| The Minister of State | 6. | ||||
| Treatise of Honour | 5. | ||||
| Lyropadia | 6. | ||||
| Hutchinson on Virtue | 4. | ||||
| T. Scott on the Passions | 2. | ||||
| Lansdowne’s Works 3 vol | 7. | 6 | |||
| Works of the Learned 13 vol | 4. | 11. | |||
| Boyle’s Adventures | 3. | ||||
| Leisure Hours Amusement | 3. | ||||
| News & Politicks | |||||
| London Magazine 11 vol | 3. | 17. | |||
| Gentlemen’s Magazine 4 vol | 1. | 6. | |||
| The Britton | 2. | 6 | |||
| Common Sense 2 vol | 6. | ||||
| The Freeholder | 2. | 6 | |||
| The Craftsman 6 vol | 18. | ||||
| Pues Occurrences | 5. | ||||
| The True Britton 2 vol | 12. | ||||
| Philosophy & Mathematicks | |||||
| Rarities of Gresham Colledge | 16. | ||||
| Bacon’s natural History | 10. | ||||
| Physiologia | 12. | ||||
| GF | Derham’s Physico Theology | 5. | |||
| Astro Theology | 4. | ||||
| Sturmy’s Mariners Magazine | 14. | ||||
| Gordon’s Cosmography | 5. | ||||
| Geography | 5. | ||||
| Ozanam’s Mathematical Recreations | 5. | ||||
| Atkinson’s Epitome of Navigation | 5. | ||||
| General Steads for natural History | 1. | 6 | |||
| Seaman’s Calendar | |||||
| RI | Newton’s Opticks | 6. | |||
| Keill’s Astronomy | 6. | ||||
| Baker’s Microscope | 5. | 6 | |||
| Mathew’s Invenitis 3 vol | 15. | ||||
| Physick & Surgery | |||||
| JM | Salmon’s Herbal 2 vol | 2. | 12. | ||
| JM Dispensatory | 6. | ||||
| JM Synopsis Medicina | 8. | ||||
| JM Ars Chirurgica | 8. | ||||
| JM Medicina Practica | 6. | ||||
| JM | Beerhaave’s Method of the dying Physic | 4. | |||
| JM | Sydehamii Opuscula | 4. | |||
| JM | Wiseman’s Surgery 2 vol | 10. | |||
| JM | Sanctorius’s Aphorisms | 5. | |||
| Quiney’s Dispensatory | 6. | 6 | |||
| JM | Strother on Sickness & Health | 3. | 6 | ||
| JM | on Causes & Cures | 2. | 6 | ||
| JM | Criticon Febrium | 2. | 6 | ||
| Shaw’s Practises of Physick 2 vol | 10. | ||||
| Arbuthnot of Aliment | 3. | 6 | |||
| JM | London Dispensatory | 3. | 6 | ||
| AS | Andrey on Worms | 4. | |||
| JM | Friends Emmencologia | 3. | |||
| JM | Pitcarn’s Dissertationes | 6. | |||
| JM | Friends’ Praelectioned Chymica | 2. | 6 | ||
| AS | Short’s Dissertation on Coffee & Tea | 2. | 6 | ||
| JM | Robinson Consumptions | 5. | 6 | ||
| JM | Drake’s Anatomy 2 vol | 10. | |||
| JM | History of Physic 2 vol | 8. | |||
| JM | Mead on Poysons | 4. | |||
| [Pg 202]Plays & Poetry | |||||
| Killigrew’s Plays | 10. | ||||
| Ignoramus Latin & English | 3. | 6 | |||
| Shakespears Plays 8 vol | 1. | 5. | |||
| Ben Johnsons Works | 10. | ||||
| Wycherley’s Plays | 5. | ||||
| Blackmore’s Elize | 8. | ||||
| DuBartas’s Works | 12. | ||||
| Prior’s Works | 3. | ||||
| Pope’s Works 9 vol | 1. | 5. | |||
| GM | Homers Iliad 6 vol | 15. | |||
| Homers Odyssey 5 vol | 12. | 6 | |||
| Savage’s Poems | 2. | 6 | |||
| GM | Thomsons Seasons | 2. | 6 | ||
| Rochesters Poems 2d vol | 3. | ||||
| Caroley’s Works 3 vol | 9. | ||||
| Lauderdale’s Virgil 2 vol | 5. | ||||
| Theocritus | 1. | 6 | |||
| Broome’s Poems | 3. | 6 | |||
| Ovid’s Art of Love | 3. | ||||
| Creech’s Lucretius 2 vol | 8. | ||||
| Barbers Poems | 5. | ||||
| Wallace | 2. | ||||
| Sandys’ Paraphrase on the divine Poems | 6. | ||||
| Trade | |||||
| Roberts’s Map of Commerce; | 1. | ||||
| Davenant on Trade & Plantations 2 vol | 8. | ||||
| Omitted | |||||
| GB | Annesley’s Trial | 5. | 6 | ||
| Speeches at Atterbury’s Trial | 5. | ||||
| Ladies Physical Directory | 2. | 6 | |||
| Calvins Sermons; | 2. | 6 | |||
| Nunnery Tales | 4. | ||||
| Wingate’s Arithmetick | 4. | ||||
| Lloyd’s Consent of time | 7. | 6 | |||
| Memoirs of secret Service | 2. | 6 | |||
| Views of France | 2. | ||||
| Account of the Treaty of Uxbridge | 2. | 6 | |||
| May’s Cookery | 3. | ||||
| The Triumphs of Peace | 1. | 6 | |||
| Sr. Walter Raleigh of a War with Spain | 2. | 6 | |||
| The Romish Horseleech | 2. | 6 | |||
| Conjectura Cabbalistica | 2. | ||||
| Miscellanies by Swift & Pope 4 vol | 3. | ||||
| The Syren | 4. | ||||
| The Musical Miscellany 6 vol | 18. | ||||
[The following are evidently subsequent additions to the library, which seems thus far to have been cataloged before 1746. The following books listed are referred to the accounts on which they were purchased.]
| 1746 | |||||
| April | To Majr. John Champe for sundrys viz. | ||||
| Viner’s Abridgment 4 vol | £ 5. | 16. | |||
| Ld. Raymond’s Reports 2 vol | 3. | ||||
| Freeman’s Reports | 1. | 15. | |||
| Lilly’s Conveyancer | 1. | 15. | |||
| Comyn’s Reports | 1. | 10. | |||
| Dalton’s Officium Vicicomitum | 1. | 2. | |||
| Swinburne [18th-century author] of Wills | 1. | ||||
| Herne’s Pleader | 19. | ||||
| Petyt’s Ius Parliamentarium | 18. | ||||
| Tremaine’s Pleas of the Crown | 15. | ||||
| Wood’s Institutes of the Civil Law | 13. | ||||
| Trott’s Plantation Laws | 12. | ||||
| Reports B R 4, 5, 6, 7, & 8 Ann | 12. | ||||
| Duke’s Law of Charitable Uses | 10. | ||||
| GIAbridgt State Tryals 9 vol | 1. | 16. | |||
| ARPractising Attorney 2 vol | 9. | ||||
| GINaval Trade 2 vol | 9. | ||||
| ARAttorney & Pleaders’ Treasury 2 vol | 10. | ||||
| Compleat Sheriff | 5. | 6 | |||
| Orders of the Court of Chancery | 5. | 6 | |||
| [Pg 203]GILaw of Testaments & Last Wills | 5. | 6 | |||
| Exrs. & Admrs | 5. | ||||
| Trespasses | 5. | ||||
| Merchants | 5. | ||||
| GI | Awards | 4. | 6 | ||
| Ejectments | 4. | 6 | |||
| GI | Actions upon the Cse | 4. | 6 | ||
| Tenures | 4. | 6 | |||
| Errors | 4. | ||||
| Trials in high Treason | 4. | ||||
| Mortgages | 4. | ||||
| Covenants | 4. | ||||
| GI | Executions | 4. | |||
| Estates Tail | 3. | 6 | |||
| GI | Securities | 3. | 6 | ||
| Infants | 3. | 6 | |||
| Last Wills | 3. | 6 | |||
| Obligations | 3. | ||||
| Master & Servant | 3. | ||||
| GI | Landlords | 2. | 8 | ||
| Actions | 2. | 6 | |||
| Inheritances | 2. | 6 | |||
| Pledges | 2. | 6 | |||
| Bastardy | 1. | 6 | |||
| Non compos | 1. | 6 | |||
| Trover & Conversion; | 1. | 6 | |||
| Appeals | 2. | ||||
| GI Select Trials at the Old Baily 4 vol | 11. | ||||
| New Retorna Brevium | 4. | 6 | |||
| Bacon’s Law Tracts; | 4. | 6 | |||
| History & Practise of Common Pleas | 4. | ||||
| Doctrina placitandi | 4. | ||||
| AR Wentworth’s Office of Exrs | 4. | ||||
| Notes of Cses in C B in points of Practise | 4. | ||||
| Treasures of Ireland | 3. | 6 | |||
| English Liberties | 3. | 6 | |||
| Treatise of Frauds | 2. | 6 | |||
| Book of Oaths | 2. | 6 | |||
| Blunt’s Fragments Antiquitatis | 2. | 6 | |||
| Woman’s Lawyer | 2. | ||||
| Judgments in C B & B R | 2. | ||||
| Essay for regulating the Laws | 2. | ||||
| Philips’s Grandeur of the Laws | 2. | ||||
| Special Law Cases | 1. | 6 | |||
| Bellew’s Cases from Statham | 1. | 6 | |||
| Lawyer’s Light | 1. | 6 | |||
| Ius Tratrum | 1. | ||||
| Critica Iuris Genissa | 1. | ||||
| Bibliotheca Legum | 1. | ||||
| Chambers’s Dictionary 2 vol | 4. | 4. | |||
| Milton’s Works 2 vol | 2. | 2. | |||
| Universal History 5th. 39/ 6th 44 7th 57 | 6. | 7. | 6 | ||
| Arbuthnot’s Tables | 16. | ||||
| History of Europe 5 vol | 15. | ||||
| Grays Hudibras 2 vol | 13. | ||||
| [Pg 204]History of Peter the Great 3 vol | 13. | ||||
| Nature displayed 4 vol | 12. | ||||
| Treatise of Money & Exchanges | 10. | 6 | |||
| English Compendium 2 vol | 10. | 6 | |||
| Irish & Scotch each 7.6 | 15. | ||||
| London Magazine for 1743 & 1744 | 13. | 2 | |||
| Present State of Great Britain | 5. | 6 | |||
| GF Dycke’s Dictionary | 5. | 6 | |||
| Blandy’s Tables | 4. | 6 | |||
| Geography reformed | 3. | 6 | |||
| Hewit’s Tables | 1. | 8 | |||
| Trunk Matt & Cord | 4. | ||||
| 53. | 13. | 6 | |||
| Sterling | Currt | |||||||||||||||||
| Entry 2/ Cartage 1/ Searchers 1/ Shipping & Warfage 2/6 Waterage 2/6 Gill Lad 6d | 9. | 6 | ||||||||||||||||
| Commission at 2 pr Cent | 1. | 1. | 10 | |||||||||||||||
| Freight & Primage 2½ pr Cent | 1. | 7. | 7 | ¼ | ||||||||||||||
| Insurance Policy & ½ pr Cent Commission to pay 98 in case of Loss | 11. | 6. | 6 | ¾ | 67. | 18. | ||||||||||||
| November | To Mr William Jordan for Sundrys Viz | |||||||||||||||||
| Broughton’s Dictionary | 2 vol fol | £ 1. | 5. | |||||||||||||||
| WWGrey’s Hudibras | 2 | 11. | 6 | |||||||||||||||
| Modern Husbandman | 3 | 13. | ||||||||||||||||
| GMRollins Belles Lettres | 2 sets 4 | 1. | 1. | |||||||||||||||
| Pamela | 4 | 8. | 8 | |||||||||||||||
| David Simple | 1 | 2. | 2 | |||||||||||||||
| Joseph Andrews | 2. | 2 | ||||||||||||||||
| GMHarskey’s Virgil | 2. | 8 | ½ | |||||||||||||||
| GMTerence | 2. | 8 | ½ | |||||||||||||||
| GMHorace | 2. | 8 | ½ | |||||||||||||||
| Epistle on drinking | 5 | ½ | ||||||||||||||||
| Pleasures of Imagination | 11 | |||||||||||||||||
| Swift’s Sermons | 5 | ½ | ||||||||||||||||
| Bulingbroke’s Remarks | 2. | 4 | ||||||||||||||||
| GMRollins Ancient History 13 vol | 2. | 5. | 6 | |||||||||||||||
| Irish Historical Library | 3. | 7. | 4. | 3 | ½ | 9. | 11. | |||||||||||
| 1747 | ||||||||||||||||||
| April | To Cash pd for 2 of Stith’s Histories of Virga | 1. | 1. | 8 | ||||||||||||||
| Debates in Parliament 21 vol | 3. | 18. | ||||||||||||||||
| A Common prayer book | 10. | 5. | 9. | 8 | ||||||||||||||
| GM | To William Parks for Ainsworth’s Dictionary | 2. | 10. | |||||||||||||||
| Memoirs of Pope’s Life &c. | 12. | 6 | 3. | 2. | 6 | |||||||||||||
| To Doctor McKenzie for the History of London | 3. | 14. | 3 | |||||||||||||||
| CDLives of the Admirals 4 vol | 2. | 2. | 3 | 5. | 16. | 6 | ||||||||||||
| IP | To Mr Jordan for 20 vol Universal History | 7. | 14. | |||||||||||||||
| October | ||||||||||||||||||
| IS | To Doctor McKenzie for Costlogon’s 2 vol Do | 8. | 1. | 4 | ||||||||||||||
| GM | To Cash paid for Bustorf’s Herbron Lexicon | 13. | ||||||||||||||||
| GM | Heereboord’s Burgersdicius | 4. | ||||||||||||||||
| [Pg 205]March | To Mrs. Grace Mercer for sundrys Viz | |||||||||||||||||
| GM | Clark’s Romer 2 vol | 13. | ||||||||||||||||
| GM | Murphy’s Leucian. Lucian | 3. | 6 | |||||||||||||||
| GM | Robertson’s Lexicon | 1. | ||||||||||||||||
| GM | Passons Lexicon | 3. | 6 | |||||||||||||||
| GM | Trapp’s Virgil 3 vol | 9. | ||||||||||||||||
| GM | Kennet’s Antiquities | 5. | ||||||||||||||||
| GM | Potter’s Antiquities 2 vol | 10. | 10 | |||||||||||||||
| GM | Salust Minellii | 2. | 6 | |||||||||||||||
| GM | Rowe’s Salust | 2. | 2 | |||||||||||||||
| GM | Brown’s Roman History | 2. | 2 | |||||||||||||||
| Ainsworth’s Dictionary | 1. | 7. | ||||||||||||||||
| GM | Geographia Classica | 4. | 6 | |||||||||||||||
| GM | Button’s Introduction | 2. | 8 | ½ | ||||||||||||||
| GM | Erhard’s Terence | 2. | 6 | |||||||||||||||
| GM | Plutarch’s Lives 8 vol | 2. | ||||||||||||||||
| GM | Francis’s Horace 4 vol | 13. | ||||||||||||||||
| Gay’s Tables | 2. | 2 | ||||||||||||||||
| GB | Tom Brown’s Works 4 vol | 13. | ||||||||||||||||
| PS | Delaney’s Sermons | 3. | 3 | |||||||||||||||
| Subscription to Shakespear | 10. | 10 | 9. | 10. | 7 | ½ | ||||||||||||
| To Do for Residue of Subscription to Shakespear | 10. | 10 | ||||||||||||||||
| To Sydenham & Hdgson for sundrys Viz | ||||||||||||||||||
| AM | Conduct of the Dutchess of Marlborough | 4. | ||||||||||||||||
| The other side of the Question | 5. | |||||||||||||||||
| Practise of the Ecclesiastical Courts | 3. | 6 | ||||||||||||||||
| IR | Motts Geography 2 vol. fol. maps bound | 4. | 14. | |||||||||||||||
| Continuation of Rapin 3 vol fol | 5. | 10. | ||||||||||||||||
| Salmon’s modern History 3 vol 4o | 3. | 3. | ||||||||||||||||
| WB | Hoppnes Architecture 4o | 10. | ||||||||||||||||
| WB | Salmon’s Palladio Londonensis 4o | 7. | ||||||||||||||||
| WB | Palladio’s Architecture 4o | 4. | ||||||||||||||||
| WB | Langley’s City & Country Builder | 14. | ||||||||||||||||
| London Magazine 1745, 6, 7 | 19. | 6 | ||||||||||||||||
| Winer’s Abridgment 3 vol fol | 4. | 10. | ||||||||||||||||
| Milton’s Political Works 2 vol fol | 2. | 6. | ||||||||||||||||
| A Box | 2. | 6 | ||||||||||||||||
| £23. | 11. | 6 | ||||||||||||||||
| Commission Insurance &c. 26 pct | 6. | 2. | 7 | |||||||||||||||
| Exchange at 40 pct | 11. | 17. | 7 | ½ | 41. | 11. | 8½ | |||||||||||
| To William Jordan for sundrys Viz | ||||||||||||||||||
| London Magazine 1745, 6. 7. 8 | 1. | 12. | 6 | |||||||||||||||
| not recd [?] | Salmon’s Gazetteer | 3. | 6 | |||||||||||||||
| not recd [?] | Chronology | 10. | ||||||||||||||||
| not recd [?] | A large Map of the World | 2. | 6 | |||||||||||||||
| 1749 Oct. | ||||||||||||||||||
| To Nath Walthoe for the Harleian Miscellany 8 vol | 6. | 6. | ||||||||||||||||
| To Do for Guthrie’s History of England in Sheets | 4. | 4. | ||||||||||||||||
| To Cash for Popple’s Maps | 1. | 11. | 3 | |||||||||||||||
| [Pg 206]1750 May | ||||||||||||||||||
| To Wm Parks for sundrys | 7. | 19 | ||||||||||||||||
| Aug | To Lyonel Lyde for sundrys £49.8 sterlg 26 pCt | 49. | 8. | |||||||||||||||
| 439. | 7. | 9 | 91. | 13. | 11½ | |||||||||||||
| 25 pCt | 109. | 16. | 11 | ¼ | 549. | 4. | 8¼ | |||||||||||
| 640. | 18. | 7¾ | ||||||||||||||||
| 1746 | [Currency] | |||||||||||||||||
| Feb. | By Gabriel Jones for sundrys marked GJ | 13. | 19. | 8 | ||||||||||||||
| 1749 | ||||||||||||||||||
| May | By Wm Walker for Grey’s Hudibras | 16. | 1 | |||||||||||||||
| 1750 | ||||||||||||||||||
| May | By John Sutherland for Coeltagon’s Dictionary | 8. | 1. | 4 | ||||||||||||||
| June | By George Mason for Rollins belles Letters | 15. | 23. | 12. | ||||||||||||||
| £617. | 6. | 6¾ | ||||||||||||||||
| 1750 | ||||||||||||||||||
| April | To Wm Parks for sundrys Viz | |||||||||||||||||
| Noblemens Seats by Kip (38) | £1. | 2. | 6 | |||||||||||||||
| Johnson’s Lives of Highwaymen &c. | 1. | 2. | 6 | |||||||||||||||
| Willis’s Survey of the Cathedrals 3 vol | 1. | 19. | ||||||||||||||||
| Select Plays 16 vol | 3. | 3. | ||||||||||||||||
| 8 Views of Scotland | 12. | |||||||||||||||||
| Augt | To Lyonel Lyde for sundrys bot of Osborn Viz | |||||||||||||||||
| Universal History 20 vol gilt | £ 9. | 8. | 6 | |||||||||||||||
| Merian of Insects | 2. | 10. | 9 | |||||||||||||||
| Gallia et Helvatia Urbes | 1. | 16. | 3 | |||||||||||||||
| Theatrum Urbium Germanis 2 vol | 4. | 11. | 4 | |||||||||||||||
| Noblemen’s Seats by Kip (80) | 1. | 16. | 3 | |||||||||||||||
| Churches Palaces & Gardens in France | 5. | 1. | 6 | |||||||||||||||
| Pozzo’s Perspective | 1. | 16. | 3 | |||||||||||||||
| Perrier’s Statues | 2. | 5. | 8 | |||||||||||||||
| 100 Views of Brabant & Flanders | 1. | 10. | 6 | |||||||||||||||
| 150 Prints of Ovid’s Metamorphosis | 1. | 10. | 6 | |||||||||||||||
| Cases in Parliament 8 vol | 18. | 5. | 5 | |||||||||||||||
| Father Paul’s History | 15. | 3 | 51. | 8. | 2 | |||||||||||||
| To Do for sundrys bot of George Strahan | ||||||||||||||||||
| AR | Ld Raymond’s Reports 2 vol | 4. | 7. | |||||||||||||||
| Barnardiston’s Reports in BA 2 vol | 2. | 18. | ||||||||||||||||
| IP | Freeman’s Reports | 2. | 12. | 2 | ||||||||||||||
| AR | Comyns’s Reports | 2. | 3. | 6 | ||||||||||||||
| Viners Abridgment 14th vol | 2. | 3. | 6 | |||||||||||||||
| AR | Barnardiston’s Reports in Canc℀ | 1. | 12. | |||||||||||||||
| Fortescues Reports | 1. | 9. | ||||||||||||||||
| AR | Talbot’s Reports | 1. | 1. | 9 | ||||||||||||||
| AR | Shoner’s Cases in Parliament | 18. | 10 | |||||||||||||||
| Goldesborough’s Reports | 5. | |||||||||||||||||
| Catalogue of Law Books | 2. | 2 | 19. | 12. | 11 | |||||||||||||
| [Pg 207]To Mrs Grace Mercer for sundrys Viz | ||||||||||||||||||
| GM | Preceptor 2 vol | 13. | ||||||||||||||||
| County of Waterford | 8. | 3 | ||||||||||||||||
| County of Devon | 7. | 3 | ||||||||||||||||
| Life of King David | 7. | |||||||||||||||||
| Lives of the Popes 1st vol | 5. | 3 | ||||||||||||||||
| Delany’s Sermons | 4. | 9 | ||||||||||||||||
| Practise of Farming | 3. | 9 | ||||||||||||||||
| Practical farmer 2 parts | 2. | |||||||||||||||||
| Dublin Societies Letters | 3. | 3 | ||||||||||||||||
| AM | Hervey’s Meditations | 3. | 3 | |||||||||||||||
| London Brewer | 1. | 8 | ||||||||||||||||
| Hops | 8 | |||||||||||||||||
| Bees | 8 | |||||||||||||||||
| Grass Seeds | 8 | |||||||||||||||||
| Flax | 5 | |||||||||||||||||
| Saffron | 4 | |||||||||||||||||
| Woollen Manufacture | 4 | 3. | 2. | 7 | ||||||||||||||
| To Cash as paid for sundrys Viz | ||||||||||||||||||
| Catalogue of Plants | 10. | 6 | ||||||||||||||||
| Political View | 2. | |||||||||||||||||
| History of Amphitheatres | 4. | |||||||||||||||||
| Northern Memoirs | 2. | 6 | ||||||||||||||||
| Life of Oliver Cromwell | 3. | |||||||||||||||||
| The Fool | 6. | |||||||||||||||||
| The Citizen | 2. | |||||||||||||||||
| Greaves’s Origin of Weights &c. | 2. | 6 | ||||||||||||||||
| Steele’s Romish History | 1. | 3 | ||||||||||||||||
| Dr Henry Wooten’s Pieces | 1. | 3 | ||||||||||||||||
| Account of Naval Victories | 1. | 3 | ||||||||||||||||
| Tennent’s Physical Enquiries | 1. | |||||||||||||||||
| Dr Ratcliffe’s Life | 6 | |||||||||||||||||
| Extract of Cheyney’s Life & Writings | 1. | 3 | ||||||||||||||||
| History of Nadir Cha | 1. | 3 | ||||||||||||||||
| Court Register | 1. | 6 | ||||||||||||||||
| Description of the microscope Ec | 6 | |||||||||||||||||
| Richmond Rarities | 1. | 3 | 2. | 3. | 6 | |||||||||||||
| To John Mitchelson for sundrys Viz | ||||||||||||||||||
| Life of the Duke of Argyle | 7. | 6 | ||||||||||||||||
| Parnell’s Poems | 4. | 6 | ||||||||||||||||
| Young’s Night Thoughts | 5. | 3 | ||||||||||||||||
| Farquhar’s Works 2 vol | 10. | 6 | ||||||||||||||||
| Fenton’s Poems | 4. | 6 | ||||||||||||||||
| Devil on Crutches 2 vol | 7. | 6 | ||||||||||||||||
| History of the Royal Family | 4. | 6 | ||||||||||||||||
| GM | 2 Fer’s Geography | 9. | ||||||||||||||||
| Hughes’s History of Barbadoes | 1. | 15. | 4. | 8. | 3 | |||||||||||||
| 706. | 11¾ | |||||||||||||||||
| CONTRA | ||||||||||
| [Pg 208]1750 | By Sons for the following Books | Currt | ||||||||
| Thomson’s Travels | 4 vol | 15. | ||||||||
| Thomson’s Seasons | 3. | 1 | ½ | |||||||
| Pope’s Homer | 6 vol | 18. | 9 | |||||||
| Rollins Ancient History | 13 vol | 2. | 17. | |||||||
| Trap’s Virgil | 3 vol | 11. | 3 | |||||||
| Echard’s Terence | 3. | 1 | ½ | |||||||
| Ainsworth’s Dictionary | 2. | 10. | ||||||||
| Spectator | 8 | 1. | 5. | |||||||
| Tatler | 4 | 12. | 6 | |||||||
| Addison’s Works | 4 | 12. | 6 | |||||||
| Guardian | 2 | 6. | 3 | |||||||
| Rollins Belles Lettres | 4 | 13. | 1 | ½ | ||||||
| Hankey’s Virgil | 3. | 4 | ||||||||
| Terence | 3. | 4 | ||||||||
| Horace | 3. | 4 | ||||||||
| Buxtorp’s Hebrew Lexicon | 13. | |||||||||
| Heerebord’s Burgersdicius | 4. | |||||||||
| Clark’s Homer | 2 vol | 16. | 3 | |||||||
| Murphy’s Lucian | 4. | 4 | ½ | |||||||
| Robertson’s Lexicon | 1. | 5. | ||||||||
| Passor’s Lexicon | 4. | 4 | ½ | |||||||
| Kennet’s Antiquities | 6 | 3 | ||||||||
| Potter’s Antiquities | 2 vol | 13. | 6 | |||||||
| Salust Minellii | 3. | 1 | ½ | |||||||
| Rowe’s Salust | 2. | 8 | ½ | |||||||
| Brown’s Roman History | 2. | 8 | ½ | |||||||
| Geographica Classica | 5. | 7 | ½ | |||||||
| Button’s Introduction | 3. | 4 | ||||||||
| Plutarch’s Lives | 8 vol | 2. | 10. | |||||||
| Francis’s Horace | 4 | 16. | 3 | |||||||
| Greek Grammar | 3. | 1 | ½ | |||||||
| Greek Testament | 4. | 4 | ½ | |||||||
| Schrevelii Lexicon | 9. | 4 | ½ | |||||||
| Memoria Technica | 3. | 1 | ½ | 21. | 8. | 1½ | ||||
| By Gerard Fowke for Dycke’s Dictionary | 11. | |||||||||
| By Sons for the Preceptor | 2 vol | 13. | 6 | |||||||
| Fer’s Geography | 3. | 16. | 6 | |||||||
| By Profit & Loss for Freeman’s Reports | £2. | 12. | 2 | |||||||
| Universal History | 20 vol | 7. | 14. | 10. | 6. | 2 | ||||
| By Robert Roseby by his Bro. Alexander | ||||||||||
| Ld. Raymond’s Reports | 2 vol | £4. | 10. | |||||||
| Comyns Reports | 2. | 5. | ||||||||
| Barnardiston’s Reports in Cane | 1. | 13. | ||||||||
| Talbot’s Reports | 1. | 2. | 6 | |||||||
| Shower’s Cases in Parliament | 19. | 6 | 10. | 10. | ||||||
| 662. | 9. | 2¼ | ||||||||
| £706. | 11¾ | |||||||||
Dates when flowers, trees, and plants bloomed in 1767, with temperatures, extracted from John Mercer’s journal, in back of Ledger B
| Temp. | |||
| March | |||
| 21 | 46-63 | Daffodil | |
| Hyacinths 6 | |||
| Violet | |||
| Narcissous | |||
| 22 | 60-69 | Almond | |
| Apricot | |||
| 24 | 37-47 | Plum sml | |
| 30 | 45-48 | May Cherry | |
| Cucumber hotbed | |||
| 31 | 44-52 | Beans | |
| Pease | |||
| April | |||
| 1 | 47-48 | Dwarf Iris | |
| 2 | 41-52 | Peach | |
| Hyacinth s d 10 | |||
| Dod 5 | |||
| Cowslips | |||
| 3 | 44-50 | rain all night & morn | |
| 6 | 44-46 | Do all night & day | |
| 7 | 44-50 | Cherry y & b | Do all night |
| Plum Comm. | |||
| Wild currant | |||
| 9 | 48-32 | Peach d bl | |
| Asparagus | |||
| Radishes | |||
| Crown Imperial | |||
| 12 | 44-54 | Tulip early | |
| 13 | 54-62 | Pear | |
| Wall flower | |||
| 15 | 48-53 | Frittillary | rain all night |
| 16 | 46-60 | Green Sagia | |
| 17 | 48-55 | Prickson | |
| 18 | 48-60 | Columbine | |
| Tulips | |||
| Strawberry | |||
| 20 | 34-60 | Lilac | |
| Catchfly Julia | |||
| 22 | 46-51 | Jonquil | |
| 24 | 46-62 | Formantil | |
| 26 | 70-78 | Syringa | |
| Persian Lilac | |||
| Honeysuckle Virga | |||
| Hyacinth dw ... purp. | |||
| 28 | 60-65 | Iris lar blue | |
| Narcissus w. | |||
| 30 | 64-70 | Parrot Tulip | |
| May | |||
| 1 | 54-60 | Rose | |
| 3 | 53-57 | Mourng bride | rain in the night |
| Peony wt | |||
| Hyacinth dou. bl. | |||
| 4 | 55-63 | Purple Stocks | Do in the night & morn. |
| 5 | 59-66 | White Do | |
| 6 | 54-67 | Agerolis | |
| Peony red | |||
| 7 | 60-72 | Honeysuckle | |
| 8 | 59-72 | Spiderwort | |
| Horsechestnut | |||
| Snow drop | |||
| 9 | 59-65 | Yellow Lilly | |
| Borage | |||
| 10 | 59-65 | Fraxinella | |
| 11 | 66-68 | Yellow s Rose | |
| Fringe tree | |||
| 12 | 64-68 | Grass pinks | |
| 13 | 63-70 | Annual stock | |
| 14 | 65-72 | Madeira Iris | |
| Sweet wm | |||
| 15 | 60-76 | Corn Hay | fine rain in the night |
| 16 | 60-70 | Spiraea frietus | |
| 17 | 56-74 | Feathr Hyacinth | |
| [Pg 210]18 | 67-80 | Corn Hay | Whitsunday |
| 19 | 70-82 | White rose | |
| 20 | 72-83 | Poppy | |
| Bladder Senna | |||
| 21 | 75-80 | Foxglove | |
| Swamp Laurel | |||
| Sml bl. Iris | |||
| Scorzancea | |||
| Monthly Rose | |||
| Orange | |||
| Lemon | |||
| Citron | |||
| 22 | 73-84 | Indian Pink | a fine rain |
| 23 | 72-76 | Larkspur | |
| 24 | 63-68 | Queen’s july fl. | |
| 25 | 61-70 | Wing’d pea | |
| 26 | 63-70 | Monks hood | |
| 27 | 65-72 | Catch fly | |
| 28 | 68-79 | Apscynum | |
| Sago | |||
| 29 | 71-79 | Sparrow Wistle | |
| L. Weymouth’s world | |||
| 30 | 75-77 | Sp Broom | A fine rain |
| Dorch. yell Rose | |||
| 31 | 73-80 | Great Poppy | |
| June | |||
| 1 | 73-70 | Pinks | |
| 2 | 64-73 | Gumbogia | |
| 3 | 64-79 | Wr Lilly | |
| Apscinum vine | |||
| 4 | 74-76 | Prickly pear | |
| 5 | 70-64 | Jessamine | A fine rain |
| 6 | 60-71 | Holyock | |
| 7 | 63-73 | Crysanthemum | |
| Virga Spike | |||
| Sweet Sultan | |||
| Orange Lilly | |||
| 9 | 65-70 | Cat Spa | |
| 14 | 70-81 | Flos Adonis | |
| 15 | 72-82 | Pleurisy root | |
| 17 | 75-82 | Yucca | |
| African Marigold | |||
| 19 | 70-78 | Southern wood | |
| 23 | 70-82 | Elacampana | |
| 24 | 74-82 | Rock Rose | |
| Oriental Asmart | |||
| 29 | 82-92 | Afr marigold y. | |
| July | |||
| 3 | Althaea frutea | ||
| 5 | 70 | Coxcomb | rain all day |
| 7 | 72-84 | Amaranth ordes | |
| 8 | 74-80 | Virga Saffron | |
| 9 | 75-87 | Partridge berrs | |
| 11 | 84-84 | Passion flowr | |
| 16 | 73-76 | Marvel of Peru | |
| 18 | 76-84 | Swamp Sweet | |
| 20 | 76-86 | Martagon Virg. | |
| 23 | 76-85 | Cardinal fl. | |
| Sunflower | |||
[John Mercer’s widow, Ann Roy Mercer, died at Marlborough September 2, 1770. By the next spring, James Mercer was operating Marlborough as one of four plantations owned by him. The overseer was Thomas Oliver. At the end of May 1771 Oliver drew up a statement of the conditions of the plantations and made a detailed inventory. This document has been reproduced in facsimile in A Documentary History of American Industrial Society.[216]
The following excerpts consist of the inventory, as it applied to Marlborough only, and of Oliver’s statement at the end. The “return,” as he called it, covered the period from May 1 to May 31, 1771. The reference to advertising the “sale” is apparently concerned with one of the unsuccessful public sales of John Mercer’s personal property.]
| 56 | Horn Cattle |
| 28 | Cavallrey |
| 128 | Sheap |
| . | Swine |
| 22 | Plowes |
| 8 | Clevices |
| 8 | Clevispins |
| 11 | leading lines |
| 4 | Chaine traces |
| 4 | Roap traces |
| 8 | Bridle Bitts |
| 8 | Back bands |
| 8 | Haimes |
| 6 | Ox Yoaks |
| 3 | Ox Chains |
| 2 | Ox Carts |
| 1 | Waggons Compleat |
| 4 | Horse Harness do |
| 4 | Horse Collers |
| 12 | Swingle trees |
| . | Threshing Instruments |
| 4 | Fanns |
| 2 | Sieves |
| 1 | Riddles |
| 1 | Halfe bushel Measure |
| 1 | Halfe Barrel Measure |
| 1 | Harrows |
| 10 | Hillinghows |
| 17 | Weeding hows |
| 8 | Grubbing hows |
| 1 | Syder press |
| 1 | Syder Mill |
| 15 | Axes |
| 4 | Wedges |
| 1 | Iron Shovels |
| 4 | Spades |
| 3 | Hay forks |
| . | Hay Rakes |
| 2 | Dung forks |
| 13 | Scythes |
| 4 | Cradles |
| . | Sickles |
| 8 | Sheap Shears |
| 1 | Barns |
| 2 | Grainerys |
| 3 | Corn Houses |
| 5 | Stables |
| 4 | Stock locks |
| 1 | Padlocks |
| 6 | Mealbags |
| 1 | Boats |
| 1 | Schoos |
| 1 | Cannow |
| 1 | Seaines |
| 2 | Cross cutt Saws |
| 1 | Whip Saws |
| 2 | Hand Saws |
| 3 | Adzes |
| 5 | Chisels |
| 1 | Hammers |
| 1 | Frows |
| 2 | Gimblets |
| [Pg 212]2 | Drawing knives |
| 7 | Broad Axes |
| 1 | Gouges |
| 1 | Compasses |
| 3 | Augers |
| 2 | 2 Yard Rules |
| 1 | Chalk lines |
| 3 | Sawfiles |
| 1 | Curriers knives |
| 1 | Tanners knives |
| 1 | Tobacco Cask Branding Irons |
| 5 | Iron Potts for Negroes |
| 1 | Grinding Stoans |
| 6 | Scyth stoans |
| 1 | Sarvants |
| 29 | Negroes in Crop |
| 25 | Negroes out of Crop |
| 9 | Hyerd out |
| 63 | Total amount of Negroes |
N.B. the Casuality in sheap are 11 sold to Mr Lowery. 1 to Doctr Clemense. 1 held for the house. dy’d a little time after being Castrated 5 (18) as in the Collem of decress. 1 Calfe dy’d five days after Being Cutt. the remainder of the stock in good Condition. two mares excepted. the work of the Mill going on as well as Can be Expected till Mr. Drains is better. the Schoo and Boat unfit for Any Sarvice whatsoever till repair’d. if Capable of it. the foundation of the Malt house wants repairing. the Manor house wants lead lights in some of the windows. the East Green House wants repairing, the west do wants buttments as a security to the wall on the south side. the Barn, tobacco houses at Marlborough & Acquia must be repaired as soon as possible. The two tobacco houses at Belvaderra are in good order. five stables on Marlborough plantation must also be repair’d before winter. we have sustai’d no damage from Tempests or Floods. it will Expedient to hyer a Carpinder for the woork wanted can not be accomplish’d in time, seeing the Carpenders must be taken of for harvest which is Like to be heavy. I will advertise the sale at Stafford Court and the two parish Churches to begin on the 20th of June 1771. this is all the intelligence this month requiers. P.S. The Syder presses at each plantation & Syder Mill at Marlbrough to tally Expended ... Negro Sampson Marlbro Company Sick of the Gravel. Negress Deborah Sick of a Complication of diss. Negro Tarter acqui Company Sick plurisy. Negress Phillis sick Accokeeck Company Kings Evil Negro Jas Pemberton at Marlbh Sick Worme fever.
ThS. Oliver
For
Jas. Mercer Esqr
FOOTNOTES:
[216] Edit. John P. Commons (New York: Russell & Russell, 1958), vol. 1, facsimile opp. p. 236. Quoted through kind permission of Russell & Russell, publishers.
| A | B | C | D | E | F | G | H | I | J | K | L | M |
| N | O | P | Q | R | S | T | U | V | W | X | Y | Z |
TRANSCRIBER NOTES:
Missing punctuation has been added and obvious punctuation errors have been corrected.
Archaic spellings and typographical errors have been retained with the exception of those listed below.
Page 9: "bee" changed to "be" (to be approved by an able surveyor).
Page 21: "thiry-one" changed to "thirty-one" (one thousand seven hundred and thirty-one).
Page 39: "an" changed to "a" (he made a large purchase of silver).
Page 55: deleted duplicate "as" (as I have the satisfaction to).
Footnote 123: incorrectly references Footnote 115. This has been corrected to reference Footnote 66.
Footnote 140: "Geneaological" changed to "Genealogical" (Tyler’s Quarterly Historical Genealogical Magazine).
Page 88: "18-century" changed to "18th-century" (we can find no exact parallel in the 18th-century America).
Page 96: "expance" changed to "expanse" (a small gilded cupola to break the long expanse of the roof).
Page 124, Illustration caption: "plan" changed to "pan" (a, milk pan).
Page 135: "homogenous" changed to "homogeneous" (thus making possible a homogeneous white body).
Page 144: "18-century" changed to "18th-century" (that 18th-century China-trade porcelain sherds).
Page 154: "chows" changed to "shows" (from a long-stemmed cordial glass shows the termini).
Page 154: "somprised" changed to "comprised" (threads that were comprised in a double enamel-twist).
Page 169, illustration caption: "probaby" changed to "probably" (b, chain, probably from whiffletree).
Page 173: "expecially" changed to "especially" (especially as the few 17th-century artifacts).
Page 178: "acitvity" changed to "activity" (the rigid boundar to domestic activity).
Page 178: "apparrently" changed to "apparently" (perhaps the bar apparently were located to the north.)
Page 188: "romall" changed to "Romal" for consistency (To 1 Romall handkerchief).
Page 188: "handkercheif" changed to "handkerchief" (To 1 silk Romall handkerchief).
Page 190: "handkercheifs" changed to "handkerchiefs" (To 4 Soosey handkerchiefs).
Page 209: "curran" changed to "currant" (Wild currant).
Page 214: "bookplate, John Mercer's, iv (illustr.)" changed to "bookplate, John Mercer's, 2 (illustr.)" to be consistent with its actual location in the original.
Page 217: "Fallmouth" changed to "Falmouth" (Falmouth (Virginia)).
Page 217: "Grorge" changed to "George" (George Mercer Papers Relating to).