The Project Gutenberg EBook of Souvenir Map and Guide for Tourists in the
Black Hills of South Dakota, by Dakota Engineering Company and Edward K. Mather
This eBook is for the use of anyone anywhere at no cost and with
almost no restrictions whatsoever. You may copy it, give it away or
re-use it under the terms of the Project Gutenberg License included
with this eBook or online at www.gutenberg.org/license
Title: Souvenir Map and Guide for Tourists in the Black Hills of South Dakota
Maps prepared especially for the use of Automobile Tourists
Author: Dakota Engineering Company
Edward K. Mather
Release Date: September 3, 2019 [EBook #60217]
Language: English
Character set encoding: UTF-8
*** START OF THIS PROJECT GUTENBERG EBOOK SOUVENIR MAP AND GUIDE FOR ***
Produced by Richard Tonsing, MFR, and the Online Distributed
Proofreading Team at http://www.pgdp.net (This file was
produced from images generously made available by The
Internet Archive)
Transcriber’s Note:
The cover image was created by the transcriber and is placed in the public domain.
| EDWARD K. MATHER, C. E. | ORIN L. KIPP, C. E. |
| Managing Engineer | Associate Engineer |
| 311 Western National Bank Building | MITCHELL, S. D. |
| The Mitchell Pub. Co., Mitchell, S. D. | Copyright, 1913, by Edward K. Mather, C. E. |
The possibility of motoring through various sections of the Black Hills for pleasure and business has long been known. The idea is new, however, of selecting good automobile routes to reach the larger cities and points of scenic interest in this region, and of platting the same as a guide to the stranger who may be easily lost amid the windings and branchings of the roads in forest, mining camp or city. The strenuous efforts of various localities and counties along these routes to improve them during the last two years has made them now such as may be travelled with pleasure.
The natural scenery on a scale majestic in size, yet of readily appreciated magnitude; the proximity of the primitive forest to the noise and rush of the mining or industrial center; the strange thoughts on realizing that here lies the richest tract one hundred miles square on earth, all serve to make the trip through the Black Hills a memorable one; even to him who has traveled far and near across ocean, desert sands or broad plains in search of nature’s beauty spots.
From a personal standpoint, the renewed vigor, and quieted nerves that result from rest among such pleasant surroundings, breathing pure air, laden with the odor of the pines, bathing in or drinking mineral waters all make it a trip well worth while.
It is hoped that to the stranger to the Black Hills region this book will bring some idea of the pleasure and profit to be found amid such surroundings, and that it will be an aid to him in the proper enjoyment of the same.
3Moderate temperature, winter and summer, abundance of sunshine and clear, dry air make the Black Hills particularly desirable from a tourist’s standpoint. The altitude ranging from 3500 to 8000 feet above sea level. Absolute freedom from mosquitoes in many parts of the hills and cool, dry nights make it an ideal country for camping.
In the wilder portions, bears, wild cats, wolves, silver foxes, and other large game may be found. Special provision has been made for re-stocking the Forest Reserve at frequent intervals with deer and elk which, together with legal protection for these animals from December 1st to November 1st makes them very plentiful. Plover, partridges, pheasants, grouse, ducks and geese may be easily had in season. Although many kinds of fish are found in the mountain streams, trout are the most common. The streams are restocked at frequent intervals from the Government Fishery at Spearfish with Brook, Locklaven, Speckled and Rainbow trout, so that fishing will continue to be one of the leading diversions of the pleasure seeker. From November 1st to May 1st when trout fishing is prohibited in South Dakota, the sport may be continued across the line in Wyoming where no such restriction exists.
Residents of other states using their cars in South Dakota will not be required to re-register their cars in South Dakota providing they have complied with all laws regarding registration of automobiles in the state from which they came, and providing such state extends a similar privilege to South Dakotans.
Automobiles must be driven in a careful and prudent manner, at a rate of speed such as not to endanger the property, life or limb of any person, provided that a rate of speed in excess of 25 miles per hour is presumptive evidence of driving at a rate of speed which is not careful and prudent, in case of injury to the person or property of another. Local authorities may limit speed to a rate of 10 miles per hour provided proper notices or warnings are placed in the public highway indicating such limitation of speed.
The raising of the hand, by anyone who is leading, driving or riding a horse or other draft animal, as a signal to stop shall cause the driver of any automobile thus signalled to, to stop his car until the danger of frightening such animal is past.
4Perhaps the best known city in the Northern Hills is Deadwood, the center of the industrial and mining interests of this section. Most excellent hotel and garage accommodations, its convenience to surrounding points of scenic interest, and a general spirit of genuine western hospitality toward all will continue to make it a most popular tourist center. Although high in the Hills it is connected with the plains outside by a good road of easy gradient.
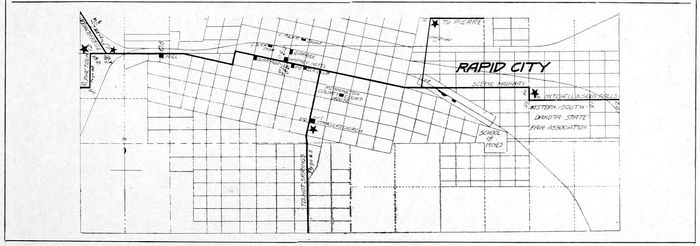
At the point of entrance to the Black Hills from the east, Rapid City has become a leading industrial and railway center. Good hotel and garage accommodations make this a pleasant stopping place in the foothills. The trip westward into the Hills along Rapid Creek to Pactola by auto, or by rail to Mystic, should not be overlooked by any tourist in this territory.
Spearfish is located on the northern margin of the Hills, close to the mouth of Spearfish canyon, to Sand Creek, to Higgins Gulch, Crow Peak and other fishing and hunting resorts. It has good hotel and garage accommodations, and is visited by thousands of tourists each year.
Twenty-eight miles north of Deadwood and close to the 100,000 acre government irrigation project is a thriving county seat town of 3000 population. It has been a noted shipping point for those interested in cattle and sheep raising in years gone by and is now becoming the principal center of business for the adjacent irrigated districts.
A thriving village at the point of entrance into the Hills which will be remembered by the tourist going by rail or auto to Deadwood, Lead, Spearfish or other points in the northern Hills.
This has been one of the leading towns in the heart of the Black Hills district since the early days of the Black Hills history. Numerous tin, mica and other mines and considerable rich agricultural land are found near here. About 45 miles from Deadwood, Rapid City and Hot Springs it is a convenient stopping place for tourists travelling through this territory.
5The largest gold mine in the world, employing an average of 3500 men and producing from $5,000,000 to $8,000,000 worth of gold bullion per year, has its principal properties and mines at Lead.
The Elliston Hoist, the largest now operated by the company, is 1850 feet deep. The 1200 H. P. hoisting engine with its hoisting rope, a 7¾ inch by ⅝ inch flat laced steel cable weighing 7 pounds to the foot, lifting a load of 10 tons, not including the weight of the cable from the bottom of the mine to the surface in a few seconds, is an interesting sight. Nearby are two air compressors, one delivering air at 80 pounds pressure for the use of rock drills and other machinery; the other compressing air to 850 pounds pressure for use of compressed air haulage motors.
Across the gulch the drill sharpening shop where 3000 drills are sharpened each day, and the foundry and machine shop are points of interest. The noise of operation of the stamp mill night and day, 365 days in the year make its location easily determinable. Here 240 stamps each weighing 900 pounds and dropping at the rate of 90 times per minute crush to a powder 1000 tons of ore each 24 hours. To each ton of powdered rock is added 2400 gallons of water which wash it over the silver plated copper plates. In another building it is re-ground, and the coarsest portion or sands sent to the Cyanide Plant. Here solution is accomplished by the addition of potassium cyanide, and the gold then precipitated by the addition of zinc dust. The finer portion of the powder or the slime is piped to the Slime Plant at Deadwood, where the gold bearing powder is caught in filter presses and the gold then extracted as before.
The Homestake Pumping Plant at Hanna, 6 miles from Lead, and the Hydro-electric plant at Spearfish, 15 miles from Lead, furnish the water and power used in the Homestake properties. The Hydro-electric Plant is the largest of its kind in the Hills. The water is carried in a tunnel 5 miles long from the river in Spearfish Canyon, at a point 8 miles from Spearfish, to the reservoir on top of the ridge overlooking and directly south of the city. The three surge towers, on the pipe lines leading from the reservoir down the 700 foot drop to the power plant, may be seen for many miles.
6There is probably no other scenic place in the Black Hills which has been given as much attention by tourists, photographers, and magazine writers as Spearfish Canyon. The Royal Gorge in Colorado, the Palisades of the Hudson and many other points of national scenic wonder may be found reproduced here on a scale perhaps less grand, but making up in beauty all that is lost in magnitude. Good automobile roads traverse long stretches of this canyon, entering it from Deadwood, and from Spearfish as platted herein. It is anticipated that in a few years the road will be made suitable for auto traffic the entire length of the canyon.
Crystal Cave, in the Northern Hills, is resplendent with stalactite and stalagmite formations and is quite different in general structure from Wind Cave. During 1913 it is expected that the construction of a new road from Deadwood will make this cave accessible to automobile tourists.
One of the most interesting places in the Hills from a scenic point of view is located about midway between Deadwood and Hot Springs. Harney Peak, the highest point in the Hills from which can be seen four states, the hundreds of Needles, some rising as much as 500 feet in cathedral tower like grandeur, the great varied vistas, and the quiet beauty of Sylvan Lake surrounded by monstrous rock walls and pine clad heights, all bring to one the realization of the real wonder and beauty of nature. Excellent hotel accommodations at Sylvan Lake makes this region justly popular as a tourist resort.
This is a typical Black Hills stream in Wyoming close to Deadwood and Spearfish. The fact that Wyoming laws allow trout fishing at all seasons of the year makes this stream the rendezvous of the fisher both summer and winter.
7One of the great sights of this region, in many respects excelling the famous Mammoth Cave of Kentucky, is Wind Cave. Over 200 miles of passageway and many thousands of rooms have been explored, some of these over 600 feet below the entrance. Yet, apparently neither the bottom nor the sides of this cave have been reached. The great abundance of “frost work” and “box work” in many forms make this cave unusually attractive and interesting. Guides will take parties into the Cave each day at 9:00 A. M. and 2:00 P. M. and occasionally at other times.
As a health resort the Southern Hills have gained a National reputation. A sanitarium for treatment of tuberculosis patients has been established by the State near Custer, 29 miles north of Hot Springs. At the latter city is the State Home for Old Soldiers, and the Government Hospital for Disabled Volunteer Soldiers and Sailors. Also numerous private sanitariums, for the treatment of various maladies, which are filled throughout the year.
The city gets its name from the hundred springs near there which give out large quantities of water at a temperature of 98 degrees F. or warmer. The water from these and from certain cold springs have been found to contain unusual mineral elements very valuable in the treatment of rheumatism of all kinds, nervous complaints, indigestion and intestinal disorders, pulmonary affections, diseases of the urinary organs, gout and skin diseases. Particularly noticeable have been the curing of parties affected with rheumatism.
Besides the small swimming pools at the various sanitariums, two immense pools have been constructed which are centers of attraction during the summer months. These are the “Evans” and the “Mammoth Springs Plunge,” both of which are enclosed in large buildings, and contain individual dressing rooms and all other possible conveniences.
One of the largest and finest equipped hotels in the state is located here.
Edgemont is a busy railway division point on the C. B. & Q. Ry. It is located on the Cheyenne River southwest of the Black Hills. To those who have seen the prairies of eastern South Dakota, the Bad Land and Black Hills formations, a new type of topography is presented extending to the south and west of Edgemont.
8East of the Black Hills, and within easy reach, is scenery, somewhat mountainous in nature, yet very different from anything in the Black Hills or in other mountainous regions. To anyone who has not travelled the “Scenic Highway through South Dakota,” a two days trip eastward from Rapid City over this road is well worth while.
The tourist enters the Bad Lands near the town of Scenic, 45 miles east of Rapid City. From this point the next 50 miles is in the midst of some of the strangest and most wonderful scenery known. Broad grass covered basins are dotted with bare rounded hillocks or great irregular shaped buttes and ridges. Along the northern border of this region and much of the time within sight of the road is “The Great Wall” several hundred feet in height, appearing against the sky line to be a succession of domes, towers, pinnacles and precipitous walls and gulches. The soil varies in color through the shades of white, buff, yellow, red and green. The valleys and flat plateaus on the tops of the ridges or buttes are usually grass covered while the slopes stand out most prominent because of their sheer height and nakedness. It is a scene that cannot be properly described; strange and wonderful in the extreme. At first seemingly grotesque, then strangely beautiful, impressions are left on the mind that will never be forgotten.
Pictures and more detailed description of this region, also a complete guide of the road from Rapid City eastward will be found in our “_Map and Guide of the Scenic Highway through South Dakota_.”
No tourist should leave the Black Hills until this trip has been taken either by automobile or rail. In either case he should go as far east as the towns of Interior or Kadoka, and actually go through Cedar Pass which is five miles northeast of Interior.
Rapid City, the gateway to the Hills, lies on Rapid Creek for which it is named, midway between its source in the Western Black Hills and its mouth, where it empties into the Cheyenne river. Its location is ideal from the standpoint of natural environment embracing, as it does, the rugged backbone of the hills and a foreground of rolling prairie. In early days pioneers were quick to see the natural advantages of the location for a town and their selection proved the later choice of railroad engineers, who have made it the central point for two great systems in western South Dakota. Four distinct lines radiate from Rapid City, viz: The Omaha division of the Northwestern providing connection with Deadwood on the North and the great South and Southeast. The Pierre division running to the state capital and Chicago. The Milwaukee has its terminal here. It runs southeast through the Bad Lands, the only railroad traversing this Wonderland of Nature, and on to Chicago. The Rapid City, Black Hills & Western has its headquarters in Rapid City, and is one of the most wonderfully constructed railroads in the country. It follows Rapid Creek west to Mystic, about thirty-five miles where it connects with the Burlington system. This is called the “Scenic” route of the Hills and affords tourists one of the grandest of pictueresque views to be had in the world. It is Colorado and the Grand Canyon in miniature.
13Located as it is in a country blessed by nature Rapid City provides more amusement to lovers of the out door life than most cities. With a climate ofttimes as equitable in January as that of Southern California and with rainfall usually confined to the spring months out of door life finds here its perfect environment. The nights, owing to the altitude of nearly thirty-two hundred feet, are always cool, there being few in the hottest of the summer months when blankets are not needed. The absence of dew makes camping a delightful pastime and there is trout fishing, for those who enjoy the gentle art of Isaac Walton, as good as the country affords anywhere. Deer are plentiful in season and game birds, including grouse, partridge, quail and duck, are plentiful enough to make it worth the while of any follower of Nimrod.
Rapid City itself being thus favorably located is the center of business activity radiating east as far as the Missouri river and west, north and south to the boundaries of the Black Hills. It has the three requisites of a progressive and up-to-date growing city—first-class hotels, a new up-to-date theatre and a live newspaper. From the city all of the interesting points in the Hills can be reached by railroads, or by automobiles over roads which are being constantly improved.
One of the largest and best equipped hotels in the Black Hills. Centrally located to points of scenic interest and the irrigation district. * * * * *
| RAPID CITY, | SO. DAK. |
| Formerly Harney Stat’y Shop | RAPID CITY |
| One block south and one block east of Harney Hotel | |
| BELLE FOURCHE | STURGIS | NEWELL |
Junction on C. & N. W. Ry. for Deadwood, Lead, Belle Fourche and all points on Government Irrigation project. Headquarters for Stage Lines to Vale and Spearfish.
European Plan. Rates, $1.00 per day and upwards. Unexcelled Cafe and Lunch Room in connection. Modern Garage within one block of Hotel.
The Hotel Franklin is recognized as the finest hotel in the state and is the headquarters for tourists. Deadwood is in the heart of the pictueresque “Playgrounds of South Dakota”, where fishing, hunting, camping and fine automobile roads through the pine clad Hills and Canyons form a part of the attractions that make it the Mecca of Tourists. Mosquitos and heat are unknown. The hub of all points of interest in the Hills is Deadwood. The famous Homestake, the largest gold mine in the world, and Crystal Cave, the great underground cavern that extends for miles are reached from Deadwood.
THE FRANKLIN HOTEL
DEADWOOD—The Commercial and mining center of the wonderfully rich and beautiful Climate—Scenery—No Mosquitos—Hospitality—Good Roads—Trout Fishing.
DEADWOOD is a thoroughly modern, enterprising city, well lighted with cluster lights, good water, good church, school and lodge facilities, unusually handsome buildings and paved streets on which are up-to-date stores with large stocks.
| 29 | ||
| The best auto roads in the Hills lead out of |
DEADWOOD | Autoists can visit: |
Over eight millions a year in gold bullion passes through Deadwood from this part of the Black Hills. See it in the assay office in gold brick form. See it in the treatment plants as the gold is extracted, see it in the mines whence it comes from the earth. All within easy reach of Deadwood.
Do You Love
the mountains?
scenery and good roads by which to see it?
the cooling breezes as they blow from the green pine clad hills, with their health-giving tendencies?
| Do You Know that | DEADWOOD | is never too hot? |
| has the best hotels in the state, | ||
| and a $25,000 auditorium, erected especially for conventions? | ||
| Repairing | Storage |
| Auto Livery | |
| Geo. Caughron | L. M. Larsen |
| M. Larsen | |
WHITE ROCKS
SPEARFISH FALLS
Harney Peak Hotel
EUGENE LITTLE, Proprietor
Hill City, South Dakota
Good Meals
To Make You Feel at Home, Day or Night, is Our Endeavor
Hill City is situated on the Burlington Railroad, and is right in the midst of the mining district of the Southern Black Hills, it is surrounded by fine mountain ranches, that have suffered only one crop failure in 25 years. These ranches produce 60 to 70 bushels of oats per acre that weigh from 40 to 48 lbs. to the bushel, wild and timothy hay grow abundantly, as well as potatoes, all without irrigation.
Hill City being the half way point on the Scenic Highway north and south through the Hills makes it the ideal point for a noon or night stop for automobilists, there being first-class hotels and restaurants to provide comfort and good meals for the tourists. By the opening of the season of 1913 the town will be equipped with a garage at which can be had gas, oil and minor repairs.
Everybody who knows will tell you this, and those who don’t know it should lose no time in finding it out. Plan for it and don’t fail. Ample hotel accommodations suitable to your tastes and desires—$1.00 a day up; $5.00 a week to $20.00. Delightful auto drives to Wind Cave, Cascade Springs, Cheyenne Falls, etc. The Hot Springs to Deadwood Scenic Highway, right through the very heart of the Black Hills, one of the best and most fascinating roads in the state, a charming day’s run, will be one of the most memorable of your life. Plan for it. Don’t miss it.
Gasoline and Auto Supplies, Prest-O-Lite, Inner Tubes Vulcanized
Spearfish Falls
We have excellent schools, four churches, modern business blocks, cluster street lamps, about ten miles of cement walks, and a modern gravity system of water works.
The adjacent valley is the richest farming land in the western part of this state. It will only be a short time until this country will develop into the richest dairy section of the state.
Fishing Scene, Spearfish River
We have ideal camping grounds, good water, fine trout fishing, shady groves, excellent weather and lots of scenery. This is an ideal place for spending a vacation. Bring your camp outfit, your camp clothes, your camera, your fishing tackle, etc. You will like the place.
Over a mile of the BEST TROUT FISHING stream in Wyoming. Three big artificial fresh water ponds containing millions of trout. Streams are restocked every season. 34 miles from Deadwood, 19 miles from Spearfish, 25 miles from Belle Fourche. Fine camping spots, or board and lodging may be obtained at my NEW MODERN BUNGALOW.
| Spearfish, | So. Dak. |
Large Stock of Automobile Sundries. Complete Line of Ford Parts and Accessories
Free Air for Your Tires. Gasoline Station. Oils of Every Description. All Sizes of Tires and Inner Tubes. Prest-O-Lite Exchange
| STURGIS | BELLE FOURCHE | NEWELL |
The City of Belle Fourche, the County Seat of Butte County, is located in the Belle Fourche Valley upon the Belle Fourche and Redwater rivers. The city was established in the days of Count de Mores and Theodore Roosevelt upon the western prairies and was one of the stations on the De Mores trail between the Black Hills and New England and De Mores, N. D. It bears the distinction of being the greatest primary cattle market in the world. Its trade is drawn from the ranges of Montana and Wyoming as well as the fertile valleys of South Dakota. It is surrounded by beautiful valleys which extend to the foot of the Bear Lodge and Black Hills. From the first cattle town in the state it has grown to be one of the first cities of the state. Its citizenship is progressive and its business men are working for the best interests of the community. It has one of the best hotels in the state and its public buildings would be a credit to a much larger community. It is the gateway to the Belle Fourche and Spearfish valleys. The diversion dam of the Belle Fourche Irrigation Project is almost within the city limits. This dam diverts the water from the Belle Fourche river into the great reservoir covering over 8000 acres of land and holding over 200,000 acre feet of water. This water is held by the largest earth dam in existence, 78being in height 115 feet and over 6000 feet in length and retaining sufficient water to irrigate 100,000 acres of land. This dam is one of the marvels of the age. It is worth one’s time to visit the same. The Spearfish valley is older in irrigation and has an abundance of fruit. Within six miles of Belle Fourche is the largest natural water power plant in the northwest, where the power for the great Homestake mine is generated from the waters of the Redwater river. A beautiful highway logged herein connects Belle Fourche with all the valleys and the famous trout fishing streams of South Dakota as well as the picturesque Sand Creek of Wyoming. In order to reach these streams in the most acceptable manner take the logged highways from Belle Fourche.
FARM SCENES IN THE BELLE
FOURCHE IRRIGATION DISTRICT
The increased demand of tourists for a good auto route between these scenic centers has resulted in an organized effort to build and maintain such a road by way of HOT SPRINGS, EDGEMONT and CHEYENNE
Tourists contemplating such a trip should inquire as to this road.
Edgemont, is situated on the Burlington Railroad, a divisional point, and the terminal of the Black Hills branch of the celebrated C. B. & Q. system.
It is the deep well town of the United States, having one well flowing 400,000 gallons of hot water every day, with a pressure of 90 pounds at a depth of 2988 feet and another well in course of construction now 2835 feet deep.
To the north of the town lie the celebrated Black Hills, the Forest Reserve, and a few miles away is the great Wind Cave, and government park, soon to be stocked with buffalo and elk.
East, south and west of the city lie great belts of rich agricultural lands now in course of development. A short distance from the town is the government Experimental 96farm, where all kinds of seed and methods of cultivation are tried out for the benefit of settlers. Government land can be secured within a few miles of the city. The city has four churches, seventy businesses represented, one of the finest school buildings in the state, with a competent corps of teachers, a large garage, 50 by 120 feet, containing all the latest machinery for repairing autos, including the new autogenous welding machine, an immense bridge over the Cheyenne river, admitting of travel the year around.
Twenty trains leave Edgemont every day, among which are six passenger trains—four of them trans-continental, fully equipped with all conveniences for the traveling public.
The finest melons grown in any country are produced here and are in competition with the Rockey Ford product of Colorado.
The Fall River County Fair Association has its headquarters in the city, possessing one of the best race tracks in the state. Several thousand dollars will be expended upon this proposition the present year for the accommodation of exhibitors.
For business locations and pleasure, Edgemont has few equals. The town is the official gateway to the Black Hills for the Denver to Deadwood auto road.
| 104 | |
| EDWARD K. MATHER, C. E. | ORIN L. KIPP, C. E. |
| Managing Engineer | Associate Engineer |
| 309–311–313 Western National Bank Building No. 2269. Dakota Central Telephone |
MITCHELL, S. D. |
End of the Project Gutenberg EBook of Souvenir Map and Guide for Tourists in
the Black Hills of South Dakota, by Dakota Engineering Company and Edward K. Mather
*** END OF THIS PROJECT GUTENBERG EBOOK SOUVENIR MAP AND GUIDE FOR ***
***** This file should be named 60217-h.htm or 60217-h.zip *****
This and all associated files of various formats will be found in:
http://www.gutenberg.org/6/0/2/1/60217/
Produced by Richard Tonsing, MFR, and the Online Distributed
Proofreading Team at http://www.pgdp.net (This file was
produced from images generously made available by The
Internet Archive)
Updated editions will replace the previous one--the old editions
will be renamed.
Creating the works from public domain print editions means that no
one owns a United States copyright in these works, so the Foundation
(and you!) can copy and distribute it in the United States without
permission and without paying copyright royalties. Special rules,
set forth in the General Terms of Use part of this license, apply to
copying and distributing Project Gutenberg-tm electronic works to
protect the PROJECT GUTENBERG-tm concept and trademark. Project
Gutenberg is a registered trademark, and may not be used if you
charge for the eBooks, unless you receive specific permission. If you
do not charge anything for copies of this eBook, complying with the
rules is very easy. You may use this eBook for nearly any purpose
such as creation of derivative works, reports, performances and
research. They may be modified and printed and given away--you may do
practically ANYTHING with public domain eBooks. Redistribution is
subject to the trademark license, especially commercial
redistribution.
*** START: FULL LICENSE ***
THE FULL PROJECT GUTENBERG LICENSE
PLEASE READ THIS BEFORE YOU DISTRIBUTE OR USE THIS WORK
To protect the Project Gutenberg-tm mission of promoting the free
distribution of electronic works, by using or distributing this work
(or any other work associated in any way with the phrase "Project
Gutenberg"), you agree to comply with all the terms of the Full Project
Gutenberg-tm License (available with this file or online at
http://gutenberg.org/license).
Section 1. General Terms of Use and Redistributing Project Gutenberg-tm
electronic works
1.A. By reading or using any part of this Project Gutenberg-tm
electronic work, you indicate that you have read, understand, agree to
and accept all the terms of this license and intellectual property
(trademark/copyright) agreement. If you do not agree to abide by all
the terms of this agreement, you must cease using and return or destroy
all copies of Project Gutenberg-tm electronic works in your possession.
If you paid a fee for obtaining a copy of or access to a Project
Gutenberg-tm electronic work and you do not agree to be bound by the
terms of this agreement, you may obtain a refund from the person or
entity to whom you paid the fee as set forth in paragraph 1.E.8.
1.B. "Project Gutenberg" is a registered trademark. It may only be
used on or associated in any way with an electronic work by people who
agree to be bound by the terms of this agreement. There are a few
things that you can do with most Project Gutenberg-tm electronic works
even without complying with the full terms of this agreement. See
paragraph 1.C below. There are a lot of things you can do with Project
Gutenberg-tm electronic works if you follow the terms of this agreement
and help preserve free future access to Project Gutenberg-tm electronic
works. See paragraph 1.E below.
1.C. The Project Gutenberg Literary Archive Foundation ("the Foundation"
or PGLAF), owns a compilation copyright in the collection of Project
Gutenberg-tm electronic works. Nearly all the individual works in the
collection are in the public domain in the United States. If an
individual work is in the public domain in the United States and you are
located in the United States, we do not claim a right to prevent you from
copying, distributing, performing, displaying or creating derivative
works based on the work as long as all references to Project Gutenberg
are removed. Of course, we hope that you will support the Project
Gutenberg-tm mission of promoting free access to electronic works by
freely sharing Project Gutenberg-tm works in compliance with the terms of
this agreement for keeping the Project Gutenberg-tm name associated with
the work. You can easily comply with the terms of this agreement by
keeping this work in the same format with its attached full Project
Gutenberg-tm License when you share it without charge with others.
1.D. The copyright laws of the place where you are located also govern
what you can do with this work. Copyright laws in most countries are in
a constant state of change. If you are outside the United States, check
the laws of your country in addition to the terms of this agreement
before downloading, copying, displaying, performing, distributing or
creating derivative works based on this work or any other Project
Gutenberg-tm work. The Foundation makes no representations concerning
the copyright status of any work in any country outside the United
States.
1.E. Unless you have removed all references to Project Gutenberg:
1.E.1. The following sentence, with active links to, or other immediate
access to, the full Project Gutenberg-tm License must appear prominently
whenever any copy of a Project Gutenberg-tm work (any work on which the
phrase "Project Gutenberg" appears, or with which the phrase "Project
Gutenberg" is associated) is accessed, displayed, performed, viewed,
copied or distributed:
This eBook is for the use of anyone anywhere at no cost and with
almost no restrictions whatsoever. You may copy it, give it away or
re-use it under the terms of the Project Gutenberg License included
with this eBook or online at www.gutenberg.org/license
1.E.2. If an individual Project Gutenberg-tm electronic work is derived
from the public domain (does not contain a notice indicating that it is
posted with permission of the copyright holder), the work can be copied
and distributed to anyone in the United States without paying any fees
or charges. If you are redistributing or providing access to a work
with the phrase "Project Gutenberg" associated with or appearing on the
work, you must comply either with the requirements of paragraphs 1.E.1
through 1.E.7 or obtain permission for the use of the work and the
Project Gutenberg-tm trademark as set forth in paragraphs 1.E.8 or
1.E.9.
1.E.3. If an individual Project Gutenberg-tm electronic work is posted
with the permission of the copyright holder, your use and distribution
must comply with both paragraphs 1.E.1 through 1.E.7 and any additional
terms imposed by the copyright holder. Additional terms will be linked
to the Project Gutenberg-tm License for all works posted with the
permission of the copyright holder found at the beginning of this work.
1.E.4. Do not unlink or detach or remove the full Project Gutenberg-tm
License terms from this work, or any files containing a part of this
work or any other work associated with Project Gutenberg-tm.
1.E.5. Do not copy, display, perform, distribute or redistribute this
electronic work, or any part of this electronic work, without
prominently displaying the sentence set forth in paragraph 1.E.1 with
active links or immediate access to the full terms of the Project
Gutenberg-tm License.
1.E.6. You may convert to and distribute this work in any binary,
compressed, marked up, nonproprietary or proprietary form, including any
word processing or hypertext form. However, if you provide access to or
distribute copies of a Project Gutenberg-tm work in a format other than
"Plain Vanilla ASCII" or other format used in the official version
posted on the official Project Gutenberg-tm web site (www.gutenberg.org),
you must, at no additional cost, fee or expense to the user, provide a
copy, a means of exporting a copy, or a means of obtaining a copy upon
request, of the work in its original "Plain Vanilla ASCII" or other
form. Any alternate format must include the full Project Gutenberg-tm
License as specified in paragraph 1.E.1.
1.E.7. Do not charge a fee for access to, viewing, displaying,
performing, copying or distributing any Project Gutenberg-tm works
unless you comply with paragraph 1.E.8 or 1.E.9.
1.E.8. You may charge a reasonable fee for copies of or providing
access to or distributing Project Gutenberg-tm electronic works provided
that
- You pay a royalty fee of 20% of the gross profits you derive from
the use of Project Gutenberg-tm works calculated using the method
you already use to calculate your applicable taxes. The fee is
owed to the owner of the Project Gutenberg-tm trademark, but he
has agreed to donate royalties under this paragraph to the
Project Gutenberg Literary Archive Foundation. Royalty payments
must be paid within 60 days following each date on which you
prepare (or are legally required to prepare) your periodic tax
returns. Royalty payments should be clearly marked as such and
sent to the Project Gutenberg Literary Archive Foundation at the
address specified in Section 4, "Information about donations to
the Project Gutenberg Literary Archive Foundation."
- You provide a full refund of any money paid by a user who notifies
you in writing (or by e-mail) within 30 days of receipt that s/he
does not agree to the terms of the full Project Gutenberg-tm
License. You must require such a user to return or
destroy all copies of the works possessed in a physical medium
and discontinue all use of and all access to other copies of
Project Gutenberg-tm works.
- You provide, in accordance with paragraph 1.F.3, a full refund of any
money paid for a work or a replacement copy, if a defect in the
electronic work is discovered and reported to you within 90 days
of receipt of the work.
- You comply with all other terms of this agreement for free
distribution of Project Gutenberg-tm works.
1.E.9. If you wish to charge a fee or distribute a Project Gutenberg-tm
electronic work or group of works on different terms than are set
forth in this agreement, you must obtain permission in writing from
both the Project Gutenberg Literary Archive Foundation and Michael
Hart, the owner of the Project Gutenberg-tm trademark. Contact the
Foundation as set forth in Section 3 below.
1.F.
1.F.1. Project Gutenberg volunteers and employees expend considerable
effort to identify, do copyright research on, transcribe and proofread
public domain works in creating the Project Gutenberg-tm
collection. Despite these efforts, Project Gutenberg-tm electronic
works, and the medium on which they may be stored, may contain
"Defects," such as, but not limited to, incomplete, inaccurate or
corrupt data, transcription errors, a copyright or other intellectual
property infringement, a defective or damaged disk or other medium, a
computer virus, or computer codes that damage or cannot be read by
your equipment.
1.F.2. LIMITED WARRANTY, DISCLAIMER OF DAMAGES - Except for the "Right
of Replacement or Refund" described in paragraph 1.F.3, the Project
Gutenberg Literary Archive Foundation, the owner of the Project
Gutenberg-tm trademark, and any other party distributing a Project
Gutenberg-tm electronic work under this agreement, disclaim all
liability to you for damages, costs and expenses, including legal
fees. YOU AGREE THAT YOU HAVE NO REMEDIES FOR NEGLIGENCE, STRICT
LIABILITY, BREACH OF WARRANTY OR BREACH OF CONTRACT EXCEPT THOSE
PROVIDED IN PARAGRAPH 1.F.3. YOU AGREE THAT THE FOUNDATION, THE
TRADEMARK OWNER, AND ANY DISTRIBUTOR UNDER THIS AGREEMENT WILL NOT BE
LIABLE TO YOU FOR ACTUAL, DIRECT, INDIRECT, CONSEQUENTIAL, PUNITIVE OR
INCIDENTAL DAMAGES EVEN IF YOU GIVE NOTICE OF THE POSSIBILITY OF SUCH
DAMAGE.
1.F.3. LIMITED RIGHT OF REPLACEMENT OR REFUND - If you discover a
defect in this electronic work within 90 days of receiving it, you can
receive a refund of the money (if any) you paid for it by sending a
written explanation to the person you received the work from. If you
received the work on a physical medium, you must return the medium with
your written explanation. The person or entity that provided you with
the defective work may elect to provide a replacement copy in lieu of a
refund. If you received the work electronically, the person or entity
providing it to you may choose to give you a second opportunity to
receive the work electronically in lieu of a refund. If the second copy
is also defective, you may demand a refund in writing without further
opportunities to fix the problem.
1.F.4. Except for the limited right of replacement or refund set forth
in paragraph 1.F.3, this work is provided to you 'AS-IS' WITH NO OTHER
WARRANTIES OF ANY KIND, EXPRESS OR IMPLIED, INCLUDING BUT NOT LIMITED TO
WARRANTIES OF MERCHANTABILITY OR FITNESS FOR ANY PURPOSE.
1.F.5. Some states do not allow disclaimers of certain implied
warranties or the exclusion or limitation of certain types of damages.
If any disclaimer or limitation set forth in this agreement violates the
law of the state applicable to this agreement, the agreement shall be
interpreted to make the maximum disclaimer or limitation permitted by
the applicable state law. The invalidity or unenforceability of any
provision of this agreement shall not void the remaining provisions.
1.F.6. INDEMNITY - You agree to indemnify and hold the Foundation, the
trademark owner, any agent or employee of the Foundation, anyone
providing copies of Project Gutenberg-tm electronic works in accordance
with this agreement, and any volunteers associated with the production,
promotion and distribution of Project Gutenberg-tm electronic works,
harmless from all liability, costs and expenses, including legal fees,
that arise directly or indirectly from any of the following which you do
or cause to occur: (a) distribution of this or any Project Gutenberg-tm
work, (b) alteration, modification, or additions or deletions to any
Project Gutenberg-tm work, and (c) any Defect you cause.
Section 2. Information about the Mission of Project Gutenberg-tm
Project Gutenberg-tm is synonymous with the free distribution of
electronic works in formats readable by the widest variety of computers
including obsolete, old, middle-aged and new computers. It exists
because of the efforts of hundreds of volunteers and donations from
people in all walks of life.
Volunteers and financial support to provide volunteers with the
assistance they need, are critical to reaching Project Gutenberg-tm's
goals and ensuring that the Project Gutenberg-tm collection will
remain freely available for generations to come. In 2001, the Project
Gutenberg Literary Archive Foundation was created to provide a secure
and permanent future for Project Gutenberg-tm and future generations.
To learn more about the Project Gutenberg Literary Archive Foundation
and how your efforts and donations can help, see Sections 3 and 4
and the Foundation web page at http://www.pglaf.org.
Section 3. Information about the Project Gutenberg Literary Archive
Foundation
The Project Gutenberg Literary Archive Foundation is a non profit
501(c)(3) educational corporation organized under the laws of the
state of Mississippi and granted tax exempt status by the Internal
Revenue Service. The Foundation's EIN or federal tax identification
number is 64-6221541. Its 501(c)(3) letter is posted at
http://pglaf.org/fundraising. Contributions to the Project Gutenberg
Literary Archive Foundation are tax deductible to the full extent
permitted by U.S. federal laws and your state's laws.
The Foundation's principal office is located at 4557 Melan Dr. S.
Fairbanks, AK, 99712., but its volunteers and employees are scattered
throughout numerous locations. Its business office is located at
809 North 1500 West, Salt Lake City, UT 84116, (801) 596-1887, email
business@pglaf.org. Email contact links and up to date contact
information can be found at the Foundation's web site and official
page at http://pglaf.org
For additional contact information:
Dr. Gregory B. Newby
Chief Executive and Director
gbnewby@pglaf.org
Section 4. Information about Donations to the Project Gutenberg
Literary Archive Foundation
Project Gutenberg-tm depends upon and cannot survive without wide
spread public support and donations to carry out its mission of
increasing the number of public domain and licensed works that can be
freely distributed in machine readable form accessible by the widest
array of equipment including outdated equipment. Many small donations
($1 to $5,000) are particularly important to maintaining tax exempt
status with the IRS.
The Foundation is committed to complying with the laws regulating
charities and charitable donations in all 50 states of the United
States. Compliance requirements are not uniform and it takes a
considerable effort, much paperwork and many fees to meet and keep up
with these requirements. We do not solicit donations in locations
where we have not received written confirmation of compliance. To
SEND DONATIONS or determine the status of compliance for any
particular state visit http://pglaf.org
While we cannot and do not solicit contributions from states where we
have not met the solicitation requirements, we know of no prohibition
against accepting unsolicited donations from donors in such states who
approach us with offers to donate.
International donations are gratefully accepted, but we cannot make
any statements concerning tax treatment of donations received from
outside the United States. U.S. laws alone swamp our small staff.
Please check the Project Gutenberg Web pages for current donation
methods and addresses. Donations are accepted in a number of other
ways including checks, online payments and credit card donations.
To donate, please visit: http://pglaf.org/donate
Section 5. General Information About Project Gutenberg-tm electronic
works.
Professor Michael S. Hart is the originator of the Project Gutenberg-tm
concept of a library of electronic works that could be freely shared
with anyone. For thirty years, he produced and distributed Project
Gutenberg-tm eBooks with only a loose network of volunteer support.
Project Gutenberg-tm eBooks are often created from several printed
editions, all of which are confirmed as Public Domain in the U.S.
unless a copyright notice is included. Thus, we do not necessarily
keep eBooks in compliance with any particular paper edition.
Most people start at our Web site which has the main PG search facility:
http://www.gutenberg.org
This Web site includes information about Project Gutenberg-tm,
including how to make donations to the Project Gutenberg Literary
Archive Foundation, how to help produce our new eBooks, and how to
subscribe to our email newsletter to hear about new eBooks.